한국어
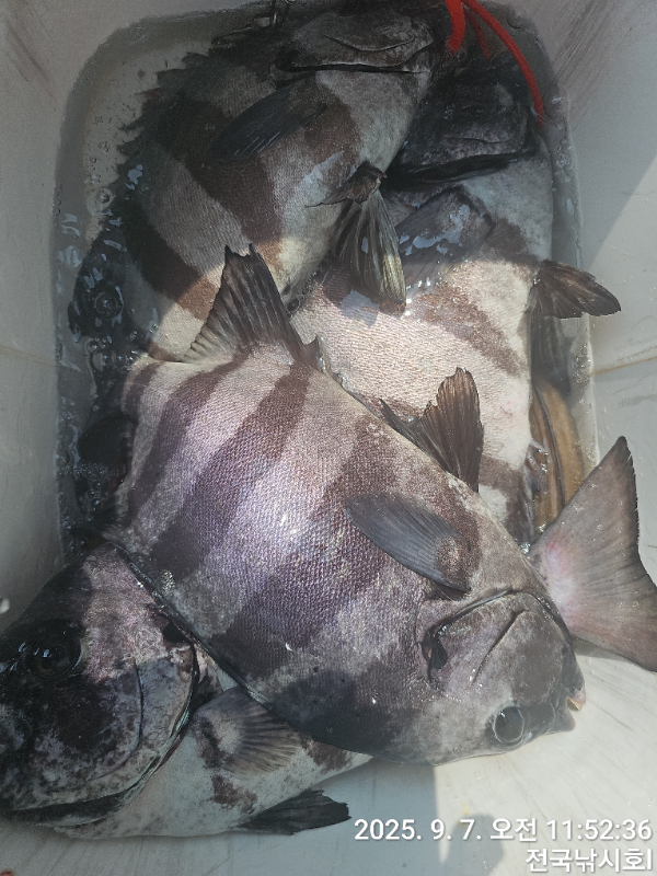
(南)남해조황


어부지리바다낚시 내 조황글은 한번만 게시되어야 합니다.
profile
조회 수 17 댓글 0
cats_400_80_1.gif

================================================================
================================================================

오늘도 전국 낚시호를 찿아 주셔서 감사 합니다 항상 변함 없이 최선을 다하는 모습으로 보답 하겠 습니다 

고흥 전국 낚시호 
010 4626 8963
1000032682.jpg


1000032684.jpg


1000032681.jpg


1000032679.jpg


1000032680.jpg


1000032664.jpg


1000032662.jpg




*** 고흥 전국 낚시호 예약 안내 ***


예약문의 : 010-4626-8963

오시는길 : 전남 고흥군 풍양면 천마로 1418-17 (구 해양파출소)

