한국어
(南)남해조황


어부지리바다낚시 내 조황글은 한번만 게시되어야 합니다.
cats_400_80_1.gif

================================================================
================================================================

fd6071a5b6e7c78a9ea58a6c77e8c599.jpg

cu1757304064546.jpg


cu1757304108334.jpg


cu1757304119747.jpg

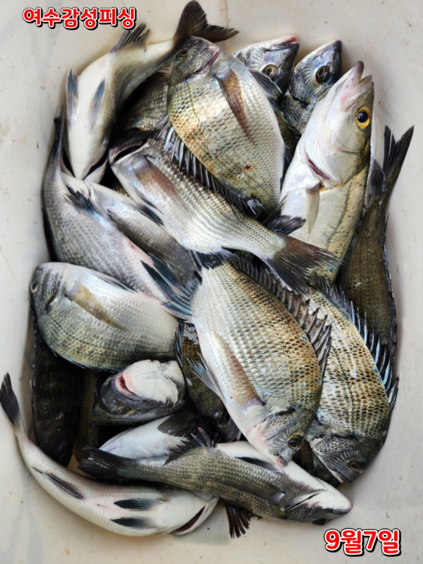
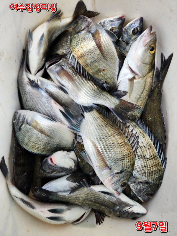
9월7일(일)탐사차 몇분 함께했습니다

어린 감성돔들이 새우한마리에 한마리씩 넣으면 물어주는 입질에 즐거운시간 보냈고 다음 출조를 위해 전부 방생합니다 (25~30이하)

9월12일부터 가을감성돔 참돔 출조 시작합니다(선상막대찌낚시)

참돔  감성돔 ■ 문어 ■쭈꾸미 ■갑오징어 ■ 참돔  ■ 붉바리 농어외수질)

■선상낚시출조전문 감성피싱입니다.
정원은 선장포함 9명 3톤입니다.
다양한 어종으로 출조하오니 언제든지 문의주세요

■감성돔준비물: 1호 낚시대 막대찌(원줄2.5호이상) 1.5호막대찌이상
반달멈춤고무 순간수중봉돌 1.5호이상.쿠션고무. 도래.목줄 1.5호. 바늘 3호 좁쌀봉돌(유동적)


■ 출조시간 05시30분~14시30분까지(유동적)

■생활낚시 요금안내][최소 출조인원]
■참돔 : 5인이상
■생활낚시 : 5인이상(문어)
■돌문어낚시 = 8만원(1인)
■쭈꾸미낚시 = 8만원(1인)
■농어 붉바리 외수질 문의
생활낚시는 인원부족시 출조불가
   단: 독배출조가능1~2인(상담)
   (출조시간 자율조정)
■선사제공 : 개인 점심도시락(집밥)
                    커피 음료 생수등
■낚시대대여가능(파손시비용발생)

● 예약완료 후 당일 최소 출조인원이 다 차지 않는 경우  출항문자 19시 문자드립니다

○ 참돔(막대찌낚시) = 120,000원
(4인이상)
● 참돔준비물 : 낚시대(1.5이상), 릴(5000번이상), 막대찌(3호이상), 원줄(5호이상), 목줄(3호이상), 낚시바늘(10~12호)

생활낚시독배환영(도다리 쭈꾸미 갑오징 돌문어)독배 상담

[참돔 감성돔 독배 요금 및 안내]
■ 주중 : 4~7명(600,000원) + 1인추가당(50,000)
■ 주말 : 4~7명(650,000원)감성돔

● 독배는 밑밥, 미끼, 식사포함되지 않으며, 별도로 구매가능합니다.

● 생활낚시 또는 감성돔, 참돔으로 구분하여 독배가 가능합니다
[위치안내 및 입금안내]

■ 1~배타는곳
여수시 화정면 화백해안길333(화정면백야리)백야낚시앞

● 2~배타는곳
여수시 화양면 세포당머리길 28-8
    (남해수산연구소밑)

● 배타는곳은 주차장 협소로 (전날18시쯤)변동될수 있으니 전날 문자 드립니다

● 신분증 필히 지참부탁드립니다.
농협(김진우)
         352-0844-0426-63

[예약문의]
선장(김진우)010-5439-4836
      (부재시 : 010-9191-1864)
● 선입금하셔야 예약이 완료됩니다.

[취소/환불안내]
- 독배예약 후 1일전 취소는 불가합니다.
- 독배예약 후 2일전 취소는 50% 환불됩니다.
- 독배예약 후 3일전 취소는 전액환불됩니다.

[출조안내]
- 모든 출조 일정은 선장님 결정에 의해 이루어집니다.
- 기상악화시 100% 환불처리 됩니다.




