한국어
실시간 조황

?

단축키

Prev이전 문서

Next다음 문서

크게 작게 위로 아래로 댓글로 가기
?

단축키

Prev이전 문서

Next다음 문서

크게 작게 위로 아래로 댓글로 가기
대물 감성돔 심하게 반응합니다~
7일(일요일) 거제 성포 출발 내만권 감성돔 낚시 "대동낚시" (실시간) 조황입니다.
※ 감성돔 52Cm이상 포획시, 아지카(AJIKA) 치누스페셜 원줄 증정.

※ 당분간 승율을 위해 "오전 출조" 새벽~11시 진행합니다.
★9일 (화) 성포출발 거제권 추석 감성돔낚시 "예약가능"
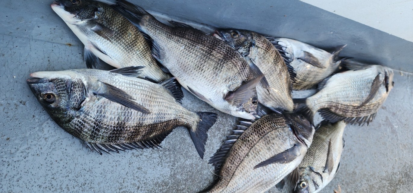
(실시간)감성돔 초딩 조사님 4짜 외 마릿수 폭격 중~!!!
  • 사용자가 올린 이미지

거제 성포출발 대동낚시입니다.
좋은 기상과 물때 속 진입한 포인트에서 감성돔 무리를 만납니다~
씨알 좋은 4짜와 중치급들이 새벽부터 심하게 반응을 보이며
초딩 조사님 4짜 포함 마릿수로 찐한 손맛 제대로 즐기고 계시네요~
낚시 실력이 상당합니다~ 제법 많은 개체수가 포인트 내 진입한 듯
보이니 시원한 찌맛 막강한 손맛 즐기러 오십시오~

당분간, 승율을 높히고 효율적인 낚시를 위해 "오전출조 (새벽~11시)합니다"
9일 화요일 좋은 물때 꾸간으로 진입해 승율이 높은 시기입니다.

대동낚시 출조 일정 ▣ 365출조!!! (몸만 오셔도 OK)
※개인출조 환영!!! (모든장비 무료대여) ★몸만오셔도 됩니다.
※ 당분간 승율을 위해 "오전 출조" 새벽~11시 진행합니다.
★8일 (월) 도크 정비 작업 휴무,
★9일 (화) 거제 성포출발, 감성돔(오전) 흘림낚시 "예약가능"
★10일 (수) 거제 성포출발, 감성돔(오전) 흘림낚시 "예약가능"
★11일 (목) 거제 성포출발, 감성돔(오전) 흘림낚시 "예약가능"
※ 기상만 좋으면 365일 출조합니다. 주말 예약은 미리미리 서둘러 주세요.

▦대동낚시 ☎010-4550-9017
▣ 거제시 사등면 성포로 133(사등농협앞) 감성돔 특급포인트 직항
▣ 밴드 : https://band.us/@daedongho
  • 사용자가 올린 이미지
  • 사용자가 올린 이미지
  • 사용자가 올린 이미지
  • 사용자가 올린 이미지
  • 사용자가 올린 이미지
(미래의 꿈나무 초딩 조사님 낚시 실력 대박~!!)
  • 사용자가 올린 이미지
▩ 대동낚시 사량도권 쫄깃쫄깃 "돌문어 낚시" ▩
1) 종일낚시 - 새벽 4시 30분 출발 ~ 오후 2시 전후까지 운영.
2) 오전낚시 문의 바랍니다.
- 식사, 음료 커피 제공

★ 초보자도 쉽게 접근 가능한 돌문어낚시
문어체험낚시는 "몸만 오시면 됩니다"
- ★★무료 대여★★ 낚시대, 릴, 베이트릴, 스피닝릴 등 상시 준비하고 있습니다.
- 이제 몸만 편안히 오시면, 낚시를 즐길 수 있고, "전생어부 교육"선장이 직접
티칭 지원해 드리며, 충분히 문어를 낚을 수 있도록 고객님들을 스포팅.
★개인 및 가족팀, 단체팀 언제나 환영합니다.

★통영 문어맛집 - 대동낚시
- 타우린이 풍부해 피로회복에 좋은 "문어라면"과 "문어숙회" 등 푸짐한 먹거리
도대동낚시에서는 공짜~

▦대동낚시 ☎010-4550-9017
▣ 거제시 사등면 성포로 133(사등농협앞)
▣ 밴드 : https://band.us/@daedongho ▣ 예약 (수협) 2020-4222-9164 이춘석
※신분증,구명복 필수 준비, 배에서 음주는 법적으로 금지되어 있습니다.
  • 사용자가 올린 이미지

