한국어
(南)남해조황


어부지리바다낚시 내 조황글은 한번만 게시되어야 합니다.
cats_400_80_1.gif

================================================================
================================================================

78f367c2e43d912c3b9c0776278b4caa.jpg
슬라이드0002.jpg


슬라이드0003.jpg


슬라이드0004.jpg


슬라이드0005.jpg


슬라이드0006.jpg


슬라이드0007.jpg


슬라이드0008.jpg


슬라이드0009.jpg


슬라이드0010.jpg

안녕하세요 경동(신광)레저 입니다.

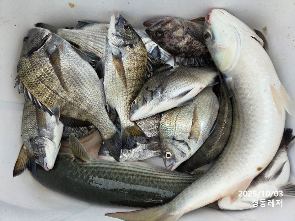
어제 출조하신 조사님의 감성돔 갑오징어 돌문어 벵에돔입니다.

갑오징어 포인트 안내해 드리겠습니다.

수고하셨습니다.

 

경동레저(신광) 밴드

경동레져TV 유튜브 보고 찾아오신 모든 분들 감사드립니다.

 

경동레져 유튜브 경동(신광)레져TV 구독 & 좋아요

화이팅 댓글 감사드립니다.

신광레저는 경동레저로 위치를 이전하여 경동레저 이름으로 영업을 하오니
아래의 주소로 방문해 주시면 감사하겠습니다.

* 선외기 예약 문의 :010-3622-8723
* 주소: 경상남도 통영시 산양읍 풍화일주로 235





========== 경동레저 예약문의 ===========


문의전화 : 010-3622-8723
오시는길 : 경상남도 통영시 산양읍 풍화리 371-4 
홈페이지 : http://singwang.sunsang24.com/

계좌안내 :
 수협 / 2020-4800-5411/ 박정용
 

안녕하세요. (대표 선외기 예약번호 010-3622-8723
풍화리 경동레저(구 신광레져)를 오픈하게된 박정용 입니다. 
부산 가덕도에서 낚시점을 오랜기간 운영하다 사업장을 통영으로 
이전하여 갯바위 출조가 아닌 선외기 출조를 시작하였습니다.
많은 성원 부탁드립니다. 
-----------------------------------------------------------------
**** 선외기 예약번호 010-3622-8723) ****
네비 주소 : 경남 통영시 산양읍 풍화리 371-4
 -----------------------------------------------------------------

안녕하십니까 경동레저입니다.

저희 선외기는 일출전 30분에 출발하셔서
오후 4~5시전에는 저희 경동레져에 꼭 도착해주셔야 합니다.
이번에 저희 경동레저에서 흘림및 카고 닻작업 많이 해놨습니다.
그만큼 포인트가 많이 늘어남에따라 더 많은 조황 기대해볼수 있을것 같습니다.
저희 신광레져는 계속적인 포인트 개발을위해 열심히 이곳저곳 탐색을 하고 있습니다.
조금이라도 저희 신광레져를 찾아주신 사장님들께서 기분좋게 돌아가실수 있도록
항상 최선을 다하겠습니다.
많이들 찾아주세요~
**** 대표전화 박정용(선외기 예약번호 010-3622-8723)  ****
_______________________________________________________________________________
요즘 통영에는 밑밥이 너무 저렴하게 팔고 있습니다...
저렴한곳에서 구입해오십시요.....
파라솔(하절기 한정)100% 준비되어 있습니다..
__________________________________________________________________
한팀이라도 포인트 가이드 해드립니다...
초보자들도 포인터까지 직접 안내해드립니다...
-----------------------------------------------------------------
선외기 자격증 필요없습니다. 
조정 아주 간단하여 초보자도 가능합니다.. 
-----------------------------------------------------------------
선외기 대여요금
2024년 10월 1일 부터 경동(신광)레저의 선외기 대여 요금은 변경 되었음을 알려드립니다.
(2인승 10만원, 3인승 13만원, 4인승 15만원, 루어시 2만원 추가,
면허소지자2만원 할인, 25년부터는 1만원할인)
 

