한국어
찌낚시조황

- 배너를 클릭하면 해당 출조점의 홈페이지가 열립니다

7일(일요일) 거제도 참돔/부시리 감성돔 흘림 "거제대어1호"(마감)조황입니다.
※ 참돔 68Cm이상(日 1명) 대어낚시&아지카 공동이벤트 최상급원줄 증정!!!

☆8일(월요일) 감성돔낚시 참돔낚시 선외기대여 "예약가능"
(8일 10물, 만조 10:02 / 간조 03:52 15:ㅣ57)
감성돔 대물 5짜외 손맛~문어낚시 7월 9일 OPEN!!!
감성돔낚시/돌문어낚시(7월 9일)참돔낚시/선외기 대여/생활낚시/숙박시설 OK!!!
  • 사용자가 올린 이미지

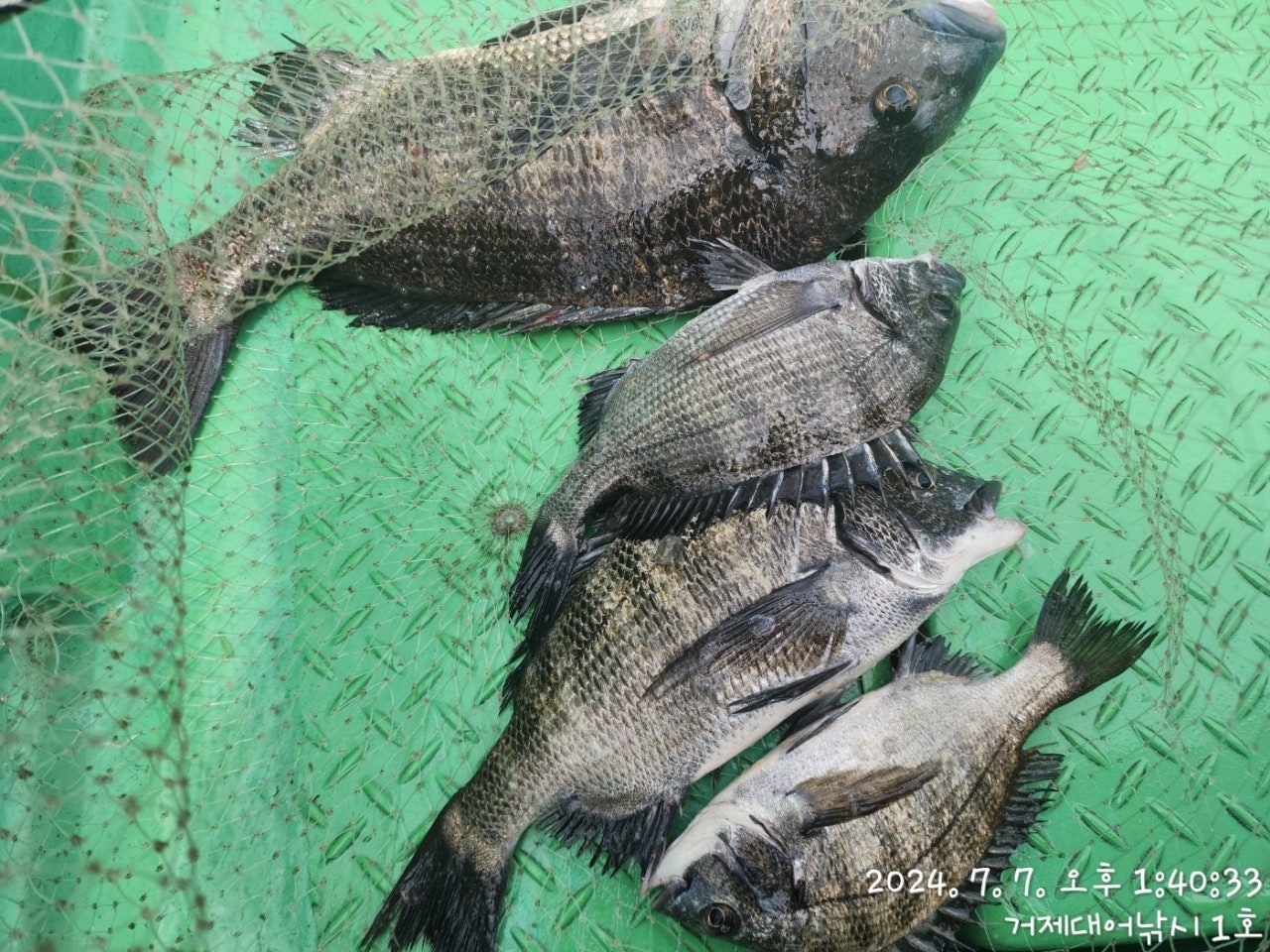
거제대어낚시1호입니다.
해무가 자욱한 거제도 어초권 포인트, 감성돔 흘림낚시 진입했습니다. 역시~
어초에는 이미 대형급들이 진입한 상황, 감당하기 힘들 정도의 강력한 사이즈의
감성돔이 덤벼 들었고, 대형급 4방 터지고, 굵은 대물 감성돔 5짜외 손맛을
볼 수 있었고, 예보보다 조금 더 강한 바람과 같은 악조건에도 짜릿하게 손맛
즐기시고 오셨습니다.

