한국어
찌낚시조황

- 배너를 클릭하면 해당 출조점의 홈페이지가 열립니다

27일(수) 거제 학산마을 출발, 오전 감성돔 낚시 "가고파호"(철수)조황입니다.
※ 주차하고 선착장까지 바로 연결되어 편리합니다.

금 토 일 기상 물때 끝내주네요~
☆29일(금요일) 거제 감성돔 오전 흘림낚시 "예약 가능"
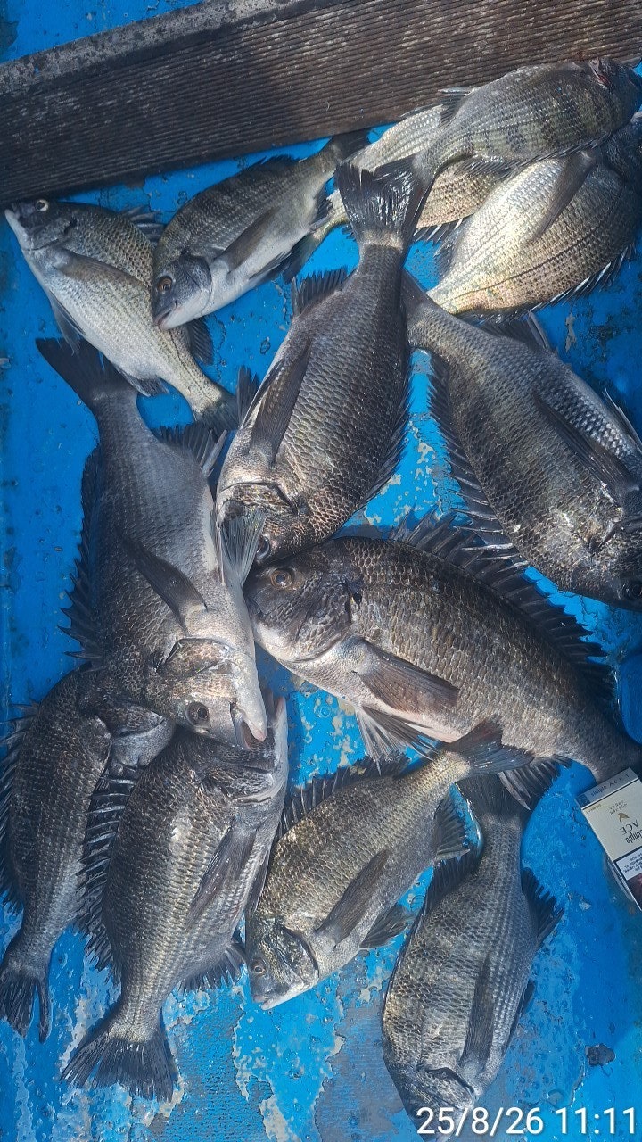
(감성돔)대물 입성~5짜급 49Cm 외 중치급들 소나기 HIT~
※ 여름 오전낚시는 사이즈 마리수 탁월합니다 오전 8만원
  • 사용자가 올린 이미지

거제도 학산마을 출발, 감성돔 전문 출조점 가고파호입니다.
오전낚시 포인트 내 대물 감성돔들이 제대로 진입한 듯 오늘도 씨알
좋은 감성돔의 입질을 받아낼 수 있었습니다. 몇 번의 위기가 있었지만
수면 위로 떠오른 대물 감성돔에 5짜를 기대했지만 아쉽게 1Cm 빠진
49Cm네요.. 꾸준한 조황이 이어지고 있으니 기록 갱신도 한번 노려보십시오~
내일부터 쭉~ 예약 가능합니다.

씨알 좋고 마리수까지 좋은 시즌이 본격 시작됩니다. 차주 주말까지 좋은
물때 구간이 이어집니다.
29일(금요일) 거제 출발 감성돔 오전 흘림낚시 예약 가능합니다~
오늘도 거제 가고파호와 함께해주신 조사님들 수고 많으셨습니다.

