한국어
(南)남해조황


어부지리바다낚시 내 조황글은 한번만 게시되어야 합니다.
cats_400_80_1.gif

================================================================
================================================================

7dc8add0bdcd2c9a81bb601a2ba124f4.jpg6a60dd087fe85ca21bcab86da845df98.jpg0faf385b55aec5cbf851cee275790b18.jpg
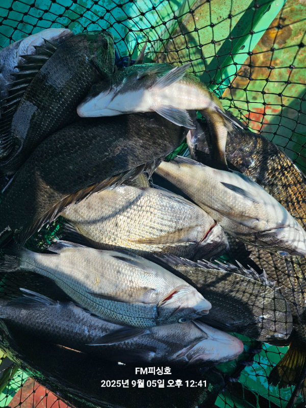
피딩ㆍ피딩 ㅡㅡㅡㅡ
 또 따문따문 꾸준히
 물어줄때도있고
 내일도 모레도  출조는 계속됩니다 

ㅡㅡㅡㅡㅡㅡㅡㅡㅡㅡ
ㅡ공지합니다ㅡㅡ
ㅡㅡ출조계획 ㅡㅡ
    ~오전출조 ㅡ일출전~11:00시까지
            ㅡ선비 ㅡ8만원 
               밑밥.미끼.간식.생수기타제공(경단및대체미                       끼:개인준비) 
   ~야간출조  ㅡ일몰전~01:00시 전 ㆍ후
          ㅡ선비 ㅡ8만원 ㅡ청개비외밑밥.미끼.간식기타
                  등등제공 ㆍ
   ㅡㅡ감성돔  오전출조ㆍ야간출조만 합니다.
ㅡㅡㅡㅡㅡㅡㅡㅡㅡㅡㅡㅡㅡㅡㅡㅡㅡㅡㅡㅡ




=== 거제도 에프엠피싱호 예약안내 ===


예약문의 : 010-4998-5333

오시는길 : 거제시 둔덕면 술역리789-8(방파제 중간에 배타는곳이 있습니다)

