한국어
(南)남해조황


어부지리바다낚시 내 조황글은 한번만 게시되어야 합니다.
cats_400_80_1.gif

================================================================
================================================================

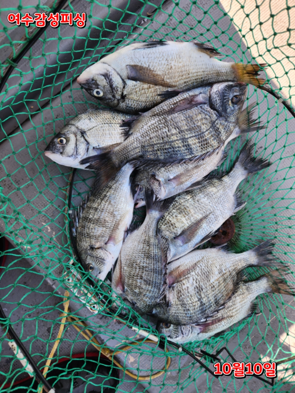
10월10일 가을 마릿수감성돔 조황입니다 수온이 떨어지면서 중치급감성돔과 간혹 대물출현에 버티지도 못하고 목줄 터지는 입질이  들어오는 시기입니다 채비 단단히 하셔서 손맛 보셔야 할때입니다

가을 마릿수감성돔과 돌문어낚시 매일 출조중입니다

  참돔  감성돔 ■ 문어 ■쭈꾸미 ■갑오징어 ■ 참돔  ■ 붉바리 농어외수질)

■선상낚시출조전문 감성피싱입니다.
정원은 선장포함 9명 3톤입니다.
다양한 어종으로 출조하오니 언제든지 문의주세요

■감성돔준비물: 1호 낚시대 막대찌(원줄2.5호이상) 1.5호막대찌이상
반달멈춤고무 순간수중봉돌 1.5호이상.쿠션고무. 도래.목줄 1.5호. 바늘 3호 좁쌀봉돌(유동적)

■ 출조시간 05시30분~14시30분까지(유동적)

■생활낚시 요금안내][최소 출조인원]
■참돔 : 13만 5인이상
■생활낚시 : 5인이상(문어)
■감성돔:12만(개인인당)
■돌문어낚시 = 8만원(1인)
■쭈꾸미낚시 = 8만원(1인)
■농어 붉바리 외수질 문의
생활낚시는 인원부족시 출조불가
   단: 독배출조가능1~2인(상담)
   (출조시간 자율조정)
■선사제공 : 개인 점심도시락(집밥)
                    커피 음료 생수등
■낚시대대여가능(파손시비용발생)

●예약완료 후 당일 최소 출조인원이다 차지 않는 경우  출항문자 19시 문자드립니다

●참돔(막대찌낚시) = 130,000원
                                     (5인이상)
● 참돔준비물 : 낚시대(1.5이상), 릴(5000번이상), 막대찌(3호이상), 원줄(5호이상), 목줄(3호이상), 낚시바늘(10~12호)

생활낚시독배환영(도다리 쭈꾸미 갑오징 돌문어)독배 상담

[참돔 감성돔 독배 요금 및 안내]
■ 주중 : 4~7명(600,000원) + 1인추가당(50,000)
■ 주말 : 4~7명(650,000원)감성돔

● 독배는 밑밥, 미끼, 식사포함되지 않으며, 별도로 구매가능합니다.

● 생활낚시 또는 감성돔, 참돔으로 구분하여 독배가 가능합니다
[위치안내 및 입금안내]

■ 1~배타는곳
여수시 화정면 화백해안길333(화정면백야리)백야낚시앞

● 2~배타는곳
여수시 화양면 세포당머리길 28-8
    (남해수산연구소밑)

● 배타는곳은 주차장 협소로 (전날18시쯤)변동될수 있으니 전날 문자 드립니다

● 신분증 필히 지참부탁드립니다.
농협(김진우)352-0844-0426-63

[예약문의]
선장(김진우)010-5439-4836
      (부재시 : 010-9191-1864)
● 선입금하셔야 예약이 완료됩니다.

[취소/환불안내]
●독배예약 후 1일전 취소는 불가~
●독배예약 후 2일전 취소는 50% 환불됩니다.
●독배예약 후 3일전 취소는 전액환불됩니다.

[출조안내]
- 모든 출조 일정은 선장님 결정에 의해 이루어집니다.
- 기상악화시 100% 환불처리 됩
cu1760083874931.jpg


cu1760083903007.jpg


cu1760083942395.jpg


cu1759916700590.jpg


cu1759916645386.jpg


cu1759916608516.jpg


cu1759916597243.jpg


cu1759916581222.jpg


cu1759916454338.jpg

니다.
















