한국어
(東)동해조황

- 배너를 클릭하면 해당 출조점의 홈페이지가 열립니다
낚시뚜에서 어부지리로 보내는 자동조황
top01.png

포항제우스호

포항 제우스호

top02.png
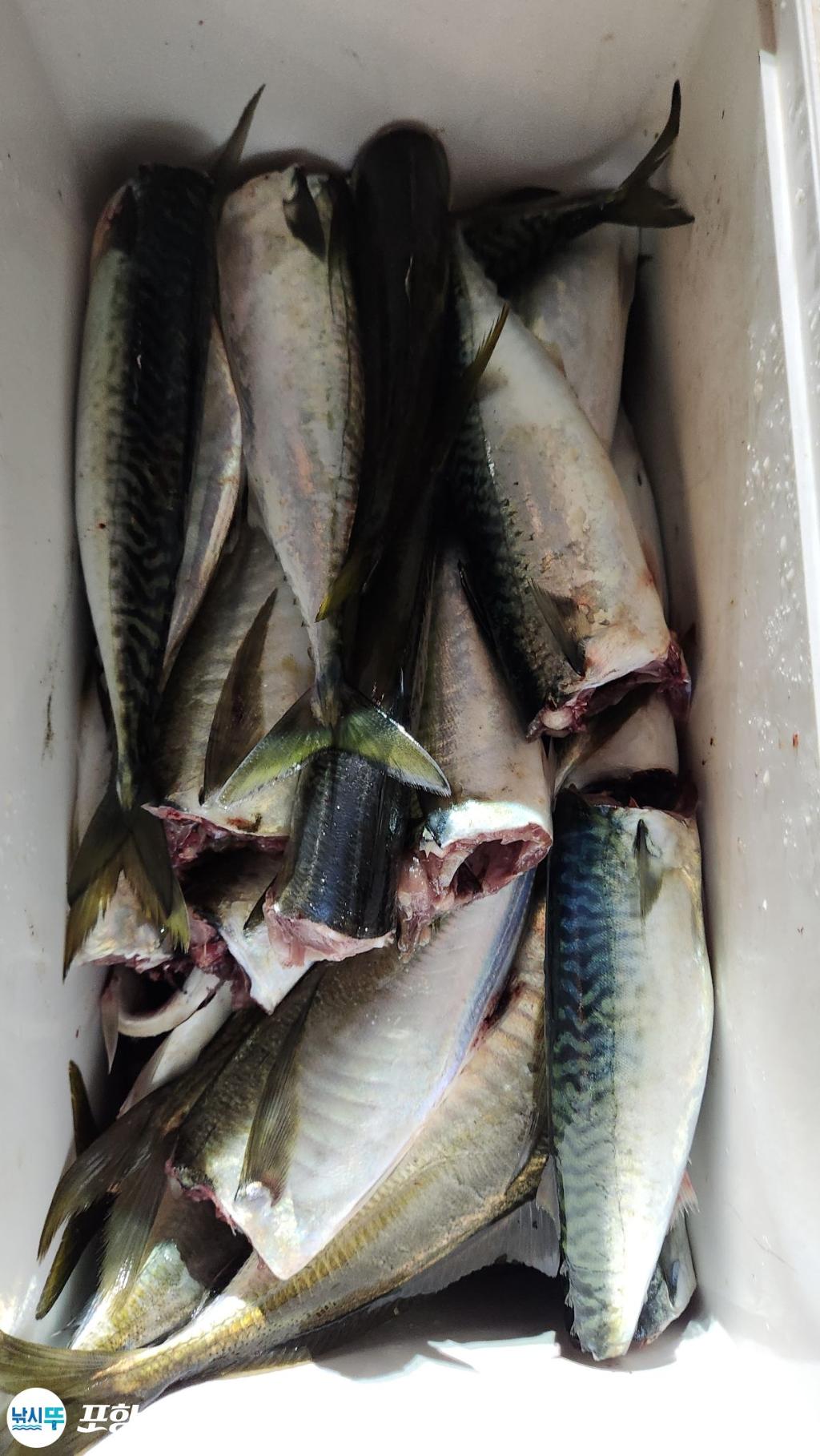
포항선상낚시 실시간 슈퍼전갱이.고등어 뿜뿜 쿨러조황~바다날씨 좋은 월.화.수요일 출항~절찬리에 예약중입니다.
· 출조일시2025-08-02(토)
· 출조인원1명
· 어종고등어,전갱이

포항선상낚시

제/우/스/호

Best Of Best


문의 

010-7234-8522


농협

717042-56-021254

손홍린

 

포항시 북구 흥해읍 영일만항로 116.
몬스터피싱으로 오십시요.