8일 화요일 내일도 감성돔흘림 출조하고, 예약 가능합니다.
오늘도 거제 대어낚시를 찾아 주신 조사님 수고 많으셨습니다.

▣ 거제대어낚시 돌문어/감성돔/참돔부시리/선외기대여 일정 안내 ▣
★숙박+낚시배를 동시에 이용하고자 하는 분들은 할인 혜택 적용.
☆8일(월) 10물/ 거제도 감성돔낚시/참돔낚시/선외기낚시 "예약가능
▣ 돌문어낚시(7월 9일부터 개막) OPEN!!!
☆9일(화) 11물/ 돌문어낚시 감성돔낚시 참돔낚시 선외기낚시 "예약가능
☆10일(수) 12물/ 돌문어낚시 감성돔낚시 참돔낚시 선외기낚시 "예약가능
☆11일(목) 13물/ 돌문어낚시 감성돔낚시 참돔낚시 선외기낚시 "예약가능
☆12일(금) 14물/ 돌문어낚시 감성돔낚시 참돔낚시 선외기낚시 "예약가능
☆13일(토) 조금/ 돌문어낚시 감성돔낚시 참돔낚시 선외기낚시 "예약가능
※ 좋은 포인트 선정을 위해 예약을 미리미리 서둘러 주십시요.

거제대어낚시 선상낚시 예약(독채 민박)
문의 ☎ 010-6400-2082 / ☎ 010-454-393
ㅁ선외기 예약: ☎ 010-6400-2082
■ 밴드: https://band.us/@geojedaeeofishing
  • 사용자가 올린 이미지
  • 사용자가 올린 이미지
  • 사용자가 올린 이미지
  • 사용자가 올린 이미지
  • 사용자가 올린 이미지
  • 사용자가 올린 이미지
거제대어낚시는 1~8선단을 운영하고 있으며 거제도에서 가장 큰
규모를 자랑합니다. 단체팀/회사팀/기업팀/동호회팀/선상 낚시대회도
가능한 충분한 인원을 수용 가능합니다.

■ 참돔 흘림낚시 (내만권/중장거리 상시 출조)
한나절:새벽부터 ~ 2시까지(유동적) 13만원
- 밑밥,미끼,도시락 제공, 커피, 음료, 생수 제공
(낚싯대) 기본 1.5호~2호대 530(경질대 선호)
(릴) 4000번~6000번. 권사량 150~200미터 추천되는 스피닝릴.
(라인) 원줄 4~6호 플로팅 세미타입, 목줄 후로로카본 100% 4호~6호 선호.
(바늘) 참돔 8~12호, 큐션또는 수중큐션 -2B ~ -5B, 좁쌀봉돌, 스위벨도래
※독배는 시간 조정 가능합니다.