1000030692.jpg


*** 여수 감성피싱 예약 안내 ***


예약문의 : 010-5439-4836

오시는길 : 전남 여수시 화양면 세포당머리길 28-8

모바일.jpg



blank.png3



List of Articles
번호 제목 글쓴이 날짜 조회 수
249908 <<갑오징어 탐사 5만원>>일요일 예약가능 진해썬플라워 2025.10.17 5
249907 17일 금요일 문어 입니다 다음주 주중 계속 출조합니다 여수써니호 2025.10.17 15
249906 주꾸미 &갑오징어" 조황 /다음 주중 갑오징어 포획" 삼천포해모수호 2025.10.17 5
249905 ※※감성돔 4짜외 잔당들 일랑이다호일랑이다펜션 2025.10.17 2
249904 #여수블루웨이호 빅사이즈 갑이가 팡팡팡!!!!! 블루웨이호 2025.10.17 13
249903 17일 녹동돌문어 실시간~ 1고흥녹동장보고호1 2025.10.17 19
249902 ^17(금) 쭈꾸미 조황 굿굿~ "선비할인" 월욜부터 쭈욱 예약중입니다^^ 삼천포태진피싱 2025.10.17 10
249901 10월17일 갑오징어 조황입니다~ 블레스피싱 2025.10.17 6
249900 주말 갑오징어 오후짬낚 모집 도리스피싱 2025.10.17 4
249899 다래호 씨알좋은 쭈꾸미 우당탕탕탕!!! 일등 112수 쫙 ~~쫙 달라붙습니다 월요일부터 갑오징어 달립니다 즐낚하러오세요 자리널널 입니다 삼천포다래호 2025.10.17 11
249898 먹물칠갑 갑오징어 쥑이네~(월욜부터 예약가능) 신가피싱 2025.10.17 11
249897 삼천포 구미호 10월 17일 문어조황입니다 삼천포구미호 2025.10.17 7
249896 10/17여수 스카이호"문어"조황~~~ 여수스카이 2025.10.17 16
249895 대명호 문어조황 낼예약가능 file 진해대명호 2025.10.17 7
249894 10월17일 강진마량 골드비너스호 쭈꾸미 마량따봉호 2025.10.17 3
249893 ■대물급 돌문어 1.5K급외 키로급이상 마리수조황!! 해그린피싱 2025.10.17 5
249892 17일 쭈조황입니다.빅이벤트중.2키로문어 손님.쭉~예약중입니다.즐기시러오세요 하하호호피싱 2025.10.17 2
249891 완도덕호 10.17 쭈꾸미 완도덕호선장 2025.10.17 6
249890 FM 피싱호 (감성돔흘림)~낼 ㅡ토요일 ㆍ일요일 2자리씩 남았어요 Fm낚시 2025.10.17 1
249889 문어 종일반 토일 출조 예약됩니다~ 진해만물낚시 2025.10.17 0
249888 17일(금) 삼천포 주꾸미조황입니다~~낼 야간 돌문어 2자리여유!! 삼천포포인트호 2025.10.17 6
249887 16일 쭈꾸미 오전조항 굿입니다~20일 월욜(출조확정) 6자리예약가능 합니다 따봉피싱 2025.10.17 6
249886 장원204수 굿~조황입니다^^ 장흥회진블루마린호 2025.10.17 9
249885 [고흥뉴베테랑호]25.10.17 문어조황 고흥베테랑호 2025.10.17 18
249884 내만권 감성돔 학꽁치 쿨러 조황입니다...(덴마) file 통영나룻터낚시 2025.10.17 3
249883 17일(금)가을감성돔마릿수조황 입니다 여수감성피싱 2025.10.17 1
249882 진해최강리드)내만갈치 3지급들(내일예약가능 진해최강리드 2025.10.17 12
249881 내만갈치,3지손맛끝장 오늘출항 금,토,일,월,화,수,쭉 예약가능 file 진해대성낚시 2025.10.17 8
249880 10/16(목)느나~쭈(&갑) 연이은호조황!담주 평일 갑쭈출조!!ㅡ자리여유(7만원) 여수추적자호 2025.10.17 9
249879 (10/16일) 쭈꾸미 조황입니다(월요일 갑오징어출조합니다,선비:7만원..지리여유) 여수푸른바다호 2025.10.17 7
249878 17일 쭈꾸미 따북 따북 65소 전호로 잡앗습니다 갑오징어도 잘나오네요~^ 진우호선장 2025.10.17 7
249877 여수쭈꾸미 여수다온호 2025.10.17 8
249876 ~* 키로급외돌문어 준수한사이즈 마리수~~^(예약가능)*~ 괴정포인트피싱 2025.10.17 8
