한국어
(東)동해조황

- 배너를 클릭하면 해당 출조점의 홈페이지가 열립니다
낚시뚜에서 어부지리로 보내는 자동조황
top01.png

포항영일만

포항카이져호

top02.png
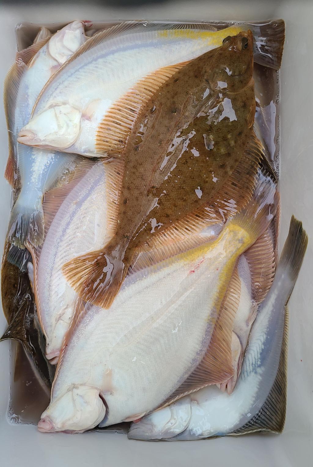
줌마들 사이에 난리난 왕도다리 참가자미 뜨거운 반응~!!
· 출조일시2021-05-30(일)
· 출조인원10명
· 어종도다리

​​포항 NO.1 신신 카이져호


영일 신항만 유일하게  선장 + 사무장 있는 카이져호!


40년 경력의 프로 베테랑 선장님과​


친절한 사무장이 있어 쉽고 편안하게 초보분들도


1:1 가이드를 받을수있습니다.

 

문의전화=010-3534-0917


수협= 0010-3534-0917 황유미

 

경북 포항시 북구 흥해읍 영일만항로 96​

 

NAVER BAND 초대

 

밴드= https://band.us/@sinsin3968 (포항신신낚시,카이져)

 

블로그=https://blog.naver.com/hmchph

 

 

F1308066ID.jpg

F1308057DW.jpg

F1308058N1.jpg

F1308059DX.jpg

F1308060UC.jpg

F13080639G.jpg

F13080610T.jpg

F13080620E.jpg

F1308064FM.jpg

F1308065GO.jpg

F1308104SG.jpg

F1308105TC.jpg

F13081066E.jpg

F1308107BR.jpg

F130810826.jpg

F1308109UQ.jpg

F1308110GI.jpg

F13081117L.jpg

F1308112IO.jpg

F1308113AD.jpg

F1308114EV.jpg

F13081157G.jpg

F1308116CM.jpg

F1308117SB.jpg

F13081189B.jpg

F13081199J.jpg

F1308120UF.jpg

F1308121CK.jpg

F1308122AZ.jpg

F1308123SG.jpg

F13081244P.jpg

F13081252G.jpg

F1308126B7.jpg

F1308127ZR.jpg

F1308129ZV.jpg

F1308130OF.jpg

F13081313M.jpg

F1308132TW.jpg

F1308133X1.jpg

F1308134I9.jpg

F1308135G3.jpg

F1308136PU.jpg

F13081376O.jpg

F1308138S3.jpg

F1308139LL.jpg

F130814053.jpg

F1308141WA.jpg

F1308142OG.jpg

안녕하세요

포항"신신 카이져호"입니다


오늘도 날씨가 화사하이 희안하게 좋습니다~ㅎ

오늘 오전 출항 준비 중입니다


어제 조황 종합 이며 오후 줌마들의 열정적인 고패질로

왕도다리 차가자미를 쓸다 시피~ㅎㅎ


오늘도 날씨가 아주아주 좋습니다

나들이도 하시고 횟꺼리도 장만 하시고,오후에 살~함 나서 보셔요~


자리가 널너리 하이 편안할깁니더~

오후 1시 출발 하니까요 꾹!! 눌러 주세요


아래 번호로요~

편안한 주말 되시구요~


그다음 예약은 내일 월 09시 타임 입니당~♥

 

 

 

 

>> 시즌 왕도다리,참가자미 <<


5/30(일)오후1시(여유저리)


5/31(월)오전 9시(여유자리)


6/1(화)오전 9시(예약중)


​6/2(수)오전 9시(예약중)

 

6/3(목)오전 9시(여유자리)


6/4(금)오전 9시(여유자리)


6/5(토)오전7시(여유자리)​오후(여유자리)


6/6(일)오전 7시(여유자리)



            이후도 쭉 예약 중이며 시간은 상 조건에 따라 변동 될수있습니다

 

★카이져호 겨울시즌 왕볼락,열기 (11~4월)


★카이져호 봄 시즌 도다리,참가자미(4~7월)


★카이져호 여름시즌 대삼치,대방어(7~11월) 


오랜 낚시 40년 경력의 선장님과 센스있는 사무장님이


고객님들의 양손이 결코 가볍지 않토록 최선을 다해

모실것을 약속 드립니다~^^

 

★선내 무상 제공


커피,생수,컵라면,쇼크리더.

