한국어
(東)동해조황

- 배너를 클릭하면 해당 출조점의 홈페이지가 열립니다
낚시뚜에서 어부지리로 보내는 자동조황
top01.png

포항 제트호

top02.png
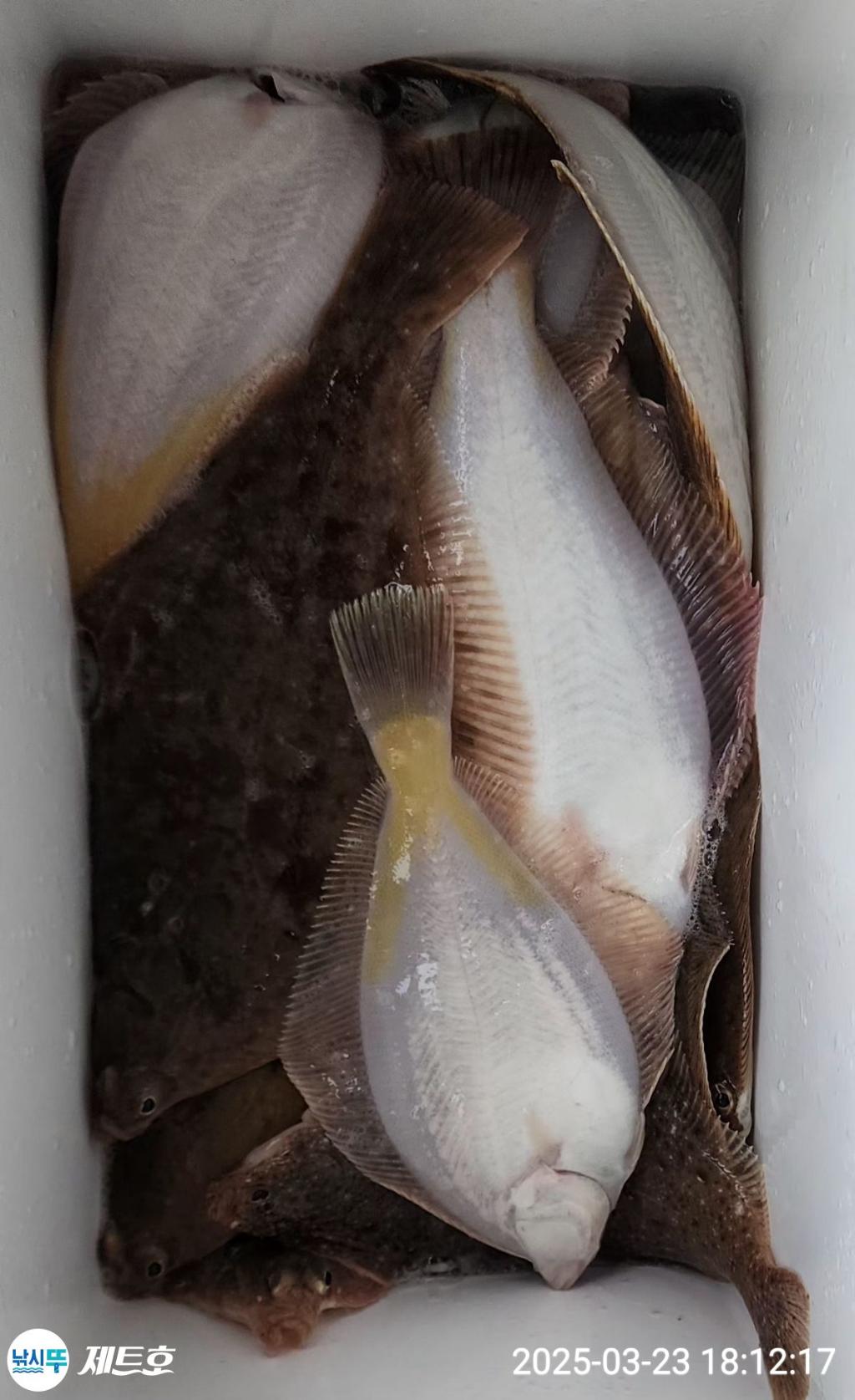
일요일 오후타임!!!
사이즈 좋은 큰놈들이 부지기수~~
퍽퍽~ 사이즈 좋은 도다리 참가자미~
수북하이 잡고 왔어요!!
화요일 오전9시~ 예약중~
· 출조일시2025-03-24(월)
· 출조인원20명
· 어종도다리,가자미

​​♡포항 선상낚시 전문 선사♡

"바다 선상낚시 가고플때~!!" 

