한국어
(南)남해조황


어부지리바다낚시 내 조황글은 한번만 게시되어야 합니다.
cats_400_80_1.gif

================================================================
================================================================


cu1756433885234.gif


cu1760312924438.jpg


cu1760312937686.jpg


cu1760083942395.jpg


cu1760083874931.jpg


cu1760083903007.jpg


cu1759916700590.jpg


cu1759916645386.jpg


cu1759916619345.jpg


cu1759916608516.jpg

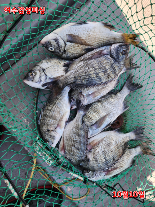
지난주말  감성돔 선상찌낚시 조황입니다 토.일
마릿수는 안됩니다
마릿수를 따라갈려니 크기가 아쉽고(20~25)
중치급이라도 몇마리 잡을려니 마릿수가 아쉽고 쉽지 않는 과정이었습니다

가을 마릿수감성돔과 돌문어낚시 매일 출조중입니다

  참돔  감성돔 ■ 문어 ■쭈꾸미 ■갑오징어 ■ 참돔  ■ 붉바리 농어외수질)

■선상낚시출조전문 감성피싱입니다.
정원은 선장포함 9명 3톤입니다.
다양한 어종으로 출조하오니 언제든지 문의주세요

■감성돔준비물: 1호 낚시대 막대찌(원줄2.5호이상) 1.5호막대찌이상
반달멈춤고무 순간수중봉돌 1.5호이상.쿠션고무. 도래.목줄 1.5호. 바늘 3호 좁쌀봉돌(유동적)

■ 출조시간 05시30분~14시30분까지(유동적)

■생활낚시 요금안내][최소 출조인원]
■참돔 : 13만 5인이상
■생활낚시 : 5인이상(문어)
■감성돔:12만(개인인당)
■돌문어낚시 = 8만원(1인)
■쭈꾸미낚시 = 8만원(1인)
■농어 붉바리 외수질 문의
생활낚시는 인원부족시 출조불가
   단: 독배출조가능1~2인(상담)
   (출조시간 자율조정)
■선사제공 : 개인 점심도시락(집밥)
                    커피 음료 생수등
■낚시대대여가능(파손시비용발생)

●예약완료 후 당일 최소 출조인원이다 차지 않는 경우  출항문자 19시 문자드립니다

●참돔(막대찌낚시) = 130,000원
                                     (5인이상)
● 참돔준비물 : 낚시대(1.5이상), 릴(5000번이상), 막대찌(3호이상), 원줄(5호이상), 목줄(3호이상), 낚시바늘(10~12호)

생활낚시독배환영(도다리 쭈꾸미 갑오징 돌문어)독배 상담

[참돔 감성돔 독배 요금 및 안내]
■ 주중 : 4~7명(600,000원) + 1인추가당(50,000)
■ 주말 : 4~7명(650,000원)감성돔

● 독배는 밑밥, 미끼, 식사포함되지 않으며, 별도로 구매가능합니다.

● 생활낚시 또는 감성돔, 참돔으로 구분하여 독배가 가능합니다
[위치안내 및 입금안내]

■ 1~배타는곳
여수시 화정면 화백해안길333(화정면백야리)백야낚시앞

● 2~배타는곳
여수시 화양면 세포당머리길 28-8
    (남해수산연구소밑)

● 배타는곳은 주차장 협소로 (전날18시쯤)변동될수 있으니 전날 문자 드립니다

● 신분증 필히 지참부탁드립니다.
농협(김진우)352-0844-0426-63

[예약문의]
선장(김진우)010-5439-4836
      (부재시 : 010-9191-1864)
● 선입금하셔야 예약이 완료됩니다.

[취소/환불안내]
●독배예약 후 1일전 취소는 불가~
●독배예약 후 2일전 취소는 50% 환불됩니다.
●독배예약 후 3일전 취소는 전액환불됩니다.

[출조안내]
- 모든 출조 일정은 선장님 결정에 의해 이루어집니다.
- 기상악화시 100% 환불처리 됩니다.