모바일.gif 

blank.png3


Who's 돌아온황선장

profile

List of Articles
번호 제목 글쓴이 날짜 조회 수
247072 삼천포 마린보이 9. 16. 화요일 야간문어 출항합니다 ^^ 사천마린보이 2025.09.16 12
247071 15일 준내만 갈치 싸이즈 굿굿 손맛 끝내주고 (오늘 예약가능) file 진해씨스타호 2025.09.16 10
247070 오전돌문어 조항입니다 ~(선비5만 식사제공)17일 수요일 8자리 예약가능 합니다~ 따봉피싱 2025.09.16 11
247069 ●선비4만● 오늘도 쭈꾸미 신나게 올리는중~!! 씨알도 좋아졌네요. 내일 자리여유 있어요 여수홍단호 2025.09.16 11
247068 먹물시즌 갑오징어 주서담으러가보실분 도리스피싱 2025.09.16 11
247067 9월15일 입항 먼바다 왕갈치 조황입니다. 대진VIP피싱 2025.09.16 13
247066 [준내만갈치]대갈치 서식지로 직행!!"긴급"5명 예약가능 진해빅마마호 2025.09.16 11
247065 내일 종일반 돌문어출조 합니다(선비:7만원..10자리 여유 있습니다) 여수푸른바다호 2025.09.16 8
247064 내만 갈치 피딩피딩 화요일 예약중 진해풍경호 2025.09.16 10
247063 갈치 삼천포대물 2025.09.16 11
247062 내일 갑오징어 탐사출조합니다~ 신가피싱 2025.09.16 9
247061 16일)갈치(텐야.텐빈)출조합니다. 4지급 갈치 잡어러 출항~자리여유 있습니댜. 에코피싱호 2025.09.16 14
247060 돌문어 열심히 흔들고 있습니다 ^^(추석 맞이 선비이벤트) 블랙드래곤 2025.09.16 16
247059 9/16입항 준내만갈치 사이즈어마어마^^화1,수욜예약됩니다~ file 진해만물낚시 2025.09.16 11
247058 제수문어 잡으러 오세요 탈레스호고성 2025.09.16 9
247057 유촌 충무호 오전 문어 실시간입니다 통영충무호 2025.09.16 14
247056 [준내만갈치 텐야ㆍ텐빈] 3~5지급들 ᆢ. 쿨러. 오늘. 긴급 20자리. ᆢ 바다하리 2025.09.16 18
247055 [ 여수만진스타호 ] 15일 씨알 좋은 문꾸미조황 !!! 내일 9자리여유! (식사제공6만) 출항확정! 여수만진스타호 2025.09.16 22
247054 ※※※※야간돌문어출동※※※※ 여수드림낚시 2025.09.16 17
247053 내만칼치ㅡ3지급도 쭉쭉 올라오고 마릿수 좋아 손맛 굿굿입니다(오늘 예약가능) 진해출조호 2025.09.16 11
247052 거제마리너호)갈치텐빈 조황입니다!!오늘자리텅텅 뉴마리너호 2025.09.16 12
247051 무늬씨알급들 마리수로~ 통영오피싱 2025.09.16 14
247050 욕지권 무늬오지어 9/16 철수 조황! 세자릿수 기록 갱신 축하축하~~화요일 자리~ 스텔라호 2025.09.16 9
247049 준내만갈치 3지4지 씨알죽입니다~갈치불초밥 오늘예약가능 뉴고니호 2025.09.16 14
247048 [거제블루]먼바다 갈치텐빈 씨알만큼은 굿!!! 오늘 3자리~~ 뉴블루 2025.09.16 10
247047 뉴새바다호 vip14석 먼바다 갈치 3지4지 쿨러조황입니다 오늘 1명 예약가능합니다 거제-새바다호 2025.09.16 14
247046 9/15 고흥녹동흑룡호 문어조황 녹동흑룡호 2025.09.16 20
247045 원전항)신조9톤 16일출격~내만갈치 쨉니다째~좌우로 쪽쪽 땡깁니다~ 마산신조선짱구호 2025.09.16 21
247044 레코드호9/15욕지팁런무늬 Hurry up!up!up! 레코드 2025.09.16 19
247043 15일 오후 출항 무늬오징어 2분 마리수 조황입니다. 통영7톤스텔라호 2025.09.16 12
247042 (팁런) 갈도서 무우들이 퍽퍽 합니다. 체리피쉬선장 2025.09.16 14
247041 야간문어 장원 24수등찐한 손맛~ 정판수낚시마트(블랙스타호) 2025.09.16 19
247040 돌문어시즌 고고씽~~ @(화~금) 예약중 라라피싱 2025.09.15 12
