한국어
(西)서해조황

- 배너를 클릭하면 해당 출조점의 홈페이지가 열립니다
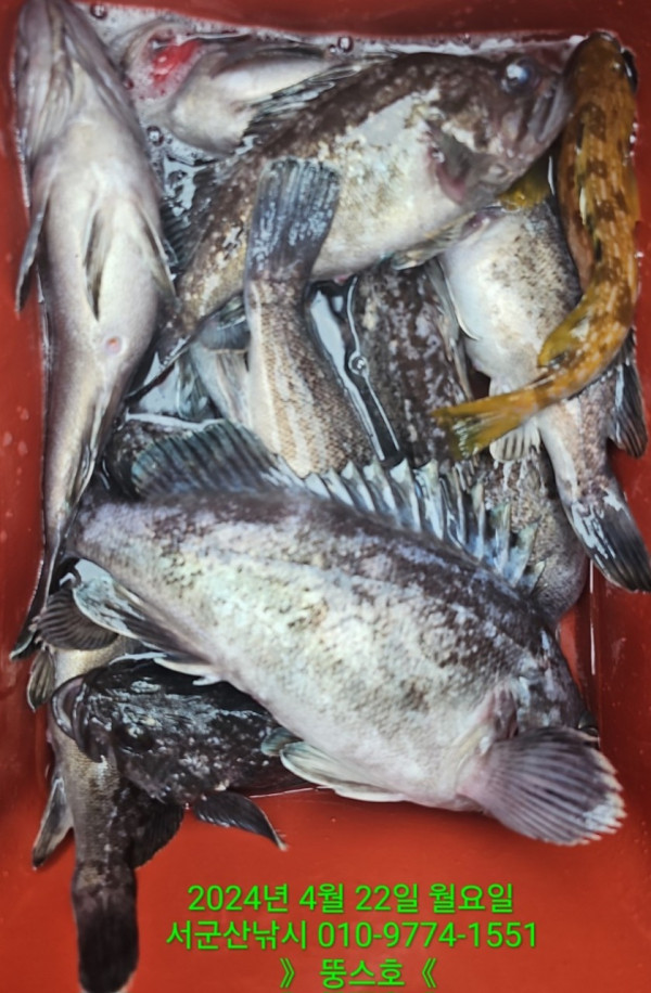
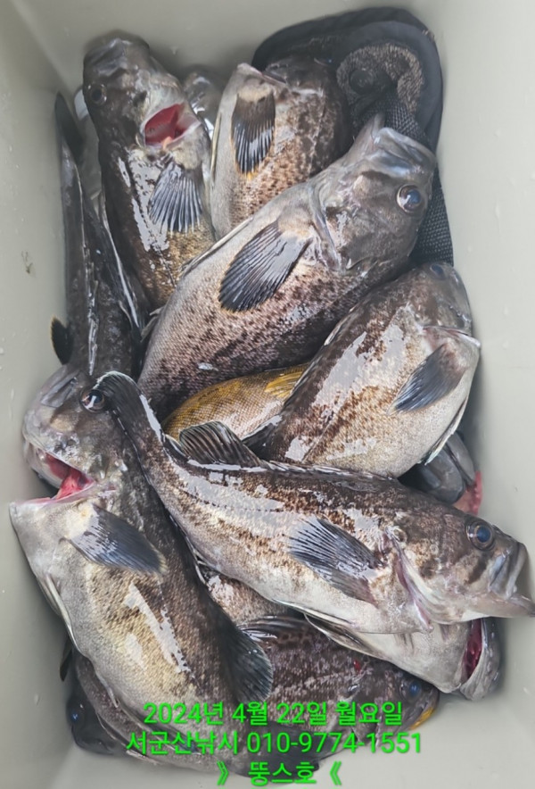
4/22 신조선 [군산 뚱스호]_4인 우럭 황제낚시 조황

안녕하십니까..
4월 22일 우럭 조황입니다..
4분 모시고 황제낚시 다녀 왔습니다.
요즘 좀 거시기 하여 진짜..ㅠㅠ
사이즈 버리고 마릿수로 승부하면서
소수인원으로 나가보니
전원히트도 몇번 하면서
마릿수,손맛보고 왔습니다.
오늘 오신 조사님 고생 많으셨습니다..


