한국어
(南)남해조황


어부지리바다낚시 내 조황글은 한번만 게시되어야 합니다.
cats_400_80_1.gif

================================================================
================================================================

2b77cd1f88e4615c4f3f5ed0bb0e7f6c.jpgec4e5e39fe4b545c5d57a6b0c95ab94c.jpg67a1bcff14e35f72d33ef21c6c187524.jpg2160f923a6d7c35e59494e5c56dcea0c.jpg68d6baee961e8bd682f59d751ee087b3.jpgaa422da310744d53c0d84949dbbed2e4.jpg0f34d3baec957c2cd6ddb33f3a56bcc8.jpgc9432fd994a2702b5498e19ea0e11628.jpgfb286ef9a37a5069e16f3ef9e126ae24.jpg6d093782762aa267e5003d0f0115b3c5.jpg310369e037f3eeb6e939cf4e7e47c3f2.jpg676521de158c385c89de5ec884ea61fa.jpgff9a10fc113e3cd7644e210e8a70cedf.jpg0bdafb9dcf5662df215a67bd429ebcc2.jpg33a1175d6b350fd72a1448a70c5701f5.jpgbcff6235508452d1d5adb79152801308.jpg29e24387559229512e40659d54b90e9b.jpgb35616032e714d3ab98911965c0bc8a7.jpg6d31834df1d6331aa6eab8fff928bed0.jpg50ae3775662579deee2d40897bf519c0.jpg
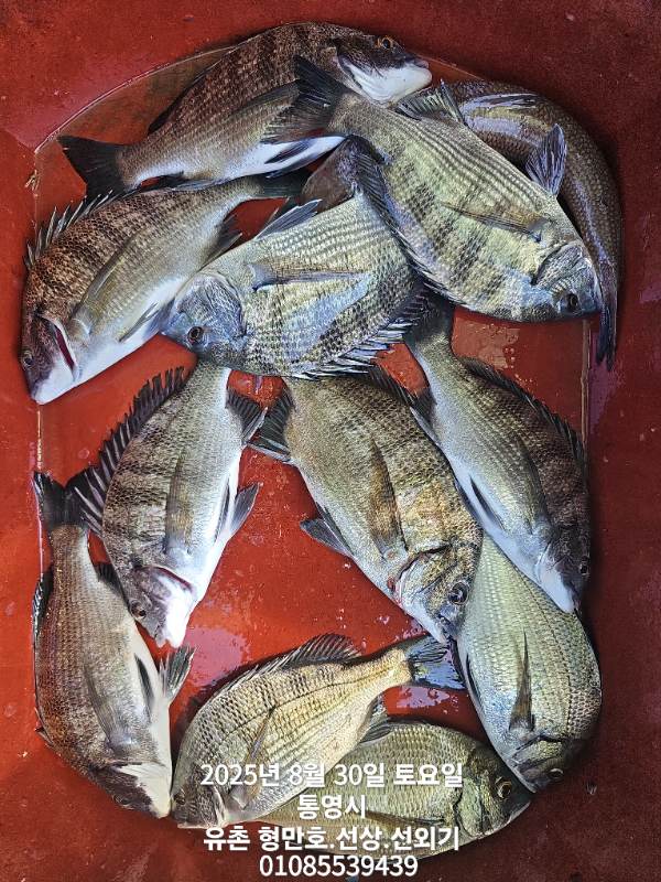
안녕하십니까 유촌형만레저 입니다

내만권.감성돔.흘림.카고 마리수 조과입니다.
월요일 도전하일실분 모십니다
내만권 문어 도 많이 나오기시작합니다
오셔서 찐득한 손맛  보시러오세요
일요일..덴마  여유있습니다
출조시 시원한 얼음물 이온음료 챙겨서오세요~^^
무더운 날씨에서도 찐득한 손맛 보시고 오셨습니다 



여기저기 히트히트 ~^^
 전원 찐득한 손맛 보시고 철수 하셨습니다
예약은 미리 해주세요~^^
오늘 하루도 수고하셨습니다 

미끼  크릴.혼무시챙겨오세요


선외기 어창.파라솔 준비되어 있습니다

내일.덴마예약가능합니다
주말.선외기.덴마여유

 
◆  선외기  이벤트 합니다! 
자세한 이벤트내용은 형만호 밴드에서 확인 가능합니다.
 ------------------------------------------ 
​<<유촌 형만레저 안내>>

예약전화 


010-8553-9439, 010- 5068-9439


형만레저 선외기,덴마(출조사항) 
<<선외기>>문어

1인 8만원
2인 9만원
3인 11만원
4인 13만원

(루어 출조시 2만원 추가)


