한국어
(南)남해조황


어부지리바다낚시 내 조황글은 한번만 게시되어야 합니다.
cats_400_80_1.gif

================================================================
================================================================

ef57829ae149c907504364f28c87873a.jpg

슬라이드0002.jpg


슬라이드0003.jpg


슬라이드0004.jpg


슬라이드0005.jpg


슬라이드0006.jpg


슬라이드0007.jpg


슬라이드0008.jpg


슬라이드0009.jpg


슬라이드0010.jpg
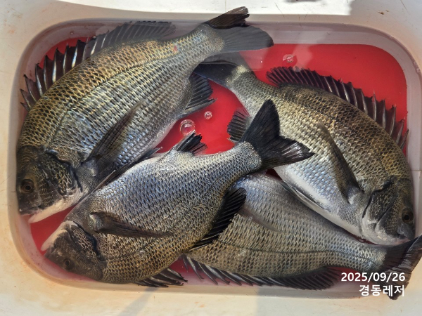
안녕하세요 경동
(신광)레저 입니다.

어제 출조하신 조사님의 감성돔 조과입니다.

감사합니다.

 

경동레저(신광) 밴드

경동레져TV 유튜브 보고 찾아오신 모든 분들 감사드립니다.

 

경동레져 유튜브 경동(신광)레져TV 구독 & 좋아요

화이팅 댓글 감사드립니다.

신광레저는 경동레저로 위치를 이전하여 경동레저 이름으로 영업을 하오니
아래의 주소로 방문해 주시면 감사하겠습니다.

* 선외기 예약 문의 :010-3622-8723
* 주소: 경상남도 통영시 산양읍 풍화일주로 235





========== 경동레저 예약문의 ===========


문의전화 : 010-3622-8723
오시는길 : 경상남도 통영시 산양읍 풍화리 371-4 
홈페이지 : http://singwang.sunsang24.com/

계좌안내 :
 수협 / 2020-4800-5411/ 박정용
 

안녕하세요. (대표 선외기 예약번호 010-3622-8723
풍화리 경동레저(구 신광레져)를 오픈하게된 박정용 입니다. 
부산 가덕도에서 낚시점을 오랜기간 운영하다 사업장을 통영으로 
이전하여 갯바위 출조가 아닌 선외기 출조를 시작하였습니다.
많은 성원 부탁드립니다. 
-----------------------------------------------------------------
**** 선외기 예약번호 010-3622-8723) ****
네비 주소 : 경남 통영시 산양읍 풍화리 371-4
 -----------------------------------------------------------------

안녕하십니까 경동레저입니다.

저희 선외기는 일출전 30분에 출발하셔서
오후 4~5시전에는 저희 경동레져에 꼭 도착해주셔야 합니다.
이번에 저희 경동레저에서 흘림및 카고 닻작업 많이 해놨습니다.
그만큼 포인트가 많이 늘어남에따라 더 많은 조황 기대해볼수 있을것 같습니다.
저희 신광레져는 계속적인 포인트 개발을위해 열심히 이곳저곳 탐색을 하고 있습니다.
조금이라도 저희 신광레져를 찾아주신 사장님들께서 기분좋게 돌아가실수 있도록
항상 최선을 다하겠습니다.
많이들 찾아주세요~
**** 대표전화 박정용(선외기 예약번호 010-3622-8723)  ****
_______________________________________________________________________________
요즘 통영에는 밑밥이 너무 저렴하게 팔고 있습니다...
저렴한곳에서 구입해오십시요.....
파라솔(하절기 한정)100% 준비되어 있습니다..
__________________________________________________________________
한팀이라도 포인트 가이드 해드립니다...
초보자들도 포인터까지 직접 안내해드립니다...
-----------------------------------------------------------------
선외기 자격증 필요없습니다. 
조정 아주 간단하여 초보자도 가능합니다.. 
-----------------------------------------------------------------
선외기 대여요금
2024년 10월 1일 부터 경동(신광)레저의 선외기 대여 요금은 변경 되었음을 알려드립니다.
(2인승 10만원, 3인승 13만원, 4인승 15만원, 루어시 2만원 추가,
면허소지자2만원 할인, 25년부터는 1만원할인)
 

