한국어
(西)서해조황

- 배너를 클릭하면 해당 출조점의 홈페이지가 열립니다
fb9bac1acc4c8ead2077e64903f62651.jpg

KakaoTalk_20210403_174304302.jpg


KakaoTalk_20210403_174305453.jpg


KakaoTalk_20210403_174306597.jpg


ㅈㄱ.jpg


ㅈㄱ1.jpg


ㅈㄱ3.jpg


ㅈㄱ4.jpg


ㅈㄱ5.jpg


ㅈㄱ6.jpg


ㅈㄱ7.jpg

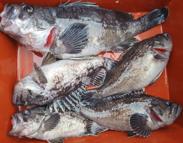
​오전에는 물이 너무 쎄고 탁하더니...오후 들물에는 또 물이 약해서 그런지 우럭은 잘안나오고 놀래미만 계속 나오더니...
철수하기전 우연히 간 포인트에 물이 가기 시작하니 우럭이 잘나와줘 겨우 면피하고 들어온 하루였습니다.

비도오고 하루종일 기온이 낮아 낚시하기 힘든 상황임에도 끝까지 포기하지않고 전투낚시 해주신 8인의 조사님들~^^
수고들 많으셨습니다.(다온호선장은 전투 낚시인들을 사랑합니다.)

차주 우럭 좋은 물때 평일 자리 여유~~~

4월 5일(월) 무시 자리여유
     6일(화) 1물  자리여유
     7일(수) 2물 15자리 여유(기상만 좋으면 인원수 상관없이 무조건 출조)
     8일(목) 3물 자리여유
     9일(금) 4물 자리여유
    10일(토) 5물 마감
    11일(일) 6물 10자리 여유
 





=== 다온호 예약안내 ===

예약문의 : 010-7756-2264
출조점 문의 : 010-9010-6004
오시는길 : 전라북도 군산시 새만금북로 201 오드리피싱
홈페이지 : http://daon.sunsang24.com/ 

다온호 밴드 바로가기 : https://band.us/band/76906927
다온호 블로그 바로가기 : https://blog.naver.com/hione78


99d1c2076032fbc363f8d811e68a4723.jpg
▶ 다온호 선실

f36afb047174549935ca48937d8e4c90.jpg
▶ 전객실 에어컨 설치 완료

fd81d03bc582cfaf2f82787533b20c10.jpg 

▶ 최신 수냉식 냉각기 설치(어창)



