한국어
(南)남해조황


어부지리바다낚시 내 조황글은 한번만 게시되어야 합니다.
낚시뚜에서 어부지리로 보내는 자동조황
top01.png

삼천포

삼천포 블랙스타

top02.png
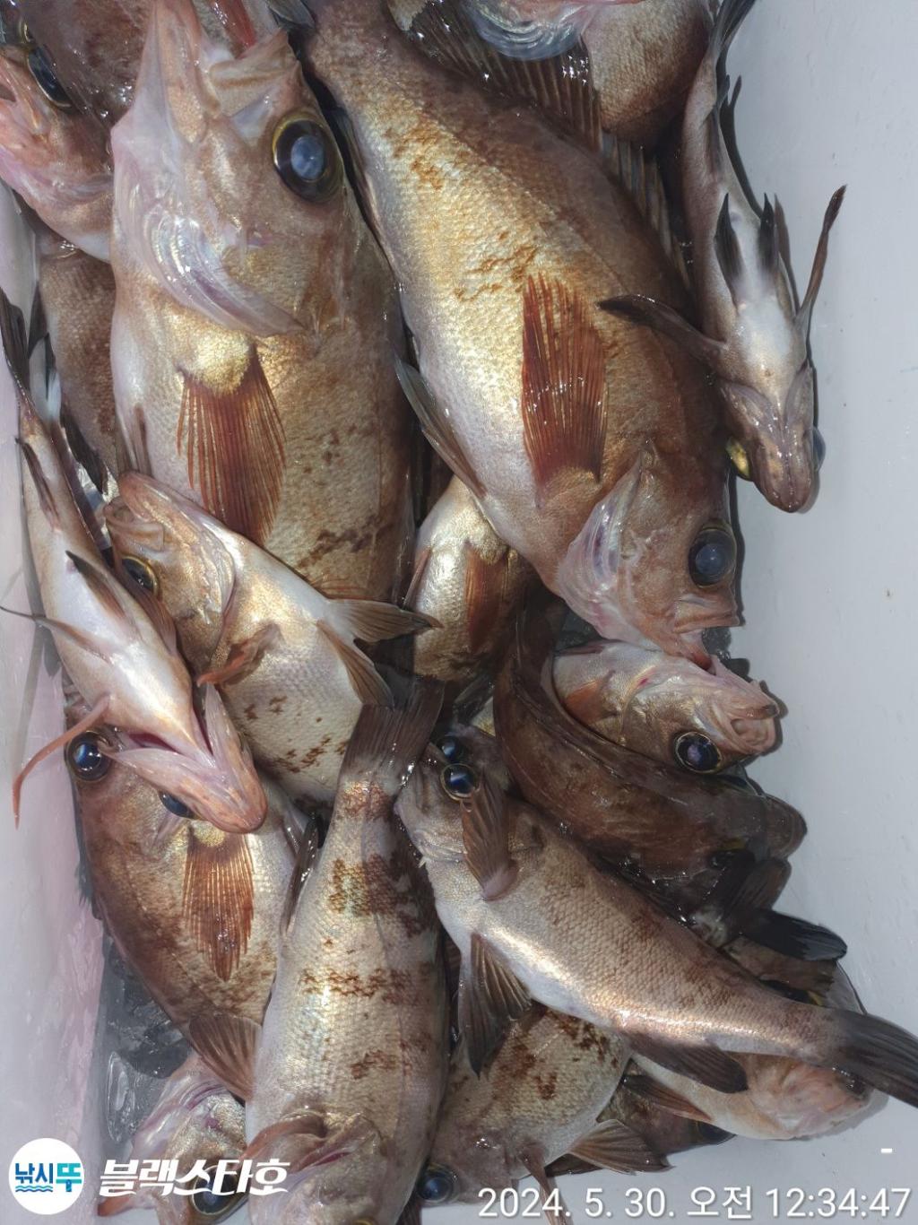
지난밤볼락조황~
금,토 내만권,준내만권 볼락출조
자리여유
· 출조일시2024-05-30(목)
· 출조인원1명
· 어종볼락

