한국어
(西)서해조황

- 배너를 클릭하면 해당 출조점의 홈페이지가 열립니다


7/25 왕백조기 출조 다녀왔습니다.

7/25 왕백조기 출조 다녀왔습니다.

7/25 왕백조기 출조 다녀왔습니다.

7/25 왕백조기 출조 다녀왔습니다.

7/25 왕백조기 출조 다녀왔습니다.

7/25 왕백조기 출조 다녀왔습니다.

7/25 왕백조기 출조 다녀왔습니다.

7/25 왕백조기 출조 다녀왔습니다.

7/25 왕백조기 출조 다녀왔습니다.

 

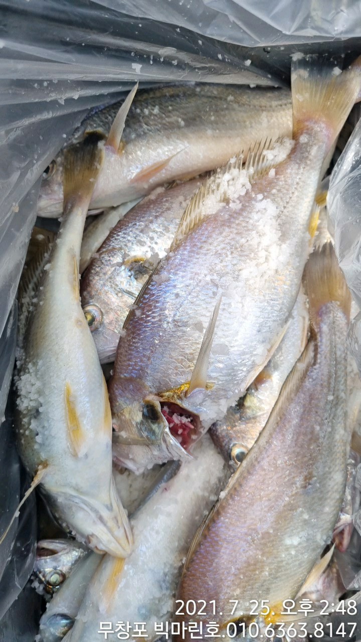
빅마린호, 세분의 조사님들과 왕백조기 출조 다녀왔습니다.

 

사릿물에 폭발적인 입질은 없었지만, 꾸준하게 나와주었습니다.

 

 

빅마린호와 함께 더운날, 수고 많으셨습니다.

 

  

------------------------

 

빅마린호, 백조기 출조합니다.

 

------------------------

 

 

무창포 "빅마린호

 

[출조 예약 및 문의]

 

무창포선상낚시 : 010-6480-0115

 

www.ssfish.kr

 

 

빅마린호 : 010-6363-8147

 

