한국어
찌낚시조황

- 배너를 클릭하면 해당 출조점의 홈페이지가 열립니다

11일(목) 거제 학산마을 출발, 오전 감성돔 낚시 "가고파호" (철수)핫조황입니다.
※ 주차하고 선착장까지 바로 연결되어 편리합니다.

☆ 12일(금요일) 거제 감성돔 오전 흘림낚시 "예약 가능"
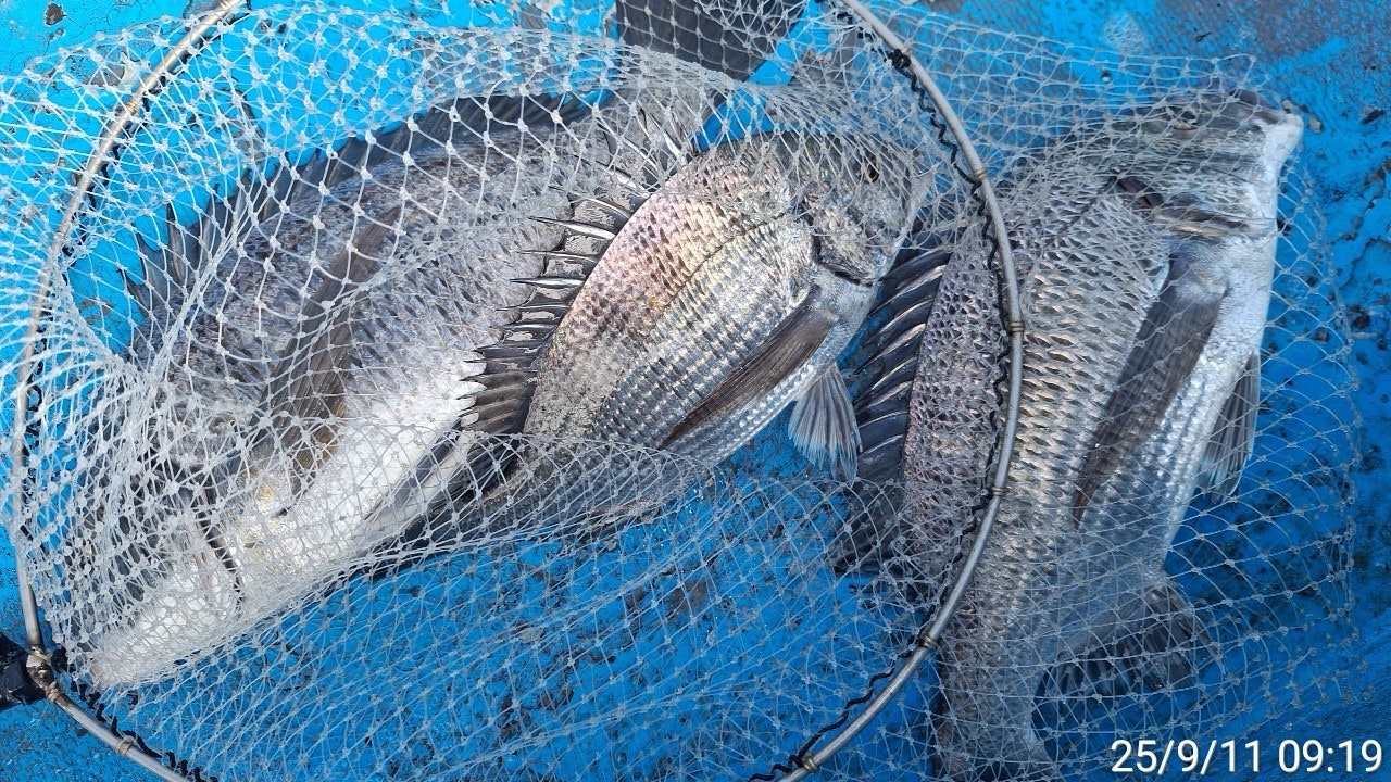
(감성돔)46Cm 빅원 외 중치급들 포인트 점령~
추석 제수고기 감성돔 사이즈와 마리수 개체 입성
※ 여름 오전낚시는 사이즈 마리수 탁월합니다 오전 8만원
  • 사용자가 올린 이미지
거제도 학산마을 출발, 감성돔 전문 출조점 가고파호입니다.
오전낚시 확률 높은 시간만을 공략하기에 집중력 있게 녀석들을
노릴 수 있었고 꾸준히 들어간 밑밥에 반응을 보이는 감성돔들
덕분에 시원한 찌맛과 손맛 즐길 수 있었습니다.
46Cm 빅원 외 중치급들 마릿수 체포에 성공했고 중치급들 사이에
대물들의 입질이 이어지니 원줄 목줄 관리 철저히 하셔야할 듯 합니다.
쭉 좋은 물때 속 내일부터 대물 감성돔 사냥 예약 가능합니다~

12일(금요일) 거제 출발 감성돔 오전 흘림낚시 예약 가능합니다~
추석 제수고기 낚으로 오십시요. 본격적인 손맛이 시작되는 것 같습니다.
오늘도 거제 가고파호와 함께해주신 조사님들 수고 많으셨습니다.