1000030692.jpg


*** 여수 감성피싱 예약 안내 ***


예약문의 : 010-5439-4836

오시는길 : 전남 여수시 화양면 세포당머리길 28-8

모바일.jpg



blank.png3



List of Articles
번호 제목 글쓴이 날짜 조회 수
249705 쭈갑매일이벤트! 금요일부터 정상출조! new 삼천포온누리피싱 2025.10.14 0
249704 (여수용주피싱) 이번주. 갑오징어 모집 new 용주피싱 2025.10.14 1
249703 10월14일 화요일 먼바다 흘림조황 대부시리 115cm포함 마릿수 조황입니다. new 현대마린왔다호 2025.10.14 2
249702 왕쭈꾸미 오전조항~굿입니다~16일 목욜 9자리예약가능 합니다 new 따봉피싱 2025.10.14 1
249701 251014 여수 쭈꾸미 호조황 new 오션킹 2025.10.14 7
249700 내만갈치 쿨러 채우러,씨알도 좋아지고.(수~예약가능 new 진해반도낚시 2025.10.14 4
249699 14일새벽 내만갈치 3지까지 퍼담퍼담~전원엄청잡고!!(수,목,금 예약중) newfile 진해라코피싱 2025.10.14 0
249698 - 대왕쭈꾸미 HIT - 14일 대왕쭈꾸미 대박조황 new 여수(히트호) 2025.10.14 4
249697 주꾸미.갑오징어 빅이벤트중.매일매일 행운추첨(10인이상시)쭉~예약중입니다.즐기시러 오세요. new 하하호호피싱 2025.10.14 3
249696 여수 문꾸미 new 여수다온호 2025.10.14 5
249695 [내만갈치]바글바글 갈치가 노다지 대부분 만쿨!! 예약가능 new 진해빅마마호 2025.10.14 6
249694 내만갈치 씨알끝장!! 버글버글~끝내줍니다!! (수요일예약가능) newfile 진해왕낚시 2025.10.14 3
249693 ■붉바리 이정도는 잡아 봐야지요 대박조황입니다[10월14일] ◎ 해마루호가 뜨는이유? 조황때문이죠 ◎ 핵심포인트: 바로진입.. 바로히트.. ▣ 차원이 다른 조황으로 모십니다 new 고흥바다낚시114 2025.10.14 7
249692 [캐스팅호 주꾸미조업 ~ ^^ / 내가 같이 가자 했자나요 ~ !!!] new 여수캐스팅호 2025.10.14 5
249691 돌문어출항 요즘키로급 퍽퍽 (수요일부터 예약중) new 라라피싱 2025.10.14 3
249690 쭈꾸미 잡고 경품도 타고 ~~~ new 로또피싱 2025.10.14 2
249689 내만갈치~3지까지!어마어마하게 엄청잡아!쿨러만땅만땅(화,수,목,금,토예약가능) newfile 여명피싱 2025.10.14 6
249688 내만갈치3지찐손맛굿 오늘출항 수,목,금,토,일,쭉 예약가능/준내만갈치,3지5지, 쭉 예약가능 newfile 진해대성낚시 2025.10.14 2
249687 유촌 형만호 선상 문어 철수 조황입니다 new 형만호(형만레저) 2025.10.14 2
249686 삼천포 구미호 10월 14일 문어조황입니다 new 삼천포구미호 2025.10.14 5
249685 *개나리호* 찌낚시~ 가을 감성돔 입니다. newfile 완도개나리호 2025.10.14 4
249684 10월13일~~내만갈치 풀치가 없네요 3지급~~~손맛 입맛 굿~~ new 호야피싱 2025.10.14 7
249683 경동레저(신광) 선외기낚시 감성돔 갑오징어 전갱이 조황 new 신광레져 2025.10.14 0
249682 [마량뉴썬더호]10월14일 쭈꾸미조황 new 강진마량뉴썬더호 2025.10.14 4
249681 내만 갈치 초저녁 입질 좋아~~(목욜부터 예약 가능) newfile 나드리 2025.10.14 4
249680 <내만갈치>싸이즈 제법 커지고 손맛좋고~금요일 예약가능 new 진해한주피싱 2025.10.14 2
249679 10/13(월)쭈(&갑) 대박을 넘어선 미친조황3!!!20일부터 자리여유!! new 여수추적자호 2025.10.14 8
249678 ~*폭우속에 씨알급도 마리수도 굿~~^(예약가능)*~ new 괴정포인트피싱 2025.10.14 1
249677 FM 피싱호 (감성돔흘림 ㅡ종일낚시)~오늘조황 ㅡ내일도 정상출조 합니다 ㅡ예약가능합니다 new Fm낚시 2025.10.14 2
249676 삼천포 마린보이 10. 16. 목요일 부터 황금물때 주간/야간 문어 출항합니다 ^^ new 사천마린보이 2025.10.14 2