▣ 가고파호 감성돔낚시 오전타임(8만원) 일정 안내 ▣
☆29일(금요일) 거제 감성돔 오전 흘림낚시 "예약가능"
☆30일(토요일) 거제 감성돔 오전 흘림낚시 "예약가능"
☆31일(일요일) 거제 감성돔 오전 흘림낚시 "예약가능"
- 주중, 주말 예약 가능합니다.

▩ 가고파호(선상) ☎ 010 8553 7868
▩ 가고파호 밴드 http://band.us/@gagopaho
▩ 주소 :거제시 둔덕면 학산3길 81 (舊주소:둔덕면 학산리 109번지)
  • 사용자가 올린 이미지
  • 사용자가 올린 이미지
  • 사용자가 올린 이미지
(26일 마릿수 조황 첨부합니다~)
  • 사용자가 올린 이미지
  • 사용자가 올린 이미지
  • 사용자가 올린 이미지
  • 사용자가 올린 이미지
▩ 감성돔 선상 흘림 낚시 안내 ▩
(평일 오전낚시) 04:30 ~ 11시 철수 8만원
- 생수,커피,라면,초장등, 낚시장비만 가지고 오세요

▩돌문어 출조 시간 및 선비 안내 ▩
(평일 종일) 05:00~14:00 전후,
- 문어라면 제공,음료, 생수 제공합니다.
- 가족팀/회사팀/동호회팀은 독배 상시 예약가능.
※ 낚시장비(무료) 대여 가능, 구명복 필요하신 분은 예약 시 전달 요청.

▩ 가고파호(선상) ☎ 010 8553 7868
▩ 가고파호 밴드 http://band.us/@gagopaho
▩ 주소 :거제시 둔덕면 학산3길 81 (舊주소:둔덕면 학산리 109번지)
  • 사용자가 올린 이미지

