한국어
(東)동해조황

- 배너를 클릭하면 해당 출조점의 홈페이지가 열립니다
낚시뚜에서 어부지리로 보내는 자동조황
top01.png

포항포시즌호

포항포시즌호

top02.png
포항선상낚시 1번지 포시즌호와 함께해요♡
· 출조일시2022-04-17(일)
· 출조인원10명
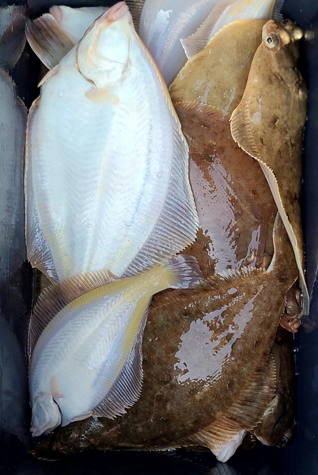
· 어종도다리,가자미

포항 선상낚시 포/시/즌/호 

2020.8 월 진수한 최신식 선상낚시배

 

예약문의

010 .7136. 1235

 

경상북도 포항시 북구 해안로 515 

[여남방파제​]

 

수    협

계좌번호 : 0010-7136-1235

(예금주 : 김나경)

 

실시간조황 및 예약현황

▼▼▼ 

BAND 바로가기

 

오후반 조황♡

오후는 소수인원 널널하게 출항했네유~
오후 잼났네요~
모든게 괜츈괜츈♡

사이즈며~마릿수며 좋았네요
다들 다라이가득^-^

다녀가신분들 고생하셨습니다

내일 월요일 오전 8시 출조잡혀있습니다.
한분이라도 부담없이
24시 언제든지 문자&전화주세요^-^


♡예약전문 사무장 010 7136 1235♡

4/18 (월) (오전) 8시출항~(도다리&가자미)

4/19 (화) (오전) 8시출항~(도다리&가자미)

4/20 (수) (오전) 8시출항~(도다리&가자미)

4/21 (목) (오전) 8시출항~(도다리&가자미)

4/22 (금) (오전) 8시출항~(도다리&가자미)

4/23 (토) (오전) 7시출항~(도다리&가자미)
(오후) 1시30분출항(도다리&가자미)

4/24 (일) (오전) 7시출항~(도다리&가자미)
(오후) 1시30분출항~(도다리&가자미)
.
.
.
※ 평일 단체.독배 출항시간 조절가능

●도다리&가자미
[선비6만원]
낚시대대여비 5천원
>>기본 미끼.채비제공
(소진시 별도구매/선상판매)
아이스박스 10~20L(얼음)
●평일 오후반(도다리&가자미) 5인이상 모집시 출항가능합니다.
※ 평일 단체.독배 출항시간 조절가능

●도다리&가자미
[선비6만원]
낚시대대여비 5천원
>>기본 미끼.채비제공
(소진시 별도구매/선상판매)
아이스박스 10~20L(얼음)

>>개인장비지참시
봉돌50호 견디며 고패질할수있는 아무낚시대~!!
원줄 합사 1~3호

●개인준비물 : 아이스박스.얼음.신분증
(컵라면.생수.커피.음료 선상비치되어있습니다)

●준수사항
>>구명조끼 상시착용
>>선내 주류 절대반입금지.음주금지
>>바다로 쓰레기무단투기금지
(선박 앞.뒤 쓰레기통.선내 쓰레기통 비치되어있습니다)
>>마스크착용 꼭 부탁드립니다

●포시즌호 여남방파제에 정박중입니다!!!

포항관광코스 1순위 영일대해수욕장 차로 5분
요즘 뜨고있는 핫플~환호공원 스페이스워크 차로 2분

정박지 바로앞 넓은주차장!!!
정박지를 시작으로 해변도로따라
횟집맛집.카페맛집등등
1등 드라이브코스♡

예쁜 정박지에서 포시즌호타고 출발하세요:D
F1655612XB.jpg

F16556119R.jpg

F1655610DB.jpg

F1655609VE.jpg

F1655608ZN.jpg

F1655607HU.jpg

F1655606FQ.jpg

F1655605D3.jpg

F16556047H.jpg

F1655603U0.jpg

F1655602ZF.jpg

F165560192.jpg

F1655600LU.jpg

F165559954.jpg

F1655598ZF.jpg

F1655597R6.jpg

F1655596Z6.jpg

F16555952N.jpg

F1655594A2.jpg

F16555938N.jpg

F1655592D3.jpg

F1655591XA.jpg

F1655590F6.jpg

F1655589WL.jpg

 

매일 전원히트~!!!만쿨~~!!을 

외치진 못해도 포항선상낚시배중 가장 깨끗하고 편의시설좋으며 

간식거리넘쳐나고 친절하고 

아~~주 상냥한 선장님과 예약사무장까지~!!

