한국어
(西)서해조황

- 배너를 클릭하면 해당 출조점의 홈페이지가 열립니다
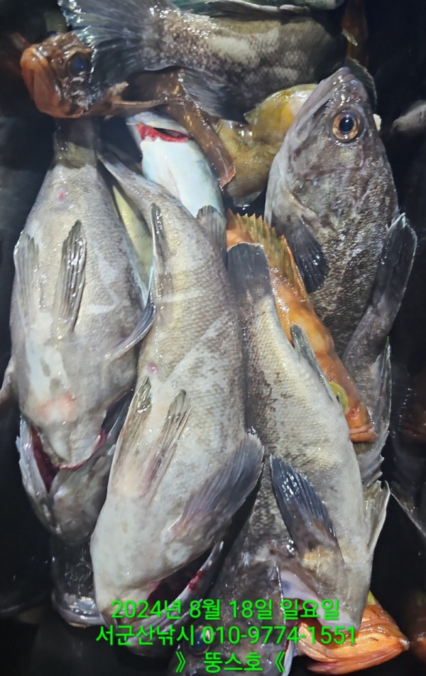
8/17 신조선 [군산 뚱스호]_야간먼바다우럭조황_빵좋은 우럭들이 우수수~!
 
안녕하십니까..
8월 17일 야간먼바다우럭 조황입니다..
초반에 한두마리 올라 오는데
전과는 다른분위기가 느껴졌지만
튼실한 열기와 광어들이 얼굴을 보여주고
진상 고등어가 간간히 올라와주었으며
몇군데서 빵좋은 우럭들이 우수수
나오니 조사님들 정신 없이
잡아주시면서 열낚하고 철수 하였습니다
오늘 오신 조사님 고생 많으셨습니다..

군산 선상낚시, 바다낚시 출조 전문 ☆서군산낚시☆_사진_20240818_36.jpg


군산 선상낚시, 바다낚시 출조 전문 ☆서군산낚시☆_사진_20240818_37.jpg


군산 선상낚시, 바다낚시 출조 전문 ☆서군산낚시☆_사진_20240818_38.jpg


군산 선상낚시, 바다낚시 출조 전문 ☆서군산낚시☆_사진_20240818_39.jpg


군산 선상낚시, 바다낚시 출조 전문 ☆서군산낚시☆_사진_20240818_40.jpg


군산 선상낚시, 바다낚시 출조 전문 ☆서군산낚시☆_사진_20240818_41.jpg


군산 선상낚시, 바다낚시 출조 전문 ☆서군산낚시☆_사진_20240818_42.jpg


군산 선상낚시, 바다낚시 출조 전문 ☆서군산낚시☆_사진_20240818_43.jpg


군산 선상낚시, 바다낚시 출조 전문 ☆서군산낚시☆_사진_20240818_44.jpg


군산 선상낚시, 바다낚시 출조 전문 ☆서군산낚시☆_사진_20240818_45.jpg


군산 선상낚시, 바다낚시 출조 전문 ☆서군산낚시☆_사진_20240818_46.jpg


군산 선상낚시, 바다낚시 출조 전문 ☆서군산낚시☆_사진_20240818_1.jpg


군산 선상낚시, 바다낚시 출조 전문 ☆서군산낚시☆_사진_20240818_2.jpg


군산 선상낚시, 바다낚시 출조 전문 ☆서군산낚시☆_사진_20240818_3.jpg


군산 선상낚시, 바다낚시 출조 전문 ☆서군산낚시☆_사진_20240818_4.jpg


군산 선상낚시, 바다낚시 출조 전문 ☆서군산낚시☆_사진_20240818_5.jpg


군산 선상낚시, 바다낚시 출조 전문 ☆서군산낚시☆_사진_20240818_6.jpg


군산 선상낚시, 바다낚시 출조 전문 ☆서군산낚시☆_사진_20240818_7.jpg


군산 선상낚시, 바다낚시 출조 전문 ☆서군산낚시☆_사진_20240818_8.jpg


군산 선상낚시, 바다낚시 출조 전문 ☆서군산낚시☆_사진_20240818_9.jpg
 


■ 예약문의 : 063-466-6565                   010-9774-1551

■ 오시는길 : 전라북도 군산시 새만금북로277(오식도동 1002)

■ 서군산낚시 실시간 예약 바로가기 :
 http://seo.sunsang24.com/

■ 서군산낚시 밴드 바로가기 : https://band.us/band/78646704


제목을 입력해주세요_-003 (2).png



 

