한국어
찌낚시조황

- 배너를 클릭하면 해당 출조점의 홈페이지가 열립니다

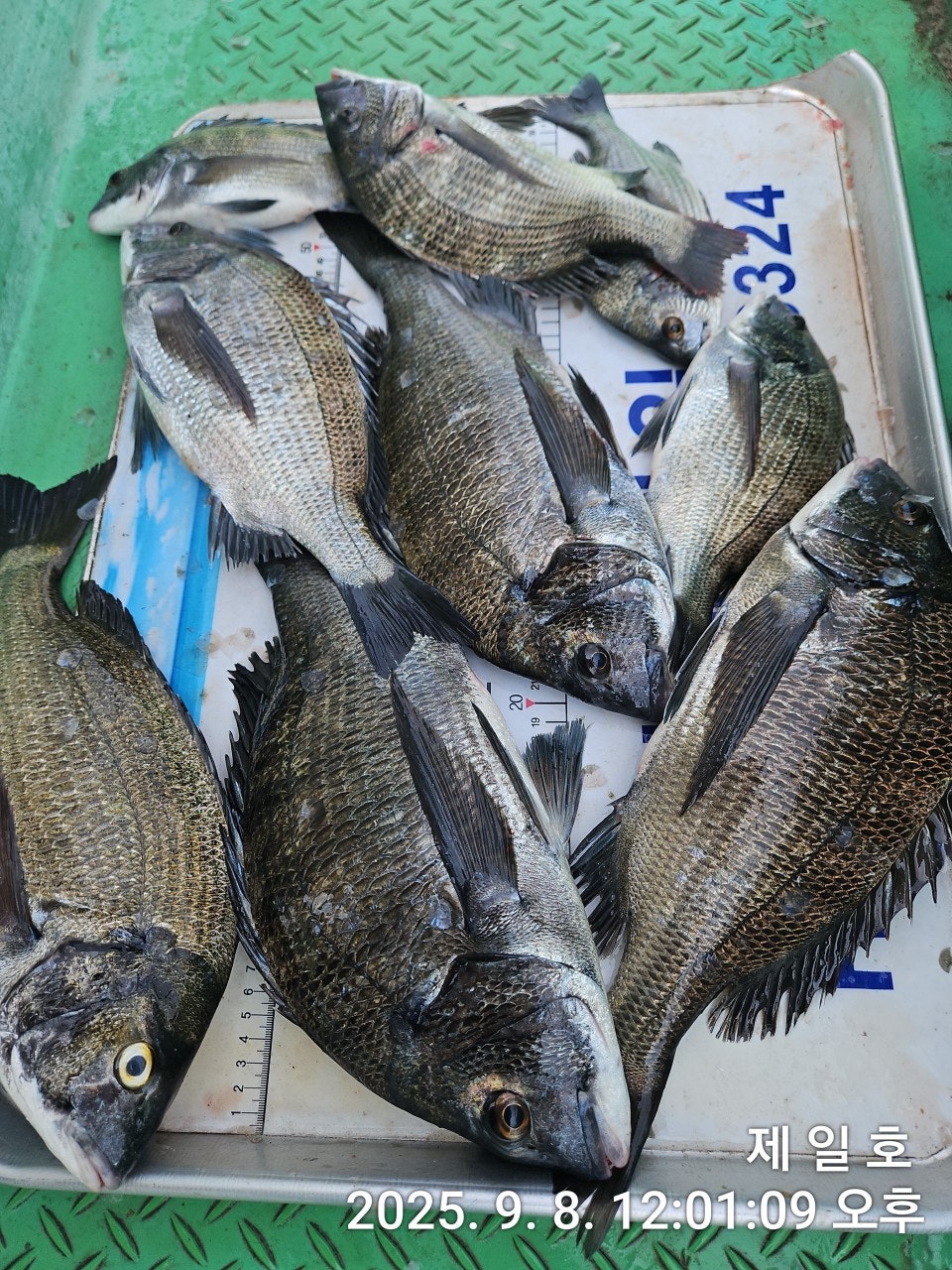
오전 감성돔낚시에 굵은놈들 본격 입질~
8일(월요일) 거제도 감성돔 선상낚시 청곡항 출발, "제일호" 오전 조황입니다.
※ 53Cm이상 감성돔 포획시 AJIKA(아지카)라인에서 사은품 증정!!!
※ 제일호는 확률 높은 오전 타임 전문 출조합니다~

☆ 9일(화요일) 거제권 감성돔 오전낚시 "예약가능"
감성돔(오전 흘림) 굵은 4짜들외 소나기 입질~
추석 제수고기 제대로 진입했습니다~
  • 사용자가 올린 이미지

청곡항 출발 제일호입니다.
좋은 물때에 맞추어 진입한 감성돔 추석권 포인트, 역시~굵은 녀석들은 이미
포인트를 장악한 상황, 2명의 조사님과 함께 진입한 포인트에는 정신없이
덤벼드는 감성돔들의 소나기 입질에 빵좋고 힘좋은 가을 감성돔 4짜 3짜를
포함해 마리수 손맛으로 출조를 마칠 수 있었습니다. 사이즈가 상당히 좋은
놈들이 올해는 유독 빨리 추석권 감성돔 포인트에 진입한 것 같습니다.
주말까지 무리없는 손맛이 예상됩니다.