*제트호*


♤ 예약 문의 ♤

010-5417-1887

 

 

"포항 제트호"

9.77톤 대형 선상낚시 전용선

(승선정원 22명)

 20221107.131209.613.M002443676_600.jpg 

☆ 포항 제트호!! 를 소개합니다!! ☆

☞ 9.77톤의 멋진 선상낚시 전문 낚시배 입니다. 

☞ 4계절 낚시가능!!(몸만 오셔도 즐길 수 있어요~)

☞ 넓은 휴식공간과 편의시설이 완비!!

​☞ 깔끔한 수세식 화장실(여성분들의 걱정 노노~!!)

☞ 승객 안전 해상보험 100% 가입완료

 

포항 제트호!! 가 있는 포항 영일만항!!!

** 포항 IC에서 선박까지~ 약 15분내 도착하는곳!!

(도로상황 넓고 좋은 포항 최고의 항구)

** 대구 경북권 최고의 선상낚시 핫플레이스

** 선박 바로앞에 넓은 주차장으로 편의성 최고!!

** 다양한 낚시 포인트의 중심지인 포항신항만 이지요!! 

(넓고 다양한 포인트로 갈수 있는 최적지!)

** 항구 주변 편의시설이 제일 우수!! 편의점, 횟집, 등등~

 

● 제트호 홈페이지 

http://blog.naver.com/whitesky38


● 포항제트호 밴드 ●

** 밴드 가입하시면, 빠른조황 확인 및 예약 가능** 


예약은 전화 또는 메세지 주세요!! 

제트호 : 010-5417-1887

카카오톡: whitesky38 

 

감사합니다!!♡ 

선상낚시 오실때 숙박예약도 함께하세요!

바닷가 오션뷰가 멋진 감성펜션 연계해드립니다.

제트호 이용시 특별할인 적용!!

선상낚시와 숙박을 한번에 빠르게 예약가능!!

포항 신항만에서 15분거리 위치!!

기본 2인부터 단체(10인)까지 한번에 숙박가능!

20230830.210639.471.M002443676_600.jpg
 

숙박시설을 찾으시는 분들께 

포항 제트호가 바닷가 오션뷰 감성펜션을

특별할인 해드립니다^^

 

20230830.210053.425.M002443676_600.jpg

포항선상낚시와 바닷가 펜션 예약을 한번에!!

포항 제트호에서만 가능!!해요~

 

3.23(일) 오후타임~ 도다리 참가자미 조황~
※※ 화요일 오전 9시 여유석 있습니다!!놀러오세요^^
일요일 오후는 일단 여기저기 댕겨봤슴다~~
마릿수보다는 사이즈가. 좀 큰녀석들이 자주 출몰하는~
포인트 위주로 다녀봤어요~
초반에는 여기저기 따문따문~ 나오다가~
중반부터~ 조금씩 살아나기 시작하면서 입항할때까지
부지런히 잡고~ 사이즈 좋은 녀석들로~
횟감 챙겨서 입항했습니다 ^^
오신분들 고생많으셨습니다. 감사합니다.

화요일~ 기상이 좋아요!!! 시간 되시는분들 도다리 참가자미
잡아서~ 회한접시!! 해보세요~ ㅎㅎ
포항 신항만 항구는 선박 정박지 앞에 횟집에서 회포장 및 손질해서 편하게 가져가실수 있습니다.

포항 제트호로 도다리 참가자미 봄나들이 오세요^^
몸만와도 되요!! 낚시대 대여 가능하고,
미끼부터 채비, 추, 바늘까지 전부 무한제공!!!!
시간되시는분들 널널할때 놀러오세요 ^^
_________☆
※ 평일 오전9시 한타임, 주말은 오전,오후 2타임으로 출항합니다!!
초보자분들~~ 걱정은 이제 그만!!! 장비가 없어도 가능!!
제트호 오시면~ 선장이 직접!! 자세하게 알려드립니다!!!
충분히 선상낚시 즐기실수 있습니다!
포항선상낚시 재미에 한번~ 빠져~~ 보시겠습니까?!!! ㅎㅎ
● 예약문의 : 010-5417-1887
편하게 전화주세요. 감사합니다 ^^

선상낚시 랑~ 펜션 숙박까지 한번에 예약가능하다는
포항선상낚시 중!! 유일한~ 제트호 입니다!!
제트호 예약하시면 펜션은 더욱 저렴하게 할인 해드려요!!^^
깨끗한 오션뷰 펜션을 저렴하게 이용하실 수 있어요!!!아주 굿!!

