한국어
(東)동해조황

- 배너를 클릭하면 해당 출조점의 홈페이지가 열립니다
낚시뚜에서 어부지리로 보내는 자동조황
top01.png

포항포시즌호

포항포시즌호

top02.png
포시즌호랑 봄소풍떠나요~
언제나 즐낚~안낚~♡
후회없는 선택 ~!!
탁월한 선택~!!
포항선상낚시 일번지 포시즌호!!
청결No.1친절No.1
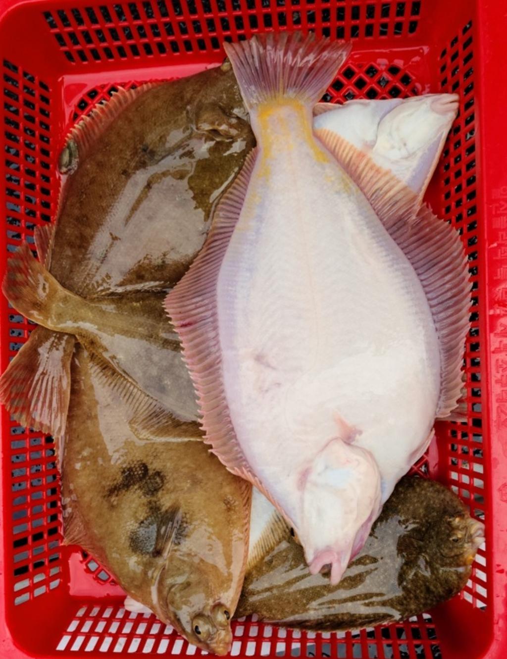
· 출조일시2021-05-31(월)
· 출조인원18명
· 어종도다리,가자미

포항 선상낚시 포/시/즌/호 

2020.8 월 진수한 최신식 선상낚시배

 

예약문의

010 .7136. 1235

 

경상북도 포항시 북구 해안로 515 

[여남방파제​]

 

수    협

계좌번호 : 0010-7136-1235

(예금주 : 김나경)

 

실시간조황 및 예약현황

▼▼▼ 

BAND 바로가기

 

요즘 효자템 도다리&가지미지요~
여유롭게 낚시하면서 횟거리&반찬거리쟁이고~

고패질만 열심히 해주면
누구나 꽝없는 낚시입니다~

체험낚시의 최고봉♡
누구나 쉽게 즐길수있는 고런낚시~!!!!

초보자분들부터 어린이까지도 즐길수있는낚시입니다
요즘 사이즈며~마릿수며~만족할만한 조황이어가고있네요.

내일 8시집합 출조잡혀있습니다
한분이라도 부담없이 연락주세요♡

[도다리&가자미낚시]
♡선비 6만원♡
낚시대+채비+미끼(무한제공) 몽땅 공짜~!!!!!!!
몸만 오세요~

●포시즌호 오셔서 좋은추억만가져가세요●

☆예약문의☆
예약전문 사무장 : 010 7136 1235

24시간 언제든지 문자&전화주세요.
제가 친절하고 상냥하게 답변드립니다♡ 
♡항상 조황은 복불복입니다. 잘잡힐때도 있고 못할때도있는게 낚시지요~진정 즐기실분들 모십니다♡

6/01 (화) (오전)8시집합~
6/02 (수) (오전)8시집합~
6/03 (목) (오전)8시집합~
6/04 (금) (오전)8시집합~
6/05 (토) (오전)7시출항~12시
(오후)1시출항~6시
6/06 (일) (오전)7시출항~12시
(오후)1시출항~6시

.
.
.
>> 출항 최소20분전까지 배로오셔야합니다
>>평일 예약시 출항시간조절가능합니다
※출항시간은 기상에 따라 변동될수도있습니다

☆선비
>>> 6만원
(낚시대+채비+미끼포함)

☆개인준비물 : 아이스박스.얼음(아이스팩).신분증
(컵라면.생수.음료수.과자.커피.장갑 선상비치되어있습니다)

☆준수사항
>>구명조끼 상시착용
>>선내 주류 절대반입금지.음주금지
>>바다로 쓰레기무단투기금지
(선박 앞.뒤 쓰레기통.선내쓰레기통비치되어있습니다)
>>마스크착용 꼭 부탁드립니다.

