한국어
(西)서해조황

- 배너를 클릭하면 해당 출조점의 홈페이지가 열립니다
f5f8b52a9d916b77d04cae99f93dff98.jpg

#출조모집 #출조안내 #조황정보 #침선#우럭
#쭈꾸미 #갑오징어 #선상전문 #무창포엔조이호
#010-7434-0058
 

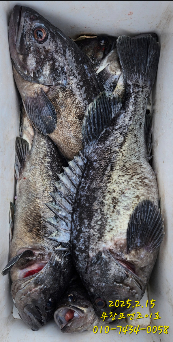
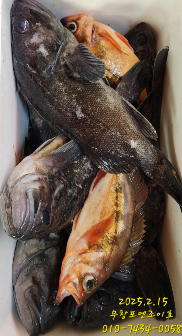
2025.2.15
무창포 엔조이호 소수인원12분을 모시고 먼침선
개우럭&왕열기 출조 잘 다녀왔습니다.
 

사릿물때임에도 씨알좋고 빵좋은 개우럭&왕열기가
낚여 올라왔지만 마릿수가 정~~~~~~~말 아쉬운
하루였네요.
 

싸늘한 날씨에 엔조이호와 하루종일 함께 해주신 우리
조사님들 정말 고생 많으셨습니다.

귀가길 안전운전하시고 즐거운 저녁시간 보내세요.
감사합니다.
1000057535.jpg


1000057238.jpg


1000057179.jpg


1000057183.jpg


1000057184.jpg


1000057182.jpg


1000057181.jpg


1000057177.jpg


1000057180.jpg


1000057229.jpg

1000057227.jpg


1000057233.jpg


1000057230.jpg


1000057234.jpg


1000057236.jpg


1000057189.jpg


1000057211.jpg


1000057204.jpg


1000057210.jpg


1000057190.jpg

1000057226.jpg


1000057188.jpg


1000057535.jpg


1000057238.jpg


Screenshot_20240827_180054_KakaoTalk.jpg


1724749128033-2.jpg


1724749128033-13.jpg


 



=== 무창포 엔조이호 예약문의 ===

■ 출조점 오시는길 : 충남 보령시 웅천읍 무창포로 306-1
■ 출항지 오시는길 : 충청남도 보령시 웅천읍 관당리 무창포항
■ 홈페이지 : http://enjoy.sunsang24.com/
■ 네이버밴드 : https://band.us/band/72045328