포항선상낚시 핫플레이스 제트호로 낚시하러 오세요^^
포항바다 오셔서 스트레스 풀고, 즐거운 추억 만들어보세요.
늘 안전과 즐거움을 위해 최선을 다하는 선장이 되겠습니다^^

● 예약시 주의사항 ●
-- 예약은 전화, 메세지, 카톡 등으로 문의주세요.
-- 예약 후 반드시 입금하셔야 예약완료 됩니다.
-- 이유없이 미입금시에는 예약순번에 의해 정원예약 완료시
자동으로 예약취소 됩니다.
《《 예약후 미입금, 전화연락두절로 당일 노쇼로 인한
예약펑크가 많아, 이렇게 공지하게 되었으니, 반드시 확인하시고,
개인적으로 불편을 겪지 않으시도록 양해바랍니다.》》

● 도다리 & 참가자미 낚시 / 식사 미제공
* 선비 : 6만원 (채비, 미끼, 바늘 무제한 제공) / 3월 한정
※ 4월부터 선비 1만원 인상됩니다.
* 낚시대 대여 1만원 / 파손 및 수장 시 본인 전액 변상!!
* 출항 시간
-- 평일 : 오전 9시 ~ 오후 2시 한타임(시간 조정가능)
-- 주말 : 오전 7시 ~ 오후 12시 입항
오후 1시 ~ 오후 6시 입항
* 추 50호 사용 / 원줄은 합사 1호~ 3호
※ 50호 추달고 바닥에서 살짝살짝 들어주는 액션만 하기때문에 큰부하가 없어 개인장비 가져오시는 분들은 2미터 전후, 왠만한 로드는 사용 가능합니다.(문어대, 지깅대, 다운샷, 타이라바 등), 길이가 길수록 불편할 수 있으니 짧은로드 선호
대신 원줄은 합사 (1~3호 정도) 사용하시면 됩니다.

※ 자세한 출항일정은 아래 예약현황 확인하시고 예약바랍니다.
☆____________________________
** 출항시간 확인후, 전화나 메세지로 예약주세요^^
※ 모든 예약은 전날까지 기상확인후 출항결정됩니다!!
※ 출항 20분전까지 배에 탑승 후 승선명부 작성!!(시간 엄수)
☆___________________________
● 예약현황 ●
* 3/25(화)
-- 오전 9시 ~ 오후 2시 [도다리&참가자미] 여유석 12자리
* 3/26(수)
-- 휴항
* 3/27(목)
-- 오전 9시 ~ 오후 2시 [도다리&참가자미]
* 3/28(금)
-- 휴항
* 3/29(토)
-- 오전 7시 ~ 오후 12시 [도다리&참가자미] 여유석 4자리
-- 오후 1시 ~ 오후 6시 [도다리&참가자미] 여유석 10자리
* 3/30(일)
-- 오전 7시 ~ 오후 12시 [도다리&참가자미] 여유석 6자리
-- 오후 1시 ~ 오후 6시 [도다리&참가자미] 여유석 14자리
* 3/31(월)
-- 오전 9시 ~ 오후 2시 [도다리&참가자미]

※ 차후 일정도 쭉 예약가능하세요.
※ 단체 독배 환영합니다.
☆___________________________
■◇《 예약 / 문의 》◇■
-- 휴대폰 : 010-5417-1887 제트호 선장직통
-- 카톡: whitesky38
※ 부재중일시~메세지나 카톡 주시면 확인후 연락드립니다.
☆____________________________


● 포항선상낚시 이용시 숙박 필요하신분은 ●
바닷가 오션뷰가 멋진 깔끔한 감성펜션을 함께 예약이 가능해요
여기저기 따로 예약하기 불편하고, 펜션 상태도 알수없고,
자!!! 이제 제트호에서 편하게 한꺼번에 예약하세요.
※ 선상낚시 + 펜션 예약시~ 추가할인 해드립니다!!!
※ 단, 기상불량으로 선상낚시 출항이 취소되어도, 펜션은 취소가 되지 않으니 신중한 예약 부탁드립니다^^

■◇《오시는 주소(배 정박지)》◇■
-- 경북 포항시 북구 흥해읍 용한리 7-6번지
(도로명 : 경북 포항시 북구 흥해읍 영일만항로 111-1)
** 배에 오셔서 승선명부 작성합니다.
※ 네비검색시 : 경북어업기술센터, GS25 포항신항만점
(그럼 항입구 도착가능하세요^^)

