한국어
쭈.갑 먹물조황+


- 배너를 클릭하면 해당 출조점의 홈페이지가 열리고, 예약을 할 수 있습니다 -

삼천포권 주간(돌문어낚시) 야간 마도 감성돔낚시~~
8월 31일 (일) 삼천포 실안방파제 출발 돌문어낚시"로마피싱" 핫 조황입니다.
※ 삼천포 토박이가 운영하는 "돌문어 낚시체험" 장비+구명복 무료 임대 운영.

★6일. 주간, 삼천포권 돌문어 냉장고포인트 "예약 가능"
★6일, 야간, 마도 방파제 감성돔낚시 "예약 가능"
(돌문어)삼천포권 본격 마릿수 행진~씨알 OK 마릿수 GOOD~
- 삼천포권 돌문어낚시는 4인 이상 상시 출발합니다.(낚시배+민박 동시 운영)

 
삼천포 실안 방파제 출발 돌문어낚시 전문출조점 "로마피싱"입니다.
좋은 물때는 배신이 없네요 어제에 이어 오늘도 삼천포권 진입하는
포인트마다 씨알 좋은 문어들이 쩍 쩍 달라붙으며 조사님들께 묵직한
손맛을 전했고, 눈에 띄게 커진 평균 씨알에 차곡 차곡 마릿수까지
이어지니 집중력 있는 낚시 즐기고 마무리 했습니다.
가을의 시작 점 문어들도 점차 활성도를 찾아가고 있으니 묵직한
손맛 즐기러 오십시오~ 내일부터 쭉~ 예약 가능합니다.

9월 6일(토요일) 주간, 삼천포 돌문어낚시 예약 가능하고,
야간 실안방파제 출발, 마도 방파제 야간 감성돔낚시 예약가능합니다.
 씨알부터 마리수 까지 핫한 포인트로 모시고, 로마피싱은 낚시배와
민박을 함께 운영하고 있어 낚시를 즐기기에 최상의 조건을 유지하고
있습니다.

▣ 로마피싱 돌문어낚시 예약 일정 안내 ▣
★9월 6일(토) 삼천포권 돌문어 낚시/체험낚시 "예약가능"
★9월 6일(토) 야간, 실안방파제 출발 마도 감성돔낚시 "예약가능"
★9월 7일(일) 삼천포권 돌문어 낚시/체험낚시 "예약가능"
★9월 7일(일) 야간, 실안방파제 출발 마도 감성돔낚시 "예약가능"
★9월 8일(월) 삼천포권 돌문어 낚시/체험낚시 "예약가능"
★9월 8일(월) 야간, 실안방파제 출발 마도 감성돔낚시 "예약가능"
★9월 9일(화) 삼천포권 돌문어 낚시/체험낚시 "예약가능"
★9월 9일(화) 야간, 실안방파제 출발 마도 감성돔낚시 "예약가능"
※ 로마피싱(낚시배+민박 운영) 문어낚시체험
-초보+가족분들은 몸만오세요~ 낚시장비,구명복 무상임대.

삼천포 로마피싱 (낚시배+민박 동시 운영)
◎ 예약문의 : ☎010-5553-6754
◎ 오시는길 : 경남 사천시 실안동 노을길100번지 실안방파제
  • 사용자가 올린 이미지
  • 사용자가 올린 이미지
  • 사용자가 올린 이미지
  • 사용자가 올린 이미지
  • 사용자가 올린 이미지
  • 사용자가 올린 이미지
  • 사용자가 올린 이미지
  • 사용자가 올린 이미지

▼ 야간 실안방파제(전화 주시면 모시러 갑니다)
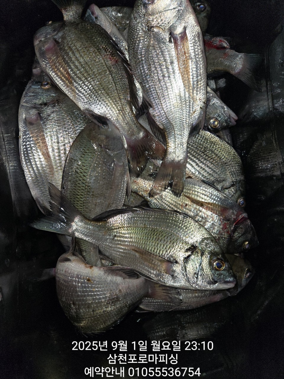
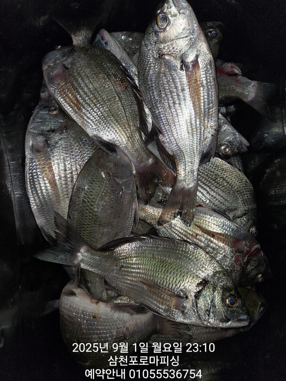
마도 야간 감성돔낚시 조황 사진입니다. 씨알 마리수 좋습니다.
  • 사용자가 올린 이미지
  • 사용자가 올린 이미지
  • 사용자가 올린 이미지
  • 사용자가 올린 이미지
  • 사용자가 올린 이미지
  • 사용자가 올린 이미지