■ 엔조이호 예약문의 
예약문의 : 010-7434-0058

blank.png3



List of Articles
번호 제목 글쓴이 날짜 조회 수
공지 주꾸미는 서해든 먹물게시판이든 1군데만 올려주세요 어부지리 2023.09.02 3052
93465 4/9 홍원항 뉴해양호 (봄쭈꾸미) 아톰김선장 2025.04.09 139
93464 부안골드피싱호, 4/9 쭈꾸미 조황입니다. 부안골드피싱호 2025.04.09 157
93463 목포목화피싱 4/8일 도다리 간재미낚시 다녀왔넹요.(기상 좋은날 감성돔낚시 출조합니다.미리예약중) file 목포목화낚시 2025.04.09 48
93462 목포도다리낚시 씨알귥습니다 8일다녀왔습니다 목포신세계갈치낚시 2025.04.09 44
93461 [[[신진자연호]]] 4월8일 쓰리걸이쌍걸이우럭조황입니다. file 신진자연호 2025.04.09 275
93460 [25.04.08 뉴-세븐호] 야간우럭 출조 조황보고! 금일 야간우럭정상출조 자리여유~ 군산세븐호 2025.04.09 103
93459 4/9. 실시간. 군산. 뉴발리호. 우럭. 올라와요. 내일. 출조해요. file 군산뉴발리호 2025.04.09 118
93458 군산주꾸미~싸이즈 좋아요~! 실시간~4/27일, 전국광어낚시대회~내일도 갑니다~군산 뉴라이브호 file 군산낚시프라자[1] 2025.04.09 110
93457 원도권침선,어초~개우럭 쌍걸이등~실시간~4/27일,전국광어대회~!내일도 갑니다~군산 하이원호 file 군산낚시프라자[1] 2025.04.09 100
93456 내만권 야간우럭조황~밤에 낚이는 우럭~4/27일,전국광어대회~오늘도 갑니다~~군산 홈런호 file 군산낚시프라자[1] 2025.04.09 77
93455 < 무 창 포 베 테 랑 피 싱 > [ 베 테 랑 호 ] 4월8일 봄쭈꾸미 마릿수 조황!!! 이정도면 돈벌어가유^^ ㅡ 이번주금요일 [ 가 디 언 호 ] 봄쭈 소수인원 정상출조합니다ㅡ 무창포베테랑피싱 2025.04.09 112
93454 4월 8일 야간 우럭 캐스팅 게임 & 생미끼 조황. 군산블루스타호 2025.04.09 87
93453 야간 우럭 하나호 마무리 조황(하나호8~9)-금일 야간우럭 자리있습니다. file 군산원낚시 2025.04.09 151
93452 안면도 아라온피싱 4월8일알쭈조황 안면도아라온피싱 2025.04.08 161
93451 8일 소수인원 내만권 12시 조기철수 햇네요 굿굿 마검포뉴패밀리호 2025.04.08 184
93450 4월8일무창포뉴아폴로호 7인 봄왕알쭈미조황 아폴로피싱 2025.04.08 84
93449 봄쭈꾸미 모집 (홍원항 뉴해양호) 아톰김선장 2025.04.08 148
93448 대성호/행운호/진도/열기, 우럭 돌풍속에서도 해냅니다 이만큼~^^ 녹동뉴대성호 2025.04.08 265
93447 2025년4월8일(2물) 까치선장 자이언트호 봄 알쭈꾸미(13분) 굿 조황 까치선장 2025.04.08 144
93446 4월8일 남당항 진영호 봄쭈꾸미 조황 남당항진영호 2025.04.08 155
93445 4/8 격포해오름호 먼바다우럭낚시 쿨러 조황입니다 격포해오름호 2025.04.08 206
93444 4/8. 뉴-발리호. 우럭&광어. 생미끼. 조황. file 군산뉴발리호 2025.04.08 148
93443 부안골드피싱호, 4/8 쭈꾸미 조황입니다. 부안골드피싱호 2025.04.08 137
93442 25.04.08 백사장항 무야호 우럭라이트지깅 조황^^ 안면도마린호 2025.04.08 139
93441 [진도-여수 뉴한사리호] 왕열기&우럭 만땅!! file 뉴한사리호 2025.04.08 204
93440 8일 강태공호 도다리낚시 조황입니다 목포강태공호 2025.04.08 60
93439 [목포야타피싱] 8일 도다리&간재미 조황! 야타피싱 2025.04.08 60
93438 4월6일 격포럭키스타 우럭 조황 럭키스타 2025.04.08 168
93437 [[[신진자연호]]] 4월6일 6짜5짜우럭조황입니다 file 신진자연호 2025.04.08 234
