한국어
(南)남해조황


어부지리바다낚시 내 조황글은 한번만 게시되어야 합니다.
낚시뚜에서 어부지리로 보내는 자동조황
top01.png

진해레져피싱

top02.png
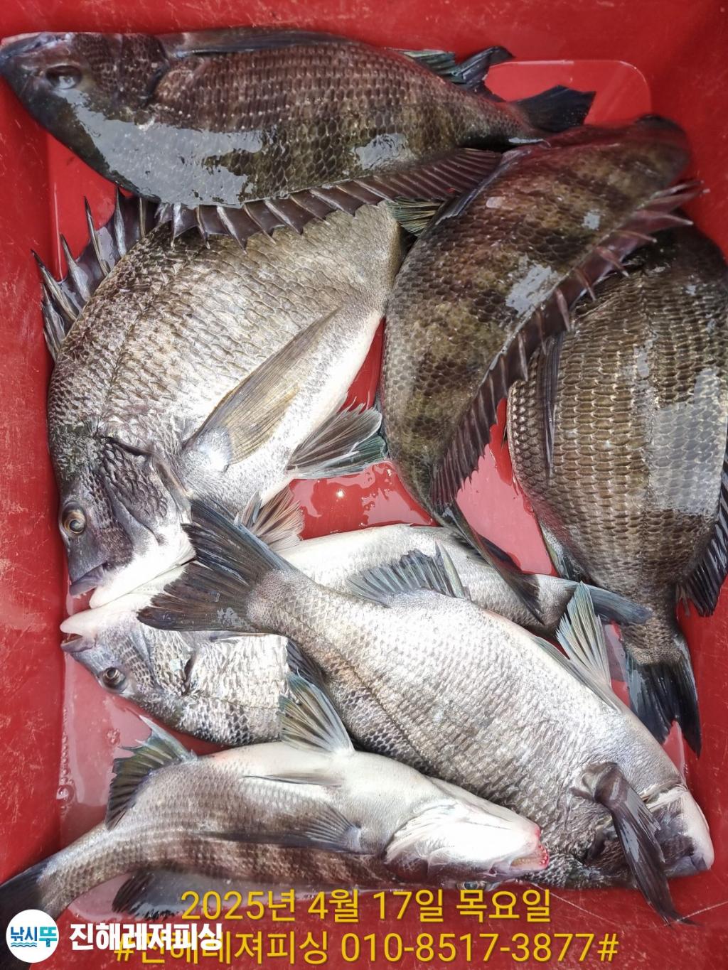
감성돔 (카고)ㅡ마릿수로 손맛 굿굿 .내일 손맛 기대됩니다. 예약가능 문의 ㅡ010-8517-3877 진해레져피싱
· 출조일시2025-04-18(금)
· 출조인원1명
· 어종감성돔
감성돔(카고)ㅡ3분 모시고 출조하여
현재 4짜.3짜급 9수로 손맛 진행중입니다
입질은 시원시원합니다.
내일 예약가능. 물때좋아 손맛 기대됩니다
ㅡ문의 010ㅡ8517ㅡ3877 진해레져피싱
감성돔(카고)ㅡ최근 며칠째 이어지는
호조황속에 5짜.4짜 외 마릿수로 손맛 찐하게 보고왔습니다 (예약가능)
ㅡ감성돔 4월말까지 출조합니다
ㅡ지금부터 다가오는 5월달에는 볼락. 전갱이. 쏨뱅이 출조합니다
●감성돔(카고/흘림)5시출항/10시출항/오후1시출항
●볼락 / (오전6시 출항/ 오후6시출항)
ㅡ문의 ㅡ 010- 8517- 3877ㅡ 진해레져피싱
■■■ 감성돔 ■■■
● 어초.자연여.침선 출조
■(카고/흘림)■ㅡ매일 출조합니다
ㅡ 예약시( 카고/흘림 )인지 말씀해주세요
ㅡ낚시경력 30년 이상 경험과 노하우로 즐거운출조
조황 책임지고 모시겠습니다
ㅡ자리는 추첨제입니다
ㅡ소수인원으로 독배로 출조 가능합니다
ㅡ배타는곳에 가게(매장) 있습니다
주차후 가게(매장)로오셔서 명부 작성하시고
배타시면됩니다
●낚시점,●낚시배 같이 운영하고 있으며 
저렴하게 낚시장비,소품 판매합니다.
#문의ㅡ010-8517-3877. 진해레져피싱
●010ㅡ8517ㅡ3877 (예약문의)
●●ㅡ예약현황(카고/흘림)ㅡ●●
4월19일(토요일)ㅡ예약가능
4월20일(일요일)ㅡ예약가능
쭉 ㅡ예약가능 .