NAVER BAND

 

블로그 참조

blog.naver.com/kogji0805

 

제우스호의 특징


타 선박이 절대 흉내조차 낼 수 없는 제우스만의 특징

개인간격이 넓어야만

​옆 사람하고의 채비 엉킴을 최소화할 수 있습니다.


​제우스호는 배 길이가 28m

특히나 요즘같은 시국에서는

낚시 개인 간격이 최소 2m이상은 되어야 안심이 되겠죠

2m 이상 되는 선상배 없어요


# 전국에서 가장 크고 "배 길이 28m" 최대형 안전한 선상전용배

설계도면 그대로 건조한 것도 제우스호가 유일하죠


#통로폭이 "1m50cm 엄청 넓어서 배 앞뒤 어디에서도 마음놓고 낚시가능

#남녀 화장실 따로,, 여자 화장실이 선실 내부에 깔끔하게 준비되어있지요

#배 앞뒤 평행수로 배 흔들림 최소화~멀미 최소화~

#넓은 휴식공간 두 곳~배 바닥 나무로 마감~ 그냥 앉아서 편안하게


​#법적 안전 장비,해상안전보험 120% 가입 

#그 외는 타 선박이 쪼매는 따라 할 수가 있는 것들~~ 

 

실시간 포항선상낚시 슈퍼전갱이.고등어 뿜뿜ㅡ조황입니다.
현재ㅡ이상황에서 못잡는게 이상하겠지요~

바다날씨는 쭈욱 좋아질 예보입니다.
내일도~
모래도~
저모래도~
저저모래도요~

포항선상낚시 슈퍼전갱이 잡는 신공이신분들이 많습니다.
바닥까지 쭈욱 내릴수만 있다면 덜커덕하고~잡아잡아.
회초밥으로 전갱이만한게 없을정도로 맛납니다.
다들 아실텐데~
온니 한놈만 잡는분도 계십니다.
전갱이만~
맛을 아시는 분~

바다날씨 좋고~
여름휴가~시작~
포항여행~좋아좋아~

8월3일ㅡ일요일.
8월4일ㅡ월요일.
8월5일ㅡ화요일.
8월6일ㅡ수요일.
오후6시30분 집결~절찬리에 예약중입니다.

즐겁고 행복한 시간되소서~
포항.제우스.
010-7234-8522.

■슈퍼전갱이.고등어 선비■
선비ㅡ8만원.
낚시대ㅡ대여ㅡ1만원.
출항~오후6시30분 집결~
채비ㅡ
추.메탈ㅡ20g~60g.조류에 따라 변동.
수심ㅡ날마다 다름.
채비ㅡ어피ㅡ2단~3단.
미끼ㅡ크릴ㅡ제공합니다.
선사에서 구매가능.

■ 돌문어 선비■

선비ㅡ8만원.
낚시대 대여ㅡ1만원.
채비ㅡ3단 애기채비.
추ㅡ40호.50호.
출항시간ㅡ오전8시~14시.
계절에 따라 출항시간은 변동이 있을수 있습니다.

■자리는 선착순입니다■

*******
누구나ㅡ처음 선상낚시 입문하시는 분들도 ok.
잘 하시는 분들도 ok.

시간되는데 바다구경이나 할까?
ok.

포항여행왔는데 몸만 오면 되는 낚시 ok.

단체모임 완전 ok.

초보ㅡ대환영 ok

평일ㅡ오후반 단체ㅡ소수 인원 출항 사전 예약 ok

■ 출항일정 안내입니다 ■

8월2일ㅡ토요일ㅡ오후ㅡ6시ㅡ오징어or고등어.전갱이ㅡ 출항~마감되었습니다.

8월3일ㅡ일요일ㅡ오후ㅡ6시30분ㅡ집결ㅡ고등어ㅡ슈퍼전갱이ㅡ출항~절찬리에 예약중입니다.

8월4일ㅡ월요일ㅡ오후ㅡ6시ㅡ30분ㅡ고등어.슈퍼전갱이 출항~절찬리에 예약중입니다.

