한국어
(南)남해조황


어부지리바다낚시 내 조황글은 한번만 게시되어야 합니다.


























진해경화낚시 전용선 블루킹스타호는 10톤(22)인승으로

조사님들을 편안하고 여유로운 낚시를위하여

수세식화장실과 휴식공간이 국내최대 인것이 장점입니다

★★ 점주가 직접가이드해드립니다★★

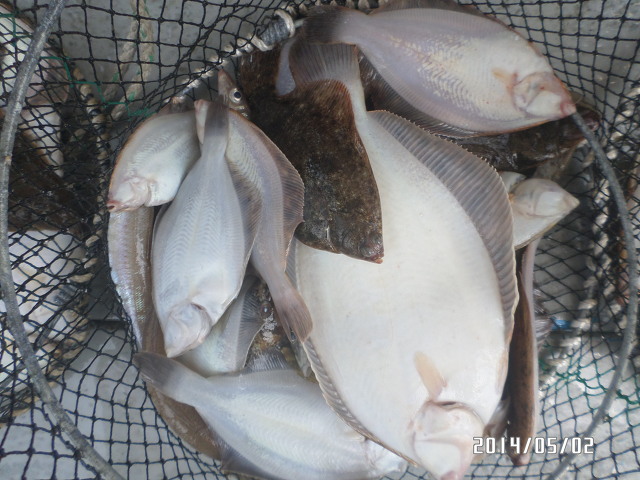
안녕하십니까? 진해 경화낚시 입니다

진해 내만 도다리낚시 시즌이 돌아왔습니다

금요일 예약하신몇분의조사님을모시고 도다리출조를 다녀왔습니다

센조류탓인지 초반에는따문따문 크고작은싸이즈로 물어주고

보리멸과노래미도 올라오고 많은조황은아니지만 적당히잡고

손맛 입맛으로 푸짐하게즐기고 철수하였습니다

찾아주신조우님들께 항상 진심으로 감사드립니다

내일은 좀더나은 조황을기대하면서 ...

손맛이 그리운 조사님들 언제든지 전화주시면 한분의 조사님도

성심 성의껏모시겠습니다

*도다리출조*

출항시간:7시~철수시간:2시~3시(유동적)

준비물: 쿨러 .드실만큼의이슬이

채비:낚시대및 개인장비가 필요없습니다

(낚시자세+편대+낚시바늘 모두 무료지급)