247039 오전돌문어 조항입니다 ~(선비5만 식사제공)17일 수요일 8자리 예약가능 합니다~ 따봉피싱 2025.09.15 12
247038 15일새벽 내만갈치 3지까지 버글버글~!!엄청잡고~!!(화,수,목 예약중) file 진해라코피싱 2025.09.15 13
247037 진프로피싱 9/14일 외수질 84 민어 외 호조황!! 진프로피싱 2025.09.15 24
247036 9/15출발 준내만갈치~실시간 사이즈가 어마어마^^화3,수욜예약됩니다 file 진해만물낚시 2025.09.15 22
247035 9/14일 주간 문어 조황입니다. 고흥녹동링크호 2025.09.15 22
247034 풍화리 선외기의 문어 조황 풍화수양레저 2025.09.15 13
247033 250915 녹동제니스2호 붉바리외수질 5짜1수포함 평균씨알좋은 굿조황 ZENITH 2025.09.15 20
247032 여수레드헌터피싱 9월15일(월) 돌문어 최고의 조황으로 다녀왔습니다... 여수레드헌터 2025.09.15 30
247031 두족류 최강 여수헌터호 15일 조황 올립니다! 여수헌터호 2025.09.15 16
247030 9월13일14일 팀보스선단 문어조황 녹동보스호 2025.09.15 11
247029 ■붉바리 생미끼 외수질낚시 초대박조황입니다 ◎ 해마루호가 뜨는이유? 조황때문이죠 ◎ 핵심포인트: 바로진입.. 바로히트.. ▣ 차원이 다른 조황으로 모십니다 고흥바다낚시114 2025.09.15 20
247028 내일 문어선수 모집.5만출조(간단식사제공)주중주말 예약중.쭉~즐기시러 오세요. 하하호호피싱 2025.09.15 15
247027 15일 새벽<내만 갈치>손맛보러 gogo~예약가능 진해썬플라워 2025.09.15 11
247026 <여수청홍낚시>9월15일 여수 문어낚시 조황 소식 입니다.(개인 최고기록 갱신부터 여수 문어 쓸어 담는중..동영상 조황 필히 확인) 여수생활낚시 2025.09.15 18
247025 15일 장원 세자리수 오버 여수 쭈꾸미 조황입니다!! 여수찰리호매니저 2025.09.15 15
247024 낙낙님과의주.야문어입니다 첼시피싱 2025.09.15 11
247023 진해문어낚시] 손맛 끝내주는 돌문어 쭉쭉 뽑아올려주시며 찐한 손맛 보고왔습니다~^0^ 진해한바다 2025.09.15 17
247022 감성돔흘림찌낚시수요일부터출조합니다 여수감성피싱 2025.09.15 7
247021 (9/15일)종일반 돌문어 조황입니다(수요일 돌문어 출조합니다) 여수푸른바다호 2025.09.15 14
247020 씨알은 좋습니다만 고등어 삼치가 붙어 갈치낚시 하는데 지장을 주어 만쿨등 개개인 조과 차이는 있었지만 만족하고 왔습니다 여수오리엔트호 2025.09.15 17
247019 대명호 문어조황 장원 20수이상 file 진해대명호 2025.09.15 20
247018 아~갑오징어 만땅실패..수요일부터 예약가능 도리스피싱 2025.09.15 22
247017 해모수호 돌문어 키로급 손맛 짱/수요일부터 고고싱 선비 오만원 삼천포해모수호 2025.09.15 13
247016 삼천포 마린보이 풍성한 가을 주간 /야간 문어 출항 합니다 사천마린보이 2025.09.15 9
247015 풍화리선외기 탈참 감시 숭어조황 경신레져 2025.09.15 12
247014 도리호 14일돌문어 킬로급들 마릿수조항 ~ file 진해도리호 2025.09.15 16
247013 [고흥피쉬헌터호] 물반 붉바리 바글바글~~~!!! 고흥피쉬헌터호 2025.09.15 17
247012 붉바리 조황 누리호 2025.09.15 17
247011 문어조황 누리호 2025.09.15 14
247010 감성돔 4짜 사이즈좋아 손맛이좋은 조황입니디.내일 예약가능 file 거제용진호 2025.09.15 9
247009 내만권 감성돔 5짜,4짜 마릿수 조황....(덴마) file 통영나룻터낚시 2025.09.15 9
247008 준내만갈치, 씨알끝장,오늘출항,쭉 예약가능/내만갈치 오늘출항 예약가능 file 진해대성낚시 2025.09.15 10
목록
Board Pagination Prev 1 ... 35 36 37 38 39 40 41 42 43 44 ... 3841 Next
/ 3841