한국어
(南)남해조황


어부지리바다낚시 내 조황글은 한번만 게시되어야 합니다.
cats_400_80_1.gif

================================================================
================================================================

6c77bc1c7e2a2e061de4d2e3628f83e8.jpgab703a7cd82767157ace02913af27e2a.jpge981eaa2e48004f713ad26bfa987e8ab.jpg44248901f7f7486d9afc74003b2ea6f3.jpg36aca8f7b7ad8ec72ddc802f84dec0e1.jpg81eec264873f1551608ee964b95a3720.jpgbd7acc176f7fcc2e7e3d576ce70e20e6.jpg
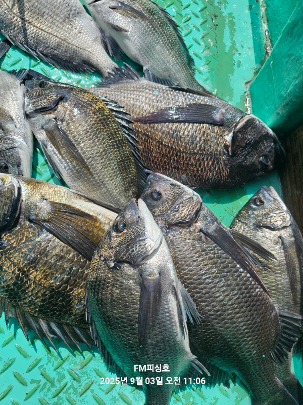
오늘도 찐하게 손맛보고 왔어요 
 그런데 꼭 잡으신 분만 잡네요
 시작과 동시에 이마무시한 놈과 힘겨루기 한판
 바늘이 펴지고 터지고ㅡㅡ
내일도 같은 시간에 정상출조합니다 
ㅡ출항 ㅡ03:30분~04:00시
ㅡ철수ㅡ11:00시전ㆍ후 
ㅡ선비 ㅡ8만원 
ㅡㅡㅡ대체미끼 X ㅡㅡ
ㅡ입질 받으면 4짜.5짜 입니다  ㅡㅡ

ㅡㅡㅡㅡㅡㅡㅡㅡㅡㅡ
ㅡ공지합니다ㅡㅡ
ㅡㅡ출조계획 ㅡㅡ
    ~오전출조 ㅡ일출전~11:00시까지
            ㅡ선비 ㅡ8만원 
               밑밥.미끼.간식.생수기타제공(경단및대체미                       끼:개인준비) 
   ~야간출조  ㅡ일몰전~01:00시 전 ㆍ후
          ㅡ선비 ㅡ8만원 ㅡ청개비외밑밥.미끼.간식기타
                  등등제공 ㆍ
   ㅡㅡ감성돔  오전출조ㆍ야간출조만 합니다.
ㅡㅡㅡㅡㅡㅡㅡㅡㅡㅡㅡㅡㅡㅡㅡㅡㅡㅡㅡㅡ




=== 거제도 에프엠피싱호 예약안내 ===


예약문의 : 010-4998-5333

오시는길 : 거제시 둔덕면 술역리789-8(방파제 중간에 배타는곳이 있습니다)

