한국어
(南)남해조황


어부지리바다낚시 내 조황글은 한번만 게시되어야 합니다.
cats_400_80_1.gif

================================================================
================================================================

88c5fa75de02314bd0c8d6fec5f4700e.jpg8a4f56fde8b9a29af4346090a6324758.jpgd9eb25add9e6fb00b9fd42621377b45c.jpgb6aa8216ad09b252fb628a88c2dfde35.jpg9fb7353126bb2026ce76ff7410b8201f.jpge45ff4bb72fcd1bd98af6e64c6a18a3f.jpg8c03e436617999447a5054898bc2dadf.jpg
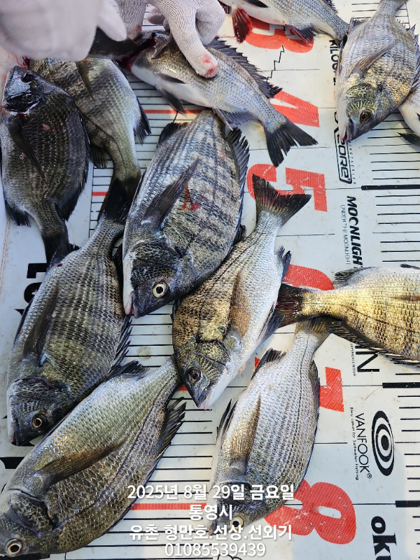
안녕하십니까 유촌형만레저 입니다

내만권.감성돔.흘림.카고 마리수 조과입니다.
내일 도전하일실분 모십니다
내만권 문어 도 많이 나오기시작합니다
오셔서 찐득한 손맛  보시러오세요
토요일.일요일.선외기.덴마 여유있습니다 
출조시 시원한 얼음물 이온음료 챙겨서오세요~^^
무더운 날씨에서도 찐득한 손맛 보시고 오셨습니다 



여기저기 히트히트 ~^^
 전원 찐득한 손맛 보시고 철수 하셨습니다
예약은 미리 해주세요~^^
오늘 하루도 수고하셨습니다 

미끼  크릴.혼무시챙겨오세요


선외기 어창.파라솔 준비되어 있습니다

내일.덴마예약가능합니다
주말.선외기.덴마여유

 
◆  선외기  이벤트 합니다! 
자세한 이벤트내용은 형만호 밴드에서 확인 가능합니다.
 ------------------------------------------ 
​<<유촌 형만레저 안내>>

예약전화 


010-8553-9439, 010- 5068-9439


형만레저 선외기,덴마(출조사항) 
<<선외기>>문어

1인 8만원
2인 9만원
3인 11만원
4인 13만원

(루어 출조시 2만원 추가)


<<덴마>>

덴마 1인 6만원, 2일 7만원, 3인 8만원



선비계좌

농협 823018-52-011741김영준


환불규정

5일전100%환불

3일전 50%환불

1일전 환불 불가


예약취소시 위 와같이 환불을해드립니다 

조사님들 양해부탁드립니다

 

<<배타는곳>> 
경남 통영시 도산면 저산유촌길119입니다
#형만레저#선외기#문어#유촌#선상#형만호#통영



*** 통영 형만레저 예약 안내 ***


예약문의 : 