<<덴마>>

덴마 1인 6만원, 2일 7만원, 3인 8만원



선비계좌

농협 823018-52-011741김영준


환불규정

5일전100%환불

3일전 50%환불

1일전 환불 불가


예약취소시 위 와같이 환불을해드립니다 

조사님들 양해부탁드립니다

 

<<배타는곳>> 
경남 통영시 도산면 저산유촌길119입니다
#형만레저#선외기#문어#유촌#선상#형만호#통영



*** 통영 형만레저 예약 안내 ***


예약문의 : 

 - 010-8553-9439

 - 010-5068-9439

오시는길 : 경남 통영시 도산면 저산유촌길 119


모바일.jpg



blank.png3



List of Articles
번호 제목 글쓴이 날짜 조회 수
245916 [부산 유강피싱] 08월30일 유강호 갈치 아쉬운 조황입니다. 부산유강피싱 2025.08.31 21
245915 250831 여수 운어 호조황 오션킹 2025.08.31 18
245914 대명호 문어조황 좋습니다 file 진해대명호 2025.08.31 20
245913 ■ 돌문어 오늘 마리수 '총181수' 대박조황!!(내일예약가능) 해그린피싱 2025.08.31 18
245912 [고흥뉴베테랑호]25.08.31 붉바리외수질조황 고흥베테랑호 2025.08.31 25
245911 8/31 고흥녹동흑룡호 외수질조황 녹동흑룡호 2025.08.31 22
245910 8월31일 문어조황 녹동수호호 2025.08.31 15
245909 여수뉴스타피싱 내일부터 갈치 자리여유 있습니다!!! 여수뉴스타피싱호 2025.08.31 14
245908 <수월호피싱레져>9월부터 감성돔시즌 오픈... file 수월호레져 2025.08.31 17
245907 (수월호피싱레져)8/31 사량권 사이즈급 돌문어 조황... file 수월호레져 2025.08.31 20
245906 돌문어 피딩피딩 느껴지시나요 희영호 2025.08.31 19
245905 [참돔주말대박]5짜오버,5짜들외 씨알급 마리수 미친피딩 file 거제오로라 2025.08.31 15
245904 8월막날 돌문어 조황. 삼천포스마트호 2025.08.31 22
245903 31일 외수질낚시 조항 약산트윈스 2025.08.31 21
245902 준내만갈치,오늘도 대치로 만쿨 대~박,쭉,오늘 예약가능/내만갈치,오늘가능 file 진해대성낚시 2025.08.31 16
245901 삼천포 구미호 8월 31일 문어 조황입니다 삼천포구미호 2025.08.31 15
245900 ■ 돌문어 오늘1.2K, 1.1K급등 ''총181수'로 해그린호 기록갱신!!(내일예약가능) 해그린피싱 2025.08.31 12
245899 8/31입항 준내만갈치~사이즈 좋고 마릿수까지 굿굿^^월욜예약됩니다~ file 진해만물낚시 2025.08.31 24
245898 전국 낚시호 외수질 조황 입니다 돌아온황선장 2025.08.31 21
245897 대명호 문어조황 좋습니다 file 진해대명호 2025.08.31 28
245896 [준내만갈치 텐야ㆍ텐빈] 초저녂 우당탕탕 ᆢ 전원쿨러. 내일부터 펑일 10만 바다하리 2025.08.31 27
245895 8월30일 야간문어조황~~ @월부터쭈욱 예약중 라라피싱 2025.08.31 30
245894 31일 돌문어 키로 씨알 마리수 굳 조과차는 좀나네요 낼부터 물때좋네요 돌문어 자리여유 많습니다 선비5 식사제공~^ 진우호선장 2025.08.31 23
245893 (체험낚시)고등어 전갱이 상사리 어종 백화점~해금강호(상시 예약 가능) 해금강낚시 2025.08.31 20
245892 31일 돌문어 오전조항입니다 ~(선비5만 식사제공)1일 (출조확정) 4자리 예약가능 합니다~ 따봉피싱 2025.08.31 16
245891 드뎌! 내일부터 쭈꾸미 시즌이 시작됩니다! 여수찰리호매니저 2025.08.31 22
245890 여수 돌문어 여수다온호 2025.08.31 20
245889 유촌 충무호 오전 문어 철수조황입니다 통영충무호 2025.08.31 19
245888 베리굿~배다베리놨읍니다 재영피싱 2025.08.31 19
245887 씨알빵빵 마릿수 초대박 쿨러가득 준내만갈치 월요일 예약가능합니다 진해해원피싱 2025.08.31 23
245886 삼천포 돌문어 조황 !! (선비5만식사제공) file 다온호 2025.08.31 15
245885 (삼천포 건담호)돌문어 난리부르스^^ 풍년, 월요일 출조확정, 선비할인 건담호 2025.08.31 17