홈페이지 : http://fm.sunsang24.com/


모바일.gif 

blank.png3



List of Articles
번호 제목 글쓴이 날짜 조회 수
246271 [완도서경낚시] 먼바다 갈치낚시 다녀왔습니다 file 완도서경낚시 2025.09.05 19
246270 녹동몬스터호 4일 목요일 야간 문어 조황. 나이스~~!! 몬스터피싱 2025.09.05 11
246269 통영 유촌 충무호 오전 문어 실시간입니다 통영충무호 2025.09.05 12
246268 갈치특급포인트 3지4지 퍼담고~마릿수대박 준내만갈치 일요일예약가능 진해해원피싱 2025.09.05 11
246267 끝도없이나오는 준내만선상갈치낚시 윈없이잡아보아요 일요일부터 예약가능합니다 진해해원피싱 2025.09.05 11
246266 9월4일 찌끼미조황~~월요일. 8일부터 출조자리여유 많아요.여수쭈꾸미겁나게 여수그랜드맥스호(여수) 2025.09.05 12
246265 먼바다 갈치 70~80 쿨러 가득 금ㆍ토 빈자리 있습니다 통영명인낚시 2025.09.05 19
246264 9/4먼바다갈치(지깅,텐빈,텐야)조황~여수 스카이호 여수스카이 2025.09.05 14
246263 삼천포 마린보이 9. 5. 금요일 부터 야간문어 / 붉바리 외수질 출항합니다 ^^ 사천마린보이 2025.09.05 15
246262 갈치풍년 통영갈치 신세계호 신세계피싱 2025.09.05 13
246261 9/4일정남진 백선장 붉바리외수질 조황및 출항정보입니다 정남진레저 2025.09.05 17
246260 내만칼치ㅡ3지급까지 손맛으로 굿굿 (오늘예약가능) 진해출조호 2025.09.05 18
246259 아름다운밤 사천vip 2025.09.05 14
246258 유촌 형만레저 선외기 감성돔 흘림 조황입니다 형만호(형만레저) 2025.09.05 11
246257 1호선 고니호 돌문어조황 뉴고니호 2025.09.05 12
246256 04일 문어 조황 당연하게 오늘도 대박 이죠 영심이호 2025.09.04 27
246255 준내만갈치 3지4지 갈치초밥까지~ 일요일부터 예약가능 뉴고니호 2025.09.04 20
246254 4일 오전돌문어 조항입니다 ~(선비5만 식사제공)6일(출조확정) 6자리 예약가능 합니다~ 따봉피싱 2025.09.04 16
246253 여수 투에스호 9월3일 조황 여수투에스 2025.09.04 23
246252 [텐빈]너울통,3~4지 만쿨,반쿨(일요일부터,예약가능) 삼덕레저호 2025.09.04 28
246251 삼천포 구미호 9월 4일 문어 조황입니다 삼천포구미호 2025.09.04 21
246250 9월4일 TEAMHIT 여수야호쭈꾸미낚시배조황 준비된분들은3자리수 여수준비중 2025.09.04 27
246249 준내만갈치~씨알끝장!3지4지!쿨러채우러 월요일부터예약가능 file 여명피싱 2025.09.04 23
246248 9/3(수) 1.2K외 문어(종일반)굿굿호조황!!13일부터 자리가능!! 여수추적자호 2025.09.04 26
246247 유촌 충무호 전투 낚시 철수조황입니다 통영충무호 2025.09.04 21
246246 대명호 문어조황 낼예약가능 file 진해대명호 2025.09.04 29
246245 [준내만]말이필요없다~씨알마릿수역시나대박!!일요일부터쭉예약가능합니다!! 진해매일호 2025.09.04 19
246244 준내만갈치,3지5지,전원만쿨 쭉,예약가능/내만갈치,오늘출항 예약가능 file 진해대성낚시 2025.09.04 17
246243 금요일 야간갈치 일요일 문어5만 도리스피싱 2025.09.04 19
246242 유촌 형만호 선상 문어 조황입니다 내일여유 형만호(형만레저) 2025.09.04 18
246241 FM 피싱호 (감성돔흘림 (오전낚시))~5짜 ㆍ4짜다수 총10마리하고 즐거운 마음으로 철수했습니다 ㅡ내일도 예약가능합니다 Fm낚시 2025.09.04 15
246240 [준내만갈치]매일매일"대박"얼음녹이고 만쿨행진!!일요일부터~예약가능 진해빅마마호 2025.09.04 24
246239 <수월호피싱레져>수월리 9/4 감시조황 9월부터 가을 감성돔시즌 오픈... file 수월호레져 2025.09.04 21