시메용칼,개인물통,바늘 빼는집게,해수장치.구명조끼. 완비

 

★시즌 도다리 출항 안내


★평일 한타임 주말 공휴일 두타임

★평일 09시 출항~(시간 기타 조건 따라 변경 될수 있음)

주말 07시~12까지 = 오후13시~18까지

 선비,반타임 6만원


낚시대,미끼,,바늘,모든채비 일절 무료무료


​☎=010-3534-0917

 

(시간은 변경 될수 있습니다,문자 발송)


선입금은 필수이며 입금이 안되면 예약이 되지 않습니다.

 

입금계좌 수협 0010-3534-0917 황유미

 

팽창식(카이져호)구명 동의는 반듯이 반납해주세요!


★환불 규정★


출조 1~2일전 취소시 환불 불가.

 예약완료시 3일전 환불 불가.

 예약시 반드시 확인 바랍니다.

기상악화 특보시(태풍,풍랑주의보등) 전액 환불!

기상특보 상황 외 선장님 낚시 불가 판단시 전액 환불!


선내 주류 반입 불가

코로나19 예방을 위해 마스크 필히 착용 바랍니다

주민등록증 필참


카이져호 선상낚시 안내

신신 카이져호"는 9.77톤(22인승) 낚시배입니다.

포항시 북구 흥해읍 영일만항로 96 신 신 낚 시

20210411.071714.314.M0023140Q5_600.jpg
[포항영일신항만][포항신항만선상낚시][선상루어낚시][바다루어낚시]

[포항삼치낚시][부시리대방어지깅][대삼치루어낚시][대삼치[대구지깅]

[포항배낚시][포항도다리선상낚시][포항도다리배낚시][선상낚시체험]

[왕볼락낚시][열기외줄낚시][초보낚시[포항선상낚시][대삼치]

[볼락][포항볼락][포항열기][열기][선상낚시][바다낚시] 

 

 