245884 밀매조황 file 진도접도낚시 2025.08.31 24
245883 FM 피싱호 (감성돔흘림)~2일정도 우천으로인해 휴항합니다 Fm낚시 2025.08.31 23
245882 내만권 4짜 감성돔 외 마릿수 조황입니다...(덴마) file 통영나룻터낚시 2025.08.31 16
245881 경동레저(신광) 선외기낚시 무늬오징어 조황 신광레져 2025.08.31 18
245880 [진해문어낚시] 오늘도 묵직하게 올라오는 돌문어 연타로 뽑아올려주시며 찐한 손맛보고왔습니다^0^ 진해한바다 2025.08.31 26
245879 31일 새벽<내만 갈치>다양한 사이즈!오늘 일요일 예약가능 진해썬플라워 2025.08.31 25
245878 전설해태호> 오전반 씨알좋은 돌문어들 ,,, 여수해태호살아있는전설 2025.08.31 31
245877 준내만 갈치 초저녁부터 갈치 폭탄 맞고~~(오늘 1자리,월욜부터 예약 가능) file 나드리 2025.08.31 19
245876 [준내만갈치]갈치풍년 얼음녹이고 전원만쿨!!예약가능 진해빅마마호 2025.08.31 17
245875 월요일 야간갈치 화요일 갑오징어 모집 도리스피싱 2025.08.31 19
245874 삼천포 돌문어 마릿수조황! 주간반, 야간반 매일출조! 더블케이호 2025.08.31 22
245873 무늬 무조건 잡는다! 바다를사랑하는남자 2025.08.31 16
245872 (여수용주피싱) 8월31일입항조황 연이은호조황믿고오는배 주중자리있습니다01023004931 용주피싱 2025.08.31 13
245871 8/30일 문어 조황입니다 고흥녹동링크호 2025.08.31 18
245870 30일 야간 돌문어 조황, 오늘 야간에도 출조 확정!! 삼천포투원호(더블케이3) 2025.08.31 20
245869 연일 씨알좋은 갈치로 많이들 잡아옵니다 아직까지는 잘나오고 있습니다 여수오리엔트호 2025.08.31 17
245868 내만갈치 손맛 보러오세요 금일 예약중 진해풍경호 2025.08.31 19
245867 통영비너스 . . . ."초 "대~~박 "1인2쿨러 까지 . . . 내일부터 예약가능. file 통영비너스 2025.08.31 20
245866 《내일 쭈갑 자리여유》 쭈꾸미와 갑오징어 손맛보러 오세요~!! 선비6만 내일 자리여유 있어요 여수홍단호 2025.08.31 17
245865 통영한나호 돌문어 어장낚시 새문어들 등장 마리쑤 씨알 좋아집니다 통영한나호 2025.08.31 16
245864 ※※※대물돌문어(1k260g)과 씨알 좋은 녀석들※※※ 여수드림낚시 2025.08.31 27
245863 진해레전드 돌문어 사냥 씨알좋고 손맛 굿!((오늘 오후3시 예약가능)) 진해_레전드 2025.08.31 21
245862 여수캐스팅피싱호 > 물이 와이리 안가노!! 8월30일 갈치기본조황이 이정도!! 여수캐스팅호 2025.08.31 21
245861 유촌 충무호 오전 문어 실시간입니다 통영충무호 2025.08.31 13
245860 16석 보성3호 보성호 갈치 여전히 씨알좋고 만쿨조황 게속됩니다~~오늘황제낚시 가능 널널합니다 file 통영들물낚시 2025.08.31 18
245859 준내만 갈치 초저녁부터 갈치 폭탄 맞고~~(오늘 긴급2자리,월욜부터 예약 가능) file 나드리 2025.08.31 9
245858 내일 쭈.갑 출조합니다(선비:6만원.13자리 여유) 여수푸른바다호 2025.08.31 19
245857 8/30먼바다갈치(지깅,텐빈,텐야)조황~여수 스카이호 여수스카이 2025.08.31 15
245856 준내만갈치~초초대박!어마어마하게 쓸어담기(월,화,수,목,일예약가능) file 여명피싱 2025.08.31 18
245855 준내만갈치,오늘도 대치로 만쿨 대~박,쭉,오늘 예약가능/내만갈치,오늘가능 file 진해대성낚시 2025.08.31 19
245854 뉴고니호 준내만갈치 화요일부터 예약가능 뉴고니호 2025.08.31 20
245853 야간문어 조황~오늘오후 4시출동 정판수낚시마트(블랙스타호) 2025.08.31 14
245852 오늘 야간문어 예약가능~30일 야간 핫핫!!조황~ 진해제네시스호 2025.08.31 12
목록
Board Pagination Prev 1 ... 44 45 46 47 48 49 50 51 52 53 ... 3832 Next
/ 3832