불펴ㆍ한기상이연일이어지고있네요.
일욜기상좋아요
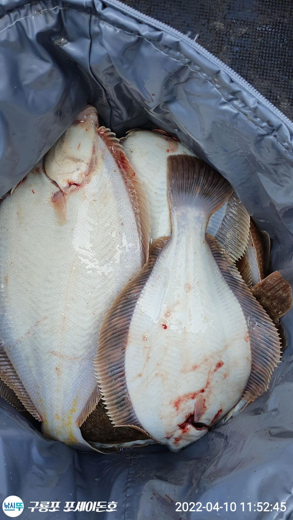
왕도다리.쭈꾸미
마리수낚시출발합니다.
포항 구룡포 포세이돈호
문의
010-8575-1047
http://배타는곳
포항시남구구룡포병포길75-20
(남양수산운동장같이넓은주차장)
농협
351-0266-8235-83
김종수
https://band.us/band/57525153/post/41
주소 링크 눌러 가입하시면 조황 확인하실 수 있습니다.
포항구룡포뉴포세이돈호입니다.
승선인원(20)각종편의시설완비.첨단향해장비를갗추고 여러분을편히 낚시의 세계로모시겠습니다.
☆쭈꾸미.도다리시즌오픈 ☆
2022.3.1~8월까지
1.쭈꾸미도다리출항시간
오전:07:00~11:300(30분전도착요)
오후:13:00~17;30(30분전도착요)
존비물;낚시대.미끼.채비.컵라면.생수무료지급
☆(자리배치는선착순으로)☆
입금계좌;농협717064-52-026107 장현숙
출조문의:010.8575.1047포세이돈호
출항3일전취소시환불불가.에약완료시.날짜변경환불불가
기상악화및풍량주의보시100%전액환불
(예약완로시문자보내드립니다.)



































포항 구룡포 포세이돈호
문의
010-8575-1047
http://배타는곳
포항시남구구룡포병포길75-20
(남양수산운동장같이넓은주차장)
농협
351-0266-8235-83
김종수
https://band.us/band/57525153/post/41
주소 링크 눌러 가입하시면 조황 확인하실 수 있습니다.