한국어
(南)남해조황


어부지리바다낚시 내 조황글은 한번만 게시되어야 합니다.



























진해경화낚시 전용선 블루킹스타호는 10톤(22)인승으로

조사님들을 편안하고 여유로운 낚시를위하여  

수세식화장실과 휴식공간이 국내최대 인것이 장점입니다

★★ 점주가 직접가이드해드립니다★★

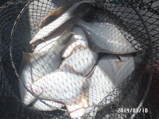
안녕하십니까? 진해 경화낚시 입니다

진해 내만 도다리낚시 시즌이 돌아왔습니다

월요일 예약하신몇분을 모시고 도다리낚시를 다녀왔습니다

오늘은 거제권으로 출항하여 초반부터 왕도다리들이 반겨주고

여기저기서 쌍걸이로 많이잡았는데 세분조사님 살림망분실로

왕도다리로 방생많이하고왔습니다

담백한 일품도다리회와 소주한잔으로 즐낚하고 왔습니다

찾아주신조우님들께 항상 진심으로 감사드립니다

내일은 좀더나은 조황을기대하면서 ...

손맛이 그리운 조사님들 언제든지 전화주시면 한분의 조사님도

성심 성의껏모시겠습니다

*도다리출조*
  
출항시간:7시~철수시간:2시~3시(유동적)

  준비물: 쿨러 .드실만큼의이슬이                

  채비:낚시대및 개인장비가 필요없습니다
        
  (낚시자세+편대+낚시바늘 모두 무료지급)