■◇《 선박 내 비치 / 무료제공 》◇■
-- 셀프 커피, 컵라면, 시원한 생수(냉장고) 제공
-- 개인자리 고기담는 자동 해수쿨러
-- 수세식 화장실!! 완비!!(여성분들 걱정 끝)
-- 대형 실내주방 완비!!(가스렌지 사용)
** 고급 팽창식 구명조끼 무료대여
(팽창식 구명조끼는 절대 임의로 당기시면 안돼요!!
(CO² 가스 교체비용을 개인이 부담하셔야 됩니다)

■◇《 환불 기준 안내 》◇■
** 기상악화시 (태풍, 풍랑주의보등) 전액 환불!!
** 기상특보 상황 외 선장판단으로  출조불가시 전액 환불.
** 개인 사정으로 취소시
-- 출조 3일전까지 취소시 100% 환불 가능
-- 출조 2일전부터 당일 취소시 환불 불가!!
-- 환불 불가시 일정 변경 불가능
.
※※ 예약시 참고 사항 안내입니다 ※※
동해바다의 특성상 기상이 들쭉날쭉 하는 경우가 많아
출항 전날에도 급작스러운 기상변화로
출항이 취소되는 경우가 많습니다.
전날 도착하시거나, 숙소를 예약할 경우 신중을 기하시기 바랍니다.(개인의 선택사항이니, 선사에서는 책임질 수 없음을 알려드립니다. 양해부탁드립니다.)
.
#포항선상낚시 #제트호 #도다리선상낚시 #포항배낚시 #바다낚시 #영일만항 #포항바다낚시 #포항체험 #동해바다낚시 #동해배낚시 #동해선상낚시 #이색체험 #팁런 #무늬오징어낚시 #포항팁런낚시 #튜나 #참다랑어 #에깅낚시 #포항낚시
● 포항제트호 밴드 ●
http://band.us/@jetfishing1pohang
F2645227U6.jpg

F2645226OM.jpg

F26452252M.jpg

F26452243Y.jpg

F2645223LC.jpg

F2645222KO.jpg

F2645221DE.jpg

F2645220V0.jpg

F2645219QU.jpg

F26452180L.jpg

F2645217DK.jpg

F2645216ZS.jpg

F2645215AP.jpg

F2645214NU.jpg

F26452135Z.jpg

F2645212KT.jpg

F2645211DA.jpg

F2645210HX.jpg

F26452093J.jpg

F2645208AN.jpg

F2645207OQ.jpg

F2645206L3.jpg

F2645205YB.jpg

F26452048P.jpg

F2645203HP.jpg

F2645202T5.jpg

F2645201U2.jpg

F2645200M9.jpg

F26451998J.jpg

F26451985R.jpg

F2645197VI.jpg

F26451961F.jpg

F2645195ZV.jpg

F2645194SH.jpg

F264519312.jpg

F2645192M5.jpg

F264519140.jpg

F2645190RV.jpg

F2645189XB.jpg

F26451882Q.jpg

F2645187LQ.jpg

F2645186UW.jpg

F2645185YN.jpg

F264518494.jpg

F2645183XI.jpg

F2645182QZ.jpg

F2645181M0.jpg

F264518035.jpg

F2645179ZO.jpg

F2645178KQ.jpg

F2645177SN.jpg

F2645176MH.jpg

 

20221107.131337.509.M002443676_600.jpg

☆예약 / 문의 ☆

제트호 선장: 010-5417-1887

카 톡: whitesky38

* 예약은 전화, 문자, 카톡 편하게 주시면 됩니다 * 

 

● 계절별 어종 안내 

12월 ~ 3월 : 열기 & 볼락 외줄낚시

3월 ~ 7월 : 도다리 & 참가자미 낚시

8월 ~ 12월 : 삼치 & 방어 루어낚시

9월 ~ 11월 : 무늬오징어 팁런(야간)


● 개인 준비물 ●

** 쿨러(아이스박스), 얼음(꼭), 신분증

** 모자, 손닦을수건(물티슈), 개인 간식거리

** 신분증은 꼭 지참하세요!!

** 배에서 술은 법으로 금지되었습니다.(절대 X)


● 배에서 제공되는 무료 서비스 ●

** 커피, 생수, 컵라면, 장갑 제공

(넓은 실내 탕비실에 가스렌지 설치됨)

** 팽창식 구명조끼 무상대여!!(활동성, 착용감 최고)

※ 절대 임의로 당기시면 안되요!!(절대 주의)

(가스 교체비용이 개인에게 부과됩니다)

**고기 집게, 바늘빼는 플라이어, 고무망치, 시메용 칼, 개인 해수쿨러(고정식)

 

※ 참고사항 ※

개인 간식, 음료, 얼음 등 개인 필요한 물품은

신항만 입구에 오시면

  GS25(포항신항만점) 편의점에서 

 24시간 편하게 구매 가능 !! 