당분간, 거제도 감성돔낚시는 오전낚시에 대부분, 입질을 받을 수 있는 시기
빠른 진입, 빠른 철수, 효율적인 오전 감성돔낚시를 진행하겠습니다.

9일(화요일) 거제 내만권 감성돔 흘림낚시 오전 출조 예약 가능합니다~
오늘도 거제 제일호와 함께해주신 조사님들 수고 많으셨습니다.

※감성돔 선상 흘림낚시 출조 시간 안내
- 제일호는 가장 확율 높은 오전 타임 출조를 진행하고, 오전(8만원)으로 운영.

제일호 감성돔낚시 일정 ▣ 평수지역 포인트(기상 영향 적은 곳)
☆9일(화요일) 오전낚시 거제 핫포인트 감성돔낚시 "예약가능
☆10일(수요일) 오전낚시 거제 핫포인트 감성돔낚시 "예약가능
☆11일(목요일) 오전낚시 거제 핫포인트 감성돔낚시 "예약가능
☆12일(금요일) 오전낚시 거제 핫포인트 감성돔낚시 "예약가능
☆13일(토요일) 오전낚시 거제 핫포인트 감성돔낚시 "예약가능
※ 기상 변화 시 낚시에도 문제가 없는 거제 내만권 감성돔낚시입니다.

▣ 제일호 ☎ 010-2522-6324
▣ 밴드 : band.us/@jaeilho
(선착장) 거제시 사등면 청곡리 18-6번지 청곡방파제
  • 사용자가 올린 이미지
  • 사용자가 올린 이미지
  • 사용자가 올린 이미지
  • 사용자가 올린 이미지
  • 사용자가 올린 이미지
  • 사용자가 올린 이미지
  • 사용자가 올린 이미지
  • 사용자가 올린 이미지
▩ 감성돔낚시 출조시간 및 선비 안내 ▩
(평일/주말 종일낚시) 05:30 ~ 11시경 철수, 8만원
- 감성돔낚시 독배 예약 문의 (협의 가능).
※ 기상 변화 시 낚시에는 문제가 없는 거제 내만권 감성돔낚시입니다.

<제일호 이용시 유의 사항>
- 신분증은 필히 지참해야 하며, 음주행위는 법으로 금지.- 구명조끼는필수 지참

▣ 제일호 ☎ 010-2522-6324
▣ 밴드 : band.us/@jaeilho
(선착장) 거제시 사등면 청곡리 518-6번지 청곡방파제
- 예약계좌 (수협) 731 62 030701 이성창
  • 사용자가 올린 이미지


