한국어
(南)남해조황


어부지리바다낚시 내 조황글은 한번만 게시되어야 합니다.
2025.10.10 14:43

#명성호 갯바위조황

조회 수 17 댓글 0
낚시뚜에서 어부지리로 보내는 자동조황
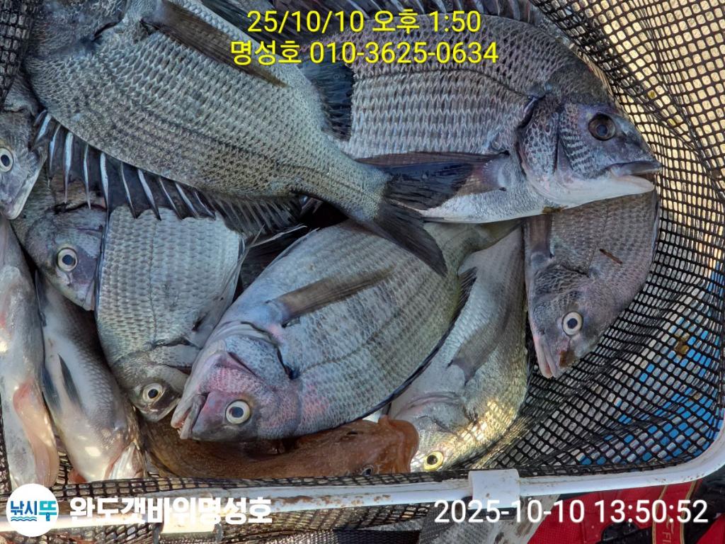
top01.png

완도 감성돔

완도해남 명성호

top02.png
갯바위
· 출조일시2025-10-10(금)
· 출조인원1명
· 어종감성돔
안녕하세요?

완도 갯바위 명성호입니다..


감성돔 갯바위 낚시 전통의 강호로 소문난 명성호!

완도에서는 명성호를 찾아 주시는게 정답이지 말입니다.

예약번호 : 010-3625-0634

F279409568.jpg

F279409408.jpg

F27940931P.jpg

F27940920Y.jpg

F2794091Q6.jpg

F2794090HS.jpg

F2794089BI.jpg

F27940889Y.jpg

명성호 갯바위조황

 

 

 

갯바위선비: 1인 3만원

출조시간
05시 30분~15시

예약 안내 : 010-3625-0634

늘 최선을 다해 서비스하겠습니다.

주소 :  전남 완도군 완도읍 개포로 20-6 영일낚시25


농협
527112-52-078121
예금주 : 김경만


네비주소 :전라남도 완도군 완도읍 개포로 20-6

예약문의

010-3625-0634

농협

527112-52-078121

김경만

F1250103KB.jpg

완도 감성돔

완도해남 명성호

김경만 선장

F0110684YD.jpg
항구명 완도항
승선인원 7명
출조점명 완도해남 명성호
배 타는 곳전라남도 완도군 완도읍 개포로 20-6
홈페이지 바로가기 Click
낚시뚜