감사합니다~!!


● 환불 규정(예약시 반드시 확인) 
** 기상악화 특보(태풍, 풍랑주의보등)시 전액 환불!!
** 선장님 판단하에 기상불량으로 취소시 전액환불!!
** 개인사정으로 환불시 출조 3일전까지 취소시 환불.
(예. 토요일 예약, 수요일 12시전까지 취소가능)
** 출조 1~2일전 취소시 환불 및 변경 불가

포항 선상낚시 전문

제 / 트 / 호

● 예약 문의 ●

선장 : 010-5417-1887

 

♡ 선박 위치 주소 ♡

경북 포항시 북구 흥해읍 용한리 7-6번지

(도로명 : 경북 포항시 북구 흥해읍 영일만항로 111-1)


네비주소 :영일만항

예약문의

010-5417-1887

국민은행

804201-01-139933

김혜영

nopic_cptn.jpg

포항 제트호

김주영 선장

F0893045VX.jpg
항구명 영일만항
승선인원 21명
출조점명 포항 신항만(영일만항)
배 타는 곳포항 신항만(영일만항)
홈페이지 바로가기 Click
낚시뚜

List of Articles
번호 제목 글쓴이 날짜 조회 수
공지 (꼭 읽어주세요)조황게시판 운영방침 2 어부지리(민평기) 2013.03.01 57621
89134 실시간 봄도다리 훌륭한 숭덩숭덩 조황~3/26.수.오전8시 출항~ 제우스-신항만버스낚시 2025.03.25 31
89133 25일)오전 도다리참가자미 조황~!! 카이져호 2025.03.25 35
89132 태창호 볼락 시알급 조황 수요일 오후6시30분 출조모집 태창호 2025.03.25 38
89131 포항야간볼라콰 주간도다리 예약시작합니다 스파르타호 2025.03.25 28
89130 포항 피문어 전문선사 빈스호 대왕피문어 조황 ! ♡ 빈스호(포항) 2025.03.25 60
89129 03.23 모이라호 대구 조황입니다! file 모이라호 2025.03.25 63
89128 왕도다리.왕참가자미~목12시출항 예약중 킹덤호 2025.03.25 30
89127 도다리 가자미 폭팔!! 주워담는 고오급! 낚시 대양호선장 2025.03.25 55
89126 포항권 도다리 수요일 출조 예약중입니다 기상좋을듯해요 포항시프랜드호 2025.03.25 24
89125 왕볼락 쿵쾅 밤의괴물들! 3/24( 수 목 금 토 일 )저녁7시출발 대양호선장 2025.03.25 48
89124 24일]미르호 왕대구 포항미르호 2025.03.25 70
89123 강릉뉴한일호 3월24일 피문어 조황입니다 한일호 2025.03.25 59
89122 >> 참가자미&도다리 호조황~!(수목 오전8시) 포항포시즌호 2025.03.25 29
89121 >> 야간 볼락&열기 쿨러조황~!(수목 오후5시) 포항포시즌호 2025.03.25 35
89120 성복호 내일 왕대구 출조 예약받습니다 공현진비너스&성복호 2025.03.25 64
89119 21인승 비너스호 내일 어구가자미 출조 예약받습니다 공현진비너스&성복호 2025.03.25 65
89118 26 수요일 도다리 참가자미 모집중 카이져호 2025.03.25 34
89117 포항도다리 씨알급과마리수로 수.목 8시출조 포항시프랜드호 2025.03.25 30
89116 인생고기 추가 대박조황과 함께 4월 5월 피문어낚시도 미리예약 하셔요 file 양양대선단 2025.03.24 76
89115 대구라바조황 강릉도로시호 2025.03.24 62
89114 24일 월요일 문어 대구조황입니다. 뉴아레나호 2025.03.24 86
89113 아 피문어 오늘 좀 재밌었어요 ㅎㅎㅎ 가시쥬! 피문어 잡으러 강릉낚시배사화진호 2025.03.24 77
89112 울진 후포 제이존호 대구 낚시 조황입니다 file 제이존호 2025.03.24 113
89111 공현진 22인승 창명호창명낚시마트 어구가자미 풍어 창명낚시마트 2025.03.24 162
89110 묵호항 대구 묵호항쌈바호 2025.03.24 107
89109 황열기 돌아 오다 포세이 2025.03.24 136