루어(돌문어 갑오징어 무의오징어)출조시 2만원추가 입니다.. 
-----------------------------------------------------------
**** 대표전화 박정용(선외기 예약번호 010-3622-8723)  ****
 
blank.png3



List of Articles
번호 제목 글쓴이 날짜 조회 수
248795 문어 2보따리 조황입니다 판혁 2025.10.04 9
248794 바다는 알수 없어요.돌문어 희영호 2025.10.04 6
248793 명성호 갯바위조황 해남명성호 2025.10.04 6
248792 주꾸미 매일 이벤트! 내일 3자리여유^^ 삼천포온누리피싱 2025.10.04 8
248791 (생활낚시)가족단위 고등어 전갱이 느나느나 전원손맛~해금강호(6일 예약) 해금강낚시 2025.10.04 8
248790 《감성돔 》4짜3짜들외 마릿수 3대돔들 어초ㆍ여밭에서 file 거제은아호 2025.10.04 4
248789 접도권 조황 file 진도접도낚시 2025.10.04 5
248788 유촌 충무호 오전 문어 철수조황입니다 통영충무호 2025.10.04 2
248787 4일 돌문어 오전조항입니다~7일부터 쭈꾸미출조 합니다 따봉피싱 2025.10.04 4
248786 [진해문어낚시] 오늘도 묵직하게 올라오는 돌문어 찐한 손맛 보시며 기분좋게 즐기고 왔습니다^0^ 진해한바다 2025.10.04 8
248785 신지 신바다 신지신바다 2025.10.04 2
248784 임금호 갑오징어 우당땅땅 6일부터 자리여유 삼천포임금호 2025.10.04 6
248783 4일 쭈꾸미 70수 전후로 잘 잡앗습니다 덤으로 갑오징어가 마리수로 나오고 돌문어도 나오네요 낼부터 쭈꾸미 자리여유 잇습니다~^ 진우호선장 2025.10.04 7
248782 문어와 갑오징어 만난 날 금해호 2025.10.04 5
248781 1호선 고니호 돌문어조황 뉴고니호 2025.10.04 5
248780 여수 돌문어 계속 출항합니다 여수다온호 2025.10.04 13
248779 겨울시즌 문어만큼 덩치가 핫 탈레스호고성 2025.10.04 2
248778 완도감성돔 찌낚시 조황입니다~~ file 완도라이온피쉬호 2025.10.04 6
248777 가덕창성호 대물문어 마리수조항 file 가덕창성호 2025.10.04 6
248776 쭈갑 내일예약중선비6만중식제공 재영피싱 2025.10.04 4
248775 전설해태호>대빵구리 대왕문어들 ,, 전설해태호 여수해태호살아있는전설 2025.10.04 8
248774 오늘도 돌문어 굿~굿 조황이네요 .~^^ 통영인스타 2025.10.04 1
248773 대명호 문어조황 낼예약가능 file 진해대명호 2025.10.04 8
248772 4일 전국 낚시호 조황 입니다 돌아온황선장 2025.10.04 3
248771 <감성돔선상> 4짜이상사이즈, 마리수 좋은 조황 입니다!!! 내일 출조 예약 가능 file 거제용진호 2025.10.04 2
248770 돌문어 금일 중치급 마릿수 최신굳조황 일요일 예약중 진해풍경호 2025.10.04 10
248769 10월3일 쭈.갑 조황입니다. 여수그랜드맥스호(여수) 2025.10.04 11
248768 4일새벽 내만갈치 씨알급들 쭉쭉 뽑고~!!(12일부터 예약가능) file 진해라코피싱 2025.10.04 4
248767 [내만갈치]내만갈치 점점씨알 좋아져요!!일,월 예약가능!! 진해빅마마호 2025.10.04 4
248766 (가조도)왕돌문어!마릿수 매일 쭉쭉올라옵니다 ~ 예약가능 file 가조도영웅선외기뎃마 2025.10.04 8
248765 가조도권!!!감성돔덴마..마릿수!!예약가능 file 가조도영웅선외기뎃마 2025.10.04 4
248764 현재 잔씨알도 나오지만 용가리를 비롯 갈치씨알들이 좋습니다 여수오리엔트호 2025.10.04 13
248763 (여수타이슨호) 10월3일 갑오징어 대박조황♡♡ 여수타이슨호 2025.10.04 16