249875 (삼천포 건담호)갑돌이 또 풍년조황^^ 다음주 쭉~출동 건담호 2025.10.17 10
249874 완도감성돔 찌낚시 조황입니다~~ file 완도라이온피쉬호 2025.10.17 2
249873 내만 갈치 전원 쿨러 만땅 만땅~~(일욜부터 예약 가능) file 나드리 2025.10.17 6
249872 임금호 대포동갑오징어 할수있는건 다했습니다 월욜부터 자리여유 삼천포임금호 2025.10.17 5
249871 대명호 문어조황 토 일 예약가능 file 진해대명호 2025.10.17 3
249870 아쿠아호 토=돌문어/일=내만갈치 예약가능 아쿠아피싱(신조선아쿠아호) 2025.10.17 4
249869 16일 칵튜브와 함께한 느나!느나! 쭈꾸미 조황임다. 여수찰리호매니저 2025.10.17 7
249868 끈적한손맛 제법 덩치를키운 진해돌문어 잡으러고고싱 @일야간예약중 라라피싱 2025.10.17 10
249867 FM 피싱호 (감성돔흘림)~내일도 (토요일)정상출조합니다 ㅡ예약가능 Fm낚시 2025.10.17 4
249866 18일(토요일) 내만갈치 출조합니다. (예약가능) 진해우리피싱 2025.10.17 6
249865 통영] 사량도 문어 굴어장16일(목) 조황 통영 메티스호 통영메티스호 2025.10.17 16
249864 [내만갈치]엄청올라와요 절반이상 만쿨!! 오늘6명 예약가능 진해빅마마호 2025.10.17 13
249863 [무늬오징어 팁런] 오늘도. 거제 내ㆍ외도. 해금강권 출조 예약가능 바다하리 2025.10.17 9
249862 돌문어 엄청나옵니다 금바다피싱 2025.10.17 24
249861 내만갈치,3지손맛끝장 오늘출항 금,토,일,월,화,수,쭉 예약가능 오후5시30분,출항,선비8만 준내만갈치,3지5지까지 file 진해대성낚시 2025.10.17 14
249860 25.10.17 바람 쪼 !!! 오늘출항 내일 출항 모레 출항 무늬무늬(지난조황) 대성호캡틴 2025.10.17 2
249859 신발짝 갑오징어 이제 시작~!! 20일부터 자리여유 있어요♡♡ 여수홍단호 2025.10.17 15
249858 내만갈치 3지까지 전원 엄청잡고~퍼담퍼담~!!(일,월,화 예약중) file 진해라코피싱 2025.10.17 15
249857 주말 쭈갑이 출조합니다 삼천포스마트호 2025.10.17 8
249856 무늬팁런 비바람속에도 마리수로~ 통영오피싱 2025.10.17 8
249855 18일)쭈,갑 잔여/5분, 야간문어/8분 모십니다. 신의손 모집합니다. 에코피싱호 2025.10.17 4
249854 내만 갈치 전원 쿨러 만땅 만땅~~(일욜부터 예약 가능) file 나드리 2025.10.17 6
249853 [내만갈치]엄청올라와요 절반이상 만쿨!! 오늘 예약가능 진해빅마마호 2025.10.17 7
249852 붉바리출조※마리수.사이즈~최고시즌.10월31일 까지출조 거금박프로 2025.10.17 8
249851 긴급//토,일 문어 자리여유 통영,거제권 씨알굿 거제챔프호 2025.10.17 10
249850 준내만 다시 돌아온 4지급 은빛 갈치 조황 오늘 무조건 출항 1자리여유 개성피싱 2025.10.17 10
249849 감성돔 흘림 4짜 외 50여수 마릿스 조황 굳굳 토요일 예약중 진해풍경호 2025.10.17 4
249848 원전항)신조9톤 내만갈치금)17일 출격합니다.통통한넘잡으로~예약중 함께 하시죠 마산신조선짱구호 2025.10.17 3
249847 16일 바람너울속 핫조황~ 일요일 야간문어 예약가능 진해제네시스호 2025.10.17 4
249846 삼천포 마린보이 10. 17. 금요일 야간문어 출항합니다 ^^ 사천마린보이 2025.10.17 5
249845 삼천포 문어조황! 주간반, 야간반 매일출조! 더블케이호 2025.10.17 9
249844 덩치좋은 갑오징어 토요일 4자리 주말 짬낚 도리스피싱 2025.10.17 10
목록
Board Pagination Prev 1 2 3 4 5 6 7 8 9 10 ... 3846 Next
/ 3846