93436 4/8. 실시간. 우럭들. 뉴-발리호. 내일. 날씨. 굿. file 군산뉴발리호 2025.04.08 136
93435 4/7 홍원항 뉴해양호 (봄쭈꾸미) 아톰김선장 2025.04.07 290
93434 4/7 격포해오름호 우럭낚시 쿨러 조황입니다 격포해오름호 2025.04.07 325
93433 (뉴~패밀리호) 좋은 날씨에 전원 쿨러 조황으로 다녀왔습니다. file 뉴패밀리호 2025.04.07 284
93432 4/7. 군산. 뉴-발리호. 먼바다. 우럭. 5짜. 쌍걸이. 조황. 내일. 출조해요. file 군산뉴발리호 2025.04.07 227
93431 25.04.07 백사장항 무야호 우럭라이트지깅 조황^^ 안면도마린호 2025.04.07 170
93430 [목포야타피싱] 7일 도다리&간재미 조황! 야타피싱 2025.04.07 66
93429 4/7 홍원항 서도호 ㅡ 봄쭈 짬낚조황 홍원항서도호 2025.04.07 233
93428 킹 알쭈꾸미 사이즈어마어마하다 무창포신나래호 2025.04.07 219
93427 4월 6일 군산 뉴블루스타호 야간 우럭 캐스팅 & 생미끼 낚시 조황. 군산블루스타호 2025.04.07 137
93426 목포목화피싱 4/6일 도다리간재미조황 왕초보분 아들하고 아빠 둘이서잡은 도다리 간재미 보시오 file 목포목화낚시 2025.04.07 105
93425 [목포VIP호] 4월첫째주말 사이즈좋아~마릿수왔다갔다~도다리조황! file 목포VIP낚시 2025.04.07 51
93424 4/7. 굿. 실시간. 먼바다. 개우럭. 뉴-발리호. 내일도. 출동해요. file 군산뉴발리호 2025.04.07 151
93423 6일 우럭출조 다녀왓습니다 마검포뉴패밀리호 2025.04.07 205
93422 6일 주간반 우럭 (6만) 잡고왔너뇨 참바다 2025.04.07 128
93421 6일 일요일 7인 광어 조황~~^^무창포 피싱위너 뉴빅토리호 광어다운샷 예약문의010-6526-6525 file 무창포뉴빅토리호피싱위너선단 2025.04.07 143
93420 :진도권 왕열기/우럭 대장쿨러 조황 사진 입니다/(내일8일(화)밤9시 출발 예약가능,,, file 김해바다낚시출조점 2025.04.07 196
93419 목포도다리체험낚시 제법올라옵니다 목포신세계갈치낚시 2025.04.07 58
93418 [진도왕열기 뉴한사리호] 왕열기&우럭이 쿨러만만땅~~초대박입니다~~3호사진입니다~~ file 뉴한사리호 2025.04.06 278
93417 06일 군산샤크호 우럭.광어다운샷 마리수가 좋습니다 file 군산프로피싱1 2025.04.06 167
93416 4/6. 군산. 똥까호. 광어. 우럭. 다운샷. 생미끼. 탐사. 조황. file 군산대한낚시 2025.04.06 162
93415 4월 6일 오천항 길손피싱호 알주꾸미낚시 탐사^^ file 오천항길손피싱호 2025.04.06 128
93414 대성호/행운호/진도/ 열기+우럭 대박 대박 조황 ~!! ^^ 녹동뉴대성호 2025.04.06 227
93413 군산 베니스호 알쭈탐사 오전피딩 2025.4.6 군산베니스호 2025.04.06 116
93412 진도토너먼트호)왕우럭,왕열기 4월6일 출조조황입니다~~ file 진도토너먼트호 2025.04.06 196
93411 4월 6일 봄 주꾸미조항 오천항싸부호 싸부선장 2025.04.06 118
93410 2025년4월6일(무시) 까치선장 자이언트호 개우럭 다잡아(12분) 굿 조황 까치선장 2025.04.06 113
93409 25년04월06일 대천항봉선장 아이언호 봄쭈꾸미조황 대천항봉선장 2025.04.06 70
93408 오천항 이바다호 4월6인 우럭 라이트지깅 조황 file 이바다호 2025.04.06 85
93407 4월6일 남당항 진영호 봄쭈꾸미조황 남당항진영호 2025.04.06 100
93406 군산킹스타호(4/6)쭈꾸미 마무리 소식 매일감사하기 2025.04.06 117
목록
Board Pagination Prev 1 ... 121 122 123 124 125 126 127 128 129 130 ... 1683 Next
/ 1683