한국어
(西)서해조황

- 배너를 클릭하면 해당 출조점의 홈페이지가 열립니다
profile
조회 수 99 댓글 0
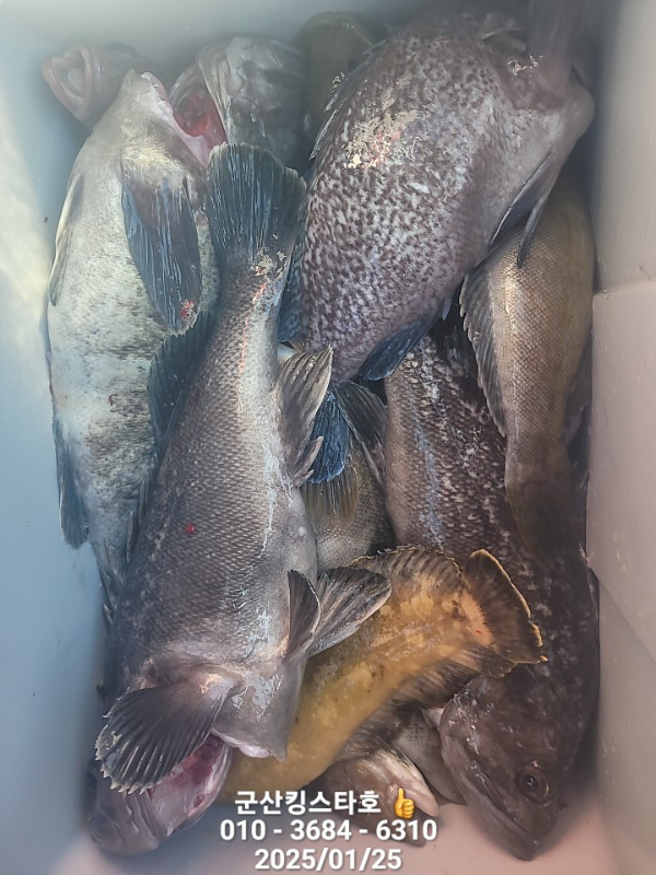
군산킹스타호 
1/25(토) 우럭 마무리소식

금일
찾아주신 조사님들 모시고 
먼바다 우럭낚시 출조~

변동된 예보로
너울이 좀 있다보니
멀미하시는분들도 많으시고~~

우럭채비로 준비해오셔야하는데 
채비를 잘 못 가져오신분도 계셔서
오후에는 낚시가 안되서 쉬시는분도 계셨고~~

채비 여유있게 잘 준비해주셔요~

큰 갈치쿨러는 권하지않지만
그래도
작은쿨러라도 선상으로 가져오셔요.....
차에다 두시지 말고~

오실때
낚시대도 다시한번 점검부탁드리구요~~

찾아주신 조사님들
오늘 수고많으셨읍니다.

출조계획 있으신분들은 참고하시어 
군산킹스타호 홈페이지로 예약하시기 바랍니다.
PhotoCollage_1737802607112.jpg

PhotoCollage_1737804186166.jpg


PhotoCollage_1737804049553.jpg

BandPhoto_2025_01_25_19_45_10_20.jpg


BandPhoto_2025_01_25_19_45_10_22.jpg


BandPhoto_2025_01_25_19_45_10_24.jpg


BandPhoto_2025_01_25_19_45_10_26.jpg


BandPhoto_2025_01_25_19_45_10_28.jpg


BandPhoto_2025_01_25_19_45_10_21.jpg


BandPhoto_2025_01_25_19_45_10_31.jpg


BandPhoto_2025_01_25_19_45_10_23.jpg


BandPhoto_2025_01_25_19_45_10_30.jpg


BandPhoto_2025_01_25_19_45_10_29.jpg


BandPhoto_2025_01_25_19_45_10_27.jpg


BandPhoto_2025_01_25_19_45_10_34.jpg


BandPhoto_2025_01_25_19_45_10_32.jpg


BandPhoto_2025_01_25_19_45_10_33.jpg


BandPhoto_2025_01_25_19_45_10_25.jpg

BandPhoto_2025_01_25_19_45_10_35.jpg


BandPhoto_2025_01_25_19_45_10_36.jpg

 
출조문의 (선장님)
    010 - 3684 - 6310
전화예약(군산킹스타호담당)
 010 - 4996 - 6311
  

군산킹스타호 예약 (바로가기 )
 
 

군산킹스타호 밴드 (초대)
 