246238 준내만갈치~ 빵빵한 대갈치 풍년입니다!! 쿨러 묵직하게 담아왔습니다~ [일욜부터예약가능]010-7660-2435 file 덕성호 2025.09.04 21
246237 금토일 주말 내만갈치 출동합니다 여수창성호 2025.09.04 28
246236 250904 여수 쭈꾸미 초조황 오션킹 2025.09.04 29
246235 내만권 4짜 감성돔 외 마릿수 조황입니다...(덴마) file 통영나룻터낚시 2025.09.04 20
246234 감성돔 4짜외 15방 팅~바늘 박살~참돔들 수두룩~거제대어낚시(5일 예약) 거제대어낚시 2025.09.04 14
246233 준내만 갈치 오늘도 만쿨행진이어지고 (내일 일 월 예약가능) file 진해씨스타호 2025.09.04 20
246232 <여수청홍낚시>9월4일 여수 문어낚시 조황 소식 입니다.(내일(금)4자리 여유) 여수생활낚시 2025.09.04 26
246231 4일 오전돌문어 조항입니다 ~(선비5만 식사제공)5일(출조확정) 6자리 예약가능 합니다~ 따봉피싱 2025.09.04 12
246230 대명호 문어조황 file 진해대명호 2025.09.04 19
246229 접도권조황 file 진도접도낚시 2025.09.04 20
246228 돌문어본격시즌 고고씽 @금예약중 라라피싱 2025.09.04 23
246227 경동레저(신광) 선외기낚시 돌문어 무늬오징어 조황 신광레져 2025.09.04 19
246226 완도 감성돔 찌낚시 조황입니다~~ file 완도라이온피쉬호 2025.09.04 26
246225 그제만은 못하지만 그런데로 잡아왔습니다 낱마리가 나오거나 안나옴 여수오리엔트호 2025.09.04 25
246224 ■ 돌문어 키로급이상등 연일 마리수조황 대박이네요!!(차주 월요일부터 예약가능) 해그린피싱 2025.09.04 16
246223 갈치루어 금ㆍ토 빈자리 있습니다 통영명인낚시 2025.09.04 17
246222 진프로피싱 9/3일 외수질 계속되는 호조황!! 진프로피싱 2025.09.04 25
246221 [진해문어낚시] 손맛 끝내주는 돌문어 쭉쭉 뽑아올려주시며 찐한 손맛 보고왔습니다~^0^ 진해한바다 2025.09.04 14
246220 go원전항)신조9톤 내만갈치 바다가은빛색입니다~예약중 마산신조선짱구호 2025.09.04 17
246219 돌문어 활성도는 좋네요.~^^ 통영인스타 2025.09.04 19
246218 오후5시 출항. 야간문어 출조 모집 몬스터피싱 2025.09.04 21
246217 ■오전오후쭈꾸미문어독배출조합니다 여수감성피싱 2025.09.04 20
246216 준내만갈치~씨알끝장!3지4지!쿨러채우러 일요일부터예약가능 file 여명피싱 2025.09.04 20
246215 여수캐스팅피싱호 > [ 'VIP급14석' 연속출항의 꿈!! 갈치 출조 모집합니다!! ] 여수캐스팅호 2025.09.04 22
246214 내만갈치 쭈욱 땡겨가는 손 맛 굳조황 진해풍경호 2025.09.04 24
246213 내만갈치 쭈욱땡겨가는 입질 굳조황 진해풍경호 2025.09.04 14
246212 무늬오징어 출동 준비 완료 오늘부터 달려 봅니다(지난 사진) 대성호캡틴 2025.09.04 17
246211 준내만갈치,3지5지,전원만쿨 쭉,예약가능/내만갈치,오늘출항 예약가능 file 진해대성낚시 2025.09.04 15
246210 FM 피싱호 (감성돔흘림 (오전낚시))~현재 열낚중.4짜중ㆍ후반 몇마리 잡고 ㅡ못 잡으신 조사님 때문에 연장 낚시중입니다 ㅡ내일도 예약중입니다 Fm낚시 2025.09.04 12
246209 29일 갈치조황 ~~ 로또피싱 2025.09.04 23
246208 [참돔대박]씨알좋은 참돔떼들 활성도 끝장.내일예약가능 거제오로라 2025.09.04 22
246207 (여수타이슨호) 쭈꾸미 잘나옵니다!! 내일도 나가요♡♡ 여수타이슨호 2025.09.04 28
목록
Board Pagination Prev 1 ... 36 37 38 39 40 41 42 43 44 45 ... 3829 Next
/ 3829