▣ 가고파호 감성돔낚시 오전타임(8만원) 일정 안내 ▣
☆12일(금요일) 거제 감성돔 오전 흘림낚시 "예약가능"
☆13일(토요일) 거제 감성돔 오전 흘림낚시 "예약가능"
☆14일(일요일) 거제 감성돔 오전 흘림낚시 "예약가능"
☆15일(월요일) 거제 감성돔 오전 흘림낚시 "예약가능"
☆16일(화요일) 거제 감성돔 오전 흘림낚시 "예약가능"
- 주중, 주말 예약 가능합니다.

▩ 가고파호(선상) ☎ 010 8553 7868
▩ 가고파호 밴드 http://band.us/@gagopaho
▩ 주소 :거제시 둔덕면 학산3길 81 (舊주소:둔덕면 학산리 109번지)
  • 사용자가 올린 이미지
  • 사용자가 올린 이미지
(10일 마감 조황 첨부합니다~)
  • 사용자가 올린 이미지
  • 사용자가 올린 이미지
(7일 조황 첨부합니다~)
  • 사용자가 올린 이미지
  • 사용자가 올린 이미지
▩ 감성돔 선상 흘림 낚시 안내 ▩
(평일 오전낚시) 04:30 ~ 11시 철수 8만원
- 생수,커피,라면,초장등, 낚시장비만 가지고 오세요

▩돌문어 출조 시간 및 선비 안내 ▩
(평일 종일) 05:00~14:00 전후,
- 문어라면 제공,음료, 생수 제공합니다.
- 가족팀/회사팀/동호회팀은 독배 상시 예약가능.
※ 낚시장비(무료) 대여 가능, 구명복 필요하신 분은 예약 시 전달 요청.

▩ 가고파호(선상) ☎ 010 8553 7868
▩ 가고파호 밴드 http://band.us/@gagopaho
▩ 주소 :거제시 둔덕면 학산3길 81 (舊주소:둔덕면 학산리 109번지)
  • 사용자가 올린 이미지