루어(돌문어 갑오징어 무의오징어)출조시 2만원추가 입니다.. 
-----------------------------------------------------------
**** 대표전화 박정용(선외기 예약번호 010-3622-8723)  ****
 
blank.png3



List of Articles
번호 제목 글쓴이 날짜 조회 수
248619 전설해태호>연일 호조황 ,,, 쿨러넘실 넘실,,, new 여수해태호살아있는전설 2025.10.02 0
248618 14마리 9kg 오바~^^ 1일 주간문어 덩치 조황~♡ new 삼천포박프로 2025.10.02 0
248617 고흥 청룡호 오후반 돌문어. 대박조황 new 고흥녹동/청룡호 2025.10.02 0
248616 1일입항,내만갈치조황,준내만갈치 씨알 좋고(예약가능) < new 진해반도낚시 2025.10.01 3
248615 [선비 할인 이벤트 5만원] 야간 문어 실시간/낼 주간 주꾸미.야간 문어 출조 new 사천스피드피싱 2025.10.01 5
248614 진프로피싱 10/1일 입항 갈치 연이은 호조황!! new 진프로피싱 2025.10.01 4
248613 내만갈치 큰놈잔놈 쏟아져~씨알급들 쭉~쭉!! newfile 진해왕낚시 2025.10.01 6
248612 10월1일 여수헌터호 갑오징어 핫조황! new 여수헌터호 2025.10.01 5
248611 빅토리점 먼바다왕갈치외줄 ~열라게나옵니다. 실시간~목욜2석일욜화욜자리여유 new 경동호 2025.10.01 3
248610 10/1실시간 준내만갈치~사이즈마릿수 퍽퍽퍽^^ - 목욜예약됩니다 new 진해만물낚시 2025.10.01 6
248609 야문 실시간~ 내일 5자리여유 new 정판수낚시마트(블랙스타호) 2025.10.01 1
248608 내만갈치텐빈실시간현제조황 new 금해호 2025.10.01 3
248607 끈적한 돌문어 손맛 보러오이소~~ @(7~12) 예약중 new 라라피싱 2025.10.01 4
248606 251001여수 쭈꾸미 대박조황 new 오션킹 2025.10.01 4
248605 9월30일 내만갈치 다녀왔습니당~~~ new 호야피싱 2025.10.01 3
248604 통영) 1일(수) 문어 조황 및 출조일정 안내 통영 메티스호 new 통영메티스호 2025.10.01 3
248603 [준내만]돌아온대치들~!!최고5지까지~!!일요일부터쭉예약가능합니다!! new 진해매일호 2025.10.01 5
248602 내일 갑오징어 출항확정 new 뉴아재피싱 2025.10.01 5
248601 손맛찐한 내만갈치 출항합니다(금,토,일,월,쭉~예약가능) newfile 여명피싱 2025.10.01 3
248600 지금 여수바다, 달콤호로 오세요!! new 여수달콤호 2025.10.01 12
248599 고흥녹동항 킹콩호 오늘문어조황 new 고흥녹동킹콩호 2025.10.01 8
248598 1일새벽 내만갈치 3.5지까지 마릿수대폭발~!!전원엄청잡고~!!(월,목,금 예약중) newfile 진해라코피싱 2025.10.01 6
248597 여수 동부호(신조선) 갈치 만쿨 대박조황~~ newfile 여수동부호(신조선) 2025.10.01 10
248596 ((풍화리)) 문어 감성돔 백조기 new 풍화리돌고래낚시 2025.10.01 2
248595 ■붉바리 이정도는 잡아 봐야지요 조황입니다[10월01일] ◎ 해마루호가 뜨는이유? 조황때문이죠 ◎ 핵심포인트: 바로진입.. 바로히트.. ▣ 차원이 다른 조황으로 모십니다 new 고흥바다낚시114 2025.10.01 5
248594 10월1일 쭈꾸미 조황입니다 new 아름호 2025.10.01 8
248593 낼 주간 / 야간 돌문어 출조확정입니다.(자리여유 예약중!!!) new 삼천포포인트호 2025.10.01 4
248592 가덕창성호 대물문어 대박조항 newfile 가덕창성호 2025.10.01 3
248591 여수뉴스타피싱 10월 1일 갈치조황 new 여수뉴스타피싱호 2025.10.01 5
248590 ^돌문어 조황 좋습니다 "선비할인" 예약중입니다^^ new 삼천포태진피싱 2025.10.01 8
248589 [고흥피쉬헌터호] 쏨벵이/광어/우럭/붉바리 왕창 물어주어~~~!!! new 고흥피쉬헌터호 2025.10.01 4