*커피/생수무한리필 도다리정식 풀코스제공*

^^ 몸만오세요^^

선비:5만원

^^ 1월부터 구명조끼는 필수 꼭챙겨오세요^^

* 없으신분은 배에있습니다*

* 도다리 자세 및 편대.봉돌.바늘은 배에서 무료 대여해 드립니다 **

** 점심식사. 라면. 각종회. 회무침. 야채.커피.생수는 무료 제공합니다 **

*국내 최대 낚시 채비.장비.미끼 구색완비 최저가로 판매합니다 **

저희 낚시점에서는 국내 모든 낚시채비.장비.미끼등 구색완비 되어있으니

기본적인 장비가 없으신 조우님은 미리오셔서 준비하셔도 되고

저렴한 가격에 적합한 장비 대여도 가능합니다..

~~~~ 식사.커피.각종 야채는 항상 배에 준비돼어 있습니다~~~~~

출조선단 : 10톤 2대(22인승) 5톤(12인승)

유람선(25~100이상)화장실 노래방시설완비 단체팀예약

**평일 독배 예약은 저렴하게 모시겠습니다**

출조문의 ☎: (055)542-4095 (010)5150ㅡ4095

선입급 확인후 예약완료됨(말도없이 펑크내시는 분들 때문에)
자리 배정은 선착순으로 합니다

계좌번호 : 국민은행..853402-01-022339,,,김철웅

네비주소 : 창원시 진해구 이동 611-6번지

배타는곳: 속천항

List of Articles
번호 제목 글쓴이 날짜 조회 수
14694 화살촉/호래기 먹물쭉~~쭉(예약가능) 진해경화낚시 2014.06.12 419
14693 오늘도 농어 루어 탐사 다녀왔습니다. file 완도개나리호 2014.06.12 623
14692 감성돔 조황 진도접도낚시 2014.06.12 532
14691 조황 6/12일 목포목화낚시 2014.06.12 515
14690 완도 풍산호 참돔[상사리] 조황입니다 file 완도풍산호 2014.06.12 559
14689 화살촉오징어,호래기 오늘도 좀잡고 매일저녁출항,낮엔 도다리 쭉 예약가능 file 진해대성낚시 2014.06.12 381
14688 도다리!! 아직 살아있습니다^^(토,예약가능) 진해대교낚시 2014.06.12 390
14687 6/12..쪽쪽쪽!!~오징어!호래기~오늘조황~(예약가능) 진해대교낚시 2014.06.12 620
14686 밤장어손맛~입맛따봉 오늘조항이좋으내요 (오늘자리많아요) file 진해유경낚시 2014.06.12 450
14685 6/12,,화살촉오징어 꽃을 피우고,매일출항(예약가능) 진해반도낚시 2014.06.12 630
14684 아싸~가오리^^화살촉 오징어,호래기 (매일저녁7시30분출항 예약가능) file 진해동성낚시 2014.06.12 552
14683 태영호 대물은 터뜨리고 참돔은 마구올리고! (사진첨부수정) 1 file 통영태영호 2014.06.11 866
14682 화살촉오징어,호래기 오늘좀잡고 매일저녁출항,낮엔 도다리 쭉 예약가능 file 진해대성낚시 2014.06.11 407
14681 농어 루어 탐사 다녀왔습니다. file 완도개나리호 2014.06.11 591
14680 완도 풍산호 청산도 참돔[상사리]조황입니다 file 완도풍산호 2014.06.11 636
14679 [해원1호] '참돔(상사리)' 오전 조황 입니다. ^^* file 완도해원1호 2014.06.11 536
14678 화살촉/호래기 소나기입질에퍽~퍽 오늘출항(예약가능) 진해경화낚시 2014.06.11 466
14677 화살촉오징어,호래기 쭉쭉 매일저녁출항,낮엔 도다리 엄청잡고 쭉 예약가능 file 진해대성낚시 2014.06.10 582
14676 9일 굿~~ 굿~~ 조황입니다 file 온누리호 2014.06.10 650
14675 화살촉오징어 살아나는조황 매일출항(예약가능) 진해경화낚시 2014.06.10 525
14674 유경호밤장어 비가와도몸보신에 기본1~2kg잡아가내요 (오늘자리많아요) file 진해유경낚시 2014.06.10 690
14673 화살촉오징어!!~쪽쪽!!~오늘 이만큼~(예약가능) 진해대교낚시 2014.06.10 605
14672 화살촉오징어 먹물조황, 오늘밤 7시출항(예약가능) 진해반도낚시 2014.06.10 887
14671 화살촉오징어 하루사이 씨알이 좋아졌네요~(예약가능 file 진해김해낚시 2014.06.10 597
14670 화살촉 호래기조황이 살아날려나??매일출항 진해경화낚시 2014.06.09 1210
14669 [해원1호] '참돔(상사리)' 조황 입니다. ^^* file 완도해원1호 2014.06.09 606
14668 신흥레져호 오늘(6월9일 조황 쿨러가득...일찍 입항) 10 file 신흥레져호 2014.06.09 3872
14667 완도 풍산호 청산참돔 조황입니다[상사리] file 완도풍산호 2014.06.09 846
14666 [완도 은솔호 ] 오늘도 참돔(상사리) 조황 입니다 file 완도 뉴대광호 2014.06.09 677