8월5일ㅡ화요일ㅡ오후ㅡ6시30분ㅡ집결ㅡ고등어.슈퍼전갱이ㅡ출항~절찬리에 예약중입니다.

8월6일ㅡ수요일ㅡ오후ㅡ6시30분ㅡ집결ㅡ고등어.슈퍼전갱이ㅡ출항~절찬리에 예약중입니다.

8월7일ㅡ목요일ㅡ오후ㅡ6시30분ㅡ집결ㅡ고등어.슈퍼전갱이ㅡ출항~절찬리에 예약중입니다.

■바다날씨~변수는 항상 있을수 있사오니
출항전 선사에 꼭 한번 더 문의하시기 바랍니다■

♡제우스호♡

선사에는
생수.
커피믹스.
장갑.
컵라면.
준비되어
있습니다.

남여ㅡ구분ㅡ
여성전용 화장실이 별도로 있어
편리합니다.

선상낚시중 안전에 있어서 최고를 자부하는 넓은 통로와
평행수 탑재~
이보다 더 좋을수는 없다.

대형선박.
길이ㅡ28미터.
폭(통로)ㅡ1.4미터.
넓어서 좋아요.

■출항선비 환불■

1ㅡ출항전ㅡ3일전.2일전.1일전.당일 접수시에도 취소.환불.일정변경이
되지않습니다.

2ㅡ예약완료시 취소.환불.일정변경이 되지 않습니다.

3ㅡ종일선상 예약시 두타임중 기상악화로 한타임만 출항할 경우 취소되지 않습니다.
반나절 선비는 환불해드립니다.

4ㅡ기상악화 출항하지 못할 경우 100%환불됩니다.

기상악화시 동해안 특성상 갑작스런 돌풍이 예보된 경우 출항전 몇시간전에도 선장이 안전을 위해 취소되는 경우도 있으니 ■숙박시설■ 이용시 참고하시기 바랍니다.
궁금하신 사항은
언제든지 연락주십시요~
친절하게 최선을 다해 답변드리겠습니다.
포항.제우스.
010-7234-8522.
https://band.us/
@pohangzeus8522
#포항선상낚시 #포항여행 #포항낚시#전갱이 #바다낚시#포항배낚시
#고등어#전갱이#오징어#돌문어
F2737689C4.jpg

F27376880F.jpg

F2737687Y0.jpg

F273768649.jpg

F2737685Q4.jpg

F2737684PS.jpg

F2737683A1.jpg

F27376827G.jpg

F2737681FI.jpg

F2737680L4.jpg

F27376798C.jpg

F2737678FR.jpg

F2737677VL.jpg

F27376768S.jpg

F2737675EL.jpg

F2737674JX.jpg

F2737673UU.jpg

F2737672SP.jpg

F2737671VH.jpg

F2737670U6.jpg

F273766954.jpg

F2737668SL.jpg

F2737667HO.jpg

F2737666SA.jpg

F2737665M4.jpg

F2737664IZ.jpg

F2737663EM.jpg

F2737662KU.jpg

F2737661LI.jpg

F27376607A.jpg

F2737659DH.jpg

포항 영일만항

제/우/스/호


문의 

010-7234-8522


포항시 북구 흥해읍 영일만항로 116.

몬스터피싱으로 오십시요.


예약은 입금 순선대로 접수 받고 있습니다.

 

 

■ 대구지깅 선비 ■

선비ㅡ115,000원.
출항시간ㅡ
오전7시~오후3시.

채비ㅡ봉추450g~500g

낚시대ㅡ2만원.
2절 루어대ㅡ1m90~2m10
전동릴ㅡ3000.
합사ㅡ3호~4호.

전동릴ㅡ낚시대ㅡ2만원.선착순.
전동릴 사용  경험자.

■ 도다리선비 ■

선비ㅡ7만원.
낚시대 대여비ㅡ베이트릴ㅡ1만원.

청개비.
바늘.
L자 편대
추ㅡ50호는 무료제공.
낚시대ㅡ1대 사용.

■ 자리는 선착순입니다 ■

*******
누구나ㅡ처음 선상낚시 입문하시는 분들도 ok.
잘 하시는 분들도 ok.

시간되는데 바다구경이나 할까?
ok.