▦ 거제대어낚시 참돔 시상 내역 ▦ 일 1명씩 시상됩니다.
68Cm 이상 - 최상급 원줄 증정

■ 생활낚시 & 낚시체험
- 상시 예약 출조 가능합니다.
- 낚은 고기로 회썰어 드립니다.
- 몸만 오시면 됩니다.(낚싯대, 장비일절제공, 구명복 제공)

■ 선외기 대여
(4인승)- 13만원, (3인승) - 10만원 / (2인승) - 8만원 / (1인승)- 7만원.
영업구역 내 조정면허증 필요 없으므로, 누구나 이용이 가능합니다.
- 선외기 사용교육 3분이면 바로, 운전하실 수 있습니다.

★안전한 독배체제 선상낚시 운영★
- 3인팀, 4인팀, 5인팀, 6인팀, 7인팀으로 다양한 인원으로 독배 운영.
- 코로나19로 부터 안전한 낚시를 즐기기 위해 동행한 분들과 함께 출조.

★대어낚시 선단★
거제 대어낚시 1호 ㅡ 안젤라호
거제 대어낚시 2호 ㅡ 안드레아호
거제 대어낚시 3호 ㅡ 야호(YAHO)
거제 대어낚시 4호 ㅡ 돌핀호
거제 대어낚시 5호 ㅡ 미래호
거제 대어낚시 6호 ㅡ 거제바다호
거제 대어낚시 7호 ㅡ 사랑호
거제 대어낚시 8호 ㅡ 대어호

■ 주변 제휴 민박집 ■
아지랑 민박(단체-독채) ☎010-6400-2082
해송굴구이민박 (단체) ☎010-2545-3755
거제 대어낚시 주변 파라스파찜질방 검색하시면 됩니다.

☎ 거제대어낚시 선상낚시 예약(독채 민박) 문의☎
☎ 010-6400-2082 / ☎ 010-4547-3937
ㅁ선외기: ☎ 010-6400-2082
■ 밴드: https://band.us/@geojedaeeofishing

★찾아오시는길★
※출항지: 거제시 거제면 법동리 1074번지 아지랑경로당 방파제
사무실 :거제시 거제면 서정리 746-3(GS25시편의점)검색하시면 바로 옆 위치
★★★신분증 꼭 지참해주세요★★★
  • 사용자가 올린 이미지

Who's 거제대어낚시

profile
Comment '1'
  • profile
    거제대어낚시 2024.07.07 17:12
    8일 거제도 참돔낚시 감성돔낚시 예약 가능합니다. 감사합니다.