(30일 마릿수 조황 첨부합니다)
  • 사용자가 올린 이미지
  • 사용자가 올린 이미지
  • 사용자가 올린 이미지
  • 사용자가 올린 이미지
  • 사용자가 올린 이미지
  • 사용자가 올린 이미지
  • 사용자가 올린 이미지
▣ 문어/주꾸미/갑오징어 낚시 출조 안내 ▣
(오전반) 05시 출발 ~ 오후 2시까지 (유동적) 7만원
(종일반) 05시 출발 ~ 오후 4시까지 10만원.
(풀출조) 05시 출발 ~ 오후 7시까지 13만원
- 가족,초보낚시 장비와 구명복은 무상 임대해 드리고, 파손시 실비로 제공.
- 식사제공, 커피, 음료 제공

▣ 로마피싱에 알려 드립니다.
※(승선명부는 출발 20분전 기재를 꼭 해 주십시요)
- 출발 20분 전, 필히 승선명부에 성함, 전화번호, 연락처, 비상연락 전화를 기록
하여 주시길 바랍니다. 출항 시간에 맞추어 출발 할 수 있습니다.
※(환불 규정 안내)
- 출항전, 당일 및 기상이변 및 주의보 발효 등으로 인해 출항을 못 할 수 있습니다.
: 기상악화로 당일 취소시에는 100% 환불 또는 출조일자를 변경 사용 가능합니다.
(7일전) 100% 환불. (4~6일전)70% 환불, (2~3일전)50% 환불 (1일전,당일)환불불가'

삼천포 로마피싱 (낚시배+민박 동시 운영)
◎ 예약문의 : ☎010-5553-6754
◎ 오시는길 : 경남 사천시 실안동 노을길 100번지 실안방파제
◎ 예약계좌 : (수협 752-62-065139 예금주 최재봉)
  • 사용자가 올린 이미지