포항여행왔는데 몸만 오면 되는 낚시 ok.
단체모임 완전 ok.
초보ㅡ대환영 ok

평일ㅡ오후반 단체ㅡ소수 인원 출항 사전 예약 ok
 

 제우스호 환불 규정

## 출항 3일전 취소시 환불 불가 ###

### 예약 완료 시 날짜변경 &환불 불가 ###

###기상 악화로 출항 취소시 100% 환불 해드립니다###


### 기상악화 출항여부는 당일 날짜,

시간대와 상관없이 천재지변이므로, 

안전과 관련된 사항으로 

출항을 하지 못할 수도 있으므로 

숙박시설 예약시 참고하시기 바랍니다.


!! 여성 전용 화장실이 따로 있습니다 !! 


이유없이 빵구내고 전화 안받고 하시는 몇몇 분들 때문에 조금 불편하셔도 입금 부탁드립니다.(죄송....)


NAVER BAND 

 

블로그 참조

blog.naver.com/kogji0805

 

농협

717042-56-021254

손홍린

 

 

네비주소 :포항시 북구 흥해읍 용한리 7ㅡ8번지

예약문의

010-7234-8522

농협

717042-56-021254

손홍린

nopic_cptn.jpg

포항제우스호

포항 제우스호

손용철 선장

F0952239OS.jpg
항구명 영일만항
승선인원 20명
출조점명 포항제우스
배 타는 곳영일만신항북방파제
홈페이지 바로가기 Click
낚시뚜

List of Articles
번호 제목 글쓴이 날짜 조회 수
공지 (꼭 읽어주세요)조황게시판 운영방침 2 어부지리(민평기) 2013.03.01 57648
93516 5일 어제야간돌문어 쭉쭉 뽑기. .^^ 금일출항 구룡포뉴해마호 2025.08.06 27
93515 주간돌문어쿵쾅실시간!!(목~일 주간돌문어 야간고등어예약중) 대양호선장 2025.08.06 25
93514 돌문어~목.금.토 밤문어 예약중 킹덤호 2025.08.06 31
93513 대삼치 타격! & 야간문어 출항재개합니다. (목,금,토,일-모집중!) 20인승전문출조정도로스 2025.08.06 24
93512 여수돌문어 목요일부터 계속 출항합니다. 주중 선비 6만원 쭉 이어갑니다. 여수다온호 2025.08.06 25
93511 《돌문어 가보자구~!새벽타임도! 목,금,토 절찬예약중!》 태창호막내선장 2025.08.06 23
93510 태창2호 밤볼락 목 금 토 일 출조모집 태창호 2025.08.06 24
93509 야간 대전갱이/대삼치-오늘(수)오후/,목,금,토,일(모집) 읍천테크호 2025.08.06 30
93508 시장급고등어와 대전갱이 오늘도 출조모집중 포항시프랜드호 2025.08.06 40
93507 5일,화, 야간돌문어 조황입니다 구룡포뉴해마호 2025.08.06 31
93506 실시간 포항선상낚시 슈퍼전갱이 뿜뿜 쿨러조황~ 제우스-신항만버스낚시 2025.08.06 37
93505 ( 수목금예약중)왕고등어 전갱이 쿵쾅타작실시간!! 대양호선장 2025.08.06 30
93504 임원항태평양호 왕대구 출조 임원항태평양호 2025.08.05 99
93503 오대양호 문어 조황 입니다! 강릉낚시배사화진호 2025.08.05 35
93502 대구라바 만만쿨! ㅎㅎ 좋습니다 강릉낚시배사화진호 2025.08.05 81
93501 강릉 성훈호 250805화 피문어, 대왕문어 배낚시 조황 크라켄 히트!!(성훈호낚시TV) 강릉성훈호 2025.08.05 60
93500 8월 5일 강릉 사천 홀리호 피문어 조황입니다 홀리호 2025.08.05 34
93499 공현진 블랙이글스호 대구조항 고성블랙이글스 2025.08.05 64
93498 강원 고성 청룡호 피문어 조황 및 출조모집 목금토일꽝없는 이벤트중 아야진드래곤피싱 2025.08.05 62
93497 #임원항 #경주호 #왕대구조황 임원항경주호 2025.08.05 72
93496 거진항 해신호 대구라바 조황 거진항해신호 2025.08.05 80
93495 태창2호 볼락조황 목금토일 오후6시 출조모집 태창호 2025.08.05 29
93494 락피싱 출항 블루호 2025.08.05 26