https://band.us/band/68227710

Who's 무창포선상낚시

profile

List of Articles
번호 제목 글쓴이 날짜 조회 수
공지 주꾸미는 서해든 먹물게시판이든 1군데만 올려주세요 어부지리 2023.09.02 2990
60388 루어파이터호 - 7/25 일 [7물] 백조기/수조기 조항 입니다. file 루어파이터 2021.07.25 89
60387 7/25 대천항 하이피싱호 15분 모시고 생새우 외수질 (광어,우럭) 다잡아 조황 (feat.농어까지~아주~~ 나이스!!~)_____[ 대천항 / 하이피싱 / 010-2173-5152 ]_____ 대천항하이피싱 2021.07.25 220
60386 7월25일 안면도 구매항낚시점 초보가족분들 짧은 체험낚시 백조기!, 시간배 체험 가능!! file 달빛좌대 2021.07.25 161
60385 7월24일 군산 강남호 13연타 농어 생미끼 외수질 낚시 대박 조황 file 강남호 2021.07.25 347
60384 파라다이스호 백조기 출항 파라다이스호 2021.07.25 85
60383 조약돌호 7월 25일 백조기 출항 조항입니다. 홍단피싱 2021.07.25 72
60382 [ 무쟈게 덥고, 무쟈게 힘들과, 무쟈게 힘쓰는 롱어 ] 캡틴제이티 2021.07.25 147
60381 《태안 어해루호》7월25일(광어 46수) 광어 다운샷조황입니다. 태안낚시백화점 2021.07.25 158
60380 군산 김대영호 오징어 조황 신시도김대영호 2021.07.25 296
60379 7/25 무창포 [ 피싱마린호 ] 사리물때 백조기 쿨러 조황 무창포선상낚시 2021.07.25 181
60378 7/25 무창포 [ 헤라호 ] 백조기 출조 다녀왔습니다. 무창포선상낚시 2021.07.25 77
60377 7/25 무창포 [ 오복호 ] 왕백조기 조황 무창포선상낚시 2021.07.25 71
» 7/25 무창포 [ 빅마린호 ] 왕백조기 출조 다녀왔습니다. 무창포선상낚시 2021.07.25 48
60375 홍원항 [우리호] 7/25 모든조사님들 왕백조기 대왕부서로 대왕쿨러 만땅 조황 [홍원뱅크낚시] file 홍원뱅크낚시 2021.07.25 211
60374 << 무창포 호호호 >> 백조기!!! 차광막까지 쳐서 시원하고 편하게 낚시 할수있습니다^^ file 무창포총각피싱 2021.07.25 92
60373 7/25 홍원항 서도호 ㅡ 80수 백조기 조황 홍원항서도호 2021.07.25 92
60372 홍원항----------어부낚시---------농어생미끼---------7월 25일 코리아피싱 (구 블루오션1호) 조황~!! 홍원어부낚시 2021.07.25 105
60371 [목포민어낚시] 25일 민어 조황입니다 목포포인트낚시 목포포인트 2021.07.25 173
60370 홍원항 [월드피싱호] 7/25 왕백조기 왕부서 대왕쿨러 넘칠정도로 잡아왔습니다. [홍원뱅크낚시] file 홍원뱅크낚시 2021.07.25 145
60369 오전 우럭 씨알 굿,마릿수도(바다호25)-오전/오후 우럭 모집 군산원낚시 2021.07.25 71
60368 7월25일 홍원항힐링호 사이즈 좋은 왕부세와 왕백조기 쿨러조황요~!!내일 주말 여유자리 있습니다~~ㅎㅎ 감사합니다. 홍원항힐링낚시 2021.07.25 61
60367 7월 25일 어청도 돌돔 조황 군산포인트피싱 2021.07.25 179
60366 7월 25일 일요일 서천마량포구 슈퍼피싱호 백조기 조황입니다~ 매일매일 경품추첨이벤트!! 비늘제거 초간단!! file 서천마량포구슈퍼피싱 2021.07.25 125
60365 7월25일 홍원갯바위낚시 뉴아일랜드호 매일매일 씨알좋은 백조기 부세 이벤트 조황 file 홍원갯바위낚시 2021.07.25 102
60364 7/24 청어람호 조황. file 군산청어람호 2021.07.25 233
60363 7.25 오전체험 안면해풍호 2021.07.25 42
60362 뉴패밀리호 24 외수질 조황입니다 마검포뉴패밀리호 2021.07.25 92
60361 목포민어낚시 7/23~24일 비박민어 마리수 최고조황![목화피싱]7/28일 수율오후5시출항! 목포목화낚시 2021.07.25 169
60360 7월 24일 홍원항 레드펄호 백조기조황.매일대회이밴트 file 홍원항레드펄호 2021.07.25 79
60359 방포항배낚시 피싱게이트 선단 오성호 7월25일 오전 우럭배낚시체험 출항! 방포오성호 2021.07.25 84
60358 7월24일 격포갈매기호 생미끼외줄낚시 조황입니다 file 격포갈매기호 2021.07.25 285