■환불규정■
ㅡ당일.하루전 환불안됨
ㅡ2.3일전 ㅡ50%
ㅡㅡㅡㅡㅡㅡㅡㅡㅡㅡㅡㅡㅡㅡㅡㅡㅡㅡㅡ
■️카고ㅡ선비:밑밥.크릴.옥수수 포함 (12만원)
●감성돔 카고채비
낚시대ㅡ감성돔(2호~3호대).카고대(2호~3호)
릴 ㅡ 4000~6000번.원줄5호~6호.목줄4호~5호
카고망 ㅡ30호~50호. 추가봉돌10호(준비)
바늘 ㅡ5호~7호
■️흘림ㅡ선비ㅡ밑밥+크릴 = 11만원
●대체미끼는 개인 준비
●감성돔 흘림채비
낚시대 -ㅡ감성돔 전용 0.8~1.5호
릴 -ㅡ2000~3000번
원줄ㅡ 2.5~3호/목줄ㅡ2호~3호)
찌 ㅡ 막대찌 2호~3호
바늘 3~5호
ㅡㅡㅡㅡㅡㅡㅡㅡㅡㅡㅡㅡㅡㅡㅡㅡㅡㅡㅡㅡㅡ
ㅡ이틀 연속 출조시 2만원할인 (자리는 선택가능)
( 닻도우미 자리선택가능 )
ㅡㅡㅡㅡㅡㅡㅡㅡㅡㅡㅡㅡㅡㅡㅡㅡㅡㅡㅡㅡ
■■■ 볼락.전갱이.쏨뱅이(거제내만)■■■
ㅡㅡㅡㅡㅡㅡㅡ 출조시간 ㅡㅡㅡㅡㅡㅡㅡ
매일(주간) ㅡ오전6시(오후1시)
매일(야간) ㅡ오후6시(새벽1시)
ㅡㅡㅡㅡㅡㅡㅡㅡㅡㅡㅡㅡㅡㅡㅡㅡㅡㅡㅡ
(주간/야간) ㅡ예약가능
●●● 예약현황 ●●●
4월17일 (목요일)ㅡ야간 ㅡ예약가능
4월18일 (금요일)ㅡ야간 ㅡ예약가능
4월19일 (토요일)ㅡ야간 ㅡ예약가능
4월20일 (일요일)ㅡ야간 ㅡ예약가능
쭉 ㅡ예약가능
ㅡㅡㅡㅡㅡㅡㅡㅡㅡㅡㅡㅡㅡㅡㅡㅡㅡㅡㅡ
ㅡ선비ㅡ8만원(청개비.크릴 포함)
ㅡ외줄(털털이).봉돌30호
ㅡ카고망.밑밥 준비하시면 조과가 더 좋습니다 (별도구입)
ㅡ김밥.컵라면.생수.커피 제공
ㅡ낚시대 대여가능
문의ㅡ010ㅡ8517ㅡ3877
ㅡ지난조황 사진입니다
■배타는곳(가게주소랑일치)ㅡ창원시 진해구 장천동782번지 
■수협 921ㅡ62ㅡ073066 김종호
ㅡ선금 입금후 문자남겨주셔야 예약완료됩니다
밴드 ㅡ https://band.us/n/a5a6AeF7f2F1H
F2659884GB.jpg