Screenshot_20210410-082006_KakaoTalk.jpg

















 
blank.png3


Who's 매일감사하기

profile

List of Articles
번호 제목 글쓴이 날짜 조회 수
공지 주꾸미는 서해든 먹물게시판이든 1군데만 올려주세요 어부지리 2023.09.02 2941
93089 <<<일오삼호>>> 씨알좋은 왕열기 많이 잡고 왔습니다~~~ file 일오삼호 2025.02.10 911
93088 [여수-진도 뉴한사리호] 왕열기&우럭 쿨러만만땅!! file 뉴한사리호 2025.02.10 848
93087 원도권~개우럭,쌍걸이등~실시간~특별한 상품이벤트실시~!! 내일도 갑니다~군산 범고래호 file 군산낚시프라자[1] 2025.02.10 487
93086 먼바다~개우럭등 싸이즈 굿~~실시간~특별한 상품이벤트실시~!! 내일도 갑니다~군산 하이원호 file 군산낚시프라자[1] 2025.02.10 358
93085 <레인보우호> 주간~어초/침선 우럭 마무리조황 (2일) 군산원낚시 2025.02.02 729
93084 <레인보우호> 어초/침선 우럭 실시간 조황(2일) 군산원낚시 2025.02.02 566
93083 1월 25일 격포럭키스타 우럭조황 럭키스타 2025.02.01 830
93082 열기.우럭 조황 진도태양호 2025.01.31 954
93081 진도토너먼트호)1월30일 대방어.부시리 전동지깅 출조조황~2월왕열기,왕우럭 출조모집합니다~ file 진도토너먼트호 2025.01.30 869
93080 진도 레전드피싱일요일 좋은조황으로 다녀왔읍니다.2월부터 자리여유 많이 있읍니다. 진도레전드 2025.01.29 933
93079 먼바다 침선어초~개우럭,열기등~군산 홈런호 file 군산낚시프라자[1] 2025.01.29 989
93078 군산 내만권 반나절 우럭등 조황~군산 김대영호 file 군산낚시프라자[1] 2025.01.29 384
93077 군산어락행호 먼바다 우럭 쿨러 조황 1.26 군산어락행낚시 2025.01.28 757
93076 뉴-발리호. 먼바다. 우럭. 광어. 굿. 조황. file 군산뉴발리호 2025.01.28 463
93075 01/26 대천항 [ 하이피싱호 ] 라이트지깅(우럭,광어)__[ 문의예약/010-2173-5152 ]__2025년 새해 복 많이 받으세요!! file 대천항하이피싱 2025.01.27 722
93074 01/25 대천항 [ 하이피싱호 ] 라이트지깅(우럭,광어)__[ 문의예약/010-2173-5152 ]__2025년 새해 복 많이 받으세요!! file 대천항하이피싱 2025.01.27 200
93073 01/24 대천항 [ 하이피싱호 ] 라이트지깅(우럭,광어)__[ 문의예약/010-2173-5152 ]__2025년 새해 복 많이 받으세요!! file 대천항하이피싱 2025.01.27 181
93072 01/26 신조선 [군산 태헌호]_우럭(종일반)조황_즐거운 설 연휴 보내세요~! 서군산낚시 2025.01.27 287
93071 01/26 신조선 [군산 닥스호]_우럭,열기(종일반)조황_3짜 왕열기들이 나와주네요~! 서군산낚시 2025.01.27 308
93070 홍원항 [[[ 블랙펄호 ]]] 1월 16일(일) 우럭과 열기 등으로 손맛 보고 찬거리까지 장만하고 왔습니다 2~3월 우럭 라이트지깅 출조합니다! 홍원항블랙펄낚시 2025.01.27 413
93069 1/26일 군산용성호 우럭출조 다녀왔습니다 용성호. 2025.01.27 280
93068 26일 진도피싱랜드 2호 열기,3호 우럭조황 진도피싱랜드 2025.01.27 787
93067 1월26일 군산 강남호 우럭 조황 강남호 2025.01.27 221
93066 1월26일 군산 어청도피싱호 우럭 조황 군산최강피싱 2025.01.27 297
93065 1월25일 군산 어청도피싱호 우럭 조황 군산최강피싱 2025.01.27 132
93064 2025년 1월 25일,26일 주간반 먼바다(직도,흑도) , 중내만 우럭 출조 괜찮다 조황. 군산블루스타호 2025.01.27 164
93063 군산어락행호 먼바다 우럭 쿨러 조황 1.25 군산어락행낚시 2025.01.27 228
93062 1/26 격포해오름호 덩어리우럭 쿨러 조황입니다 격포해오름호 2025.01.27 338
93061 진도시온호 먼바다왕열기 우럭 쿨러가득 조황~~^^새해복많이 받으세요~~^^ file 진도시온호 2025.01.27 437