네비주소 :영일만항

예약문의

010-3534-0917

수협

0010 3534 0917

황유미

nopic_cptn.jpg

포항영일만

포항카이져호

황만철 선장

590
항구명 영일만항
승선인원 20명
출조점명 포항카이져호
배 타는 곳영일만항 선착장
홈페이지 바로가기 Click
낚시뚜

List of Articles
번호 제목 글쓴이 날짜 조회 수
공지 (꼭 읽어주세요)조황게시판 운영방침 2 어부지리(민평기) 2013.03.01 57649
50936 (태창호)왕볼락이왔어요~~!화,수 5시예약중! 태창호막내선장 2021.05.31 34
50935 5-31(현상황)4자왕도다리.사이즈 죽이네 킹덤호 2021.05.31 23
50934 포항 대방어!!빅게임~수요일부터~ 한타임~8시출항 신항만Z제트호 2021.05.31 62
50933 뉴스피드호의 도다리,참가자미 대형물칸 가득히 마리수행진 포항뉴스피드호 2021.05.31 19
50932 화성호 도다리 마릿수 사이즈 좋습니다. 주중 주말 모집중 20인승전문출조정도로스 2021.05.31 21
50931 대물우럭/씨알좋은 열기 주렁주렁~~ file 읍천테크호 2021.05.31 43
50930 왕도다리&가자미 계속되는 굿조황~퍼득오이소《예약중》 포시즌호 2021.05.31 20
50929 30일최종 도다리.참가자미 억수로잘나옵니다 포항선상자이언트 2021.05.31 28
50928 왕도다리.참가자미~사이즈.마리수조황 수8시 킹덤호 2021.05.31 19
50927 왕도다리 참가자미!!횟감 최고~ 화요일9시 출항예약중 신항만Z제트호 2021.05.31 21
50926 22인승-고성진양호 어제 대왕문어 출조조황 올립니다. 내일부터 문어출조 예약받고 있습니다. file 문암진양호 2021.05.31 98
50925 왕대구 조황 임원항대진호 file 대진호 2021.05.31 209
50924 동해대왕문어 강릉항월광호 2021.05.31 95
50923 (태창호)넘치게 잡으리~왕도다리&가자미 월:11시여유 태창호막내선장 2021.05.31 21
50922 포항 카이져호)왕도다리,가자미 일요일 후기~ 신신카이져신신낚시 2021.05.31 18
50921 도다리 참가자미!! 초절정재미의 뉴대양호 일요일편! 화 수 목 8시출항해요 대양호선장 2021.05.31 19
50920 동해, 왕대구 조황 (임원항 탐라호) file 임원항탐라호 2021.05.31 266
50919 씨알 굿 핫 도다리 감포낚시씨스타호 2021.05.30 23
50918 대박난 (문어4마리) 참가자미조황 용마호 2021.05.30 116
50917 씨알좋은 왕볼락(갈볼락) 조황입니다 해운대동백호 2021.05.30 56
50916 5월30일 울진 죽변항 덕성호 도다리 대박조황현황 file 해명해신 2021.05.30 74
50915 포항 만진호 오전 방어 / 오후 도다리 출조 포항만진호 2021.05.30 36
50914 오후조황》빅~게임 방어루어낚시~폭풍릴링~>>월 1시예약 포시즌호 2021.05.30 76
50913 (30일)최종!씨알 짱!왕도다리 월:11시여유석! 태창호막내선장 2021.05.30 31
50912 22인승 돌핀마린호 / 문어 낚시 조황입니다~ file 공현진낚시마트 2021.05.30 97
50911 22인승 창명호창명낚시마트 대왕문어 풍어 file 창명낚시마트 2021.05.30 122
50910 왕대구 임원항 황금마차호 file 황금마차호 2021.05.30 1708
50909 30일최종 참가자미 한번 2~3마리씩..월,화,수 예약 포항뉴스피드호 2021.05.30 29
50908 2021.05.30. 호창호 출조사진입니다.(문어) file 호창호 2021.05.30 78
50907 5/30 동해호 대구조황 file 장호항동해호 2021.05.30 148
50906 금일 심해 출조햇습니다. file 일광바다호 2021.05.30 67
50905 21인승비너스호 대왕문어조황 file 공현진비너스&성복호 2021.05.30 92
50904 성복호 대왕문어조황 file 공현진비너스&성복호 2021.05.30 89
50903 21 인승 비너스호 왕대구 조황 5/29 file 공현진비너스&성복호 2021.05.30 112
50902 2021년 5월 30일 장호항 선구호 대구조황 file 선구호 2021.05.30 94
50901 임원항드래곤호) 금일 대구 조황입니다. 굿굿~! 드래곤호임원항 2021.05.30 124
50900 주말 무난한 조과 45cm 최대어 file 신신호 2021.05.30 31
50899 대왕문어 강원도 고성거진 [22인승신뉴스타호] file 강원고성뉴스타호 2021.05.30 96
50898 30일 왕대구 포항미르호 2021.05.30 63
50897 5.30일욜왕도다리퍼담고있어요 양포포세이돈호 2021.05.30 27
50896 22인승 돌핀호 / 대왕문어 조황입니다~ file 공현진낚시마트 2021.05.30 62
50895 5-30(현상황)53왕도다리에~ 한보타리조황 킹덤호 2021.05.30 38
50894 18인승 로얄마린호!! 6월 동해안 피문어/대왕문어 출조 모집합니다!! 로얄마린호 2021.05.30 62
50893 30 오전 대잔치~왕도다리,참가자미 마무리 신신카이져신신낚시 2021.05.30 20
50892 오전조황》불타는 고패질 씨알좋은 도다리&가자미>>예약중 포시즌호 2021.05.30 22
50891 (30일)최종~왕볼락^^!'쿨러상황'월:5시 여유석! 태창호막내선장 2021.05.30 24
50890 신나는포항대방어조황 월요일 모집중입니다 스파르타호 2021.05.30 36
50889 도다리 참가자미 후두둑 현재오늘자! 뉴대양호 월 화 수 목 쭉예약중 대양호선장 2021.05.30 20
50888 5-30(현상황)52왕돌가자미~헉소리 납니다.일오후예약 킹덤호 2021.05.30 46
50887 (30일)완전타작중!왕도다리&참가자미!오늘1시여유석 태창호막내선장 2021.05.30 22
50886 5.28일 문어낚시 조항정보 대왕문어 갈매기배낚시 2021.05.30 39
50885 왕대구 조황 임원항대진호 file 대진호 2021.05.30 82
50884 30)벌써 부터 쏟아집니다 ~ㅎ 신신카이져신신낚시 2021.05.30 41
50883 29일 최종 도다리.참가자미 때깔함보세요 포항선상자이언트 2021.05.30 18
50882 (태창호)쉽다쉬워~! 왕도다리~!오늘오후1시 운동장! 태창호막내선장 2021.05.30 19
» 카이져호)왕도다리,참가자미,초보 줌마들의 뜨거운 반응~오후여유자리 신신카이져신신낚시 2021.05.30 31
50880 동해피싱호ㅡ볼락루캐스팅선상조황 동해피싱호 2021.05.29 42
50879 22인승 공현진 용마호 대왕문어 조황 용마호 2021.05.29 103
50878 용광피싱 생활가족 참가자미 낚시 file 용광피싱클럽 2021.05.29 46
50877 포항 만진호 5월29일 오후 도다리조과 포항만진호 2021.05.29 38
목록
Board Pagination Prev 1 ... 738 739 740 741 742 743 744 745 746 747 ... 1591 Next
/ 1591