List of Articles
번호 제목 글쓴이 날짜 조회 수
공지 (제목에 실시간* 표기된) 조황은 실시간게시판으로 이동 또는 삭제됩니다 secret 어부지리 2020.09.21 189
20406 참돔(다대포) 터져도 방어9짜 부시리떼 손맛~용진호 핫조황 (16일 예약) 1 부산용진호 2024.07.15 13
20405 안경섬 긴꼬리 조황 입니다 피닉스호 2024.07.15 24
20404 2024년 7월 12일 철수조황입니다 통영퍼펙트호 2024.07.14 15
20403 참돔 7짜급외 참돔떼들 긴꼬리벵에돔 농어 부시리들~람보피싱 핫조황 (15일 예약) 1 람보피싱 2024.07.14 16
20402 내만권 6짜 참돔 외 감성돔 조황입니다...(덴마) file 통영나룻터낚시 2024.07.13 36
20401 ((고성 주인호))주인호 토요일 사량도 돌문어 조황~ file 주인피싱 2024.07.13 10
20400 참돔 7짜급외 참돔떼들 긴꼬리벵에돔 농어 부시리들~람보피싱 핫조황 (15일 예약) 1 람보피싱 2024.07.13 37
20399 5짜4짜3짜 마리수 극상~신성호 핫조황(일요일 문어낚시) 1 신성피싱 2024.07.13 12
20398 (원산도해신호)7월 13일 참돔찌낚시 조황 file 원산도해신호 2024.07.13 59
20397 홍도 부시리 조황 입니다 피닉스호 2024.07.13 29
20396 12일 갯바위 조황 file 격포변산낚시 2024.07.12 26
20395 깊은바당호 7월12일 조황입니다 깊은바당호 2024.07.12 43
20394 (원산도해신호)7월 12일 참돔찌낚시 조황 file 원산도해신호 2024.07.12 44
20393 긴꼬리벵에돔들 부시리들 폭풍입질~람보피싱 핫조황(13일 예약) 1 람보피싱 2024.07.12 13
20392 참돔(욕지도 어초) 6짜급 5짜4짜들 엄청나와요~고성베이호 조황(13일 예약) 1 고성베이호 2024.07.12 12
20391 5짜4짜3짜 넘쳐나요~신성호 핫조황(13일 예약) 1 신성피싱 2024.07.12 17
20390 먼바다 참돔들과 미터급 부시리떼들 폭팔입질~~거제대어낚시 조황(13일 예약) 1 거제대어낚시 2024.07.12 9
20389 가조도권 !!!!감성돔덴마.마릿수조황!!예약가능 file 가조도영웅선외기뎃마 2024.07.12 15
20388 참돔(해금강권 어초) 너울속 5짜4짜외 광어~신성호 핫조황 (12일 예약) 1 신성피싱 2024.07.11 13
20387 5호 목줄팅~마리수 손맛~고성베이호 조황 (12일 예약) 1 고성베이호 2024.07.11 15
20386 (원산도해신호)7월11일 참돔찌낚시 조황 file 원산도해신호 2024.07.11 20
20385 참돔(먼바다)들과 미터급 부시리떼들~거제대어낚시(동영상)조황(12일 예약) 1 거제대어낚시 2024.07.11 21
20384 참돔(먼바다) 대물 72Cm외 5짜 4짜 마리수~람보피싱 핫조황(12일 예약) 1 람보피싱 2024.07.11 19
20383 5호 목줄팅~마리수 손맛~고성베이호 조황 (11일 예약) 1 고성베이호 2024.07.10 24
20382 내만권 감성돔 외 참돔 조황입니다...(덴마) file 통영나룻터낚시 2024.07.10 16
20381 참돔.부시리흘림 나갑니다 통영퍼펙트호 2024.07.10 29
20380 참돔(욕지도 어초) 5호 목줄팅~마리수 손맛~고성베이호 조황 (12일 예약) 고성베이호 2024.07.09 23
20379 참돔(다대포) 터져나가도 대형급 손맛 몸맛까지~용진호 핫조황(11일 예약) 1 부산용진호 2024.07.09 24
» 감성돔(어초) 대형급 4방 팅~ 5짜 대물外~거제대어1호 핫조황(8일 예약) 1 거제대어낚시 2024.07.07 36
20377 내만권 감성돔 조황입니다 file 통영나룻터낚시 2024.07.07 19
20376 참돔(먼바다) 대물 72Cm외 5짜 4짜 마리수~람보피싱 핫조황(기상주시중) 람보피싱 2024.07.06 19
20375 참돔(해금강권 어초) 너울속 5짜4짜외 광어~신성호 핫조황 (8일 예약) 1 신성피싱 2024.07.06 27
20374 참돔(해금강권 어초) 너울속 5짜4짜외 손맛~신성호 핫조황(6일 예약) 신성피싱 2024.07.05 25
20373 참돔(욕지도 어초) 5호 목줄팅~마리수 손맛~고성베이호 조황 (6일 예약) 1 고성베이호 2024.07.05 42
20372 [흘림 낚시] 운수 좋은 날! 긴꼬리.벤자리,참돔 우글우글 빅토리정 2024.07.05 18
20371 참돔.부시리!!흘림! 터트리고 마릿수조황!!.내일예약가능 file 가조도영웅선외기뎃마 2024.07.05 19
20370 참돔(어초) 터지고~5짜 4짜 4짜급 30수 손맛~람보피싱 핫조황(5일 예약) 1 람보피싱 2024.07.04 15
20369 참돔(해금강권 어초) 너울속 5짜4짜외 손맛~신성호 핫조황(5일 예약) 1 신성피싱 2024.07.04 9
20368 욕지권 참돔흘림 다녀왔습니다. 통영가람피싱 2024.07.04 11
20367 참돔(욕지도 어초) 굵은놈들 마리수OK~고성베이호 조황(5일 예약) 고성베이호 2024.07.03 23
목록
Board Pagination Prev 1 ... 135 136 137 138 139 140 141 142 143 144 ... 650 Next
/ 650