한국어
(西)서해조황

- 배너를 클릭하면 해당 출조점의 홈페이지가 열립니다
62458f0d55a3c59fb4dde78f6e7346aa.jpg
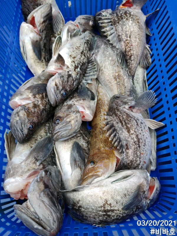
​안녕하세요 오천비바호 선장입니다.
새벽부터 비가오는 궂은 날씨에도 
우리 비바님들은 잘도 잡아내시네요.
여러번의 우당탕도 있었고
느나타임도  있는 신기한 날이었습니다.
최고 41수 평균 15수
10분 정도가 20수 이상
우중에도 신나는 하루였습니다.
TimePhoto_20210320_135510.jpg


TimePhoto_20210320_151244.jpg


TimePhoto_20210320_135919.jpg


TimePhoto_20210320_135556.jpg


TimePhoto_20210320_135144.jpg


TimePhoto_20210320_135215.jpg


TimePhoto_20210320_134955.jpg


TimePhoto_20210320_104332.jpg


TimePhoto_20210320_091005.jpg


TimePhoto_20210320_082033.jpg


TimePhoto_20210320_083930.jpg



확실한 조과, 믿고타는  
비바호로 놀러오세요 ^^


 


===== 비바호 예약안내 =====


안녕하십니까~ 오천 프로낚시 선단 비바호 예약 안내 입니다.

최고의 포인트 탐색으로 멋진 손맛 전해 드리겠습니다
.

■ 예약안내 : 010-5208-6537
 

 

■ 프로낚시 바로가기 : http://ocpro.sunsang24.com/ (오천 프로낚시)