List of Articles
번호 제목 글쓴이 날짜 조회 수
249435 [통영대교피싱]풀치없이 담아왔네요 내일자리여유 통영대교피싱 2025.10.12 7
249434 쭈갑이 달리고~ 삼천포스마트호 2025.10.12 2
249433 10월 11일 토요일 아간돌문어 조황~ 샛별피싱 2025.10.12 0
249432 12일새벽,내만칼치~3지씨알급까지 마릿수쨩쨩하게 ,오늘 예약가능~ 진해대물낚시 2025.10.12 7
249431 11일 계속걸어올린 핫조황~ 월요일 야간문어예약가능~ 진해제네시스호 2025.10.12 7
249430 "내만갈치"오늘 예약가능//"준내만갈치"다시살아나는 먼바다조황!!(월요일 예약가능) 진해*뽀빠이피싱 2025.10.12 0
249429 3지급내만갈치 퍽퍽퍽 많타,많아,오늘예약가능 file 여명피싱 2025.10.12 4
249428 11일 갑오징어 파티~!! 신발짝 갑오까지~~♡♡신나게 먹물파티 즐겼습니다 여수홍단호 2025.10.12 10
249427 준내만갈치(텐빈. 텐야) 대치 찾아 달립니다. (월요일 예약가능) 진해우리피싱 2025.10.12 3
249426 쭈꾸미 터졌읍니다 내일선수 오세요 재영피싱 2025.10.12 5
249425 레코드10/11초저녁부터피딩피딩!감사히먹겠습니다.금일널널 레코드 2025.10.12 2
249424 [덕성호] 짱짱한 손맛이 있는 내만갈치~ 찐한 손맛 보며 쿨러 채워요!! [오늘예약가능] 010-7660-2435 file 덕성호 2025.10.12 0
249423 토요일 텐빈 철수 조황입니다 4지5지들이 ~~ 피닉스호 2025.10.12 1
249422 먹물칠갑 갑이 좋습니다 낼부터 자리텅텅~ 신가피싱 2025.10.12 3
249421 [내만갈치]바글바글 갈치가 노다지 만쿨!!오늘 예약가능 진해빅마마호 2025.10.12 4
249420 거제마리너호)갈치텐빈조황입니다!!씨알은 굿!! 뉴마리너호 2025.10.12 3
249419 어제 야간문어 장원30수 넘기셨네요 정판수낚시마트(블랙스타호) 2025.10.12 6
249418 내일 문꾸미 잡으러 출조 합니다(선비:7만원..12자리 여유 있습니다) 여수푸른바다호 2025.10.12 6
249417 덩치좋은 갑오징어 주서담으러 기실분 윌.화 도리스피싱 2025.10.12 5
249416 아이비호/오늘 자리텅텅텅 황제낚시!!왕씨알대갈치 멋진손맛~쿨러만땅 도전!! 좋은예보 일월 금토일 쭉 예약가능 1 updatefile 통영아이비호 2025.10.12 12
249415 사천피싱스타 야간 돌문어 조황입니다 오늘 야간 돌문어 자리 완전 여유 사천피싱스타 2025.10.12 1
249414 10월12일 입항 먼바다 왕갈치 조황입니다. 대진VIP피싱 2025.10.12 3
249413 [텐빈] 3~4지, 11일 철수 조황(월요일,출항확정,자리널널합니다) 삼덕레저호 2025.10.12 2
249412 원전항)신조9톤 내만갈치 온바다은빛색으로~던지면 뭅니다~예약중 마산신조선짱구호 2025.10.12 6
249411 <<14석>> 씨알좋은 갈치를위해서라면 제주코앞까지 갑니다 ㅡ 13일(월요일) ㅡ 자리여유~ 여수단비호 2025.10.12 4
249410 [여수 젠틀호] #감성돔선상 4짜외 조황입니다. 젠틀호 2025.10.12 5
249409 뉴 태진호 왕특갈치 사이즈4지급 이상 쿨러 조황!!!( 오늘 정상출항)!! 갈치전문태진호 2025.10.12 5
249408 [거제블루]먼바다 갈치텐빈 오랜만에 1타2피 손맛보고 쿨러조황 내일 자리여유~~ 뉴블루 2025.10.12 3
249407 10/11 갑오징어 조황 좋습니다. 은하수호 2025.10.12 6
249406 (통영팁런) 1.3K,1.05K외 무우들 우수수!!!! 체리피쉬선장 2025.10.12 3
249405 여수청홍낚시>10월11일 주말 여수 갑오징어 낚시 조황 소식 입니다.(내일(월)부터 가을 대꾸리 문어로 전환/빈자리 채워 주세요) 여수생활낚시 2025.10.12 10
249404 [VIP통영하나피싱]갈치텐야.텐빈 사이즈굿 쿨러만땅 통영하나피싱 2025.10.12 2