20200907.205029.568.M0026326S7.jpg
정판수낚시마트

블랙스타호(22인승)

남해안 No1. 선상낚시전문

볼락|문어|갈치|쭈꾸미|생활낚시 전문

 

055-835-5077~8

010-3845-0377

010-4580-5078

 

경남 사천시 벌리동 한내4길 114

 

농협

897-01-138173

정판수

 

NAVER BAND

바로가기

 

*** 돌문어 출조 ***


출조시간

새벽 5시 정도


선비: 70,000원


출조지

내만,남해,고성,사량도,하동,두미도 등


* 개인 구명동의 지참하시기 바랍니다.

(없으신 조사님은 선내 비치된 구명동의 착용)

* 장비 없으신 조사님들은 그냥 오시면 선내 비치된 장비 

무료사용하시면 됩니다.

* 음료수, 커피, 시원한 문어물회, 물등 무료제공

@@ 가족, 단체, 야유회 등 환영, 남녀노소 누구나 하실수 있습니다.

초보자님도 도전해 보십시오~

언제든지 문의 저화주시면 친절히 답해드리겠습니다.

지난밤볼락출조 두미도 준내만권
마리수 부족했지만 조사님들 열낚하셔서 찐한 손맛보시고 철수했습니다
수고하셨습니다
금,토 내만권 ,준내만권 지난번 조황좋고 다가오는 물때까지좋아
콜~
금요일 16자리여유
토요일 11자리여유
F2395936PC.jpg

F239593596.jpg

F2395934IE.jpg

F2395933L2.jpg

F23959324I.jpg

F2395931YX.jpg

F2395930EJ.jpg

F2395929H1.jpg

F2395928O6.jpg

F2395927CS.jpg

정판수낚시마트

블랙스타호(22인승)

 

남해안 No1. 선상낚시전문

볼락|문어|갈치|쭈꾸미|생활낚시 전문


055-835-5077~8

010-3845-0377

010-4580-5078

 

경남 사천시 벌리동 한내4길 114

 

농협

897-01-138173

정판수

 

(승선시 지켜야할 사항)

1.신분증 필히 챙겨오세요

2.선내 승객 음주:과태료 100만원

3.구명복 필히 착용하십시요

미착용시 과태료 100만원

4.술 반입 절대 삼가

 

네비게이션주소: 경남 사천시 벌리동 497-8

(사천시문화예술회관 맞은편)

 

삼천포 블랙스타호

055-835-5077~8

010-3845-0377

010-4580-5078


홈페이지 바로가기 

네비주소 :경상남도 사천시 벌리동 497-8(한내4길 114)

예약문의

010-3845-0377

농협

897-01-138173

정판수

F1036426YZ.jpg

삼천포

삼천포 블랙스타

정판수 선장

F1039445OC.jpg
항구명 삼천포 팔포항
승선인원 20명
출조점명 삼천포 블랙스타
배 타는 곳경남 사천시 벌리동 497-8
홈페이지 바로가기 Click
낚시뚜

Who's 정판수낚시마트(블랙스타호)