Who's 거제가고파호

profile

List of Articles
번호 제목 글쓴이 날짜 조회 수
공지 (제목에 실시간* 표기된) 조황은 실시간게시판으로 이동 또는 삭제됩니다 secret 어부지리 2020.09.21 189
365 (참돔 부시리)본류대 美친파워~손맛 충전 성공~거제대어낚시(8일 예약) 거제대어낚시 2025.09.07 20
364 (감성돔)4짜 外 3짜 마릿수 폭격~초딩 조사님 장원~대동낚시(9일 예약) 대동낚시 2025.09.07 19
363 (다대포)와라락~본류 흘림 참돔 부시리 꾸준히~용진호(8일 예약) 부산용진호 2025.09.07 21
362 선외기(가성비짱) 감성돔들과 돌문어들 가득~대어선외기(8일 예약 거제대어선외기 2025.09.07 13
361 내만권 4짜 감성돔 외 마릿수 조황입니다...(덴마) file 통영나룻터낚시 2025.09.07 23
360 돌문어 예약중 1인자 2025.09.07 21
359 고성드래곤 어초 감시 흘림 조황 file 고성드래곤피싱 2025.09.07 20
358 (감성돔)4짜4짜4짜4짜 대물들 속출~HOT포인트 클라스~대양호(9일 예약) 대양호통영 2025.09.08 11
357 (랜딩영상)대물 입성~6방 팅 5짜4짜3짜 참돔 타작~신성호(9일 출동) 신성피싱 2025.09.08 17
356 유촌희영레저 선외기 감성돔 흘림 마리수 희영호 2025.09.08 18
355 감성돔(오전 흘림) 굵은 4짜들외 소나기 입질~제일호(9일 오전예약) 거제제일호 2025.09.08 21
354 참돔 70여수외 부시리 (감성돔) 4방팅~4짜3짜 쏟아져~대어낚시(9일 예약) 거제대어낚시 2025.09.08 26
353 (감성돔) 4짜4짜4짜4짜 대물들 속출~HOT포인트 클라스~대양호(9일 예약) 1 대양호통영 2025.09.08 32
352 참돔(랜딩영상) 대물 입성~6방팅 5짜4짜3짜 타작~신성호(9일 출동) 신성피싱 2025.09.08 15
351 유촌 형만 레저 선외기 흘림 카고 조황입니다 내일여유 형만호(형만레저) 2025.09.08 12
350 선외기(거제권) 4짜급외 돌문어 1타 2피 제수고기 준비끝~대어선외기(9일 예약) 거제대어낚시 2025.09.08 23
349 (감성돔)시즌 OPEN~화끈한 찌맛 마릿수 성공~대양호(10일 예약) 대양호통영 2025.09.09 18
348 (감성돔)힘이 장사~1명 2방 팅 4짜 3짜 마릿수~거제대어낚시(10일 예약) 거제대어낚시 2025.09.09 23
347 (감성돔)오전낚시 가성비 짱~4짜3짜 마릿수 손맛 가고파호(10일 예약) 거제가고파호 2025.09.09 27
346 (참돔 부시리)다대포 HOT 포인트 와라락 입질 퍼레이드~용진호(10일 예약) 부산용진호 2025.09.09 26
345 (참돔)5짜4짜3짜 타작 외 6방 팅~해금강권 핫조황~신성호(11일 출동) 신성피싱 2025.09.09 20
344 유촌희영레저 선외기 감성돔 흘림 조황입니다 희영호 2025.09.09 33
343 고성드래곤 어초 감시 흘림 4짜3짜 마릿수 자리여유 file 고성드래곤피싱 2025.09.09 28
342 (참돔)추석 준비는 여기서~5짜급~4짜 30여수 HIT~베이호(11일 예약) 고성베이호 2025.09.10 16
341 (참돔)속수무책 6방팅~5짜4짜3짜 마릿수 끝장~신성호(11일 출동) 신성피싱 2025.09.10 13
340 (감성돔)시즌 돌입~찌맛 손맛 대축제~HOT포인트 직항~대양호(11일 예약) 대양호통영 2025.09.10 16
339 ((경남고성 주인호))주인호 수요일 감성돔 마릿수조황!목요일예약가능~ file 주인피싱 2025.09.10 26
338 (감성돔)씨알급들 속출 마릿수 시즌 START~대동낚시(오늘 밤 팁런 출조) 대동낚시 2025.09.10 22
337 (감성돔)아침 피딩~4짜 4짜급 외 3짜 소나기 HIT~가고파호(11일 예약) 거제가고파호 2025.09.10 19
336 내만권 굵은 감성돔 외 마릿수 조황입니다....(덴마) file 통영나룻터낚시 2025.09.10 23
335 감성돔 대형 8방 팅팅~4짜 3짜들 마리수폭격~거제대어낚시(11일 예약) 거제대어낚시 2025.09.10 25
334 유촌 형만레저 선외기 감성돔 흘림 마리수 조황입니다 형만호(형만레저) 2025.09.10 27
333 고성드래곤 어초 감시 흘림 출조 쭈욱 자리여유 file 고성드래곤피싱 2025.09.10 20
332 (감성돔)가을 바다의 주인공~마릿수 좋고 끝장 손맛~대양호(12일 예약) 대양호통영 2025.09.11 28
331 (감성돔)복수전 모집중~8방 팅~4짜3짜 폭격~거제대어낚시(12일 예약) 거제대어낚시 2025.09.11 22
» (오전)감성돔 핫조황 46Cm 중치급들 줄줄이 HIT~가고파호(12일 예약) 거제가고파호 2025.09.11 12
329 내만권 4짜 감성돔 외 마릿수 조황입니다...(덴마) file 통영나룻터낚시 2025.09.11 22
328 고성드래곤 어초 감시 흘림 37외 마릿수 자리여유 file 고성드래곤피싱 2025.09.11 17
327 ((경남고성 주인호))주인호 목요일 감성돔 마릿수조황~~ file 주인피싱 2025.09.11 37
326 (감성돔)어제 4방 오늘 6방 대물들 터지고 4짜3짜 핫조황~선외기(12일 예약) 거제대어선외기 2025.09.11 15
목록
Board Pagination Prev 1 ... 636 637 638 639 640 641 642 643 644 645 ... 650 Next
/ 650