List of Articles
번호 제목 글쓴이 날짜 조회 수
공지 (제목에 실시간* 표기된) 조황은 실시간게시판으로 이동 또는 삭제됩니다 secret 어부지리 2020.09.21 189
25686 해금강권(흘림) 참돔 5짜 4짜외 슈퍼전갱이들의 맹공격~신성호(17일 출동) 신성피싱 2025.09.16 24
25685 감성돔 흘림 45이하로 30여 마릿수 file 통영대길호 2025.09.16 28
25684 고성드래곤 감시 흘림 계속 마릿수 수욜 자리여유 file 고성드래곤피싱 2025.09.16 16
25683 가을 감성돔 해거리 끝 퍼담습니다. 탈레스호고성 2025.09.16 11
25682 (감성돔)두 분 4짜3짜 마릿수 퍼 담고 조기퇴근~대양호(야간 팁런 예약) 대양호통영 2025.09.16 21
25681 (다대포)참돔떼 등장~마릿수 타작~추석준비는 용진호에서(17일 예약) 부산용진호 2025.09.16 23
25680 (감성돔)오전낚시 1명 4짜급 외 3짜 초충반 마릿수~제일호(17일 예약) 거제제일호 2025.09.16 14
25679 (선외기)감성돔 문어 일타쌍피~꾸준한 마릿수 행진~(16일 예약) 거제대어선외기 2025.09.15 23
25678 내만권 감성돔 5짜,4짜 마릿수 조황....(덴마) file 통영나룻터낚시 2025.09.15 28
25677 (흘림)5짜 참돔 외 大전갱이 폭격~와라락 화끈한 입질~신성호(16일 출동) 신성피싱 2025.09.15 22
25676 (다대포)참돔 군단 입성~폭군 부시리까지 난리법석~용진호(16일 예약) 부산용진호 2025.09.15 19
25675 (감성돔)화끈한 찌맛 대물 1방 팅~벵에돔까지~젠틀호(16일 예약) 거제젠틀호 2025.09.15 19
25674 (감성돔)괴물이 산다 4방 총쏘고 4짜 3짜 체포~거제대어낚시(16일 예약) 거제대어낚시 2025.09.15 23
25673 (감성돔)터지고 빠지고 피딩~중치급 마릿수 손맛~대양호(16일 예약) 대양호통영 2025.09.15 22
25672 (오전낚시)감성돔 조황 중치급들 당찬 손맛~가고파호(16일 예약) 거제가고파호 2025.09.15 20
25671 (감성돔)4짜 중반~3짜 후반 평균 씨알 끝내주네요~제일호(16일 예약) 거제제일호 2025.09.15 15
25670 ((경남고성 주인호))주인호 월요일 감성돔 조황~화요일예약가능!! file 주인피싱 2025.09.15 20
25669 고성드래곤 어초 여밭 감시흘림 계속마릿수 자리여유 file 고성드래곤피싱 2025.09.15 18
25668 (감성돔)막 쏟아집니다~4짜3짜 마릿수 타작~대양호(야간 팁런 예약) 대양호통영 2025.09.15 24
25667 유촌 형만레저 선외기 문어 감성돔 흘림 마리수 조황입니다 형만호(형만레저) 2025.09.14 26
25666 (곤리 풍화)궁항레저 문어&무늬오징어&감성돔 조황입니다 궁항레져 2025.09.14 17
25665 선외기(감성돔) 4짜급부터 돌문어들 주렁주렁~대어 선외기(15일 예약) 1 거제대어선외기 2025.09.14 37
25664 감성돔 벵에돔 (어장어초여밭) 불감당 1방 팅~젠틀호(15일 예약) 거제젠틀호 2025.09.14 20
25663 (감성돔)5짜 외 4짜 포인트 점령~굵은 참돔까지~거제대어낚시(15일 예약) 거제대어낚시 2025.09.14 20
25662 (감성돔)4짜3짜 타작~제대로 붙었다 초대박~대양호(주간 감성돔 야간 팁런) 대양호통영 2025.09.14 32
25661 (감성돔)여기다 38~45Cm까지 씨알 좋고 마릿수 좋고~제일호(15일 예약) 거제제일호 2025.09.14 12
25660 (감성돔)대물터 직항~터지고 빠지고 4짜 오버 속출~가고파호(15일 예약) 거제가고파호 2025.09.14 18
25659 ((경남고성 주인호))주인호 일요일 감성돔 마릿수 조황~월요일예약가능!! file 주인피싱 2025.09.14 28
25658 (다대포)추석 준비는 용진호에서~참돔 부시리 쫙~깔았네요(15일 예약 부산용진호 2025.09.14 23
25657 (해금강권)너울 속 참돔 大전갱이 와라락~화끈한 입질~신성호(15일 출동) 신성피싱 2025.09.14 12
25656 고성드래곤 어초 여밭 감시흘림 계속 마릿수 조황 file 고성드래곤피싱 2025.09.13 25
25655 계속되는 내만권 굵은 감성돔 외 마릿수 조황...(덴마) file 통영나룻터낚시 2025.09.13 32
25654 (감성돔)대물의 습격~5짜4짜 우당탕탕 핫조황~대양호(14일 예약 중) 대양호통영 2025.09.13 34
25653 (감성돔)두 분 4짜 외 씨알급들 마릿수 손맛~대동낚시(14일 감성돔 출동) 대동낚시 2025.09.13 30
25652 대물들 팅~ 힘좋은 감성돔들 손맛!!! 내일 예약중!!! 1 file 거제최강피싱 2025.09.13 32
25651 (감성돔)꾸준한 조황 1명 4짜급 외 3짜 타작완료~제일호(14일 예약) 거제제일호 2025.09.13 31
25650 (감성돔)대물 속출~4짜들 외 마릿수 끝장 손맛~가고파호(15일 예약) 거제가고파호 2025.09.13 18
25649 유촌 형만레저 선외기 문어.시즌시작.감성돔 1인흘림100수~~^^ 월요일부터여유 형만호(형만레저) 2025.09.12 27
25648 (감성돔)터지는 마릿수 대물~중치급까지 다양한 손맛~대어선외기(15일 예약) 거제대어선외기 2025.09.12 22
25647 (감성돔)가을 시즌 돌입 중치급들 당찬 손맛~대양호(14일 출항 확정) 대양호통영 2025.09.12 24
목록
Board Pagination Prev 1 ... 3 4 5 6 7 8 9 10 11 12 ... 650 Next
/ 650