-2

List of Articles
번호 제목 글쓴이 날짜 조회 수
공지 주꾸미는 서해든 먹물게시판이든 1군데만 올려주세요 어부지리 2023.09.02 3040
86840 24.08.18 백사장항 무야호 문어탐사 조황~^^ 안면도마린호 2024.08.18 104
86839 [[ 무창포 전투낚시 ]] 8월 18일 " 이 범 호 " 백조기낚시 조황입니다~!! file 전투낚시 2024.08.18 84
86838 뉴패밀리호 18일 내만권 문어출조 다녀왓습니다 마검포뉴패밀리호 2024.08.18 70
86837 무창포 백조기 No.1 " 프로낚시 " 8 .18( 일 )<<<<< 세 븐 호 >>>>> 백조기 조황보고....010-7409-0070 무창포프로낚시 2024.08.18 75
86836 8월17일 군산 신성호 문어 초대박 조황 군산신성호 2024.08.18 113
86835 부안골드피싱호, 8/18 문어 조황입니다. 부안골드피싱호 2024.08.18 103
86834 군산 " 문어" 압도적인 조황~!! 8/17 연합낚시 2024.08.18 134
86833 [은지피싱][백조기조황]8월18일 이벤트 연일 백조기 쿨러 대박조황 홍원에이스낚시 2024.08.18 89
86832 8월 18일 일요일 군산 뉴 블루스타호 종일반 돌문어 출조 조황 군산블루스타호 2024.08.18 46
86831 레전드호 - 무창포브라보낚시 08/18 왕백조기 3人 쿨러 조황 file 무창포브라보낚시 2024.08.18 80
86830 18일 왕백조기낚시 굿 플러스(19일도 정상출조) 플러스피싱(무창포항) 2024.08.18 48
86829 << 무창포 백조기 조황 >> __ 총각피싱 __ 신 주 호__ 피딩타임 만쿨 조황 입니다!! 잘나오니 반찬 쟁이러 오세요!! 무창포총각피싱 2024.08.18 74
86828 군산문어~망탱이 빵빵합니다~오늘도 대박조황~군산 임마누엘호 file 군산낚시프라자[1] 2024.08.18 88
86827 군산문어~대박조황~탄탄대로~굿굿조황 이어져~내일 문어 오전반 출조합니다~군산 바다하리호 file 군산낚시프라자[1] 2024.08.18 53
86826 [무창포아파치호] 8/18(일) 오늘도 씨알급 왕백조기들로 손맛보고 왔습니다~^^ 다음주 화요일(20일)부터 소수 인원으로 정상 출조합니다. 전화주세요~ 010-8422-0866 무창포아파치피싱 2024.08.18 44
86825 <볼보호> 문어 마무리 굿 조황(볼보호18)-싸이즈, 마릿수 굿 입니다~! 군산원낚시 2024.08.18 61
86824 08/18 격포 남부스타호 문어 조황입니다~!!! file 드래곤피싱 2024.08.18 62
86823 생미끼~오전반~대광어,우럭등 중내만권 생활낚시 조황~~오전/오후반 전문~군산 해신호 file 군산낚시프라자[1] 2024.08.18 39
86822 --------홍원항 어부낚시--------블루오션1호--------8/18 농어외수질 조황 홍원어부낚시 2024.08.18 66
86821 [홍원항][우리호][백조기조황] 8/18일 쿨러가득 씨알좋은 백조기/부서 챙겨왔습니다. file 홍원뱅크낚시 2024.08.18 68
86820 8월18일 홍원갯바위낚시점 뉴아일랜드호 씨알대박 백조기 & 수조기 최대어 상품 이벤트 조황 홍원갯바위낚시 2024.08.18 52
86819 08/18 격포 드래곤 1호 문어 조황입니다~!!! file 격포남부낚시 2024.08.18 59
86818 <자연호> 문어 대박 마무리 조황(자연호18)-내일 주간문어 자연호 자리있습니다 군산원낚시 2024.08.18 60
86817 8/18일 마량해돋이호 씨알좋은 부서 백조기 호조황!!!! file 해돋이낚시 2024.08.18 72
86816 8/18일 홍원항 골드피싱호 부서 백조기 짬 조항 file 홍원ok낚시 2024.08.18 61
86815 부안한아름호 야간문어낚시 부안한아름호 2024.08.18 50
86814 8월18일 군산아라호 문어 13분 대박 군산아라낚시 2024.08.18 93
86813 #[ 무창포 힐링호 ]# 8/17(토) 백조기 조황 무창포힐링호 2024.08.18 38
86812 군산킹스타호 8/17~18 야간문어출조소식 매일감사하기 2024.08.18 35
86811 8월17~18일문어야간조황(시그니처호) 군산시그니처호 2024.08.18 33