이건 제일이라고 자신있게 말할수있습니다^_^

이제 선상낚시도 하나의 서비스업으로

자리매김했다고 생각합니다.

비슷한 선비를 내고 어느배를 탈것인지는 

조사님들의 몫이지요~

우리 현명하신 조사님들의 탁월한 선택하시길 바라며 

포시즌호는 늘 그자리에서 조사님들 기다릴께요


포시즌호와 함께 좋은 추억만 가져가세요

 

 

네비주소 :경상북도 포항시 북구 해안로 515 여남방파제

예약문의

010-7136-1235

수협

0010-7136-1235

김나경

nopic_cptn.jpg

포항포시즌호

포항포시즌호

이진 선장

590
항구명 포항여남항
승선인원 20명
출조점명 포항포시즌호
배 타는 곳
홈페이지 바로가기 Click
낚시뚜

Who's 포시즌호

profile

List of Articles
번호 제목 글쓴이 날짜 조회 수
공지 (꼭 읽어주세요)조황게시판 운영방침 2 어부지리(민평기) 2013.03.01 57643
59174 영덕강구 도다리 참가자미 내일도 출항합니다 예약중 file 신신호 2022.04.20 58
59173 미래시크릿호 문어지깅~ file 강릉미래시크릿호 2022.04.19 131
59172 태창호)왕도다리&참가자미 타작이욜~!수:오전9시여유 태창호막내선장 2022.04.19 50
59171 씨알좋은 도다리.참가자미.손님고기쭈꾸미 포항선상자이언트 2022.04.19 56
59170 도다리 참가자미 대물쏟아짐 오후최종!! 살아있눼 수 목 금 쭉 예약중 대양호선장 2022.04.19 82
59169 카이져호 왕도다리,참가자미 수요일 운동장으로 모십니다 신신카이져신신낚시 2022.04.19 34
59168 4/19 왕대구 조황 임원항대진호 file 대진호 2022.04.19 296
59167 19일최종 가자미잘잡는 뉴스피드호 마리수 초대박조황 포항뉴스피드호 2022.04.19 46
59166 포항여행 필수코스~도다리.쭈꾸미 선상~절찬리에 보 제우스-신항만버스낚시 2022.04.19 74
59165 태창호)쉽다쉬워~!참가자미'쿨러모음'수:9시여유석! 태창호막내선장 2022.04.19 30
59164 포항초보자도다리조황 내일수요일모집중입니다 스파르타호 2022.04.19 14
59163 동해피싱ㅡ도다리 선상조황 동해피싱호 2022.04.19 45
59162 뉴대양호)))도다리 참가자미 오후현재상황!!및오전 수족관들!! 내일수 목 금 오전반 오후반모셔요 대양호선장 2022.04.19 26
59161 《강양호》갑오징어 조황 굿 ᆢ 울산강양호 2022.04.19 73
59160 19일현재 도다리,가자미 1타2피3피로 타작중 수,목~ 포항뉴스피드호 2022.04.19 25
59159 19 실시간 [왕도다리&가자미 타작~대왕문어서비스] 수목 운동장 예약중!! 포시즌호 2022.04.19 42
59158 4-19(실시간)왕도다리.왕참가자미~~수7시집결 킹덤호 2022.04.19 32
59157 도다리랑 쭈꾸미랑 현상황 포항선상자이언트 2022.04.19 44
59156 성복호 내일 다잡아 출조예약받습니다 공현진비너스&성복호 2022.04.19 95
59155 21인승비너스호 내일 대왕문어 출조예약받습니다 공현진비너스&성복호 2022.04.19 76
59154 실시간 봄도다리or어복조황~절찬리에 예약중입니다. 제우스-신항만버스낚시 2022.04.19 25
59153 ((임원 태평양호)) 임원항 왕대구 23일 토요일 출조합니다 쭈욱달려봅니다 임원항태평양호 2022.04.19 157
59152 도다리 대박 초보체험생활선상낚시(모듬회) file 청주낚시대박호 2022.04.19 20
59151 18일] 미르호 왕대구 포항미르호 2022.04.19 113
59150 도다리 참가자미 우당탕 지금이순간!!과 어제꺼! 수 목 금 토 일 오전오후 막나갑니다 대양호선장 2022.04.19 44
59149 뉴스타호______4월20일. 황열기대구출조 예약받습니다 file 강원고성뉴스타호 2022.04.19 85