List of Articles
번호 제목 글쓴이 날짜 조회 수
공지 실시간조황, 현재상황, 중간조황, 선상 특이사항 등을 위한 [실시간 조황 게시판]을 운영중입니다. 동해, 서해, 남해 등 지역과 무관합니다. 갈치, 주꾸미, 루어낚시 등 어종 및 미끼에 관계없는 게시판이오니, 현재상황 등 실시간 내용은 그쪽 게시판을 이용해주시기 바랍니다. secret 어부지리 2017.05.05 27314
33059 12일 녹동돌문어 실시간~ 1고흥녹동장보고호1 2025.09.12 30
33058 감성돔(실시간)대물 입성~4짜 소나기 HIT~끝장 손맛 가고파호(15일 예약) 거제가고파호 2025.09.12 19
33057 (감성돔)1명 4짜급 외 3짜 화끈한 손맛~마릿수 시즌~제일호(14일 오전 예약) 거제제일호 2025.09.12 21
33056 9월12일 군산 아라김선장 쭈꾸미 실시간 군산아라낚시 2025.09.12 34
33055 (실시간)가을 문어 시즌~굵은놈들 줄줄이 HIT~3대호(14일 예약) 거제3대낚시 2025.09.12 17
33054 9월2일 도시어부호 쭈꾸미 오전반 실시간 조횡~~좋네요 군산도시어부 2025.09.12 41
33053 군산리더호 쭈실시간~~오늘반나절 나갑니다 군산리더낚시 2025.09.12 51
33052 묵호항 대구조황입니다 묵호항쌈바호 2025.09.11 44
33051 실시간키로급팍팍주말예약중선비4장 재영피싱 2025.09.11 20
33050 감성돔(실시간)대물이 설치네요~46Cm 외 마릿수 中~가고파호(12일 예약) 거제가고파호 2025.09.11 17
33049 9.11.목. 군산슈퍼마린호 쭈꾸미낚시 실시간=낼급취소1자리○ 군산슈퍼마린호 2025.09.11 50
33048 묵호항 대구 조황입니다 묵호항쌈바호 2025.09.10 40
33047 군산킹스타호 9/10 쭈꾸미 실시간(9/11출조합니다) 매일감사하기 2025.09.10 118
33046 (실시간 감성돔)2방 팅~4짜3짜 마릿수 진행 中~대어 선외기(11일 예약) 거제대어선외기 2025.09.10 21
33045 감성돔(실시간)속수무책 6방 팅~4짜급 외3짜 손맛 中~거제대어낚시(11일 예약) 거제대어낚시 2025.09.10 14
33044 10일 물은 빠르지만 쭈 잘 나오네요~ 목 11일 12일 금 모집해요 참바다 2025.09.10 74
33043 9.10.수☆군산슈퍼마린호☆ 쭈꾸미 실시간 군산슈퍼마린호 2025.09.10 70
33042 25시즌 9월 10일 군산 뉴 블루스타호 쭈꾸미 백중 사릿물때 실시간 조황. 군산블루스타호 2025.09.10 39
33041 유촌 형만레저 선외기 감성돔 흘림 .카고조과입니다 형만호(형만레저) 2025.09.09 20
33040 유촌희영레저 선외기 감성돔 흘림 조황입니다 희영호 2025.09.09 24
33039 (실시간)가을 감성돔 담고 또 담고~마릿수 도전~대양호(10일 예약) 대양호통영 2025.09.09 23
33038 군산킹스타호 9/9 쭈꾸미 실시간 소식(9/9자리있어요) 매일감사하기 2025.09.09 87
33037 9월9일 에르 실시간 쭈 군산에르메스호 2025.09.09 44
33036 [실시간] 씨알도 좋고 마릿수도 좋은 실시간 보고드립니다. 진해힐링피싱 2025.09.08 78
33035 (실시간)선외기 대물 3방 팅~가을 감성돔 시작됩니다~(9일 예약) 거제대어선외기 2025.09.08 19
33034 (실시간)4짜 참돔떼 포인트 점령~40수 오버 폭격중~거제대어낚시(9일 예약) 거제대어낚시 2025.09.08 21
33033 9.8.월.☆군산슈퍼마린호☆ 쭈꾸미 실시간 군산슈퍼마린호 2025.09.08 34
33032 바다는 보아스에게 사이즈가 보아스호 2025.09.07 29
33031 (삼천포 건담호)돌문어 크라켄 무리들^^ 예약중 건담호 2025.09.07 24
33030 군산 뉴-세븐호 [25. 9월 7일] ★ 실시간 ★ 쭈꾸미 조황정보 군산세븐호 2025.09.07 57
33029 묵호항 대구조황입니다 묵호항쌈바호 2025.09.07 19
33028 부안골드피싱호, 9/7 쭈꾸미 중간 조황입니다. 부안골드피싱호 2025.09.07 15
33027 9월7일 군산 아라김선장 쭈꾸미 실시간 군산아라낚시 2025.09.07 18
33026 (실시간)선외기 가을 감성돔 진입~마릿수 손맛 진행 中~(8일 예약) 거제대어선외기 2025.09.07 12
33025 ●9/7 실시간 쭈꾸미 ●비도 쭈도 쏟아짐 ●극잼 쭈꾸미●군산 인해호● 군산인해호 2025.09.07 13
33024 (실시간)4짜외 3짜 감성돔 군단 확인~소나기 입질 중~가고파호(8일예약) 거제가고파호 2025.09.07 16
» (실시간)감성돔 사냥~초딩 조사님 4짜 마릿수 폭격~대동낚시 (9일 예약) 대동낚시 2025.09.07 13
33022 여수레인보우 // 9월7일 갈치조황 // 오늘(7일) 자리여유 // 010-3911-7058 여수레인보우 2025.09.07 12
33021 통영유림),실시간 왕갈치조황입니다 통영유림피싱 2025.09.07 19
33020 6일 실시간 갈치(텐빈)씨알 좋네요(낼 선수모집) 사천스피드피싱 2025.09.06 15
목록
Board Pagination Prev 1 ... 5 6 7 8 9 10 11 12 13 14 ... 836 Next
/ 836