249403 11일 토요일 무늬 키로,키로,키로 씨알급 조황입니다. 통영7톤스텔라호 2025.10.12 6
249402 새바다1호 토요일밤 야간 무늬오징어 팁런 조황입니다 오늘 예약됩니다 거제-새바다호 2025.10.12 11
249401 새바다1호 야간 무늬오징어 팁런 조황입니다 거제-새바다호 2025.10.12 9
249400 ☆여수창성호☆ 내만갈치출동합니다 여수창성호 2025.10.12 4
249399 삼천포 마린보이 10. 11. 토요일 풍성한 야간문어 다녀왔습니다 ^^ 사천마린보이 2025.10.12 4
249398 마릿수 쏟아지네요? 하지만.. 11일 야간문어 조황 삼천포박프로 2025.10.12 10
249397 무늬오징어 키로오버외 키로급 무시들 탈레스호고성 2025.10.12 4
249396 11일,내만갈치 쿨러조황,씨알 커지고,내일자리여유(일~,예약가능 진해반도낚시 2025.10.11 9
249395 11일 새벽<내만갈치>손맛보러gogo~일,월,화 예약가능 진해썬플라워 2025.10.11 5
249394 10/11준내만갈치~실시간 4지5지~~기상악화로 내만으로~ 진해만물낚시 2025.10.11 8
249393 원도권 야간문어 팍~팍 낼 자리여유 정판수낚시마트(블랙스타호) 2025.10.11 7
249392 쭈갑 매일 이벤트 평일 10시 출조! 삼천포온누리피싱 2025.10.11 9
249391 [여수헌터호]10월 11일 갑오징어 조황 올립니다! 여수헌터호 2025.10.11 15
249390 ■붉바리 이정도는 잡아 봐야지요 대박조황입니다[10월11일] ◎ 해마루호가 뜨는이유? 조황때문이죠 ◎ 핵심포인트: 바로진입.. 바로히트.. ▣ 차원이 다른 조황으로 모십니다 고흥바다낚시114 2025.10.11 16
249389 11일 쭈.갑이 오전조항입니다~13일 월욜(출조확정)쭈꾸미 6자리예약가능 합니다 따봉피싱 2025.10.11 6
249388 풍화리 선외기의 4짜 감성돔, 문어 갑오징어 조황 풍화수양레저 2025.10.11 8
249387 10원11일 원도권 돌문어사냥 댕겨왔습니다 ((월요일 자리여유 => 지금바로 010.2565.5943 전화주세요)) 팔포피싱1호 2025.10.11 5
249386 10/11여수 스카이호"갑오징어"조황~ 여수스카이 2025.10.11 14
249385 붉바리외수질 전문선사 조황 거금박프로 2025.10.11 13
249384 내만갈치 대~박 쓸어담고!! 큰놈잔놈 후려잡아~(예약가능) file 진해왕낚시 2025.10.11 8
249383 11일 새벽<내만갈치>손맛보러gogo~일,월,화 예약가능 진해썬플라워 2025.10.11 6
249382 10월11일 돌문어조황@키로급퍽퍽물어주네요(월요일부터~예약중) 라라피싱 2025.10.11 6
249381 ((풍화리)) 감성돔 참돔 문어 생활낚시 풍화리돌고래낚시 2025.10.11 7
249380 3지급내만갈치.씨알급,퍽퍽퍽,많타,많아,일요일출항(일,월,화,수쭉~예약가능) file 여명피싱 2025.10.11 6
249379 10/5 제주 우아호 갈치조황 우아호매니져 2025.10.11 57
249378 [풍화 곤리] 궁항레저 감성돔&참돔&두족류조황입니다 궁항레저 2025.10.11 4
249377 [풍화 곤리] 궁항레저 감성돔&두족류조황입니다 궁항레저 2025.10.11 5
249376 풍화리선외기 추석연휴조황입니다 경신레져 2025.10.11 5
249375 갑오징어 조황 누리호 2025.10.11 3
249374 ■진해레전드 돌문어■퍽퍽퍽 먹물폭탄!(예약가능) 진해_레전드 2025.10.11 2
249373 (10/11일) 종일반 갑오징어 조황입니다(월요일 문꾸미 출조 합니다.선비:7만원.12자리 여유) 여수푸른바다호 2025.10.11 15
249372 진프로피싱 10/10~11일 갑오징어, 11일 타이라바 조황. 진프로피싱 2025.10.11 7
249371 여수캐스팅피싱 > [ 캐스팅호 황금물때 쭈꾸미 출조!! ]/월,화,수,목!! 여수캐스팅호 2025.10.11 5
목록
Board Pagination Prev 1 2 3 4 5 6 7 8 9 10 ... 3841 Next
/ 3841