9_f5dUd018svcrc3mxpfdn9r_rlyti9.jpg


9_g5dUd018svca8713qc5dejj_rlyti9.jpg


a_35dUd018svc9glmsrvoidjh_rlyti9.jpg


a_55dUd018svcv56dv2izfaov_rlyti9.jpg


a_05dUd018svc13j9mfwcbk4sb_rlyti9.jpg


a_75dUd018svcbat9i2l7pmle_rlyti9.jpg


a_25dUd018svc1ev1l8tk13g66_rlyti9.jpg


9_h5dUd018svc1gc4ezz6fwzqn_rlyti9.jpg


9_i5dUd018svc1n73xdwsqoxty_rlyti9.jpg


9_j5dUd018svc1gn1r9zktm71h_rlyti9.jpg
 


■ 예약문의 : 063-466-6565                   010-9774-1551

■ 오시는길 : 전라북도 군산시 새만금북로277(오식도동 1002)

■ 서군산낚시 실시간 예약 바로가기 :
 http://seo.sunsang24.com/

■ 서군산낚시 밴드 바로가기 : https://band.us/band/78646704


제목을 입력해주세요_-003 (2).png



 

-2

List of Articles
번호 제목 글쓴이 날짜 조회 수
공지 주꾸미는 서해든 먹물게시판이든 1군데만 올려주세요 어부지리 2023.09.02 3008
81784 4.25일 도시어부호 야간 우럭 조황입니다 군산도시어부 2024.04.26 90
81783 4/26 신조선 [군산 닥스호]_초보 3분과 참돔 출조!_내일도 참돔 출조합니다! 서군산낚시 2024.04.26 104
81782 4/25 신조선 [군산 뚱스호]_다잡아 탐사 조황_다잡아 타이라바 출조합니다~! 서군산낚시 2024.04.26 84
81781 26일 10분 참돔 27개...나와요 27일 28일 모집해요. 참바다 2024.04.26 72
81780 <자연호>참돔타이라바 대박 굿조황(자연호26)-내일 자리 있습니다~! 군산원낚시 2024.04.26 64
81779 <크라운호>오후 우럭 마무리 조황(크라운26)-내일 오전(알쭈),오후(우럭) 자리있습니다~! 군산원낚시 2024.04.26 52
81778 <뉴오리온호> 어초침선 우럭 마무리 조황(뉴오리온26)-내일 주간우럭 자리있습니다~! 군산원낚시 2024.04.26 87
81777 [무창포아파치호] 4/26(금) 빅싸이즈 알쭈꾸미, 사릿물때 소수 7인 조황~^^ 황금물때인 이번주 일요일과 다음주 주중(4/29~5/3)에도 계속해서 정상 출조합니다~^^ 010-8422-0866 file 무창포아파치피싱 2024.04.26 83
81776 26일 뉴라이브호 먼바다 우럭광어조황~~ 군산뉴라이브호 2024.04.26 103
81775 <발키리호>"8짜급 대광어"주간 우럭 마무리 조황(발키리26)-내일 발키리호 자리있습니다~! 군산원낚시 2024.04.26 96
81774 26일 황성피싱 감성돔조황!! 황성낚시 2024.04.26 15
81773 목포야타피싱 26일 감성돔 조황! 야타피싱 2024.04.26 23
81772 홍원항[우리호] 4/26일 오전 짬낚시!! 내일 출조 자리여유있습니다. file 홍원뱅크낚시 2024.04.26 101
81771 240425 무창포항 위너피싱 스페이스호 농어 조업 다녀왔습니다 스페이스 2024.04.26 103
81770 실시간 군산 참돔 잘나와요 토 일 월 오셔두 괜찮을듯요 참바다 2024.04.26 93
81769 군산 왕쭈꾸미~~갑오징어는 보너스~! 오늘도 시작~! 내일도 갑니다~! 군산 포세이돈호 file 군산낚시프라자[1] 2024.04.26 115
81768 진도 복사초 돌돔 찌낚시 덜덜이 모집 file 목포여름호 2024.04.26 190
81767 목포감성돔 덩치급 신세계피싱 목포신세계갈치낚시 2024.04.26 47
81766 목포목화피싱 4/25일 목포감성돔낚시 매일 전원 손맛 줙여요(매일 감성돔낚시 도다리낚시 출조합니다.) 목포목화낚시 2024.04.25 47
81765 <크라운호> 오후 우럭 마무리 조황(크라운25)-내일 오후 우럭 자리있습니다~! 군산원낚시 2024.04.25 126
81764 <발키리호> 주간 우럭 독선으로 몇분 모시고 다녀왔습니다(발키리25)-4/27~28일 생미끼 경기낚시 출조~! 군산원낚시 2024.04.25 117
81763 [목포감성돔낚시] 25일 감성돔 조황입니다 목포포인트 2024.04.25 30
81762 목포야타피싱 25일 감성돔 조황! 야타피싱 2024.04.25 44
81761 <태헌호> 우럭-십이동파권 마무리 조황(태헌호25)-4월27일~28일 생미끼 경기낚시출조~! 군산원낚시 2024.04.25 158
81760 홍원항[우리호] 4/25일 사릿물때 오전 포인트 짬낚시!! file 홍원뱅크낚시 2024.04.25 161