93493 ■강릉항 유레카호■ 3시간 선상체험낚시 조황 올립니다. 강릉항유레카호 2025.08.05 33
93492 [25.08.05] 공현진 신풍호 어구가자미 조황 공현진신풍호 2025.08.05 58
93491 캐스팅 대삼치들ㅡ출조변경ㅡ모집중! 블루탱호 2025.08.05 30
93490 포항 문어 전문선사 빈스호 ♡ 늘 호조황 !! 빈스호(포항) 2025.08.05 28
93489 8월 5일 장호항 드림호 왕대구 조황 드림호(장호항) 2025.08.05 67
93488 임원항써니호 대구조황입니다 임원항써니호 2025.08.05 83
93487 5일 참가자미 잘 나오네요 신성호 2025.08.05 29
93486 오늘도 대 삼치들과 사투 감포씨스타호 2025.08.05 29
93485 3일 야간돌문어조황과 왕대구출항 구룡포뉴해마호 2025.08.05 50
93484 임원항드래곤호 왕대구 조황입니다 드래곤호임원항 2025.08.05 105
93483 야간 왕고등어 생활선상낚시 재미납니다 대박난대박호 2025.08.05 48
93482 실시간 주간돌문어!!뿍찍뿍찍!(주간돌문어 야간고등어전갱이)렛츠고우 대양호선장 2025.08.05 37
93481 포항 돌문어 오늘 6시출항 모집중 여유석 많으니 문의 주세요! 라이징호 2025.08.05 39
93480 8/5)실시간 대빵 빅사이즈 대삼치 읍천테크호 2025.08.05 36
93479 오늘부터 다시 슈퍼전갱이 만쿨하러 가시죠 file 읍천나까낚시 2025.08.05 32
93478 왕!! 고등어전갱이! (오늘밤과 수목금모집중 주간은돌문어) 대양호선장 2025.08.05 31
93477 대구지깅 강릉항금강호 2025.08.05 67
93476 야간 슈퍼 대전갱이 굿~굿//대삼치-화,수,목~(모집) 읍천테크호 2025.08.05 34
93475 실시간 포항선상낚시 슈퍼전갱잊고등어ㅡ뿜뿜 쿨러조황~ 제우스-신항만버스낚시 2025.08.05 29
93474 8월 4딜 강릉 사천 홀리호 피문어 조황입니다 홀리호 2025.08.04 56
93473 일욜 야간 돌문어 조황.. 감포화성호선상낚시 2025.08.04 55
93472 캐스팅 대삼치들ㅡ요즘 포인트 환경! 블루탱호 2025.08.04 49
93471 속초보스호 8/4 월요일 대왕문어지깅...선비인하보고 캡틴블리츠피싱 2025.08.04 91
93470 공현진 22인승 창명호창명낚시마트 왕문어 조황 창명낚시마트 2025.08.04 116
93469 >> 돌문어 끌여올려~!!!!(수목금 예약중) 포항포시즌호 2025.08.04 41
93468 비바람 천둥에 회항(내일 오전오후.수.목모딥중입니다) 읍천몬스터호 2025.08.04 34
93467 《돌문어 막뜯어 막잡아!_목,금,토 여유석!》 태창호막내선장 2025.08.04 45
93466 속초 대박호 출항일지 속초대박피싱 2025.08.04 67
93465 화수(주간돌문어)(야간왕고등어전갱이)렛츠고 대양호선장 2025.08.04 26
93464 [미르호 대구 조황] 8월 4일, 초보 조사님들과 쿨러 채운 하루! 공현진낚시마트 2025.08.04 91
93463 08.03 모이라호 돌문어 조황 우천시에도 안전하게 좋은 조과로^^ file 모이라호 2025.08.04 24
93462 야간 전갱이 폭발 조황 쿨러 부족 감포씨스타호 2025.08.04 45
93461 0801 모이라호 돌문어 조황 구룡포로 다들 모이세요~!~! file 모이라호 2025.08.04 32
93460 8-3(현상황)돌문어~목.금.예약중 킹덤호 2025.08.04 21
93459 8월3일.야간 돌문어조황 입니다 구룡포뉴해마호 2025.08.04 25
93458 묵호항 대구조황입니다 묵호항쌈바호 2025.08.04 82
93457 태창2호 일요일 볼락 쿨러조황 목 금 토 일 밤볼락 출조모집 태창호 2025.08.04 21
목록
Board Pagination Prev 1 ... 28 29 30 31 32 33 34 35 36 37 ... 1591 Next
/ 1591