60357 24-25 군산블랙펄 1호 야간오징어 마릿수 대박 망테기 조황 file 비응항블랙펄호 2021.07.25 278
60356 **** 7/24 돌핀호 왕부서 백조기 씨알좋습니다 씨알좋습니다~~~~**** 홍원항바다낚시 2021.07.25 107
60355 홍원항----------어부낚시---------농어생미끼---------7월 24일 블루오션2호 조황~!!! 홍원어부낚시 2021.07.25 209
60354 홍원항----------어부낚시---------농어생미끼---------7월 24일 코리아피싱(구 블루오션1호) 10분출조-----‐--9자,8자 마릿수도 굿굿 대박 조황~!! 홍원어부낚시 2021.07.25 134
60353 7/24 대천항 하이피싱호 11분 모시고 생새우 외수질 (광어,우럭) 다잡아 다녀왔습니다_[ 대천항 하이피싱 / 010-2173-5152 ]__28일(수) 출항합니다~^^ 대천항하이피싱 2021.07.24 206
60352 21.07.24 마검포 뉴미르호 다잡아 출조 태안미르호 2021.07.24 141
60351 24일 우럭 광어(생미끼) 선상낚시 조황!!! -군산새만금낚시 레전드호- file 새만금낚시 2021.07.24 171
60350 << 무창포 총각2호 >> 농어 대물싸이즈 보소~!!! 따오기급 농어 << 인생 최대어 도전>> file 무창포총각피싱 2021.07.24 196
60349 << 무창포 화니호 >> 백조기 조황!!! 손질까지 깔끔하게 완벽한 하루~!!!! file 무창포총각피싱 2021.07.24 150
60348 << 무창포 호호호 >> 7월 24일 왕 백조기 2인 갈치쿨러 조황 입니다~!!! file 무창포총각피싱 2021.07.24 100
60347 7월 14일 홍원항 원조낚시 뉴대호피싱 백조기 조황! 쿨러가득 채워줍니다!! file 홍원항원조낚시 2021.07.24 105
60346 전남 영광 푸른바다호 민어조황 영광푸른바다호 2021.07.24 453
60345 2021년7월24일 까치선장 자이언트호 개우럭,광어,농어 다잡아 조황 까치선장 2021.07.24 145
60344 7월24일 [오천항 마운틴호] 백조기낚시 조황소식 마운틴호 2021.07.24 83
60343 <<무창포 총각2호>> 대물농어 조황입니다! 무창포총각피싱 2021.07.24 102
60342 7월23일 군산 강남호 12연타 농어 생미끼 외수질 대박 조황 file 강남호 2021.07.24 218
60341 홍원항 [블랙펄호] 7월 24일(토) 물 힘이 쎄서 백조기 사이즈는 좋은데 마릿수 저조하고 따박따박 나오는 곳은 사이즈가 저조했네요.. 고생하셨습니다. 홍원항블랙펄낚시 2021.07.24 105
60340 홍원항 [레드펄호] 7월 24일(토) 사릿물에도 사이즈 좋은 백조기 따박따박 나와주었습니다. 레드펄호 백조기 이벤트 출조모집합니다. 홍원항블랙펄낚시 2021.07.24 109
60339 7/24(6물) 격포 남부스타호 민어 조황입니다~~!!!! file 격포남부낚시 2021.07.24 264
60338 **** 7/24 홍원항 나드리호 왕부서 백조기 조황 홍원항바다낚시 2021.07.24 128
60337 7/24일 스마트호 왕 백조기전원 쿨러 조황--- [[[[무료 백조기비늘 벗겨드립니다]]]--- 포인트까지5분거리 주차 편하고 승선 하기좋은곳 홍원항하 홍원에이스낚시 2021.07.24 91
60336 루어파이터호 - 7/24 토 [6물] 백조기/수조기 15명 조항 입니다. file 루어파이터 2021.07.24 40
60335 21년 7월24일 토요일 백조기낚시 플러스호 플러스조황 플러스호 2021.07.24 30
60334 조약돌호 7월 24일 백조기 조황입니다. 홍단피싱 2021.07.24 26
60333 생새우에 우럭 화끈,농어도(엄지척24)-내일(일) 생미끼 이벤트 군산원낚시 2021.07.24 118
60332 [[ 레전드호 ]] - 무창포브라보낚시 07/24 왕백조기 쿨러 조황 file 무창포브라보낚시 2021.07.24 59
60331 #오천항바이트호 7월24일 9분과 함께한 백조기 조황 입니다!! file 섭선장 2021.07.24 74
60330 오후 내만 우럭 씨알과 마릿수굿( 썬스타24)-내일(일) 오전/오후 모집 군산원낚시 2021.07.24 47
60329 **** 7/24 홍원항 팬텀호 왕백조기조황 홍원항바다낚시 2021.07.24 39
목록
Board Pagination Prev 1 ... 668 669 670 671 672 673 674 675 676 677 ... 1679 Next
/ 1679