248588 내일쭈꾸미출동선비인하 new 재영피싱 2025.10.01 3
248587 [통영 선외기 태성레저]감성돔 카고+흘림 40외/무늬 마릿수/백조기마릿수외 (30,1)조황 new 태성레저 2025.10.01 1
248586 잘나와주네요 즐낚했습니다. 5일부터 자리여유 있으니 놀러들오세용. new 여수금강피싱 2025.10.01 7
248585 대왕 갑오징어 납치작전! new 뉴아재피싱 2025.10.01 4
248584 [진해문어낚시] 오늘도 돌문어 찐한 손맛 보시며 기분좋게 즐기고 왔습니다^0^ new 진해한바다 2025.10.01 2
248583 쭈꾸미 주서담으러가실분 new 도리스피싱 2025.10.01 6
248582 조업같은 야문 new 첼시피싱 2025.10.01 4
248581 녹동제니스3호 1일 참돔타이라바 6분조황 new 녹동제니스3호 2025.10.01 2
248580 ※※※※돌문어화끈한손맛※※※※ new 여수드림낚시 2025.10.01 8
248579 대명호 문어조황 낼예약가능 newfile 진해대명호 2025.10.01 3
248578 FM 피싱호 (감성돔흘림 ㅡ종일낚시)~낼(2일)같이가실 조사님 모집합니다 new Fm낚시 2025.10.01 0
248577 10월1일 여수 갑오징어소식입니다 new 여수골드로저호 2025.10.01 11
248576 오늘 쭈조황.빅이벤트중.낼 자리여유.선수모집.담주 주중에는 갑돌출조.쭉~예약중입니다.즐기시러오세요 new 하하호호피싱 2025.10.01 4
248575 10월1일. 쭈꾸미조황~^^ (1등100마리이상~♡) new 블레스피싱 2025.10.01 4
248574 돌문어 1.1k 1.0k 등등 마릿수 굳조황 금 토 일 예약중 new 진해풍경호 2025.10.01 1
248573 내만갈치 3지 버글버글,오늘출항,쭉 예약가능 준내만갈치,조황회복 오늘출항,쭉 예약가능 newfile 진해대성낚시 2025.10.01 8
248572 10월1일 팀보스선단 문어 갈치 조황 new 녹동보스호 2025.10.01 3
248571 사천피싱스타 쭈꾸미 조황입니다 new 사천피싱스타 2025.10.01 0
248570 삼천포 구미호 10월 1일 문어 조황입니다 new 삼천포구미호 2025.10.01 0
248569 10월1일 첫날 참돔.부시리 소식 전합니다. 내일 자리여유 new 현대마린왔다호 2025.10.01 2
248568 무늬팁런 k,k,k~ new 통영오피싱 2025.10.01 3
248567 1일 마릿수 씨알급 조황입니다 new 판혁 2025.10.01 1
248566 대왕급 문어들~!! 오늘은 씨알이 미쳤어요~ 끝날줄 모르는 문어풍년 입니다 (5일 선비6만/ 자리여유) new 여수홍단호 2025.10.01 14
248565 다래호 씨알좋은 쭈꾸미 쫙 ~쫙 달라붙습니다 내일도 달립니다 즐낚하러오세요 자리널널 입니다 new 삼천포다래호 2025.10.01 6
248564 1일 갑오징어 조황 new 녹동빅토리호 2025.10.01 7
248563 *개나리호* 오늘은 가을 감성돔 입니다. newfile 완도개나리호 2025.10.01 1
248562 내만권 감성돔 외 학꽁치 쿨러 조황...(덴마) newfile 통영나룻터낚시 2025.10.01 3
248561 참돔 최소4짜이상 준수한 씨알 50여수로 찐한 손맛 newfile 거제오로라 2025.10.01 4
248560 (삼천포 건담호)갑돌이 굿굿 조황, 목요일 출조확정 new 건담호 2025.10.01 3
248559 (통영팁런) 약한 조류에도 키로 이하 무우들이 우당탕!!! new 체리피쉬선장 2025.10.01 2
248558 10월1일 원도권 돌문어사냥 댕겨왔습니다 ((내일 자리여유 => 지금바로 010.2565.5943 전화주세요)) new 팔포피싱1호 2025.10.01 3
248557 E스마일 01일 문어 조황입니다 new E스마일/이총무 2025.10.01 3
248556 금요일부터 돌문어 출조 new 라온호 2025.10.01 2
248555 <여수청홍낚시> 9월 30일 여수 주꾸미 낚시 조황 소식 입니다. new 여수생활낚시 2025.10.01 9
목록
Board Pagination Prev 1 2 3 4 5 6 7 8 9 10 ... 3825 Next
/ 3825