F2659883RB.jpg

F2659882I8.jpg

F2659881T1.jpg

F2659880DK.jpg

F2659879UH.jpg

F2659878W2.jpg

F2659877PS.jpg

F26598761K.jpg

진/해/레/져/피/싱

3분이상이면 시간 관계 없이 출조 가능합니다.


문의 : 010-8517-3877

최상급 10톤으로 정원 22명, 수면실,수세식 화장실 깨끗합니다.

(10톤/8톤/5톤) 운영합니다.
네비주소 :창원시 진해구 장천동 712-13

예약문의

010-8517-3877

수협

921-62-073066

김종호

F0136740LR.jpg

진해레져피싱

김종호 선장

F0135796AZ.jpg
항구명 진해1부두항
승선인원 20명
출조점명 진해레져피싱
배 타는 곳장천항 대물낚시오 진해항(제1부두)
홈페이지 바로가기 Click
낚시뚜

Who's 진해출조호

profile

List of Articles
번호 제목 글쓴이 날짜 조회 수
234610 <20일,야간낙지> 낙지A+ 오늘(월)예약중 진해썬플라워 2025.04.21 26
234609 (여수타이슨호) 24일 목요일부터 갑오징어출항합니다~!! 종일반 선비 5만원! 여수타이슨호 2025.04.21 32
234608 통영스카이호""왕뽈락,왕열기,우럭,쏨뱅이""싹다잡아 병행 오늘오후4시출조 예약가능합니다 file 통영스카이호 2025.04.21 64
234607 4짜, 3짜 참돔, 마리수 꾸준한 조황, 토,일 정상출조 합니다. 에코피싱호 2025.04.21 21
234606 통 영 비 너 스 . . . "볼락 시즌 절정 중 "대물급 포인트 집중 공략 내일 오후5시 출항 . . . "예약가능 file 통영비너스 2025.04.20 101
234605 뽈락은 6광구호 / 한치는 ? file 6광구피싱 2025.04.20 72
234604 봄도다리~푸짐합니다~선상횟만찬에 채비 지렁이 모두제공~수요일부터 예약가능합니다 엿쟁이낚시 2025.04.20 31
234603 4월 20일 여수 스카이호 참돔 타이라바 조황 여수스카이 2025.04.20 35
234602 19일 야간낙지 왕낙지들~1.57K문어는 보너스~!!(월요일 예약중) file 진해라코피싱 2025.04.20 25
234601 통영 전투낚시 뉴아트호 4/20(20) 원도권 섬치기 돌문어 다녀왔습니다. 아트호 2025.04.20 31
234600 ((선비5만원)) 야간왕낙지 잡으러 출동합니다 (월,화,수) 예약중 라라피싱 2025.04.20 31
234599 명성호 갯바위조황 해남명성호 2025.04.20 30
234598 붉바리가 괜찮게 나와주기하네요. 외수질 출조 달려보시게요^^ 여수금강피싱 2025.04.20 92
234597 태풍급 바람에도 문어 뜯는 조사님들~! 20일 문어조황 삼천포박프로 2025.04.20 48
234596 유촌 형만레저 선외기 감성돔 조황입니다.내일부터 선외기여유 있습니다 형만호(형만레저) 2025.04.20 23
234595 내만권 5짜,4짜 감성돔 조황입니다...(덴마) file 통영나룻터낚시 2025.04.20 28
234594 내일(월)부터 야간문어 예약가능 (19일20일조황) 진해제네시스호 2025.04.20 28
234593 4월20일 갑오징어 조황입니당! 블레스피싱 2025.04.20 49
234592 4/20(일)ㅡ낮볼락외줄 덜덜이조황!!ㅡ24일(목)까지 황금물때!! ㅡ자리여유있습니다 여수추적자호 2025.04.20 49
234591 ????내만 봄갑오징어출조!!!!! 블루웨이호 2025.04.20 52
234590 제주 구룡호(9DRAGON) 4월 18일~19일 양일간 <<< 야간~ 주간 볼락. 열기 출조 >>>> 제주구룡호 2025.04.20 30
234589 한치 한치 26일 첫출조 야리이까 진해은하피싱 2025.04.20 58
234588 경동레저(신광) 선외기낚시 흘림 감성돔 도다리 조황 신광레져 2025.04.20 24
234587 20일 주간 갑오징어 조황, 오늘 야간 낙지 출조 합니다(출조확정) 삼천포투원호(더블케이3) 2025.04.20 34
234586 [ 여수만진스타호 ] 새벽돌문어 조황입니다 !! <<키로급 돌문어/올라가는 양들>>오늘 밤도 정상출항 6자리여유 !! 여수만진스타호 2025.04.20 45
234585 FM 피싱호(감성돔흘림)~낼(월요일)정상출조합니다 ~예약가능 Fm낚시 2025.04.20 18
234584 (선비4만) 월요일 야간낙지 출조합니다(9자리여유) 따봉피싱 2025.04.20 30
234583 신지 신바다호 52cm 신지신바다 2025.04.20 30
234582 {외줄] 신발짝,왕볼락들,(월요일부터17시출항) 삼덕레저호 2025.04.20 46