Who's 로마피싱호

profile

List of Articles
번호 제목 글쓴이 날짜 조회 수
공지 주꾸미는 서해/남해든 먹물게시판이든 1군데만 올려주세요 어부지리 2023.09.02 3901
195642 군산 쭈꾸미 무쟈게 나오고 잇습니다~연일 대대박~군산 포세이돈 2호 file 군산낚시프라자[1] 2025.09.15 10
195641 오천용왕낚시 오천서해호 쭈구미 조황입니다 오천용왕낚시 2025.09.15 19
195640 <크라운호> 쭈꾸미 종일"대박 조황"(15일)-쭈꾸미 느나느나 입니다~! file 군산원낚시 2025.09.15 12
195639 [청길호] 2025년 09월 15일 홍원항 청길호 쭈꾸미 & 갑오징어 망탱이 조황 file 홍원항청길호 2025.09.15 27
195638 9월15일 마검포 플라이호 문어 조황 간재미 2025.09.15 29
195637 9월 15일 보령회변항 학성낚시 주꾸미 * 갑오징어 굿 조황 file 오천학성낚시 2025.09.15 26
195636 오천용왕낚시 뉴청해호 쭈꾸미 조황입니다 오천용왕낚시 2025.09.15 15
195635 <뉴오리온호> 쭈꾸미 종일 "대박 조황"(15일)-쭈꾸미 잘나옵니다. file 군산원낚시 2025.09.15 16
195634 원산도해신호 9월 15일 쭈꾸미 file 원산도해신호 2025.09.15 17
195633 태안 쭈꾸미낚시 피싱게이트 피싱킬러호 9월15일 출항! 피싱킬러 2025.09.15 11
195632 문어조황 누리호 2025.09.15 12
195631 부안골드피싱호, 9/15 쭈꾸미 조황입니다. 부안골드피싱호 2025.09.15 14
195630 쭈꾸미 선단 선단마다 풍어가~무조건 대대박~군산 뉴라이브호 file 군산낚시프라자[1] 2025.09.15 14
195629 9/15일 마량항 해돋이호 오늘도 주꾸미 잘나오네요!!!! file 해돋이낚시 2025.09.15 27
195628 9/15 해인호8인승 마릿수조황 file AB방조제낚시 2025.09.15 18
195627 9월15일 홍원항 아일랜드호 씨알좋은 쭈꾸미 전원 망태기 조황 홍원갯바위낚시 2025.09.15 29
195626 9/15. 군산. 블랙핑크호. 쭈꾸미. 조황. 내일도. 출조해요. file 군산대한낚시 2025.09.15 16
195625 <무창포 테티스호> 9월 15일 “망탱이 터짐 조심~~ 여전히 잘 나와주는 쭈꾸미조황“ file 무창포_테티스호 2025.09.15 32
195624 <레인보우호> 쭈꾸미 종일 "초대박" 조황(15일)-쭈꾸미 엄청 올라옵니다~! file 군산원낚시 2025.09.15 19
195623 [무창포아파치호] 9/15(월), 씨알 굵은 놈들로 장원 250수 오버, 만족스러운 쭈꾸미 망태기조황~ 지난주 사릿 물때에도 쭈꾸미들이 잘 나왔... file 무창포아파치피싱 2025.09.15 23
195622 15일 갑오징어 조황 녹동빅토리호 2025.09.15 28
195621 오전반 쭈꾸미도 대박~끝내주네요~ 오전/오후반 전문~군산 월명호 file 군산낚시프라자[1] 2025.09.15 17
195620 9/15일 군산용성호 쭈꾸미출조 느나느나조황 내일 정상출조 자리여유 있습니다 용성호. 2025.09.15 13
195619 <<무창포 소라피싱/씨마호>> 9.15 오늘도 어김없이 잘나와주는 <쭈꾸미> 망태기 조황입니다~!! 수,목,금 자리 여유 있습... file 무창포소라피싱 2025.09.15 24
195618 15일(월)장원137수!!세자리오버6분등 느나쭈꾸미 초대박조황!!17일(수)부터 자리여유(선비6만원) 여수추적자호 2025.09.15 19
195617 <<무창포 소라피싱/써니호>> 9.15 오늘도 어김없이 잘나와주는 <쭈꾸미> 망태기 조황입니다~!! 수,목,금 자리 여유 있습... file 무창포소라피싱 2025.09.15 24
195616 (삼천포)문어 구덩이~장원 15수 중량급들 쭉 쭉~로마피싱(16일 예약) 로마피싱호 2025.09.15 14
195615 9/15 [홍원항 영진낚시] <영진호> 주꾸미 출조 조황 입니다 ~ ! ! 오늘도 망태기 가득 조황 입니다 ~ 홍원항영진낚시 2025.09.15 34
195614 9/15 [홍원항 영진낚시] <가이아호> 주꾸미 출조 조황 입니다 ~ ! ! 오늘도 망태기 가득 조황 입니다 ~ 홍원항영진낚시 2025.09.15 23
195613 군산권 쭈꾸미 물정 끝내줘요 먹깨비호 2025.09.15 18
195612 완도덕호 9.15 쭈꾸미 완도덕호선장 2025.09.15 17
195611 9/15 [홍원항 영진낚시] <시실리호> 주꾸미 출조 조황 입니다 ~ ! ! 오늘도 망태기 가득 조황 입니다 ~ 홍원항영진낚시 2025.09.15 27
195610 <<무창포 소라피싱/뉴써니호>> 9.15 오늘도 잘나와주는 < 쭈꾸미 > 조황입니다!!다음주부터 < 갑오징어 > 출조합니... file 무창포소라피싱 2025.09.15 35
195609 유촌 형만호 선상 문어 오전 철수 조황입니다 내일 널널하게 출조하실분 모셔봅니다 형만호(형만레저) 2025.09.15 12
195608 (문어)오늘도 초대박~특급 포인트 100수 90수 퍼 담고~강민호(16일 예약) 진해강민호 2025.09.15 17
195607 삼천포 구미호 9월 15일 문어조황입니다 삼천포구미호 2025.09.15 10
195606 (사량도)돌문어 핫조황~전원 손맛 K K급 손맛~3대호(16일 예약) 거제3대낚시 2025.09.15 8
195605 문어를 손쉽게 잡는법 희영호 2025.09.15 15