  *커피/생수무한리필 도다리정식 풀코스제공*
      
          ^^   몸만오세요^^

                 선비:5만원

^^ 1월부터 구명조끼는 필수 꼭챙겨오세요^^
      
  * 없으신분은 배에있습니다*

* 도다리 자세 및 편대.봉돌.바늘은 배에서 무료 대여해 드립니다 **

** 점심식사. 라면. 각종회. 회무침. 야채.커피.생수는 무료 제공합니다 **

*국내 최대 낚시 채비.장비.미끼 구색완비 최저가로 판매합니다 **

저희 낚시점에서는 국내 모든 낚시채비.장비.미끼등 구색완비 되어있으니

기본적인 장비가 없으신 조우님은 미리오셔서 준비하셔도 되고

저렴한 가격에 적합한 장비 대여도 가능합니다..

~~~~ 식사.커피.각종 야채는 항상 배에 준비돼어 있습니다~~~~~

출조선단 : 10톤 2대(22인승) 7톤1대(16인승)

유람선(25~100이상)화장실 노래방시설완비 단체팀예약

**평일 독배 예약은 저렴하게 모시겠습니다**

출조문의 ☎: (055)542-4095 (010)5150ㅡ4095

선입급 확인후 예약완료됨(말도없이 펑크내시는 분들 때문에)
자리 배정은 선착순으로 합니다

계좌번호 : 국민은행..853402-01-022339,,,김철웅

네비주소 : 창원시 진해구 이동 611-6번지

배타는곳: 속천항

List of Articles
번호 제목 글쓴이 날짜 조회 수
13955 부산뉴갤럭시호심해씨알좋은왕우럭과왕열기조황굿!!! file 갤럭시호최선장 2014.04.08 443
13954 일호낚시 침선 마니 잡았습니다. file 부산일호낚시 2014.04.08 370
13953 왕열기 대박조황입니다~^^ 10일(목) 인원모집! file 여수명진호 2014.04.08 546
13952 [해원1호] '감성돔' 대박 조황 입니다. ^^* file 완도해원1호 2014.04.08 267
13951 대물포인트 4짜급 감성돔조황입니다~~ file 완도라이온피쉬호 2014.04.08 262
13950 아침에 쿨러만땅 전원 왕대박 file 뉴한사리호 2014.04.08 709
13949 도다리 호조황 계속 이어지고~ file 진해김해낚시 2014.04.08 242
13948 4/8 금오열도 감성돔 조황 !!! file 여수바다사랑 2014.04.08 350
13947 통영청용호 주말 우럭 쏨뱅이조황입니다.(내일 주간우럭, 야간뽈락 자리여유있습니다) file 통영청용피싱 2014.04.08 406
13946 솥뚜껑왕도다리 손맛~입맛 미추어버립니다(낼자리많아요) file 진해유경낚시 2014.04.08 458
13945 퍽~퍽,왕도다리로 엄청잡고, 미끼가 모자라요,매일출항(예약가능) file 진해반도낚시 2014.04.08 314
13944 목포봄도다리 씨알좋아요! file 낚시박사호 2014.04.08 349
13943 봄도다리 신나게잡고 푸짐하게먹고 매일출항 쭉 예약가능 file 진해대성낚시 2014.04.08 219
13942 뉴 무지개호 심해침선 (내일) 번출 file 뉴무지개호 2014.04.08 455
13941 ~~에어버스 봄 도다리 조황임니다~~ 에어버스호 2014.04.08 282
13940 나주 OK 피싱 개점후 첫 우럭 조황 입니다 file 나주OK피싱 2014.04.08 1246
13939 통영영운호 어초 우럭 쏨벵 밤뽈락 조황(오늘번출) file 통영영운낚시 2014.04.08 397
13938 왕뽈락 자로잰38...오늘은 완도왕우럭으로.. file 김해황금피싱 2014.04.08 433
13937 5/7우럭 쏨뱅어 조황 file 낚시친구 2014.04.08 451
13936 어초/밤뽈 신발짝 王급들 좋아요~좋아(예약가능 file 통영리드낚시 2014.04.08 322
13935 40급왕뽈!!쿨러만땅까지~물때예보 굿~오늘자리여유! file 통영아이비호 2014.04.08 396
13934 [밤뽈락외줄]어초 신짝왕사미 보기좋아요.(오늘도.... file 짱피싱 2014.04.08 329
13933 4/7일 목포 도다리낚시 조황입니다. file 목포유달호 2014.04.08 250
13932 7일]""우럭...... 대물급 조황 file 바다낚시114 2014.04.07 666
13931 여수 신강수도호 백도왕열기 조황 file 여수신강수도 2014.04.07 466
13930 봄도다리 엄청잡고먹고 오감만족 선상야유회 매일출항 쭉 예약가능 file 진해대성낚시 2014.04.07 245
13929 밤볼락 에서 "홍도열기 40.5cm 우럭까지 ..... file 통영비너스 2014.04.07 590
13928 도다리 마릿수 그리고 회맛 쥑~입니더~~~ file 진해김해낚시 2014.04.07 281
13927 [목포도다리낚시조황]4월7일 목포도다리낚시 굵은씨알의 도다리 마릿수조황 file 목포가이드낚시 2014.04.07 486
13926 [골드피싱] 왕우럭 왕열기 조황 아주 좋습니다.^^ 쿨러 조황~ 여수골드피싱 2014.04.07 618
13925 [목포 도다리낚시] 목포 도다리낚시 손맛 입맛 최고-VIP낚시 file 목포VIP갈치낚시 2014.04.07 773
13924 솥뚜껑왕도다리한접시20만원 요맛에뿅~갑니다 file 진해유경낚시 2014.04.07 342
13923 [해원1호] '4짜 감성돔' 조황 입니다. ^^* file 완도해원1호 2014.04.07 231
13922 봄엔! 도다리 이정돈 먹어줘야~ 왕낚시 2014.04.07 353
13921 [완도 은솔호] 가두리 우럭과 솜팽이 입니다 file 완도 뉴대광호 2014.04.07 563
13920 완도 풍산호 일요일 월요일 조황입니다 file 완도풍산호 2014.04.07 337
13919 왕도다리로 엄청잡고(쭉예약가능) file 진해경화낚시 2014.04.07 287
13918 와우,왕도다리가 버글버글,난리 났어요,내일출항(예약가능) file 진해반도낚시 2014.04.07 405
13917 밤 뽈락 조항입니다 file 여수임마누엘호 2014.04.07 524
13916 통영영운호 어초 우럭 쏨벵 대왕 밤뽈 (오늘번출) file 통영영운낚시 2014.04.07 572
13915 밤볼락~신발짝 大王뽈 만쿨의 행복(자리텅텅~예약가능 file 통영리드낚시 2014.04.07 570
13914 드디어상봉 왕뽈!! 좋은물때 쭉~gogo(오늘번출여유) file 통영아이비호 2014.04.07 518
13913 [밤뽈락외줄]올 신발짝 왕사미 4종세트(오늘도... file 짱피싱 2014.04.07 378
13912 완도청산,황제권 왕우럭,열기 다녀왔습니다 file 김해황금피싱 2014.04.07 495
13911 목포권 봄도다리 씨알좋고 마릿수 점점 좋아져.... file 광명신신낚시 2014.04.07 325
13910 통영 현재 우럭/쏨뱅어 조황 file 낚시친구 2014.04.06 536
13909 깻잎부터 왕도다리까지~~월,화,수 예약가능 진해김해낚시 2014.04.06 254
13908 "왕낚시" 봄~도다리 물때~! 왕낚시 2014.04.06 538
13907 4월첫주,,감성돔:로또,당첨,축하합니다,, file 중화낚시클럽 2014.04.06 617
13906 오늘 감성돔 조황입니다~~ file 완도라이온피쉬호 2014.04.06 263
13905 "왕낚시" 진해 도다리 선상 휴일조황 왕낚시 2014.04.06 2599
13904 솥뚜껑왕도다리 살림망이 무거워요(낼예약가능) file 진해유경낚시 2014.04.06 300
13903 [해원1호] '감성돔' 조황 입니다. ^^* file 완도해원1호 2014.04.06 261
13902 4/6 떼감시 떼감시 6분 출조 떼감시 조황 !!!!!!! file 여수바다사랑 2014.04.06 402
13901 [목포도다리낚시조황]4월6일 목포도다리낚시 조황소식 file 목포가이드낚시 2014.04.06 447
13900 왕,왕도다리 오늘도 엄청잡고,매일출항(월~예약가능) file 진해반도낚시 2014.04.06 280
13899 왕도다리 올랑고 도다리회맛 끝내줍니다 file 진해김해낚시 2014.04.06 278
13898 봄도다리와 신바람난 싸모님들 야유회 대~박 매일출항 쭉 예약가능 file 진해대성낚시 2014.04.06 263
13897 왕도다리가 바글바글 엄청잡고(쭉예약가능) 진해경화낚시 2014.04.06 286
13896 목포도다리낚시조황-4월5일 목포도다리낚시 강풍때문에 조기철수 목포가이드낚시 2014.04.05 519
13895 [해원1호] 오전 '감성돔' 조황입니다. ^^* file 완도해원1호 2014.04.05 288
13894 아~따엄청시리무띠네 지렁이가없서조기철수 file 진해유경낚시 2014.04.05 616
13893 완도 풍산호 감성돔 조황입니다 file 완도풍산호 2014.04.05 312
13892 봄도다리 낚고 푸짐하게먹고 이맛에 매일출항,일,월,쭉 예약가능 file 진해대성낚시 2014.04.05 308
13891 통영칼호!!침선털이 왕열기.왕뽈락.우럭쿨러조황입니다^^ file 통영칼낚시 2014.04.05 723
목록
Board Pagination Prev 1 ... 3624 3625 3626 3627 3628 3629 3630 3631 3632 3633 ... 3843 Next
/ 3843