1000030692.jpg


*** 여수 감성피싱 예약 안내 ***


예약문의 : 010-5439-4836

오시는길 : 전남 여수시 화양면 세포당머리길 28-8

모바일.jpg



blank.png3



List of Articles
번호 제목 글쓴이 날짜 조회 수
246638 접도권조황 file 진도접도낚시 2025.09.10 14
246637 내만갈치 2지 3지 마릿수 굳 목 금 토 일 예약중 진해풍경호 2025.09.10 12
246636 내일 쭈꾸미 출조합니다 선비 5만원 여수효성호 2025.09.10 16
246635 두족류 최강자 여수 헌터호 내일 목요일 쭈/갑 출항 예약 가능합니다! 여수헌터호 2025.09.10 15
246634 ((풍화리)) 참돔 풍화리돌고래낚시 2025.09.10 16
246633 내만 갈치 금,토 달립니다 일욜부터 준내만 갈치 출동~~(예약 가능) file 나드리 2025.09.10 13
246632 FM 피싱호 (감성돔흘림 (오전낚시))~오늘조황 ㆍ전원 손맛보고 즐겁게 철수했습니다ㅡ낼(목)예약가능합니다 Fm낚시 2025.09.10 16
246631 내만권 굵은 감성돔 외 마릿수 조황입니다....(덴마) file 통영나룻터낚시 2025.09.10 14
246630 돌문어본격시즌 스타트 @(수~금) 예약중 라라피싱 2025.09.10 13
246629 금토 내만갈치 출조/ 준내만 4지급 뚱뚱 은빛 갈치 쿨러 조황 일월화수목 개성피싱 2025.09.10 10
246628 일요일 문어 야간갈치모집중 도리스피싱 2025.09.10 11
246627 준내만갈치)4지급들 쿨러만땅 대박(금요일5명/일요일부터예약 진해최강리드 2025.09.10 16
246626 준내만갈치~ 빨빵한 대갈치에 쿨러가 묵직합니다!! [일요일부터예약가능] 010-7660-2435 file 덕성호 2025.09.10 15
246625 금,토 내만갈치 예약가능!준내만은 월요일부터 가능합니다. file 여명피싱 2025.09.10 5
246624 와,내만칼치.3지급.마릿수 폭팔적,루어피딩 엄청나,오늘 예약가능 진해대물낚시 2025.09.10 14
246623 오늘오후 6시 문어 원도권 직항~ 정판수낚시마트(블랙스타호) 2025.09.10 16
246622 (여수타이슨호) 평일쭈꾸미 4만원 이벤트중!! 여수타이슨호 2025.09.10 12
246621 《평일선비5만》조금물때부터 쭈꾸미 다시 출조합니다~!! 예약주세요~♡♡ 여수홍단호 2025.09.10 13
246620 여수돌문어 가을감성돔출조합니다 여수감성피싱 2025.09.10 14
246619 내일 종일반 쭈꾸미 출조합니다(선비:5만원..10자리 여유있습니다)일요일 내만갈치 출조합니다 여수푸른바다호 2025.09.10 17
246618 9월9일 입항 먼바다 왕갈치 조황입니다. 대진VIP피싱 2025.09.10 17
246617 [준내만]대치들로빵빵하게!! 쿨러채우고~ 금요일/토요일 펑크자리있어요~ 월화수목 자리널널합니다~ 진해매일호 2025.09.10 14
246616 금요일,토요일~내만갈치예약가능,,일요일부터 준내만갈치예약가능~ file 진해골드스타2 2025.09.10 10
246615 내만갈치 3지들 버글버글 피딩에 엄청잡고~!!(오늘 예약중) file 진해라코피싱 2025.09.10 20
246614 [문어] 오늘 야간 예약가능 ~ 매일야간출항 진해제네시스호 2025.09.10 11
246613 내만갈치 씨알급들 퍽퍽~쭉쭉 땡기고~(수목예약가능) file 진해왕낚시 2025.09.10 17
246612 제주엔에스호 무늬오징어 조황입니다 제주엔에스호 2025.09.10 17
246611 뉴 태진호 먼바다 왕갈치 조황 및 오늘 정상츨항!!! 갈치전문태진호 2025.09.10 22
246610 원전항)신조9톤오늘10일 내만갈치 출격합니다 마릿수대박~예약중 마산신조선짱구호 2025.09.10 18
246609 오전돌문어 조항입니다 ~(선비5만 식사제공)12일 금요일 9자리 예약가능 합니다~ 따봉피싱 2025.09.09 22
246608 내만갈치 엄청잡아!!3지까지 씨알급들 쏟아져!!(수목예약가능) file 진해왕낚시 2025.09.09 23