234581 <19일,야간낙지>나이스 캐치~!!내일(월~)예약가능 진해썬플라워 2025.04.20 28
234580 봄도다리 19일 조황입니다 예약가능 진해해원피싱 2025.04.20 27
234579 야간 낙지~ 피딩타임~ 2키로 문어는 뽀너스~ 오늘 예약가능~ 진해나래호 2025.04.20 24
234578 먼바다 흘림!!참돔,방어.부시리 마릿수!예약가능 file 가조도영웅선외기뎃마 2025.04.20 16
234577 19일)참돔 타이라바 조황 짙은 안개속에서 4짜 중치급 히트~ 에코피싱호 2025.04.20 16
234576 야간 낙지, 주간 갑오징어 매일출조! 선비4만원할인중 더블케이호 2025.04.20 19
234575 ((선비5만원)) 물때좋은야간낙지 고고씽 오늘 예약중 라라피싱 2025.04.20 35
234574 (여수타이슨호) 내일도 신발짝 갑오징어나갑니다~^^ 종일반 5만원!! 여수타이슨호 2025.04.20 37
234573 ((밤뽈락외줄))내일 월요일 오후5시 어초집중공략 대물들 (예약가능 짱피싱 2025.04.20 55
234572 내일도 내만갑오징어 출항합니다 ~ 선비5만원 ~ 소수 인원도 출항~조만간 쏟아 질때가 됐습니다 ~ 대포알급 갑오징어 손맛 즐기실분들 연락주세요 ~ 여수베테랑피싱 2025.04.20 32
234571 ■ 대물급 돌문어출조 내일두자리여유!! 해그린피싱 2025.04.20 27
234570 참돔 꼬라밖기 통영힐링낚시 2025.04.20 34
234569 볼락조황~ 정판수낚시마트(블랙스타호) 2025.04.20 48
234568 오늘야간낙지 출조 확정 예약 접수중 선비4만원 으로 달립니다 창영호 2025.04.20 41
234567 - 갑오징어 HIT - 내일 (21일) 갑오징어 정상출항 (자리여유) 여수(히트호) 2025.04.20 28
234566 FM피싱호(감성돔흘림)~월요일 ㅡ낼 정상출조합니다 Fm낚시 2025.04.20 20
234565 야간 낙지 보양식 올리고 올리고~~(선비5만원 예약 가능) file 나드리 2025.04.20 16
234564 첼시야낙조하밉닏ㅏ~오늘몇자리여유~ 첼시피싱 2025.04.20 33
234563 통영유림) 20일~ 씨알좋은 왕뽈락조황입니다.오늘예약가능 통영유림피싱 2025.04.20 51
234562 통영스카이호"" 대물 뽈락,왕열기,쏨뱅이,우럭"" 전원 쿨러조황, 오늘휴항,내일부터 오후4시출조 예약가능합니다 file 통영스카이호 2025.04.20 65
234561 심해갈치 출조,왕열기왕볼락,출항,쭉,왕한치 사전 예약가능 진해대성낚시 2025.04.20 33
234560 갈치 썬라이즈 2025.04.20 60
234559 홍도 4월19일 토요일 조황 거제탑포인트낚시 2025.04.20 45
234558 통 영 비 너 스 . . . "볼락 "34cm "대물 " 보물 창고 "1타 "2~4피 여기저기. . . 월요일 오후5시출조....예약가능 file 통영비너스 2025.04.20 95
234557 여수캐스팅피싱호 > 뭐야~ 사이즈가~! 달라도 하루하루 너~~무 다르잖아~!! file 여수캐스팅호 2025.04.19 50
234556 붉바리 첫출조~ 1고흥녹동장보고호1 2025.04.19 88
234555 ((선비5만원)) 야간낙지 주중,주말 출항합니다. (일,월,화) 예약중 라라피싱 2025.04.19 26
234554 (선비4만) 일요일 야간낙지 출조합니다(9자리여유) 따봉피싱 2025.04.19 29
234553 4월17일 대~낙지사냥 댕겨왔습니다 ((낙지사냥은 계속 이어집니다 => 전화주세요)) 팔포피싱1호 2025.04.19 28
234552 [통영에메랄드호] 농어 농어 대전갱이 출현 좋타죠아 통영에메랄드호 2025.04.19 42
234551 [부산 유강피싱] 04월19일 유강호 3자~ 5자 참돔 조황입니다. 부산유강피싱 2025.04.19 33
234550 19일 토요일 앞바다 봄갑오징어 탐사 녹동빅토리호 2025.04.19 53
234549 [여수해호낚시] 싸이즈 좋은 왕볼락으로 주간낚시 손맛보고 돌아왔습니다. 여수해호낚시 2025.04.19 70
234548 [진해도다리낚시] 오늘도 후둑 후둑 활기차게 올라오는 도다리 찐한 손맛 보시며 즐기고왔습니다 ^0^ 진해한바다 2025.04.19 28
234547 거제마리너호)참돔 타이라바 조황입니다!!내일자리널널 뉴마리너호 2025.04.19 26
234546 첤시야낙 계속달립니다~ 첼시피싱 2025.04.19 19
목록
Board Pagination Prev 1 ... 218 219 220 221 222 223 224 225 226 227 ... 3832 Next
/ 3832