86810 격포 블루스카이호 미터민어조황!!!! 격포일번지낚시 2024.08.18 104
86809 오전반 문어~기막힌 대박~문어가 많기는 많아요~내일도 갑니다~오전/오후반출조~군산 다크호스호 file 군산낚시프라자[1] 2024.08.18 63
86808 군산 베니스호 먼바다 다잡아( 고등어,삼치,갈치) 조황 2024.8.17 군산베니스호 2024.08.18 73
86807 8/16 야간문어낚시 조황 블핑짱 2024.08.18 75
86806 17일 뉴라이브호 야간문어낚시 굵은놈으로만 뜯어왔어요 망태기가 터지려합니다~~ 군산뉴라이브호 2024.08.18 67
86805 군산문어 선단마다 풍어가~오늘도 야간문어출조합니다~! 군산 동방피싱호 file 군산낚시프라자[1] 2024.08.18 107
86804 <썬스타호> 문어 오전 마무리 조황(썬스타호18)-금일 야간 문어 자리있습니다. 군산원낚시 2024.08.18 60
86803 08/17 격포 드래곤 1호 야간 문어 조황입니다~!!! file 격포남부낚시 2024.08.18 52
» 8/17 신조선 [군산 뚱스호]_야간먼바다우럭조황_빵좋은 우럭들이 우수수~! 서군산낚시 2024.08.18 68
86801 8/17 신조선 [군산 갤럭시호]_야간 삼치&고등어 조황_내일도 여유자리 있습니다. 서군산낚시 2024.08.18 58
86800 8/18. 실시간. 대광어들. 뉴-발리호.싸이즈 굿. 마릿수 굿. 내일. 정상출. file 군산뉴발리호 2024.08.18 60
86799 오전반 문어도 이정도면~잘나온거 아닌가요~? 오후반 오늘도 출조~군산 스마트호 file 군산낚시프라자[1] 2024.08.18 42
86798 17일 목포강태공호 갈치낚시 조황입니다 목포강태공호 2024.08.18 21
86797 에르메스호 8월17일 주간문어 대박조황 군산에르메스호 2024.08.18 22
86796 군산야간문어~끝내주는 대박 조황~빵빵한 망탱이들~오늘도 야간문어출조~군산 썬쿠르즈호 file 군산낚시프라자[1] 2024.08.18 38
86795 [목포갈치낚시] 17일 내만갈치 조황입니다 목포포인트 2024.08.18 16
86794 [목포바지선갈치낚시] 17일 바지선 갈치 조황입니다 목포포인트 2024.08.18 12
86793 8월17일(토,5물) 마량항정우레져호 왕백조기/부세조황입니다 ^^ file 정우레져 2024.08.18 74
86792 목포낚시 야간갈치조황 목포신세계갈치낚시 2024.08.18 31
86791 목포목화피싱8/17일 내만 갈치낚시 사이즈 3지급 많이 나옵니다.(주간 감성돔낚시,민어낚시,갈치낚시,쭈꾸미낚시 출조 미리예약중) 목포목화낚시 2024.08.18 12
86790 17-18일 군산 블랙펄 1호 야간문어 초대박 file 비응항블랙펄호 2024.08.18 70
86789 군산 프로호 8월17일 문어400수 오버 조황입니다!! 군산프로호 2024.08.18 64
86788 군산문어 오늘도 꾸준히 나오네요~실시간~! 야간반 문어출조~ 군산 그랜드호 file 군산낚시프라자[1] 2024.08.18 24
86787 8월17일 에이스호 민어 사이즈,마릿수 대박 조황입니다. 변산레저낚시 2024.08.18 63
86786 오전반 군산문어~나오고 있어요~실시간~오후반 오늘도 출조~군산 다크호스호 file 군산낚시프라자[1] 2024.08.18 15
86785 군산해무니호! 문어 Good 조황입니다!8/17 군산해무니호 2024.08.18 35
86784 군산야간문어~미친 조황~굿굿~오늘도 야간출조~군산권 문어낚시 탑~군산 범고래호 file 군산낚시프라자[1] 2024.08.18 42
86783 17일 군산야간문어 망태기 무겁게 손맛 찐하게 보고 왔습니다!! -새만금낚시 이배다호- file 새만금낚시 2024.08.18 41
86782 군산야간문어~대히트~~확실한 대박~오늘도 야간문어출조~군산 챔피언호 file 군산낚시프라자[1] 2024.08.18 22
86781 군산야간문어~날마다 대박행진~싸이즈대박~야간문어 출조~군산권 문어낚시명가~군산 웅비 1호 file 군산낚시프라자[1] 2024.08.18 18
목록
Board Pagination Prev 1 ... 231 232 233 234 235 236 237 238 239 240 ... 1683 Next
/ 1683