profile

List of Articles
번호 제목 글쓴이 날짜 조회 수
211173 (선비 빅 이벤트 3만원) 5월 31일 야간 왕대낙지 실시간 조황 사천스피드피싱 2024.05.31 27
211172 31일 입항 한치 조황 입니다... 월요일부터 자리여유 여수킹몬스터호 2024.05.31 51
211171 내일 낙지낚시 2자리가능합니딘ㅡ배앞4시30분까지 예약이나 문자후오심됩니다 여수그랜드맥스호(여수) 2024.05.31 11
211170 - 여수 히트호 - 2일 (일요일)부터 외수질 출항 자리여유 (평일선비 10만원) 여수(히트호) 2024.05.31 24
211169 외수질 생미끼 붉바리 대박조황입니다(05월31일) 자리가 부족하오니 미리 예약하세요 고흥바다낚시114 2024.05.31 48
211168 참돔 흘림 65급 1마리 60급 2마리 50~40마릿수 출동 가능합니다. 대성호캡틴 2024.05.31 24
211167 [고흥베테랑호] 붉바리외수질 출조 모집합니다. 고흥베테랑호 2024.05.31 34
211166 대포 ~ 대포 한치가 터져요 보아스호 2024.05.31 32
211165 5/31 바디의날 ㅡ오동통한 대낙지조황입니다.ㅡ일욜2자리여유!! 여수추적자호 2024.05.31 13
211164 감성돔 " 삼천포해모수호 2024.05.31 11
211163 [고흥피쉬헌터호] 붉바리~~~!! 고흥피쉬헌터호 2024.05.31 33
211162 대포한치 대포부터 중치까지 연신 흔들흔들 일.월 예약가능합니다 진해은하피싱 2024.05.31 35
211161 31일 붉바리조황 판혁 2024.05.31 28
211160 <여수광성호>기분좋은 날씨에 한치조황도 기분좋게 성공 여수돌산광성호 2024.05.31 33
211159 진프로피싱 5/31일 외수질 비교불가 조황입니다!! 진프로피싱 2024.05.31 53
211158 외수질 출조 여수포인트호 2024.05.31 36
211157 붉바리외수질 조황~ 1고흥녹동장보고호1 2024.05.31 38
211156 내일 붉바리외수질 출조합니다(자리여유) 녹동빅원호 2024.05.31 18
211155 5월 31일 금요일 외수질 다잡아조황입니다 장흥회진블루마린호 2024.05.31 18
211154 (곤리 풍화)궁항레저 자연산 대물참돔 마리수 조황 궁항레져 2024.05.31 13
211153 여수투에스호) 농어외수질 출조합니다. 2인이상 무조건 나갑니다^^ file 여수투에스 2024.05.31 16
211152 민어 시즌 스타트!! 8짜 7짜!! 고흥나로도이스크라호 2024.05.31 38
211151 31일 금요일 붉바리 외수질 조황입니다. 통영7톤스텔라호 2024.05.31 26
211150 토요일 볼락잡으로 가입시더~ 정판수낚시마트(블랙스타호) 2024.05.31 16
211149 5월31일 낙지낚시 여수골드로저호 2024.05.31 24
211148 왕한치 주중 선비 10만원 빅이벤트~~ (일욜 예약 가능) file 나드리 2024.05.31 21
211147 완도 캡틴이프로호 한치 잭팟터짐 세자릿수 너무아쉽 최대90마리 !!! 한치항시모집!! file 완도이프로호 2024.05.31 27
211146 참돔꼬라박기 6짜외 조황입니다 금바다피싱 2024.05.31 16
211145 여수 드래곤호 민어 붉바리 조황 월요일부터 자리 여유있으니 연락주세요 이벤트가로 모십니다 여수드래곤호 2024.05.31 19
211144 참돔흘림 대물들 원줄 와라락~와라락 합니다. 거제오로라 2024.05.31 10
211143 여수진영호) 토요일 백조기 자리여유 있습니다! file 여수진영호 2024.05.31 23
211142 통영(풍화리)새풍화레저 참돔 꼬라박기 조황 file 새풍화레저 2024.05.31 16
211141 삼천포 광용호 7월 돌문어 출조예약받습니다~! file 광용호 2024.05.31 15