93060 [ 진도보디가드호 ] ==> 심선장 ==>> 왕열기 쿨러가득!!! 굿 조황입니다. < 새해에도 漁福 충만하시길 바랍니다. > 진도보디가드호 2025.01.27 375
93059 먼바다 우럭 라이트 지깅__ 무창포 짱가호 오늘의 조황~!! 완전 손맛 지대로~!!! 광어 우럭 다잡아!! 무창포총각피싱 2025.01.26 211
93058 25일 토 우럭출조 굿 입니다 마검포뉴패밀리호 2025.01.26 221
93057 <<<일오삼호>>> 씨알좋은 왕우럭 왕열기 많이 잡고 왔습니다~~~~ file 일오삼호 2025.01.26 343
93056 [진도-여수 뉴한사리호] 왕열기&우럭 쿨러만만땅!!초대박입니다~~1/30일출조합니다 file 뉴한사리호 2025.01.26 379
93055 25.01.26 백사장항 무야호 우럭라이트지깅 조황^^ 안면도마린호 2025.01.26 178
93054 진도토너먼트호)1월26일 왕열기,왕우럭 출조조황~씨알~굿 1월30일 대방어출조합니다~자리여유 file 진도토너먼트호 2025.01.26 211
93053 행운호/진도 서망항/ 열기 많이 많이 잡아왔습니당 ^^ 녹동뉴대성호 2025.01.26 454
93052 주간 우럭 발키리호 마무리 조황(발키리26)-새해 복 많이 받으세요~! 군산원낚시 2025.01.26 89
93051 1월26일(일) 군산태평양호 우럭.열기 손맛 보고 돌아왔어요!! 군산태평양호 2025.01.26 114
93050 크라운호 주간 우럭 마무리 조황(크라운26)-새해 복 많이 받으세요~! 군산원낚시 2025.01.26 73
93049 자연호 주간 우럭 마무리 조황(자연호26)-행복한 설연휴 보내세요~! 군산원낚시 2025.01.26 93
93048 [[[신진자연호]]] 1월25일 6짜5짜개우럭대박조황입니다. file 신진자연호 2025.01.26 461
93047 군산킹스타호 1/26 먼바다우럭 실시간 매일감사하기 2025.01.26 170
93046 원도권 침선어초~통통한 개우럭,쌍걸이등~! 군산 범고래호 file 군산낚시프라자[1] 2025.01.26 133
93045 먼바다~개우럭,열기등 쿨러 대박조황~군산 하이원호 file 군산낚시프라자[1] 2025.01.26 189
93044 먼바다 침선어초~개우럭,열기등 굿조황~! 군산 까치리호 file 군산낚시프라자[1] 2025.01.26 125
93043 원도권~우럭이 좋은계절~개우럭 쌍걸이,포걸이등 굿조황~! 군산 바다하리호 file 군산낚시프라자[1] 2025.01.26 73
93042 먼바다~통통한 우럭,열기,광어조황~군산 홈런호 file 군산낚시프라자[1] 2025.01.26 73
93041 군산, 가까운 내만권~우럭,노래미조황~군산 김대영호 file 군산낚시프라자[1] 2025.01.26 96
93040 [[ 무창포 전투낚시 ]] 1월 25일 " 스 텔 스 호 " 우럭 조황입니다 file 전투낚시 2025.01.26 199
93039 1/25. 군산. 뉴-발리호. 먼바다. 우럭. 조황. file 군산뉴발리호 2025.01.26 127
93038 즐거운 낚시~진도시온호 ~^^1인 2쿨러~~봉투에담고~사이즈도좋아 재밋게 낚시하고 입항했어요~~~ file 진도시온호 2025.01.26 311
93037 진도 레전드피싱 왕열기대박.쿨러넘쳐비닐봉투까지담아가셨ㅇ네요.2월부터쭉자리여유많이있읍니다 진도레전드 2025.01.26 284
93036 <<<일오삼호>>>씨알좋은 왕우럭 왕열기 많이 잡고 왔습니다~ file 일오삼호 2025.01.25 231
93035 >>>(진도/여수)태양피싱 1호,2호 1월 25일(토) 우럭 출조 조황// 대장 쿨러 만땅!! 만땅~~// 문의 010-3977-5388 여수태양피싱 2025.01.25 204
93034 진도토너먼트호)1월25일 왕열기,왕우럭출조조황~사이즈굿~~ file 진도토너먼트호 2025.01.25 222
» 군산킹스타호 1/25 우럭 마무리소식 매일감사하기 2025.01.25 99
93032 [ 진도보디가드호 ] ==> #심선장 #왕열기 #쿨러 #가득한 #굿조황 #2월자리여유 많이 있습니다. 진도보디가드호 2025.01.25 204
93031 1/25 격포해오름호 침선우럭 조황입니다 격포해오름호 2025.01.25 224
93030 진도 레전드피싱 어제조황. 씨알좋은 왕열기사냥 다녀왔읍니다.2월 부터 쭉 자리여유 많이 있읍니다.. 진도레전드 2025.01.25 123
목록
Board Pagination Prev 1 ... 117 118 119 120 121 122 123 124 125 126 ... 1673 Next
/ 1673