 - 010-8553-9439

 - 010-5068-9439

오시는길 : 경남 통영시 도산면 저산유촌길 119


모바일.jpg



blank.png3



List of Articles
번호 제목 글쓴이 날짜 조회 수
246055 FM 피싱호 (감성돔흘림)~5짜.4짜.3짜까지 골고루ㅡㅡ미릿수는 대박조황이네요 ㅡ내일도 정상출조 합니다 Fm낚시 2025.09.02 19
246054 내일 문어가실분 모십니다(주말빅원이벤트중) 첼시피싱 2025.09.02 22
246053 준내만갈치)3지4지 날마다 만쿨대박(내일예약/수/목/일요일예약 진해최강리드 2025.09.02 20
246052 준내만갈치(텐빈. 텐야. 지깅) 날마다 만쿨! (일요일 예약가능) 진해우리피싱 2025.09.02 15
246051 통영비너스......"전원 20~35kg 까지 "대갈치 저녁8시30분부터 1타 4~9피....내일몇자리여유. file 통영비너스 2025.09.02 24
246050 중간쭈꾸미 소식..(내일 선비:6만원..쭈꾸미 종일반 자리 여유 있습니다) 여수푸른바다호 2025.09.02 28
246049 [텐빈]3.4지로.쿨러조황 (오늘출항확정.자리널널) 삼덕레저호 2025.09.02 13
246048 해모수호 돌문어 좋아요" 내일~주말 자리여유/선비5만원(식사0) 삼천포해모수호 2025.09.02 25
246047 유촌 충무호 오전 문어 ???? 실시간입니다 통영충무호 2025.09.02 18
246046 9/2입항 준내만갈치~사이즈,마릿수 굿굿^^화2,수욜예약됩니다~ file 진해만물낚시 2025.09.02 14
246045 갈치 초대박조황 계속 이어가고 있습니다 ~ 내일 6자리여유 ~갈치 잘 나오고 있습니다 ~ 쿨러가득 채우러 가실분들 연락주세요 ~ 여수베테랑피싱 2025.09.02 52
246044 쭈꾸미 조황 누리호 2025.09.02 24
246043 오늘 야간문어 예약가능~1일 야간 땡겨올리기바빠요 바빠 진해제네시스호 2025.09.02 18
246042 통영뉴2018미라클호)갈치루어!손맛좋고입맛좋고 통영2018미라클호 2025.09.02 18
246041 (여수타이슨호) 쭈꾸미 연일 대박입니다!! 내일도 무조건 나갑니다!! 여수타이슨호 2025.09.02 22
246040 9/1먼바다갈치(지깅,텐빈,텐야)조황~여수 스카이호 여수스카이 2025.09.02 25
246039 오늘오호 야간문어 출조확정 정판수낚시마트(블랙스타호) 2025.09.02 21
246038 오늘 자리있습니다 먼바다 통영갈치 신세계호 신세계피싱 2025.09.02 14
246037 준내만갈치 대치들 쿨러가득~얼음녹여가며 손맛보고~예약가능 진해한주피싱 2025.09.02 19
246036 통영스카이호...."" 초.초.초.초.초 대~박"""...대갈치 전원 만만땅....최고의 조황으로 달립니다 ..내일 6자리 예약가능 file 통영스카이호 2025.09.02 32
246035 준내만 갈치 새벽 타임 씨알,마리수 둘 다 대박입니당~~(수욜부터 예약 가능) file 나드리 2025.09.02 15
246034 여수권 초초초대박~~~말이필요없는조황~~~4일부터 자리여유 여수그랜드맥스호(여수) 2025.09.02 28
246033 ((먼바다 왕갈치))초저녁부터 미친듯이 폭풍입질에 쿨러만땅 내일 수ㆍ목(예약가능자리완전텅텅 짱피싱 2025.09.02 23
246032 원도권 4지 텐빈 대박이네요 거제대양피싱 2025.09.02 17
246031 [거제블루]먼바다 갈치텐빈 3지4지 대갈치 만쿨행진 이어지고 내일 자리여유~~ 뉴블루 2025.09.02 17
246030 준내만갈치 3지4지 퍽퍽합니다~화요일예약가능 뉴고니호 2025.09.02 22
246029 갈치텐빈 씨알좋고 손맛좋고 갈치풍년(신아라) 진해바다낚시 2025.09.02 23
246028 느나!느나! 여수 쭈꾸미 미친 조황임다! 여수찰리호매니저 2025.09.02 34
246027 고흥녹동 돌문어 굿굿 조황 고흥녹동/청룡호 2025.09.02 30
246026 원전항)신조선9톤 내만갈치 매일 달립니다~마릿수 사이즈 커졌네요 예약중 마산신조선짱구호 2025.09.01 30