211140 ( 따봉호 ) 야간 대낙지 . 매일출조 합니다(선비5만) ~ 7월 돌문어 예약받습니다 따봉피싱 2024.05.31 14
211139 녹동금강호왕밤볼락조항 녹동금강피싱 2024.05.31 58
211138 먼바다 한치 먹물 폭탄 대포급 한치조황 일요일부터 예약가능 개성피싱 2024.05.31 31
211137 경동레저(신광) 참돔 우럭 백조기 조황 신광레져 2024.05.31 12
211136 참돔!!흘림!연일 대물7짜,6짜 참돔들 마릿수엄청납니다.예약가능 file 가조도영웅선외기뎃마 2024.05.31 11
211135 주,야 갑오징어 빅이벤트 선비3만원~ 신가피싱 2024.05.31 34
211134 풍화리 선외기의 참돔 조황 풍화수양레저 2024.05.31 12
211133 감성돔 금어기끝~~내일 출조합니다^^예약가능해요 file 거제용진호 2024.05.31 9
211132 화살촉오징어 ㅡ시즌 임박.손맛보러 갑니다(예약가능) 진해출조호 2024.05.31 20
211131 (선비 3만원) 주간 갑오징어 / 야간 왕낙지 출조 (선수모집) 사천스피드피싱 2024.05.31 18
211130 [진해/덕성호] 30일 "왕한치" 36센티 대포까지!! 쿨러 묵직합니다~(일요일부터예약가능/010-7660-2435) file 덕성호 2024.05.31 20
211129 윈도권 참돔 흘림 조황입니다 통영가람피싱 2024.05.31 7
211128 2일 일요일 한치갈치 병행낚시 3자리여유 있습니다 여수아라피싱 2024.05.31 25
211127 금어기 끝~대물 감성돔 고고싱(선예약중) 삼천포해모수호 2024.05.31 9
211126 삼천포 야간낙지, 오늘도출조 자리여유 선비5만 더블케이호 2024.05.31 10
211125 대포왕한치 씨알끝네주고, 일,월,화,수,목,금,쭉,예약가 진해대성낚시 2024.05.31 24
211124 황금물때주말 외수질출항합니다 녹동백룡호 2024.05.31 30
211123 왕한치[31일]3피~쌍피~대포급들~먹물~쫙쫙~월/화/수~예약가능합니다 엿쟁이낚시 2024.05.31 28
211122 주말 참돔흘림 선수모집합니다 Fm낚시 2024.05.31 7
211121 화살촉오징어 오늘1자리 예약가능 대한민국호 2024.05.31 14
211120 삼천포 마린보이 고급횟감 맛난 붉바리 다잡아 외수질 출항 합니다 ^^ 사천마린보이 2024.05.31 24
211119 한치,대,중,소 썩어,100수가,보인다,(일요일,15시출항확정) 삼덕레저호 2024.05.31 28
211118 31일 대포한치~빗속에 먹물사랑~일요일부터 예약가능 진해고고피싱 2024.05.31 30
211117 여수진영호) 토요일 일요일 백조기 출조합니다! 자리있네요^^ file 여수진영호 2024.05.31 22
211116 야간낙지 싸이즈 땡큐 오늘왕낙지 출조 예약 접수중 창영호 2024.05.31 9
211115 토요일 오후 밤뽈락 덜덜 여수임마누엘호 2024.05.31 34
211114 거제펠릭스호] 대포 한치 공략기!!! 무늬 오징어 퍽퍽!! file 거제펠릭스호 2024.05.31 24
211113 31일,씨알좋은 왕한치 먹물손맛,일요일 자리여유(일,월,화,수~예약가능) file 진해반도낚시 2024.05.31 23
211112 먹물잔치 왕한치 퍽퍽퍽 쿨러묵직(일,월,화,수,목예약가능) file 여명피싱 2024.05.31 29
211111 원도권 갑오징어 (자리여유) 블랙드래곤 2024.05.31 13
211110 [[왕대포한치]]노다지 퍼퍼담아보입시다 일.월오후4시(에약가능 file 짱피싱 2024.05.31 42
211109 먼바다로 한치 출항다녀왔습니다 씨알도 마릿수도 잘나오내요 ~//일요일부터자리여유이써효~// 통영뉴코리아호 2024.05.31 42
목록
Board Pagination Prev 1 ... 575 576 577 578 579 580 581 582 583 584 ... 3828 Next
/ 3828