249675 [덕성호] 내만갈치 2.5지~3지까지!! 짱짱한 손맛보며 쿨러 묵직하게 채워요!! [수요일부터예약가능]010-7660-2435 newfile 덕성호 2025.10.14 1
249674 (삼천포 건담호)갑돌이 내일 출동~~^^ 퍽퍽퍽 new 건담호 2025.10.14 2
249673 대명호 문어조황 좋습니다 newfile 진해대명호 2025.10.14 4
249672 완도덕호 10.14 쭈꾸미 new 완도덕호선장 2025.10.14 3
249671 다래호 씨알좋은 쭈꾸미 갑오징어 우당탕탕탕!!! 쫙 ~~쫙 달라붙습니다 즐낚하러오세요 목요일 부터 자리널널 입니다 new 삼천포다래호 2025.10.14 7
249670 내만권 굵은 감성돔 외 뺀치,쥐치 조황...(덴마) newfile 통영나룻터낚시 2025.10.14 0
249669 비~바람~너울~무늬팁런~ new 통영오피싱 2025.10.14 7
249668 사량권 돌문어 조황입니다 new 통영도산낚시 2025.10.14 3
249667 14일 갑오징어.쭈꾸미 조황 new 녹동빅토리호 2025.10.14 6
249666 수요일 4자리여유 갑오징어출항갑니다 new 도리스피싱 2025.10.14 4
249665 통영 금정호 문어선상낚시 오늘도 살림망이 묵직합니다 내일 자리있습니다 new 유촌금정호 2025.10.14 6
249664 14일 녹동돌문어 황금물때 조황 ~ new 1고흥녹동장보고호1 2025.10.14 9
249663 <고흥청룡호> 14일 돌문어 대박조황소식!!! new 고흥녹동/청룡호 2025.10.14 8
249662 [고흥피쉬헌터호] 씨알좋은 붉바리들 연달아서 입질 !!! new 고흥피쉬헌터호 2025.10.14 8
249661 ■돌문어 폭우속에서도1200g급외 두자리수이상 마리수조황 조으네요!! new 해그린피싱 2025.10.14 4
249660 (여수타이슨호) 10월14일 본시즌 쭈꾸미 초대박 조황 new 여수타이슨호 2025.10.14 10
249659 비와 돌문어~^^ new 통영인스타 2025.10.14 3
249658 10월14일 강진마량 골드비너스호 쭈꾸미 new 마량따봉호 2025.10.14 7
249657 완도감성돔 찌낚시 조황입니다~~ newfile 완도라이온피쉬호 2025.10.14 3
249656 10월13일 돌문어조황@덩어리들 꾸준하게 올라옵니다 (수요일부터~예약가능) new 라라피싱 2025.10.14 5
249655 가을감성돔 선상찌낚시 출조합니다 new 여수감성피싱 2025.10.14 3
249654 (통영팁런), 13일 철수 조황입니다. new 체리피쉬선장 2025.10.14 5
249653 13일야간돌문어 악조건속 K K K ( 오늘3자리예약가능 newfile 진해골드스타2 2025.10.14 4
249652 ~*굵직한 돌문어 폭우속에서도 잘나오네요~~^(예약가능)*~ new 괴정포인트피싱 2025.10.14 4
249651 대명호 문어조황 낼예약가능 newfile 진해대명호 2025.10.14 5
249650 14일 새벽<내만 갈치>반응좋고~바글바글!오늘 화요일 예약가능 new 진해썬플라워 2025.10.14 4
249649 16,17일 대왕쭈꾸미~!! 고흥권 문꾸미 잡으러 갑니다 (선비7만/자리여유) new 여수홍단호 2025.10.14 14
249648 14일 비와 바람속에 쭈꾸미 따북 따북 30수 전후로 잡앗습니다 낼부터 쭈꾸미 자리여유잇습니다~^ new 진우호선장 2025.10.14 0
249647 사량도 돌문어 조황 new 탈레스호고성 2025.10.14 1
249646 ■ 돌문어 1200g급외 연일 마리수조황 조으네요!! new 해그린피싱 2025.10.14 8
249645 원전항)신조9톤 내만갈치내일 15일 출격합니다(출항확정)한쿨러 도전하세요~ new 마산신조선짱구호 2025.10.14 2
249644 12일 쭈꾸미낚시 조항 new 약산트윈스 2025.10.14 8
249643 풍화리 선외기의 감성돔 마릿수 조황 new 풍화수양레저 2025.10.14 4
249642 FM 피싱호 (감성돔흘림)~금일 선장 홀로 탐사조황 입니다 ㅡ내일도 정상출조 합니다 ㆍ예약가능합니다 new Fm낚시 2025.10.14 2
249641 삼천포 야간문어 대박조황! 매일출조! new 더블케이호 2025.10.14 7
목록
Board Pagination Prev 1 2 3 4 5 6 7 8 9 10 ... 3842 Next
/ 3842