Who's 거제가고파호

profile

List of Articles
번호 제목 글쓴이 날짜 조회 수
공지 (제목에 실시간* 표기된) 조황은 실시간게시판으로 이동 또는 삭제됩니다 secret 어부지리 2020.09.21 189
25609 (랜딩영상)대물 입성~6방 팅 5짜4짜3짜 참돔 타작~신성호(9일 출동) 신성피싱 2025.09.08 9
25608 (감성돔)4짜4짜4짜4짜 대물들 속출~HOT포인트 클라스~대양호(9일 예약) 대양호통영 2025.09.08 10
25607 고성드래곤 어초 감시 흘림 조황 file 고성드래곤피싱 2025.09.07 19
25606 돌문어 예약중 1인자 2025.09.07 18
25605 내만권 4짜 감성돔 외 마릿수 조황입니다...(덴마) file 통영나룻터낚시 2025.09.07 23
25604 선외기(가성비짱) 감성돔들과 돌문어들 가득~대어선외기(8일 예약 거제대어선외기 2025.09.07 12
25603 (다대포)와라락~본류 흘림 참돔 부시리 꾸준히~용진호(8일 예약) 부산용진호 2025.09.07 17
25602 (감성돔)4짜 外 3짜 마릿수 폭격~초딩 조사님 장원~대동낚시(9일 예약) 대동낚시 2025.09.07 16
25601 (참돔 부시리)본류대 美친파워~손맛 충전 성공~거제대어낚시(8일 예약) 거제대어낚시 2025.09.07 17
25600 (감성돔)아침 피딩~4짜외 4짜급 3짜들 소나기 HIT~가고파호(8일예약) 거제가고파호 2025.09.07 11
25599 ((경남고성 주인호))주인호 일요일 감성돔 마릿수조황~ file 주인피싱 2025.09.07 17
25598 (동영상)해금강권 5짜4짜 참돔떼 大전갱이까지 대성공~신성호(8일 출동 신성피싱 2025.09.07 9
25597 (감성돔)팅 팅 대물들 속출 4짜4짜4짜4짜 손맛~대양호(8일 예약) 대양호통영 2025.09.07 10
25596 감성돔흘림 예약중 1인자 2025.09.06 16
25595 (감성돔)한 분 오전 피딩~중치급들 마릿수~제일호(7일 오전 예약) 거제제일호 2025.09.06 17
25594 (선외기)추석 준비 한방에~감성돔팀 돌문어팀 전원 손맛~(7일 예약) 거제대어선외기 2025.09.06 21
25593 (동영상)절호의 찬스~참돔들이 美쳤네요 쏟아집니다 거제대어낚시(7일 예약) 거제대어낚시 2025.09.06 12
25592 감성돔(오전)본격 가을 시즌~중치급들 마릿수 손맛~가고파호(7일예약) 거제가고파호 2025.09.06 11
25591 ((경남고성 주인호))주인호 토요일 감성돔 조황~ file 주인피싱 2025.09.06 18
25590 (감성돔)제수 고기용 대물들 속출~복수전 예약 中~대양호(8일 예약) 대양호통영 2025.09.06 10
25589 거제도(감성돔) 팅~터져 나가도 굵은놈들 달라 듭니다~대동낚시 (7일 예약) 대동낚시 2025.09.06 10
25588 (다대포)대물과의 한판승부~참돔 부시리 쓸어담네요~용진호(7일 예약) 부산용진호 2025.09.06 13
25587 대물8방 팅~ 힘좋은 감성돔들 손맛!!! 내일도 출동!!! 1 file 거제최강피싱 2025.09.06 15
25586 [동영상] 충전이 필요할 때. 거제 빅토리호로 오세요. 빅토리정 2025.09.06 7
25585 (조기철수)6짜5짜4짜 참돔 외 大전갱이 너무 많아요~신성호(7일 출동) 신성피싱 2025.09.06 15
25584 대물 4방 팅~ 힘좋은 감성돔들 손맛 중!!! 내일도 출동!!! file 거제최강피싱 2025.09.06 8
25583 유촌 형만레저 선외기 감성돔흘림 조황입니다 형만호(형만레저) 2025.09.05 12
25582 감성돔 예약중 1인자 2025.09.05 11
25581 내만권 4짜 감성돔 외 마릿수 조황입니다...(덴마) file 통영나룻터낚시 2025.09.05 14
25580 고성드래곤 어초 감시흘림 출조 토욜 자리여유 고성드래곤피싱 2025.09.05 9
25579 (선외기)대물 감성돔 2방 팅~4짜 외 돌문어 꾸준한 HIT~(6일 예약) 거제대어선외기 2025.09.05 10
25578 (감성돔)대물 속출~터지고 빠지고 손맛 대축제~대동낚시(7일 예약) 대동낚시 2025.09.05 15
25577 (감성돔)팅팅팅 총소리 울리고 4짜들 마릿수 체포~대양호(6일 예약) 대양호통영 2025.09.05 6
25576 (감성돔)마도 방파제 야간 씨알 마릿수 끝내줍니다~로마피싱(6일 예약) 로마피싱호 2025.09.05 8
25575 (흘림)5짜급 대전갱이 외 참돔떼 퍼 붓네요~신성호(7일 새벽 출동 신성피싱 2025.09.05 5
25574 (다대포)씨알급 참돔들 外 부시리 바글바글 끝장 손맛~용진호(6일 예약) 부산용진호 2025.09.05 4
25573 (참돔 부시리)한 분 美친 활성도~40수 오버 핫조황 거제대어낚시(6일 예약) 거제대어낚시 2025.09.05 10
25572 (감성돔)4짜4짜4짜 외 마릿수 터지고 빠지고~이만큼 대양호(6일 예약) 대양호통영 2025.09.05 7
25571 (감성돔)오전 피딩~1명 4짜급 외 중치급 타작~제일호(6일 오전 예약) 거제제일호 2025.09.05 6
25570 (오전)감성돔 군단 입성~씨알 마릿수 좋아요~가고파호(주말 예약 가능) 거제가고파호 2025.09.05 7
목록
Board Pagination Prev 1 ... 3 4 5 6 7 8 9 10 11 12 ... 648 Next
/ 648