[저번주 주말 조황입니다♡]
F1311412C8.jpg

F1311411JJ.jpg

F1311410S4.jpg

F1311409JK.jpg

F1311408A9.jpg

F1311407SS.jpg

F1311406QT.jpg

F13114059R.jpg

F1311404P3.jpg

F1311403DA.jpg

F131140285.jpg

F1311401YI.jpg

F13114003A.jpg

F1311399FO.jpg

F1311398G2.jpg

F1311397N3.jpg

F1311396T1.jpg

F13113951V.jpg

F1311394R1.jpg

F1311393CF.jpg

F1311392ZQ.jpg

F1311391TA.jpg

F1311390ZW.jpg

F1311389ND.jpg

F1311388RT.jpg

F1311387R2.jpg

F13113862R.jpg

F1311385DP.jpg

F13113844Q.jpg

F131138301.jpg

F1311382QW.jpg

F1311381VN.jpg

F1311380E6.jpg

F1311379DQ.jpg

F1311378VB.jpg

F1311377GW.jpg

F1311376JW.jpg

 

매일 전원히트~!!!만쿨~~!!을 

외치진 못해도 포항선상낚시배중 가장 깨끗하고 편의시설좋으며 

간식거리넘쳐나고 친절하고 

아~~주 상냥한 선장님과 예약사무장까지~!!

이건 제일이라고 자신있게 말할수있습니다^_^

이제 선상낚시도 하나의 서비스업으로

자리매김했다고 생각합니다.

비슷한 선비를 내고 어느배를 탈것인지는 

조사님들의 몫이지요~

우리 현명하신 조사님들의 탁월한 선택하시길 바라며 

포시즌호는 늘 그자리에서 조사님들 기다릴께요


포시즌호와 함께 좋은 추억만 가져가세요

 

 