14665 6/8일 화살촉오징어,호래기 쭉쭉 매일저녁출항,낮엔 도다리 퍽퍽 살림망터지고 쭉 예약가능 file 진해대성낚시 2014.06.09 368
14664 쭈우~욱~쭉땡기는 밤장어혼자8kg엄청먹고가져가내요(오늘자리많아요) file 진해유경낚시 2014.06.09 668
14663 완전 도달 팡팡 터지네요 ~^^(화살촉오징어, 도다리 예약가능합니당~ file 진해김해낚시 2014.06.09 620
14662 태도 우럭/참우럭 선상낚시출조 6월6일~6월7일....낚시박사호 갈도낚시출조 조행사진입니다. file 갈도낚시 2014.06.09 1298
14661 무늬오징+화살촉오징+장어~쪽쪽쪽쪽!!~(오늘밤예약가능) 진해대교낚시 2014.06.09 661
14660 여름어종,,출현,,야영낚시가,더욱,,좋아,,, file 중화낚시클럽 2014.06.09 1296
14659 화살촉오징어 잘 올라옵니다.오늘밤7시출항(예약가능) 진해반도낚시 2014.06.09 374
14658 부산뉴갤럭시호심해씨알좋은왕우럭~줄타는왕열기굿입니다!!! file 갤럭시호최선장 2014.06.08 762
14657 일호낚시 심해 왕열기 쿨러조황^^ file 부산일호낚시 2014.06.08 636
14656 먼바다 상사리(참돔)입니다. file 완도개나리호 2014.06.08 3748
14655 오늘 청산도 참돔(상사리)조황입니다~~ file 완도라이온피쉬호 2014.06.08 699
14654 완도 풍산호 참돔[상사리] 조황입니다 file 완도풍산호 2014.06.08 584
14653 도다리 퍽퍽 살림망터지고 저녁엔 화살촉오징어,호래기, 매일저녁출항,쭉 예약가능 file 진해대성낚시 2014.06.08 587
14652 [완도 은솔호 ] 청산도 참돔(상사리) 조황 입니다 file 완도 뉴대광호 2014.06.08 780
14651 [해원1호] '참돔(상사리)' 조황 입니다. ^^* file 완도해원1호 2014.06.08 454
14650 화살촉 호래기1타2피로 엄청잡고(예약가능) 진해경화낚시 2014.06.08 642
14649 약아빠진놈^^디게 까칠하네^^오징어!호래기!!~(예약가능) 진해대교낚시 2014.06.08 766
14648 화살촉오징어, 호랙 많이잡고,조황이 살아나,오늘밤7시출항(예약가능) 진해반도낚시 2014.06.08 955
14647 화살촉오징어,호래기,오늘도 많이잡고 매일저녁출항,낮엔 도다리 쭉 예약가능 file 진해대성낚시 2014.06.07 651
14646 [여수 피쉬헌터호] 먼바다 우럭!!!!!!!! 여수바다낚시 2014.06.07 1602
14645 부산뉴갤럭시호심해씨알좋은왕우럭~큼직하네요잉!!! file 갤럭시호최선장 2014.06.07 751
14644 오늘 청산도 참돔(상사리)조황입니다~~ file 완도라이온피쉬호 2014.06.07 643
14643 완도 풍산호 청산도 참돔[상사리]조황입니다 file 완도풍산호 2014.06.07 836
14642 민어.반어 낚시조황6/6일(목화낚시) 목포목화낚시 2014.06.07 3327
14641 [해원1호] '참돔' 첫 출조..... 신고합니다. ^^* file 완도해원1호 2014.06.07 544
14640 뿔~끈뿔끈웰빙 보양식밤장어오늘도빵~빵하게 file 진해유경낚시 2014.06.07 700
14639 화살촉오징어 호래기먹물찍~찍(예약가능) 진해경화낚시 2014.06.07 2606
14638 화살촉오징어,호랙 매일밤7시출항(토,일 예약가능) 진해반도낚시 2014.06.07 1205
14637 [여수 피쉬헌터호] 먼바다 우럭 다녀왓습니다 !!! file 여수바다낚시 2014.06.06 920
14636 오늘 청산도 참돔(상사리)조황입니다~~ file 완도라이온피쉬호 2014.06.06 779
14635 먼바다 참돔 상사리입니다. file 완도개나리호 2014.06.06 669
14634 [해원1호] '감성돔' 조황 입니다. ^^* file 완도해원1호 2014.06.06 742
14633 도다리 엄청잡고 오징어,호랙 매일밤 출항(예약가능) 진해반도낚시 2014.06.06 999
14632 [농어낚시] 준수한 사이즈의 점농어와 감성돔으로 손맛을 만끽한 낚시여행 목포가이드낚시 2014.06.06 1490
14631 오전에는 도다리 저녁에는 화살촉오징어와 호래기로달려요~~ 예약가능 file 진해김해낚시 2014.06.06 646
14630 완도 풍산호 청산도 참돔 조황입니다 file 완도풍산호 2014.06.06 837
목록
Board Pagination Prev 1 ... 3596 3597 3598 3599 3600 3601 3602 3603 3604 3605 ... 3827 Next
/ 3827