195604 (문어)씨알급 6연타 망탱이 가득 마릿수 터진다~현서피싱(16일 예약) 현서호 2025.09.15 17
195603 (문어) 초대박~평균 20수오버 400~700g 美친 피딩~고고써니호(16일예약) 고고써니호 2025.09.15 18
195602 9/15 홍원항 서도호 ㅡ 6.9키로 쭈갑 망태기 조황 홍원항서도호 2025.09.15 46
195601 여수정원호)오늘도 문어 조과 좋습니다!! 여수정원호 2025.09.15 19
195600 9월15일 문어 초대박조황입니다 녹동빅원호 2025.09.15 22
195599 마리수.돌문어 여수다온호 2025.09.15 20
195598 9월 15일 문어 조황입니다. 고흥녹동피닉스 2025.09.15 24
195597 #여수블루웨이호 갑시즌 답게 우당탕탕!!!!! 블루웨이호 2025.09.15 29
195596 사천)대방재영호 돌문어 다녀왔습니다 file 사천대방재영호 2025.09.15 14
195595 무늬오징어 조황입니다 file 씨울프2호 2025.09.15 17
195594 군산바다하리호 9월14일 쭈꾸미조황입니다 군산바다하리호 2025.09.15 32
195593 완도 이프로1호 내일 16일돌문어 찢으로 가실분 싸이즈 좋네요! file 완도이프로호 2025.09.15 18
195592 (삼천포 건담호)돌문어 우당탕탕탕, 화요일도 출조확정, 선비할인 건담호 2025.09.15 12
195591 통영 금정호 오전문어 마릿수 싸이즈 좋습니다~~!! 내일자리있어요^^ 유촌금정호 2025.09.15 12
195590 통영 서하호 15일 문어 오전반 철수 조황입니다 서하피싱 2025.09.15 16
195589 내포항 쭈꾸미시간배 피싱게이트 레쓰비호 9월15일 오전배 안면도캡틴준 2025.09.15 37
195588 여수캐스팅피싱호 > 17일문어출조/16일 갈치출조 모집중입니다!!/나올때잡자!! 여수캐스팅호 2025.09.15 31
195587 전설해태호>대대호황 돌문어 최고7kg이상,,또 쌍문어까지 여수해태호살아있는전설 2025.09.15 47
195586 고흥녹동 돌문어 핫조황 고흥녹동/청룡호 2025.09.15 37
195585 히트!!바다하리호 주꾸미 이래도되나요?(9.14) file 히트피싱 2025.09.15 50
195584 14일 녹동돌문어 황금물때 대박실시간~ 1고흥녹동장보고호1 2025.09.15 33
195583 녹동 갑오징어,문어 잘~나오네요 녹동100호 2025.09.15 44
195582 9월14일 홍원항^위풍당당^(뉴~승리호)~쭈꾸미~출조하신 조사님들 엄~청~난 망태기 조황입니다!! 홍원항요포낚시 2025.09.15 73
195581 14일 무늬 조황 내일부터 자리여유 통영드레이크호 2025.09.15 20
195580 대물 돌문어 1~1.8키로 다수외 대박조황 file 삼천포용성호 2025.09.15 21
195579 (문어)추석 준비 끝~중량급들 넘쳐납니다~현서피싱(오늘 밤 예약) 현서호 2025.09.15 14
195578 (실시간 동영상)문어 밭~500g 중량급들 타작 中~고고써니호(16일예약) 고고써니호 2025.09.15 19
195577 K급 문어부터 씨알급들 돌문에~ 통영오피싱 2025.09.15 21
195576 무늬오징어 기본3자릿수 여수챔프 2025.09.15 30
195575 통영박프로호 야간문어 조황 박프로호 2025.09.15 17
195574 25시즌 9월 14일 군산 뉴 블루스타호 왕 쭈꾸미 대박 현지 조황. 군산블루스타호 2025.09.15 50
195573 (문어)오늘도 초대박~특급 포인트 100수 90수 퍼 담고~강민호(16일 예약) 진해강민호 2025.09.15 30
195572 야간 무늬 팀런 다녀왔습니다. 탈레스호고성 2025.09.15 14
195571 (사량도)돌문어 핫조황~전원 손맛 K K급 손맛~3대호(16일 예약) 거제3대낚시 2025.09.15 14
195570 야간 문어 대박마릿수조황! 매일출조 자리여유 더블케이호 2025.09.15 17
195569 9월14일 여수 주꾸미소식입니다 여수골드로저호 2025.09.15 21
195568 9.14 도시어부호 쭈꾸미 말이 필요없는 초~대박 조황입니다 군산도시어부 2025.09.15 40
195567 9/14(일)장원46수외 총550수오버 미친문어조황!!! 28일~30일ㅡ자리여유!! 여수추적자호 2025.09.15 65
195566 25/9/14 일요일 무늬팁런 조황입니다 강구(오포)항 신신호 신신호 2025.09.15 13
195565 군산프로선단=슈퍼마린호 9.14. 쭈꾸미대박조황 군산슈퍼마린호 2025.09.15 30
195564 오늘 야간문어 예약가능~14일 야간 키로오버외 호조황~ 진해제네시스호 2025.09.15 11
195563 9/14일 월드피싱호 (형제낚시)주꾸미 대박조황!!! 홍원형제낚시 2025.09.15 53
195562 9/14일 형제피싱호 (형제낚시) 주꾸미 쿨러만땅 조황!!! 홍원형제낚시 2025.09.15 30
195561 원도권갈치 팍팍 때려줍니다 file 삼천포바다낚시 2025.09.15 14
195560 9/14일 우리호(형제낚시) 주꾸미 대박조황!!!! 홍원형제낚시 2025.09.15 35
195559 군산쭈꾸미 폭발적인 입질 ~ 실시간~! 오전/오후반,늦은 오후반출조~군산 범고래호 file 군산낚시프라자[1] 2025.09.15 40
195558 쭈꾸미 출조 여수포인트호 2025.09.15 20
목록
Board Pagination Prev 1 ... 26 27 28 29 30 31 32 33 34 35 ... 2332 Next
/ 2332