246607 14일)문어출조 합니다. 굵직한 문어 손맛 신의손 모집합니다. 에코피싱호 2025.09.09 22
246606 끈적한손맛이 끝내주는 돌문어낚시 @(수~금) 예약중 라라피싱 2025.09.09 13
246605 FM 피싱호 (감성돔흘림 (오전낚시))~출조계획 공지합니다 Fm낚시 2025.09.09 15
246604 문어 금.토.일요일 선수모집.물때 좋습니다.자리널널.9월 오전반 5만출조(간단식사제공)쭉~예약중입니다 하하호호피싱 2025.09.09 15
246603 유촌 형만레저 선외기 감성돔 흘림 .카고조과입니다 형만호(형만레저) 2025.09.09 19
246602 유촌 형만호 선상 문어 오전 철수조황입니다 형만호(형만레저) 2025.09.09 20
246601 ■ 돌문어 연일 마리수조황 대박!!(총176수,156수) 해그린피싱 2025.09.09 31
246600 준내만갈치~초대박!씨알끝장!어마어마!엄청잡고(일,월,화,수쭉~예약가능) file 여명피싱 2025.09.09 19
246599 250907여수 쭈꾸미조황 오션킹 2025.09.09 33
246598 FM 피싱호 (감성돔흘림 (오전))~이번주 출조계획 공지합니다 ㅡㅡ Fm낚시 2025.09.09 11
246597 내만갈치 마릿수 굳굳 평일 선비 이벤트중 진해풍경호 2025.09.09 13
246596 (선외기)가을 감성돔 입성~씨알급 돌문어까지~1석2조~(10일 예약) 거제대어선외기 2025.09.09 11
246595 ※※※※드림피싱예약대기중※※※※ 여수드림낚시 2025.09.09 14
246594 ~~*9일 굵직한돌문어 비 바람속에서도 제법잡고~*(예약가능)*~~ 괴정포인트피싱 2025.09.09 10
246593 (여수타이슨호) 평일선비4만원 쭈꾸미 대박조황!!! 여수타이슨호 2025.09.09 31
246592 [참돔흘림]금일 두분이서 마리수로 찐한 손맛 file 거제오로라 2025.09.09 9
246591 내만칼치 ㅡ3지급으로 쿨러가득.씨알굿 손맛굿굿입니다 (예약가능) 진해출조호 2025.09.09 16
246590 준내만갈치,3지5지,연장전에 좀잡고,쭉 예약가능/내만갈치,오늘출항 file 진해대성낚시 2025.09.09 17
246589 <내만 갈치> 오늘 화요일 예약가능 진해썬플라워 2025.09.09 14
246588 목요일 종일반 쭈꾸미 출조합니다(선비:5만원..12자리 여유있습니다) 여수푸른바다호 2025.09.09 26
246587 [진해문어낚시] 손맛 끝내주는 돌문어 초보조우님들께서도 찐한 손맛보시며 즐기고 왔습니다^0^ 진해한바다 2025.09.09 22
246586 돌문어본격시즌 고고씽 @(화~금)예약중 라라피싱 2025.09.09 11
246585 9일새벽,와,내만칼치.3지급.마릿수 폭팔적,루어피딩 엄청나,수,목욜 예약가능 진해대물낚시 2025.09.09 23
246584 9일새벽 내만갈치 올시즌최고~씨알급들 피딩피딩~!!(수,목 예약중) file 진해라코피싱 2025.09.09 22
246583 준내만 갈치 쿨러 두껑이 안닫혀요~~(금욜부터 예약 가능) file 나드리 2025.09.09 25
246582 돌문어 조황입니다.~^^ 통영인스타 2025.09.09 18
246581 문어 누리호 2025.09.09 23
246580 8/8먼바다갈치(지깅,텐빈,텐야)조황~여수 스카이호 여수스카이 2025.09.09 25
246579 칠성호 돌문어 요즘 제법 올라오네요 ~ 칠성호 2025.09.09 13
246578 야간문어 장원 35수부터 팍팍~ 정판수낚시마트(블랙스타호) 2025.09.09 36
246577 내일(수) 야간문어 예약가능~8일 바람통조황~ 연락주세요~ 진해제네시스호 2025.09.09 13
246576 (선외기)가을 감성돔 입성~씨알급 돌문어까지~1석2조~(10일 예약) 거제대어선외기 2025.09.09 16
246575 9월8일 입항 먼바다 왕갈치 조황입니다. 대진VIP피싱 2025.09.09 23
246574 레코드호9/8팁런무니1.3K 포스작살,승선권득템 레코드 2025.09.09 12
목록
Board Pagination Prev 1 ... 33 34 35 36 37 38 39 40 41 42 ... 3832 Next
/ 3832