81759 25일.군산샤크호 참돔어전피딩조황 평일자리여유 file 군산프로피싱1 2024.04.25 122
81758 목포목화피싱 4/24일 감성돔 카고낚시 계속된 초대박 굿 조황(매일 감성돔낚시 도다리낚시 출조) 목포목화낚시 2024.04.25 53
81757 군산세븐호 [24.04.23 야간우럭출조 ] 금.토.일 자리여유~ 군산세븐호 2024.04.25 150
81756 사리물때 내생에 첫 배낚시 15명 낚시대대여 15대 안면도배낚시 황금백호 2024.04.24 193
81755 4.24 라이즈호 조황정보(당진 장고항) 라이즈피싱 2024.04.24 158
81754 [무창포아파치호] 4/24(수) 주중 소수인원, 빅싸이즈 봄 알쭈꾸미 조황~^^ 이번주 금,토,일(26일~28)도 계속해서 출조합니다~^^ 0110-8422-0866 무창포아파치피싱 2024.04.24 167
81753 24일 세분모시고 강한바람에 올린조황 목포강태공호 2024.04.24 160
81752 참돔탐사 ~ 다녀왔습니다~(자연호24) 군산원낚시 2024.04.24 150
81751 목포목화피싱 4/23일 감성돔 카고낚시 대박 찐조황5짜(매일 감성돔낚시 도다리낚시 출조합니다.) 목포목화낚시 2024.04.24 61
81750 [목포감성돔낚시] 24일 감성돔조황 목포포인트낚시 목포포인트 2024.04.24 51
81749 4.23 도시어부호 야간 우럭 쌍걸이 좋네요 군산도시어부 2024.04.24 204
81748 23일 적은 인원 참돔 &광순이(25일 출조~~) 참바다 2024.04.24 126
81747 4월 23일 화요일 군산 뉴 블루스타호 야간우럭 조황 군산블루스타호 2024.04.24 142
81746 4월 23일 오천항 길손피싱호 선상낚시 ---- 우럭광어다운샷^^ file 오천항길손피싱호 2024.04.24 174
81745 4월 23일 화요일 군산 뉴 블루스타호 주간반 군산 왕쭈꾸미 조황 군산블루스타호 2024.04.23 128
81744 23일.군산샤크호 우럭.광어다운샷조황 참돔피딩출조모집 file 군산프로피싱1 2024.04.23 159
81743 목포야타피싱 23일 감성돔 조황! 야타피싱 2024.04.23 46
81742 [무창포아파치호] 4/23(화) 소수인원, 빅싸이즈 알쭈꾸미 쌍걸이조황~^^ 내일(수)과 이번주 주중과 주말(24일~28일, 수~일)에도 인원수 상관없이 매일 정상 출조합니다~^^ 010-8422-0866 file 무창포아파치피싱 2024.04.23 143
81741 홍원항[우리호] 4/23일 다잡아 오픈!! 짬낚시 다녀왔습니다. file 홍원뱅크낚시 2024.04.23 218
» 4/22 신조선 [군산 뚱스호]_4인 우럭 황제낚시 조황 서군산낚시 2024.04.23 187
81739 4/22. 군산. 세븐호. 야간. 우럭. 11분. 조황. 오늘도. 출조해요. file 군산대한낚시 2024.04.23 158
81738 부안골드피싱호, 4/22 쭈꾸미 조황입니다. 부안골드피싱호 2024.04.23 157
81737 구매항낚시체험 피싱게이트 선단 바하호 4월22일 오후시간배 출항! 태희공주 2024.04.23 85
81736 군산 왕주꾸미, 오늘도 시작~! 쭈꾸미오전/오후반 운영~! 군산 포세이돈호 file 군산낚시프라자[1] 2024.04.23 79
81735 홍단피싱 봄주꾸미 출항 조황!! 홍단피싱 2024.04.23 105
81734 2024년4월22일 까치선장 자이언트호 개우럭,광어 다잡아 (6분) 황제낚시 까치선장 2024.04.23 150
81733 목포감성돔카고 손맛만족합니다 목포신세계갈치낚시 2024.04.23 50
81732 4월22일 부안 한아름호 알쭈 부안한아름호 2024.04.23 131
81731 행복한 낚시여행 태암 2024.04.23 41
81730 목포목화피싱4/22일 감성돔 카고낚시 5짜4짜 굿조황(매일 감성돔낚시 도다리낚시 출조합니다.) 목포목화낚시 2024.04.23 57
81729 4월 22일 월요일 군산 주간반 왕쭈꾸미 조황 군산블루스타호 2024.04.22 118
81728 4월 22일 오천항 길손피싱호 선상낚시 ----- 우럭광어다운샷^^ file 오천항길손피싱호 2024.04.22 128
81727 24.04.22 백사장항 무야호 광어다운샷 8분 조황^^ 안면도마린호 2024.04.22 178
81726 편대채비 소자로 77센티 광어 개인신기록갱신~ 6명 조사님과 월요일 널널한 우럭배낚시 황금백호 2024.04.22 165
81725 22일.군산샤크호 우럭.광어다운샷 조황 내일자리여유 file 군산프로피싱1 2024.04.22 147
목록
Board Pagination Prev 1 ... 313 314 315 316 317 318 319 320 321 322 ... 1681 Next
/ 1681