■ 비바호 밴드 : 
https://band.us/@loveviva1/band/68414780 
 

■ 비바호 카페 : http://cafe.naver.com/vivafishing 
 

■ 오시는길 : 충청남도 보령시 오천면 충청수영로 835-2 오천 프로낚시

■ 계좌안내 : 농협은행 / 010-5208-6537-09 / 이종구 

3

5920f1961b0214ce8700c35a0c06767b.gif

List of Articles
번호 제목 글쓴이 날짜 조회 수
공지 주꾸미는 서해든 먹물게시판이든 1군데만 올려주세요 어부지리 2023.09.02 3109
57256 영목항배낚시 피싱게이트 선단 바다생각호 4월25일 오전 낚시체험 출항! 바다생각호 2021.04.26 145
57255 주간짬낚시 우럭 씨알이 좋아요(발키리24)-참돔 오전/오후 출조 안내 군산원낚시 2021.04.26 77
57254 우럭과 노래미 마릿수 손맛(엄지척25)-피싱원 빅밴드 회원모집 군산원낚시 2021.04.26 87
57253 4/25 격포해오름호 농어 손맛보러오세요 ~ 격포해오름호 2021.04.26 292
57252 목포도다리낚시 4월24,25일 최고조황~ file 목포VIP낚시 2021.04.26 59
57251 오후 우럭 굿굿조황(바다호25)-오늘 오후 자리있음 군산원낚시 2021.04.26 90
57250 << 무창포 총각피싱 >> 무창포 헤라호 우럭 조황 입니다~ 놀래미 대 환장 파티~!!!!!! 무창포총각피싱 2021.04.26 258
57249 진도 하온호 4월 25일 조황입니다. file 하온호 2021.04.26 304
57248 4/25(일)무창포 엔조이호 생새우 우럭 출조 조황입니다. 010-90780058 무창포엔조이호 2021.04.26 211
57247 4월25일 대천항 하이피싱호 우럭라이트지깅 우럭낚시 다녀왔습니다__________________[ 대천항 하이피싱 / 010-2173-5152 ]__이벤트안내!!__ 대천항하이피싱 2021.04.25 296
57246 진도토너먼트호 4월25(일) 먼바다 가거도 왕우럭,열기 조황 좋아요 file 진도토너먼트호 2021.04.25 266
57245 2021년4월25일 까치선장 자이언트호 먼바다 개우럭 다잡아 5물 조황 까치선장 2021.04.25 264
57244 #오천항 바이트호 4월25일 대광어 생포작전!! 다녀 왔습니다!! file 섭선장 2021.04.25 248
57243 4월25일, 오천항 물돌이호 우럭조황 물돌이호 2021.04.25 167
57242 홍원어부낚시--- [코리아피싱 (구 블루오션1호)] 4/25 생미끼 조황!! 홍원어부낚시 2021.04.25 181
57241 25일 씨알좋은5짜4짜 대물조황입니다 목포강태공호 2021.04.25 98
57240 [전곡항 왕선장호] 4월 25일 대광어조황입니다.(대광어가 붙기 시작한거 같아유..^^) 왕가 2021.04.25 185
57239 4월25일 군산 강남호 우럭 조황 -- 선비 할인 이벤트 진행중 file 강남호 2021.04.25 125
57238 뉴패밀리호 25 일요일 개우럭 조황입니다 마검포뉴패밀리호 2021.04.25 173
57237 무창포---루키호--- 4월25일(일요일) ---무창포체이스낚시---- 루키호 우럭라이트지깅조황 file 무창포체이스낚시 2021.04.25 153
57236 4월25일 군산 어청도피싱호, 개우럭 조황 file 군산어청도낚시 2021.04.25 213
57235 태안배낚시 피싱게이트 블랙펄호 4월24일 우럭배낚시 출항! 안면도블랙펄 2021.04.25 160
57234 군산시간배 25일 오후배 우럭배낚시 조황! -군산새만금낚시 해신호- file 새만금낚시 2021.04.25 86
57233 4/25. 발리호. 우럭. 광어. 생미끼. 이벤트. 조황. file 군산대한낚시 2021.04.25 116
57232 태안 영목항낚시체험 피싱게이트 선단 바다생각호 4월24일 오후시간배 출항! 바다생각호 2021.04.25 97
57231 [챔피언호] 25일 하루 조황 생새우 외수질 우럭과 노래미들~ 꽤 나와줍니다~ file 군산낚시프라자[1] 2021.04.25 103
57230 태안낚시체험 피싱게이트 선단의 블랙베어호 4월24일 오후출항! 노을바다호 2021.04.25 30
57229 [스마트호] 25일 초보조사팀들 열세분의 우럭 노래미 분투하신날~ file 군산낚시프라자[1] 2021.04.25 55
57228 25일 강태공1호 감성돔낚시입니다 목포강태공호 2021.04.25 31
57227 4월24일 오천항 일복낚시 일복호 8짜 7짜 7짜 7짜 대광어 굿조황~ file 오천일복낚시 2021.04.25 234
57226 4월25일 안흥항청용호 10분초보단체 오전낚시 굿~조황입니다 file 안흥청용호 2021.04.25 148
57225 ll 넘버원2호 ll 04.24 넘버원2호(NO.2) 생미끼 농어 조황 입니다. 격포넘버원피싱 2021.04.25 176
57224 ll 넘버원1호 ll 04.24 넘버원호(NO.1) 생미끼 농어 조황 입니다. 격포넘버원피싱 2021.04.25 158
57223 4/9일오천항영환호우럭조황 file 영환낚시 2021.04.25 105
57222 초보조사님 아침부터 신나는 우럭잔치~! 선비 이벤트중-6만원, 스마트호 file 군산낚시프라자[1] 2021.04.25 96
57221 하이원호는~모로가도 대박~! 열기꽃이 만발~! 서해권 우럭낚시 넘버원~ !! file 군산낚시프라자[1] 2021.04.25 169
57220 [목포감성돔] 24일 찌낚시 씨알 마리수 조황 목포포인트낚시 목포포인트 2021.04.25 67
57219 봄에 낚이는 통통한 우럭들~! 선비이벤트-6만원중~! 대호피싱호 file 군산낚시프라자[1] 2021.04.25 78
57218 4/24 무창포 [피싱마린호] 침선 우럭 조황 무창포선상낚시 2021.04.25 154
57217 참돔 선발대 첫조황(자연호24)-참돔 탐사출조 안내 군산원낚시 2021.04.25 98
57216 4/24. 뉴-발리호. 뚱우럭. 생미끼. 이벤트. 조황. file 군산대한낚시 2021.04.25 121
57215 주간짬낚시 우럭 씨알이 좋아요(발키리24)-참돔 탐사출조 안내 군산원낚시 2021.04.25 43
57214 우럭과 놀래미 손맛 보았습니다(킹스타24)-참돔 탐사출조 안내 군산원낚시 2021.04.25 42
57213 우럭 체면은 세웠네요(코끼리잡는오리온24)-참돔탐사기간(26/월~30/금) 군산원낚시 2021.04.25 59
57212 4월24일 드래곤호 5짜4짜 쌍걸이 우럭 조황 입니다. 서해바다낚시 2021.04.25 145
57211 4월24일 무창포호 (5월 생새우 출조) file 무창포호 2021.04.25 119
57210 4/24 군산믿음낚시 "형제호" 조황 file 군산믿음낚시마트 2021.04.25 74
57209 태안 만대항 상록호 조황정보 file 태안상록호 2021.04.24 109
57208 4월24일 대천항 수호천사호 우럭라이트지깅 12분 조사님 모시고 다녀왔습니다.__________[ 대천항 하이피싱 / 010-2173-5152 ]__이벤트안내!!__ 대천항하이피싱 2021.04.24 109
57207 뉴패밀리호 24 토요일 우럭 조황입니다 마검포뉴패밀리호 2021.04.24 83
57206 4월24일 대천항 하이피싱호 우럭라이트지깅 출조 다녀왔습니다._______________________[ 대천항 하이피싱 / 010-2173-5152 ]__이벤트안내!!__ 대천항하이피싱 2021.04.24 81
57205 4월24일 영목항 오션파티 우럭낚시 칼샷오션스타 2021.04.24 92
57204 태안 안흥항 21년 4월 24일 우럭출조 부흥호 안흥부흥호 2021.04.24 100
57203 4/24(토)무창포 엔조이호 생새우 우럭 출조 조황~~^^010-9078-0058 무창포엔조이호 2021.04.24 113
57202 2021년4월24일 까치선장 자이언트호 먼바다 개우럭 다잡아 조황 까치선장 2021.04.24 96
57201 4월24일 대천항 스페이스호<선경호선장> 우럭 라이트 지깅 조황입니다 ""시즌3호 8짜 대광어 또또또 등장"" 대천항스페이스호 2021.04.24 93
57200 [스마트호] 24일 하루조황 생새우 외수질! 활성도가 올라가고 있습니다~ 맛 좋은 우럭~ 씨알 좋은 우럭~ 쌍걸이~ file 군산낚시프라자[1] 2021.04.24 69
57199 4월 24일 안흥항 바다2호 우럭 조황 입니다. file 어초선장 2021.04.24 93
57198 4월 24일 학성낚시 우럭 조황 file 오천학성낚시 2021.04.24 90
57197 [챔피언호] 24일 하루조황 생새우 외수질! 활성도가 올라가고 있습니다~ 맛 좋은 우럭~ 씨알 좋은 우럭~ 쌍걸이~ file 군산낚시프라자[1] 2021.04.24 47
목록
Board Pagination Prev 1 ... 726 727 728 729 730 731 732 733 734 735 ... 1685 Next
/ 1685