246025 1일 오전돌문어 조항입니다 ~(선비5만 식사제공)3일(출조확정) 6자리 예약가능 합니다~ 따봉피싱 2025.09.01 23
246024 1일새벽 내만갈치 우와~3지급들 버글버글~엄청잡고~!!(화,수,목 예약중) file 진해라코피싱 2025.09.01 25
246023 9월1일 문어 오늘도 잔뜩 잡고 들어왔습니다 대박 영심이호 2025.09.01 27
246022 28일 갈치조황 ~~ 로또피싱 2025.09.01 37
246021 첫쭈꾸미 그냥 막 물어주네요..타작하러 오세용. 여수금강피싱 2025.09.01 28
246020 9월1일 여수야호쭈꾸미조황 장원 400수가좀안되네 여수준비중 2025.09.01 30
246019 여수 투에스호 9월1일 조황입니다 여수투에스 2025.09.01 15
246018 내일 2일(화) 야간갈치 출조확정!! 자리여유// 예약중 삼천포포인트호 2025.09.01 19
246017 내만갈치 버글버글 쭉~쭉 땡깁니다~(화예약가능) file 진해왕낚시 2025.09.01 27
246016 야간 무늬팁런~ 통영오피싱 2025.09.01 21
246015 [마량뉴썬더호]9월1일 쭈꾸미조황 강진마량뉴썬더호 2025.09.01 15
246014 1일 새벽<내만 갈치>열낚gogo~(화,수,목,금)예약가능 진해썬플라워 2025.09.01 21
246013 8월31일 야간문어조황~~ @(화~ 금) 예약중 라라피싱 2025.09.01 20
246012 ■붉바리 생미끼 외수질낚시 초대박조황입니다[09월 01일] *내일 2일 자리있습니다 ◎ 해마루호가 뜨는이유? 조황때문이죠 ◎ 핵심포인트: 바로진입.. 바로히트.. ▣ 차원이 다... 고흥바다낚시114 2025.09.01 27
246011 [준내만갈치]매일"대박"얼음녹이고 만쿨행진!!내일예약가능 진해빅마마호 2025.09.01 17
246010 유촌 형만레저 선외기 감성돔 흘림 조황입니다 형만호(형만레저) 2025.09.01 22
246009 손맛 즐기러 가시죠 보아스호 2025.09.01 15
246008 (9/1일)첫 쭈꾸미 종일반 호조황입니다(수요일부터 자리여유 있습니다) 여수푸른바다호 2025.09.01 28
246007 유촌 형만호 선상 문어 출조합니다 형만호(형만레저) 2025.09.01 16
246006 수요일 갑오징어 야간갈치모집중 도리스피싱 2025.09.01 21
246005 대명호 문어조황 낼예약가능 file 진해대명호 2025.09.01 18
246004 쭈꾸미금어기 해제일 스타트~♡ 장흥회진블루마린호 2025.09.01 14
246003 ^어제 돌문어 조황 굿굿~ 9월도 "빅이벤트" 평일/주말 쭈욱 예약중입니다 삼천포태진피싱 2025.09.01 29
246002 삼천포 구미호 9월 1일 문어 조황입니다 삼천포구미호 2025.09.01 24
246001 - 쭈꾸미 HIT - 1일 쭈꾸미 340수부터 대박조황 여수(히트호) 2025.09.01 32
246000 [텐빈]비,바람,너울통,3,4지,쿨러조황(화요일출항확정,예약가능) 삼덕레저호 2025.09.01 24
245999 여수 쭈꾸미 느나~느나 여수다온호 2025.09.01 30
245998 *개나리호* 주꾸미~ 다녀왔습니다. file 완도개나리호 2025.09.01 19
245997 에이스 돌문어 굳 1인자 2025.09.01 19
245996 (여수타이슨호) 9월1일 쭈꾸미 초초초대박조황!!! 올해는 여수로 오세요♡♡♡ 여수타이슨호 2025.09.01 26
245995 250901 여수 쭊구미 대박조황 오션킹 2025.09.01 32
245994 [참돔흘림]굵은놈들 마리수 폭발,원줄 퍽퍽퍽 가져갑니다. 거제오로라 2025.09.01 28
245993 FM 피싱호(감성돔흘림)~낼(화요일)정상출조합니다 ㅡ예약가능 Fm낚시 2025.09.01 16
245992 9월1일 완도쭈꾸미조황 녹동수호호 2025.09.01 22
245991 《쭈갑 평일 5만》 쭈꾸미 쏟아집니다~!! 초대박 조황~^^ 계속된 피딩에~~ 느나타임에~~ 내일 몇자리여유 있어요 여수홍단호 2025.09.01 27
목록
Board Pagination Prev 1 ... 36 37 38 39 40 41 42 43 44 45 ... 3826 Next
/ 3826