홈페이지 : http://fm.sunsang24.com/


모바일.gif 

blank.png3



List of Articles
번호 제목 글쓴이 날짜 조회 수
248439 초대박..초전박살내고 왔습니다..씨알급들로 가득..빙장까지하고 쿨러도장쾅쾅..오늘 자리여유 많이 있습니다 통영씨프랜드호 2025.10.01 13
248438 준내만갈치 목요일 예약가능 뉴고니호 2025.10.01 5
248437 9월29일 돌문어조황~~~~ 여수그랜드맥스호(여수) 2025.10.01 6
248436 뉴새바다호 vip14석 먼바다 대갈치 5지4지3지 쿨러조황입니다 오늘 예약가능합니다 거제-새바다호 2025.10.01 9
248435 뉴 태진호 홍도권 왕갈치 조황!!!! 갈치전문태진호 2025.10.01 7
248434 9윌 30일 갑오징어 조항입니다 슈퍼참돔호 2025.10.01 11
248433 무늬오징어 통영해피레저민박 2025.10.01 4
248432 9/30 고흥녹동흑룡호 문어조황 녹동흑룡호 2025.10.01 14
248431 여수레드헌터피싱 9월 30일(화) 돌문어 사이즈,마릿수 최고의 조황입니다 여수레드헌터 2025.10.01 13
248430 2025.9.30무늬팁런! 바다를사랑하는남자 2025.10.01 7
248429 30일 조황입니다 여수창성호 2025.10.01 6
248428 4시간도 낚시 못했는데...이런조과를? 30일 야간문어 조황 삼천포박프로 2025.10.01 17
248427 야간문어 대박 함 터트렸습니다 정판수낚시마트(블랙스타호) 2025.10.01 12
248426 9/30일 야간 문어 조황입니다 고흥녹동링크호 2025.10.01 12
248425 진해더블피싱 9월 30화욜 실시간 쌍걸이 피딩 통영더블피싱 2025.09.30 10
248424 1일 4자리 남음 먼바다 씨알 최고 갈치 출조합니다. 전화예약 오전까지 가능 여수아라피싱 2025.09.30 12
248423 실시간 무시무시 피딩피딩~~ 낼자리 스텔라호 2025.09.30 13
248422 30일쭈꾸미오전조항입니다~2일 쭈꾸미 8자리예약가능(선비5만식사제공) 따봉피싱 2025.09.30 5
248421 진프로피싱 9/30일 입항 갈치 초초대박조황!! 진프로피싱 2025.09.30 14
248420 현재실시간)대박...지금 퍼담고 있습니다..올렸다하면 줄을타고..내일 빙장하고도 만쿨 기대됩니다..내일 자리여유 통영씨프랜드호 2025.09.30 15
248419 30일 새벽<내만갈치>활성도Good!목요일 예약가능 진해썬플라워 2025.09.30 10
248418 붉바리.우럭.뽈락~쉴세없이 잡아낸 대박조황입니다. 거금박프로 2025.09.30 19
248417 유촌 형만레저 선외기 감성돔 문어 마리수 조황입니다 형만호(형만레저) 2025.09.30 9
248416 - 쭈꾸미 HIT - 30일 쭈꾸미 개인기록갱신의날 (9일부터 예약가능) 여수(히트호) 2025.09.30 8
248415 유촌 형만호 선상 문어 출조합니다 형만호(형만레저) 2025.09.30 6
248414 내일 몇자리여유.빅 이벤중.2일 자리 텅텅.쭈가 살아납니다.쭉~예약중입니다.즐기시러 오세요. 하하호호피싱 2025.09.30 7
248413 풍화리 선외기의 감성돔 47, 42외 마릿수 조황 풍화수양레저 2025.09.30 8
248412 9월 30일, 여수헌터호 갑오징어 매일매일 최강 조황 여수헌터호 2025.09.30 15
248411 야간문어 실시간 대박치고 있습니다 정판수낚시마트(블랙스타호) 2025.09.30 6
248410 다른 포인트도 나와주니 물때좋을때 놀러오세용. 여수금강피싱 2025.09.30 9
248409 제수용문어잡으러 출동합니다. @7일부터 예약중 라라피싱 2025.09.30 3
248408 ■붉바리 이정도는 잡아 봐야지요 조황입니다[09월30일] ◎ 해마루호가 뜨는이유? 조황때문이죠 ◎ 핵심포인트: 바로진입.. 바로히트.. ▣ 차원이 다른 조황으로 모십니다 고흥바다낚시114 2025.09.30 37
248407 <여수광성호> 초대박 갈치조황 어디? 광성호!! 여수돌산광성호 2025.09.30 9
248406 30일새벽 내만갈치 와우~3지까지 마릿수폭발~!!전원엄청잡고~!!(수요일 예약중) file 진해라코피싱 2025.09.30 8
248405 수요일 .쭈꾸미출조 선수모집 로또피싱 2025.09.30 8
248404 30일 새벽<내만갈치>활성도Good!목요일 예약가능 진해썬플라워 2025.09.30 3
248403 내일 주꾸미 출조합니다(자리여유 많아요~) 신가피싱 2025.09.30 3
248402 9월29일 내만갈치~~손목이 아프네요~~ 호야피싱 2025.09.30 10
248401 내만권 감성돔 조황입니다...(덴마) file 통영나룻터낚시 2025.09.30 8
248400 E스마일 30일 문어 조황입니다 E스마일/이총무 2025.09.30 2
248399 2일 주간/야간 돌문어 출조합니다(자리여유 예약중!!!) 삼천포포인트호 2025.09.30 3
248398 ((풍화리)) 감성돔 문어 마릿수조황 풍화리돌고래낚시 2025.09.30 4
248397 [고흥피쉬헌터호] 붉바리는 꾸준하게 물어주면서 참돔/광어/감성돔52cm 잡어로 나와주어~~~!! 고흥피쉬헌터호 2025.09.30 15
248396 풍화리선외기 무늬오징어마리수조황 경신레져 2025.09.30 6
248395 오늘도 활성도좋게 붙어주는 돌문어 피딩~! 내일도 달립니다^0^ 진해한바다 2025.09.30 3
248394 임금호 내일 갑오징어 출동확정 귀인8분예약중 자리여유 삼천포임금호 2025.09.30 5
248393 대명호 문어조황 낼예약가능 file 진해대명호 2025.09.30 8
248392 *개나리호* 붉바리~ 타이라바를 다녀왔습니다. file 완도개나리호 2025.09.30 12
248391 삼천포 구미호 9월 30일 문어 조황입니다 삼천포구미호 2025.09.30 10
248390 문어 갑오징어 누리호 2025.09.30 11
248389 녹동몬스터호 30일 주간 문어 조황. 제수문어 잡기 미션 클리어!! 몬스터피싱 2025.09.30 10
248388 내만갈치 3지 버글버글,쿨러채우고 오늘출항,쭉 예약가능 준내만갈치 씨알좋고 오늘출항,쭉 예약가능 file 진해대성낚시 2025.09.30 7
248387 [무늬오징어] 슬슬 시작해 봄니다 ᆢ 목요일 예약가능 오후 6시 출항 바다하리 2025.09.30 5
248386 미친듯이 쏟아 집니다. 사이다호 2025.09.30 13
248385 완도덕호 9.30 쭈꾸미 완도덕호선장 2025.09.30 7
248384 통영 금정호 문어선상 그냥 잘나옵니다 내일과 연휴기간 자리있어요~ 유촌금정호 2025.09.30 4
248383 FM 피싱호 (감성돔흘림)~내일 같이가실 조사님 모집합니다 ㅡ예약가능합니다 Fm낚시 2025.09.30 5
248382 명성호 갯바위조황 해남명성호 2025.09.30 10
248381 ※※※대왕돌문어들 좋습니다.※※※ 여수드림낚시 2025.09.30 16
248380 ●문어선비6만● 문어 초대박~!! 활성도 정말 좋아져 마릿수까지 아주 나이스 했습니다~!! (2일 자리여유) 여수홍단호 2025.09.30 21
248379 ■ 키로급등 굵직한 돌문어'총113수'로 마리수조황 연일 대박!! 해그린피싱 2025.09.30 6
248378 30일쭈꾸미오전조항입니다~1일 쭈꾸미(출조확정) 6자리예약가능(선비5만식사제공) 따봉피싱 2025.09.30 5
248377 250930 여수 쭈꾸미 호조황 오션킹 2025.09.30 9
248376 오늘 30일 쭈조황.씨알.마릿수 굿~마릿수 빅이벤중.내일부터 자리 널널.쭉~예약중입니다 하하호호피싱 2025.09.30 5
248375 [고흥뉴베테랑호]25.09.30 야간문어15명조황 고흥베테랑호 2025.09.30 16
목록
Board Pagination Prev 1 ... 3 4 5 6 7 8 9 10 11 12 ... 3830 Next
/ 3830