네비주소 :경상북도 포항시 북구 해안로 515 여남방파제

예약문의

010-7136-1235

수협

0010-7136-1235

김나경

nopic_cptn.jpg

포항포시즌호

포항포시즌호

이진 선장

590
항구명 포항여남항
승선인원 20명
출조점명 포항포시즌호
배 타는 곳
홈페이지 바로가기 Click
낚시뚜

Who's 포시즌호

profile

List of Articles
번호 제목 글쓴이 날짜 조회 수
공지 (꼭 읽어주세요)조황게시판 운영방침 2 어부지리(민평기) 2013.03.01 57648
51330 21인승 비너스호 내일 대왕문어출조 예약받습니다 공현진비너스&성복호 2021.06.14 66
51329 [22인승] 고성진양호 현재 실시간 문어조황입니다. 주중 문어&대구출조 예약받고 있습니다. ^^ file 문암진양호 2021.06.14 138
51328 도다리 출조 예약중 나누리호 2021.06.14 20
51327 가자!!선상낚시~포항제트호!!화요일~ 예약중~9시출항 신항만Z제트호 2021.06.14 40
51326 (태창호)왕참가자미 올킬~!오늘11시30분 여유널널~ 태창호막내선장 2021.06.14 49
51325 6/13일 온산권 4짜,슈퍼 대정갱이들~!!! 장보고 2021.06.14 44
51324 6월13일 울진 죽변항 덕성호 도다리 조황현황 file 해명해신 2021.06.13 67
51323 울진 오산항 참가자미 , 왕돌초 부시리 이프로호 2021.06.13 103
51322 참우럭라이트지깅 임원항 황금마차호 file 황금마차호 2021.06.13 110
51321 구룡포대물왕도다리걸면3자4자마리수도짱월오후출조 양포포세이돈호 2021.06.13 35
51320 포항 참가자미 도다리!! 오전의 몽환의하루! 월화8시 출항! 모십니다 대양호선장 2021.06.13 36
51319 생활낚시 체험낚시 성대굿조황~ file 와룡호 2021.06.13 32
51318 12일4짜3짜도다리가자미막막물어주네요 월07시출발 포항웨이브호 2021.06.13 26
51317 금일 심해 우럭 홍감팽이 조황~~~ file 일광바다호 2021.06.13 78
51316 21인승 비너스호 왕문어조황 file 공현진비너스&성복호 2021.06.13 150
51315 (근영호) 금일 볼락, 열기 조황입니다. 함께하실분 연락주세요~ 동해근영호 2021.06.13 99
51314 성복호 왕대구 빅사이즈대박 file 공현진비너스&성복호 2021.06.13 214
51313 13조황》1피2피3피속 대물의습격~왕도다리&가자미《예약 포시즌호 2021.06.13 34
51312 강릉 사천항 '만복호' 올해 첫 주낙조업했습니다 만복호실장 2021.06.13 304
51311 임원항드래곤호) 6/13 드래곤호 조황입니다. 함께하실분 연락주세요~! 드래곤호임원항 2021.06.13 106
51310 18인승 로얄마린호!! 6/14일 이후 출조 모집합니다!! 로얄마린호 2021.06.13 31
51309 (13일)토~최종!왕참가자미 타작이요~월:12시여유석! 태창호막내선장 2021.06.13 31
51308 21인승비너스호 오후대구조황 6/12 file 공현진비너스&성복호 2021.06.13 121
51307 포항몸만오는 도다리가자미!! 뉴대양호편!!! 월 화 8시출항예약시재 대양호선장 2021.06.13 17
51306 6월12일 울진 죽변항 덕성호 도다리 조황현황(선장님 혼자 출조) file 해명해신 2021.06.13 46
51305 13일 오늘도 왕도다리 참가자미가 일타삼피~ 신신카이져신신낚시 2021.06.13 24
51304 22인승 공현진 용마호 참가자미(오전 낚시) 조황 (06/12) 용마호 2021.06.13 101
51303 <강릉 보천호> 금일 피문어조황입니다. 함께하실분 연락주세요~ 강릉보천호 2021.06.13 103
51302 6-12(현상황)도다리.참가자미~일요일 예약중 킹덤호 2021.06.12 32
51301 동해피싱ㅡ화살촉,볼락루어,쏨뱅이,전갱이 동해피싱호 2021.06.12 63
51300 22인승 창명호창명낚시마트 대물대왕문어 30키로,21키로,15키로,12키로 대대박 file 창명낚시마트 2021.06.12 198
51299 22인승 창명호창명낚시마트 참가자미 풍어 file 창명낚시마트 2021.06.12 90
51298 금일 도다리 조황 포항만진호 2021.06.12 28
51297 12일최종 4짜왕도다리3짜왕참가자미 마리수로 타작 굿 포항뉴스피드호 2021.06.12 43
51296 가자미체험낚시 강릉항월광호 2021.06.12 21
51295 포항도다리토요일모습 내일일요일모집중입니다 스파르타호 2021.06.12 21
51294 22인승 샤크마린 6.12 대왕문어조황~~ file 샤크마린 2021.06.12 103
51293 일요일!! 오전타임~ 제트호타고~ 힐링하러 오세요^^ 신항만Z제트호 2021.06.12 21
51292 18인승 로얄마린호!! 6/12일 동해안 피문어 조황입니다!! 로얄마린호 2021.06.12 51
51291 12조황》떴다~왕도다리&가자미~포시즌호 싹쓰리~《예약중 포시즌호 2021.06.12 42
51290 도다리 참!가자미오전최종편과 오후현재상황! 뉴대양호 일요일 오전오후달려요 대양호선장 2021.06.12 20
51289 (12일)실시간 왕참가자미 타작이요~월:11시여유석! 태창호막내선장 2021.06.12 19
51288 21인승 비너스호 대왕문어조황 file 공현진비너스&성복호 2021.06.12 91
51287 성복호 문어조황 file 공현진비너스&성복호 2021.06.12 73
51286 토엄청난씨알엄청난마리수일오전출발 양포포세이돈호 2021.06.12 49
51285 6.12일 왕대구 구룡포 앞바다 포항미르호 2021.06.12 107
51284 금일 심해 우럭 홍감팽이 조황 ~~ file 일광바다호 2021.06.12 67
51283 참우럭라이트지깅 임원항 황금마차호 file 황금마차호 2021.06.12 188
51282 아싸~현재상황~참가자미 좋구나!!일요일 오전예약중 신항만Z제트호 2021.06.12 19
51281 《임원항 경주호》 6월12일 좋은날씨에 대구 조황입니다. 임원항경주호 2021.06.12 208
51280 22인승 돌핀호 / 대왕문어 조황입니다~ file 공현진낚시마트 2021.06.12 94
51279 12 오전 마무리)붕장어는 인사만 하고 왕도다리,참가자미~ 신신카이져신신낚시 2021.06.12 21
51278 (태창호)왕볼락장군 납시오~!일:5시 여유석! 태창호막내선장 2021.06.12 34
51277 포항 양포항 뉴한성호 성대낚시 포항양포항뉴한성호 2021.06.12 21
51276 대왕문어조황 강릉항월광호 2021.06.12 78
51275 12일왕도다리가자미인당30마리이상~일요일모집중 포항웨이브호 2021.06.12 18
51274 이게머선일이고~?안개속 도다리&가자미 조황폭팔~《일예약 포시즌호 2021.06.12 32
51273 21인승 비너스호 내일 대왕문어, 왕대구 출조예약 받습니다. 공현진비너스&성복호 2021.06.12 59
51272 현재 도다리가자미사이즈마리수굿ㄸ~ 토오후일오전.오후모집 포항웨이브호 2021.06.12 39
51271 내일 22인승 문어 낚시 출조 모집합니다. 공현진낚시마트 2021.06.12 26
목록
Board Pagination Prev 1 ... 731 732 733 734 735 736 737 738 739 740 ... 1591 Next
/ 1591