248762 통영유림) 3,4지급 전원쿨러조황.5일.7일.8일 쭉~예약가능합니다 통영유림피싱 2025.10.04 11
248761 오늘의조황및 내일 문어 새벽, 오후 출조모집중 녹동백룡호 2025.10.04 11
248760 통영박프로호 야간문어 마릿수 박프로호 2025.10.04 5
248759 10월3일 돌문어조황~~ @(수~일)예약중 라라피싱 2025.10.04 8
248758 ~* 굵직한돌문어 키로급외준수한 씨알 마리수 많이잡고~~^(예약가능)*~ 괴정포인트피싱 2025.10.04 11
248757 [3일 무늬오징어(팁런)] 무시급들과 일당들 (내일 9일 10일 11일 야간 예약가능) file 진해씨스타호 2025.10.04 5
248756 [준내만]수목금일예약가능합니다~!!씨알좋습니다~~~ 진해매일호 2025.10.04 3
248755 내만갈치 출조합니다 선비 5만원 여수효성호 2025.10.04 5
248754 새벽부터 쭈꾸미가 우당탕~~일요일 쭈꾸미 도리스피싱 2025.10.04 8
248753 창원귀산) 내만갈치 싸이즈 마릿수 굿굿 file 태공피싱창원 2025.10.04 8
248752 돌문어사냥은역시 진해레전드 굿 조황! (예약가능) 진해_레전드 2025.10.04 12
248751 내일도 삼천포 돌문어 정상출조합니다//예약중!!! 삼천포포인트호 2025.10.04 6
248750 내만 갈치 달립니다 달려~~(일욜부터 예약 가능) file 나드리 2025.10.04 9
» 경동레저(신광) 선외기낚시 감성돔 갑오징어 돌문어 벵에돔 조황 신광레져 2025.10.04 5
248748 일요일오전문어예약가능,,,,,추석당일 야간문어예약중~~~~~~제수용사냥고고 file 진해골드스타2 2025.10.04 12
248747 추석연휴 문어잡으러 고고!!~ 7일 화욜 야간예약가능(매일야간출항) 진해제네시스호 2025.10.04 8
248746 먼바다 왕갈치 많이 나옵니다 금바다피싱 2025.10.04 31
248745 오늘야문급출항~ 첼시피싱 2025.10.04 11
248744 준내만갈치)텐빈~만쿨하러 갑니다(일요일부터 예약가능합니다) 진해블루마린낚시 2025.10.04 15
248743 [선비 할인 이벤트 5만원] 3일 야간 문어 조황/5일 주간 제수용 문어 출조합니다 사천스피드피싱 2025.10.04 9
248742 문어 싸이즈 좋네요. 퍼펙트피싱 2025.10.04 6
248741 준내만갈치)3지4지 쿨러만땅 대박(내일예약가능 진해최강리드 2025.10.04 27
248740 유촌 충무호 오전 문어 실시간입니다 통영충무호 2025.10.04 4
248739 돌문어 중치급 키로급 최신굳조황 진해풍경호 2025.10.04 9
248738 갈치 연일 초대박조황을 이어가고 있습니다 ~ 화요일 6자리여유 ~ 추석연휴출항 ~ 맛난 갈치 쿨러가득 도장 꽝꽝꽝 찍으러 가실분들 연락주세요 ~ 여수베테랑피싱 2025.10.04 135
248737 아이비호/일요일 작은추석 대갈치출동 황제낚시!!긴급출동 예약!!연휴 쭉 예약가능~~자리텅텅여유 file 통영아이비호 2025.10.04 5
248736 갈치 텐빈 추석에는 왕갈치가 드글드글~ 일요일부터 예약가능 진해은빛피싱 2025.10.04 29
248735 아이비호/일요일 작은추석 선상추석맞이!!황제낚시 대갈치공략!!쿨러만땅!!긴급출동~~연휴 쭉 예약가능 file 통영아이비호 2025.10.04 103
248734 <여수청홍낚시>10월3일 여수 갑오징어 낚시 조황 소식 입니다.(엄청난 비바람 속 조황 입니다.) 여수생활낚시 2025.10.04 14
248733 새바다1호 야간 무늬오징어 팁런 수중전 다녀왔습니다 거제-새바다호 2025.10.04 11
248732 10월 2일 갑돌이조황~~~~잘잡는분은 연타석히트이네요. 여수그랜드맥스호(여수) 2025.10.04 14
248731 <여수청홍낚시>10월2일 여수 문어낚시 조황 소식 입니다. 여수생활낚시 2025.10.04 12
목록
Board Pagination Prev 1 2 3 4 5 6 7 8 9 10 ... 3833 Next
/ 3833