89108 성복호 왕대구 타이라바 조황 file 공현진비너스&성복호 2025.03.24 107
89107 03.22 모이라호 대문어 조황입니다~! file 모이라호 2025.03.24 73
89106 임원항 #경주호#대구#황열기#다잡아 조황입니다 임원항경주호 2025.03.24 130
89105 대구라바 레인저호 레인저호 2025.03.24 67
89104 23/일 야간 문어 감포씨스타호 2025.03.24 35
89103 22인승 돌핀호 / 어구가자미 낚시 조황입니다 file 공현진낚시마트 2025.03.24 117
89102 황열기 임원항 황금마차호 황금마차호 2025.03.24 101
89101 24조황>>쏟아진 참가자미&도다리 조황~(화수 오전8시) 포항포시즌호 2025.03.24 53
89100 임원항드래곤호 왕대구 조황입니다 드래곤호임원항 2025.03.24 114
89099 실시간 봄도다리 싸이즈가 커요~바다날씨 잘잘한 3/25.화.오전8시 도다리선상 출항~ 제우스-신항만버스낚시 2025.03.24 54
89098 강릉뉴한일호 3월23일 피문어 조황입니다 한일호 2025.03.24 101
89097 포항야간볼락 오늘월요일오후6시팀 출조잡혀있습니다 모집중 스파르타호 2025.03.24 51
89096 대박호 황열기 대박조황입니다 속초대박피싱 2025.03.24 111
89095 강릉 뉴한일호 3월22일 피문어 조황입니다 한일호 2025.03.24 71
89094 임원항 금성호 황열기 조황 금성호 2025.03.24 75
89093 24일)오전 참가자미 도다리 조황 카이져호 2025.03.24 36
89092 23조황>> 야간볼락&열기 쿨러조황~(수목 예약중) 포항포시즌호 2025.03.24 28
89091 3-24(현상황)41왕도다리40왕참가자미~수8시 예약중 킹덤호 2025.03.24 25
89090 3.22일 가자미체험낚시 조항사진! 꽝없이 엄청잘나옵니다!! 가자미커요~ 1인3만원 몸만오세요~ 갈매기배낚시 2025.03.24 42
89089 동시에 줄타는 열기, 우럭(화,수,목~ 모집) 읍천테크호 2025.03.24 35
89088 23일 야간 볼락 타작 조황!! 금일 정상 출항 모집중 입니다. 라이징호 2025.03.24 38
89087 24일 오전 왕짜,대짜 대물가자미 마리수 폭발 굿 포항뉴스피드호 2025.03.24 64
89086 《23일최종! 막잡아 참가자미&왕도다리! 덤으로 쭈꾸미》 태창호막내선장 2025.03.24 36
89085 태창2호 화요일 화요일 오전5시 볼락 출조모집 태창호 2025.03.24 26
89084 동해안 봄도다리 참가자미 조황 영덕(강구)체험낚시 신신호 250323 신신호 2025.03.24 48
89083 23일 야간한치볼락열기 조황,오늘출항 구룡포뉴해마호 2025.03.24 47
89082 대구조황입니다 임원항임원낚시 2025.03.24 106
89081 대박호 황열기 실시간조황 속초대박피싱 2025.03.24 96
89080 현재 영일만항은 잔잔하고~봄도다리는 숭덩숭덩 잘 올라오고~3/25.화.오전8시 출항~ 제우스-신항만버스낚시 2025.03.24 44
» 3.23(일)오후!!이야 도다리 참가자미~ 사이즈 쥑이네!!화 오전9시 예약중 신항만Z제트호 2025.03.24 31
89078 23일)오후 도다리 참가자미 조황 카이져호 2025.03.24 51
89077 새벽볼락 쿵쾅! 실시간 뉴대양호 (월욜 야간반모집중) 대양호선장 2025.03.24 44
89076 3/23 밤볼락 쿵쾅! 실시간(월욜 밤볼락예약중) 대양호선장 2025.03.24 34
89075 3.22~23 주말포항권 도다리 조황은 땡큐 포항시프랜드호 2025.03.24 34
목록
Board Pagination Prev 1 ... 98 99 100 101 102 103 104 105 106 107 ... 1588 Next
/ 1588