59148 루어밤뽈락 ~초보조사님들 ~굿~ 경민피싱 2022.04.19 33
59147 카이져호 왕도다리,참가자미 풍성 합니다 수요일 운동장 신신카이져신신낚시 2022.04.19 38
59146 22인승 샤크마린 4.20,21,22 수목금 대왕문어 출조가실분들 연락주세요 샤크마린 2022.04.19 50
59145 봄나들이~최고!!포항 제트호~도다리낚시!!수요일부터~ 신항만Z제트호 2022.04.19 130
59144 18일)최종!참가자미 쿨러타작!수:오전9시여유석! 태창호막내선장 2022.04.19 34
59143 18최종[ 폭팔적이였던 왕도다리&가자미 ] 수목예약중 포시즌호 2022.04.19 18
59142 22년 4월 18일 울진 죽변항 덕성호 도다리 조황 file 해명해신 2022.04.18 108
59141 뉴대양호 참가자미 도다리 푸짐~~하게 미션완료 오늘자! 화 수 목 오전오후 쉬지않고 달려요 대양호선장 2022.04.18 77
59140 동해안 캐스팅광어낚시 에깅액션에 퍽^^ 시즌 시작 file 후니호선장 2022.04.18 133
59139 포항초보자도다리주말조황 내일화요일오전모집중입니다 스파르타호 2022.04.18 25
59138 22인승 공현진 용마호 피문어조황 용마호 2022.04.18 294
59137 도다리 참가자미 조황,매일 출항 합니다. 쭈욱 예약중~~~ file 신신호 2022.04.18 38
59136 21인승비너스호 내일 대왕문어 출조예약받습니다 공현진비너스&성복호 2022.04.18 81
59135 벵에돔^^타작입니다 신용인호 2022.04.18 34
59134 봄도다리.쭈꾸미ㅡ입항전 조황~좋다.좋아ㅡ예약중입니다. 제우스-신항만버스낚시 2022.04.18 63
59133 포항쭈꾸미 포항만진호 2022.04.18 86
59132 내일 22인승 문어 낚시 출조 모집합니다. 공현진낚시마트 2022.04.18 64
59131 4월18일 금강스카이피싱호 조황입니다. 금강스카이호 2022.04.18 28
59130 동해호 조황 속초배낚시 2022.04.18 89
59129 4월16일 금강스카이피싱호 조황입니다. 금강스카이호 2022.04.18 19
59128 4-18(현상황)왕도다리~마리수굿.화8시 운동장 킹덤호 2022.04.18 31
59127 18실시간 : 타작했네유~왕도다리&가자미 : 화 운동장 포시즌호 2022.04.18 43
59126 포항선상낚시~도다리.쭈꾸미가 쿵탁쿵탁 ~절찬리에 예약 제우스-신항만버스낚시 2022.04.18 100
59125 18일)참가자미&도다리!쌍걸이로~!수:오전9시 여유석! 태창호막내선장 2022.04.18 20
59124 도다리 참가자미 퍽퍽퍽!!뉴대양호현재!! 화 수 목 오전오후예약시작 대양호선장 2022.04.18 41
59123 강릉동원호 문어지깅조황 강릉동원호 2022.04.18 195
59122 17최종편 : 간추린 뉴스~왕도다리&가자미 : 화운동장 포시즌호 2022.04.18 29
59121 성복호 대왕문어조황 4/17 file 공현진비너스&성복호 2022.04.18 167
59120 21인승 비너스호 문어조황 4/17 file 공현진비너스&성복호 2022.04.18 127
59119 왕도다리~~화8시 예약중 자리 많습니다 킹덤호 2022.04.18 23
59118 《강양호》갑오징어 조황 굿 ᆢ 울산강양호 2022.04.18 55
59117 정도로스 씨알굿 도다리 생활낚시 선상조황입니다. 오전조황 20인승전문출조정도로스 2022.04.18 69
59116 가자미 포인트에 문어가 많은가봅니다. 포항선상자이언트 2022.04.18 60
59115 봄나들이!!포항 도다리 참가자미~수목금 기상굿!!♡ 신항만Z제트호 2022.04.18 52
목록
Board Pagination Prev 1 ... 600 601 602 603 604 605 606 607 608 609 ... 1591 Next
/ 1591