3

List of Articles
번호 제목 글쓴이 날짜 조회 수
공지 주꾸미는 서해든 먹물게시판이든 1군데만 올려주세요 어부지리 2023.09.02 2926
56984 영목항낚시체험 피싱게이트 선단 바다생각호 4월17일 오전 출항! 바다생각호 2021.04.17 115
56983 4월 17일 영목항 오션파티 우럭광어 칼샷오션스타 2021.04.17 152
56982 다음주 월요일과 화요일에 주중 출항 확정했습니다 산토스 2021.04.17 89
56981 [성남호] 04월 17일 성남호 5짜~! 4짜~! 우럭 조황입니다. file 안흥성남호 2021.04.17 199
56980 4,17 격포새천년호 농어가 일찍 들어왔네요ㆍ 격포새만금낚시 2021.04.17 282
56979 군산 VIP호 21.4.17 우럭 조황 file 군산VIP호 2021.04.17 136
56978 오천배낚시 오천서해호 우럭 조황입니다 오천배낚시 2021.04.17 127
56977 4월17일 장고항 갈매기호 조황 당진갈매기 2021.04.17 129
56976 4월17일 어해루호(66수)5짜,4짜 우럭 굿조황 태안낚시백화점 2021.04.17 148
56975 [목포감성돔] 17일 감성돔 조황입니다 목포포인트낚시 목포포인트 2021.04.17 43
56974 4/17. 발리호. 광어, 우럭, 바람통속, 생미끼. 조황. 이벤트중. file 군산대한낚시 2021.04.17 124
56973 진도아라온피싱1호3호/우럭.열기 쿨러가득~~!!! 진도아라온1.2.3호 2021.04.17 215
56972 군산시간배 오전배 쌍걸이 우럭선상낚시조황 -군산새만금낚시 해신호- file 새만금낚시 2021.04.17 89
56971 [갈매기호] 17일 아침~ 통통한 우럭과 이 시기 맛 좋은 노래미 그리고 모습 보여주기 시작하는 광어~ file 군산낚시프라자[1] 2021.04.17 147
56970 [임마누엘호] 17일 아침~ 4자 5자 올라오는 개우럭들~ file 군산낚시프라자[1] 2021.04.17 161
56969 목포감성돔낚시 4월16일~홀통대박~ file 목포VIP낚시 2021.04.16 123
56968 목포감성돔낚시4/16일 감성돔카고낚시 전원대박조황[목화피싱] 목포목화낚시 2021.04.16 79
56967 목포 천사피싱 16일 도다리 조황 file 목포천사피싱 2021.04.16 107
56966 [목포감성돔] 16일 감성돔 조황 목포포인트낚시 목포포인트 2021.04.16 103
56965 16일 강태공호 도다리낚시 입니다 목포강태공호 2021.04.16 82
56964 [VIP호] 15일 하루조황 맛좋은 우럭과 광어 그리고 노래미들~ 선비 6만원 이벤트 진행중~ file 군산낚시프라자[1] 2021.04.16 158
56963 격포 넘버원 피싱 15일 농어 조황입니다 . 격포넘버원피싱 2021.04.16 374
56962 우럭 낚시에 문어가 올라오네요(자연호15)-선비이벤트중 군산원낚시 2021.04.16 395
56961 먼바다우럭잔잔한손맛(피싱메카15)-오늘의 할인상품 군산원낚시 2021.04.16 208
56960 <진도 피싱랜드 1호,2호> 4월 15일 우럭, 열기에다가 농어까지 나오기 시작하네요. 쿨러 꽉~ 진도다도해낚시 2021.04.15 404
56959 목포감성돔낚시 4/15일 수온이 떨어져조황부진목화선단] 목포목화낚시 2021.04.15 94
56958 목포도다리낚시 4/15일 70cm짜리 왕도다리 마리수 최고조황[목화피싱] 목포목화낚시 2021.04.15 168
56957 군산 VIP호 21.4.15 우럭 조황 file 군산VIP호 2021.04.15 310
56956 [목포감성돔] 15일 감성돔 조황입니다 목포포인트낚시 목포포인트 2021.04.15 105
56955 4월15일 무창포호 조황(4월25일까지 선비 이밴트 file 무창포호 2021.04.15 326
56954 4/15. 발리호. 광어. 우럭. 생미끼. 8분. 이벤트. 조황. file 군산대한낚시 2021.04.15 251
56953 오전 우럭/ 호조황으로 종일 안부러워(바다호15)-오전/오후출조함 군산원낚시 2021.04.15 235
56952 목포도다리낚시 4월14일 바람과싸워~ file 목포VIP낚시 2021.04.14 194
56951 목포감성돔낚시 4/12일 비바람 기상악화 조기철수[목화피싱] 목포목화낚시 2021.04.13 218
56950 4월11일 드래곤호 5짜4짜 쌍걸이 우럭 조황 입니다. 서해바다낚시 2021.04.13 558
56949 4월11일(어은돌/자연7호/5짜4짜~우럭조황) file 자연5호(어운돌) 2021.04.13 533
56948 4월11일 군산 강남호 우럭 조황 -- 선비 할인 이벤트 진행중 file 강남호 2021.04.13 390
56947 4월달 체험낚시 조황입니다. 줄리아나호 2021.04.13 245
56946 4월11일 오천항 일복낚시 일복호 6분 광어다운샷 탐사 조황보고 (feat 초보자의뇌물ㅋ) file 오천일복낚시 2021.04.12 447
56945 4월11일 군산 강남호 우럭 조황 -- 최강피싱 선비할인 이벤트 진행중 file 군산최강피싱 2021.04.12 394
56944 목포감성돔낚시 4월10,11일 6짜로 만쿨조황 file 목포VIP낚시 2021.04.12 239
56943 목포도다리낚시 4월10,11일 주말씨알좋습니다. file 목포VIP낚시 2021.04.12 183
56942 4/11. 뉴-발리호. 먼바다. 우럭. 조황. file 군산대한낚시 2021.04.12 320
56941 먼바다우럭대박마무리(코끼리잡는오리온11)-오늘의 할인상품 군산원낚시 2021.04.12 486
56940 4/11 군산블랙펄3호 먼바다 선비이벤트 우럭다녀왔습니다. file 비응항블랙펄호 2021.04.12 309
56939 주간짬낚시 우럭 호조황 (발키리11)-10시출항/5만원 군산원낚시 2021.04.12 163
56938 4/10 홍원항 나드리호 우럭 광어 조황 file 홍원항바다낚시 2021.04.12 349
56937 4월11일 군산 아시아호광어다운샷 조황 최강피싱 선단 선비할인 이벤트 file 군산최강피싱 2021.04.12 237
56936 우럭과 놀래미 손맛 보았습니다(킹스타11)-선비할인이벤트 군산원낚시 2021.04.12 125
56935 우럭 잘 나왔어요(자연호11)-참돔 탐사출조시작 군산원낚시 2021.04.12 191
56934 4/10위도피싱 놀래미로 손맛보고 왔습니다. --담주이벤트 할인중 file 위도피싱 2021.04.12 122
56933 군산킹스타호 4/11(일) 우럭소식 file 매일감사하기 2021.04.12 130
56932 4/11 광어도 우럭도 조금씩 보이네요(슈퍼스타호) file KCF(군산코너낚시) 2021.04.12 112
56931 2021.04.11 [군산 다온호] 사릿물 우럭 라이트 지깅 조황 군산다온호 2021.04.12 132
56930 4월10일 군산 강남호 우럭 조황 -- 선비 할인 이벤트 진행중 file 강남호 2021.04.12 93
56929 4월11일 ㅡㅡ오천항 마운틴호ㅡㅡ서해안우럭낙시****굿!!!! 마운틴호 2021.04.12 191
56928 4/11(일)무창포 엔조이호 빵좋은 개우럭들로 대~박 조황 010-9078-0058 무창포엔조이호 2021.04.12 261
56927 11일 강태공2호 감성돔낚시 씨알좋습니다 목포강태공호 2021.04.12 48
56926 2021년4월11일 까치선장 자이언트호 개우럭,광어 다잡아 조황 까치선장 2021.04.11 247
56925 04/11(6물) 격포 남부스타호 격포 내만권 탐사 조황입니다~!! file 격포남부낚시 2021.04.11 237
목록
Board Pagination Prev 1 ... 716 717 718 719 720 721 722 723 724 725 ... 1670 Next
/ 1670