한국어
찌낚시조황

- 배너를 클릭하면 해당 출조점의 홈페이지가 열립니다

확률 높은 오전타임 집중 공략~!!
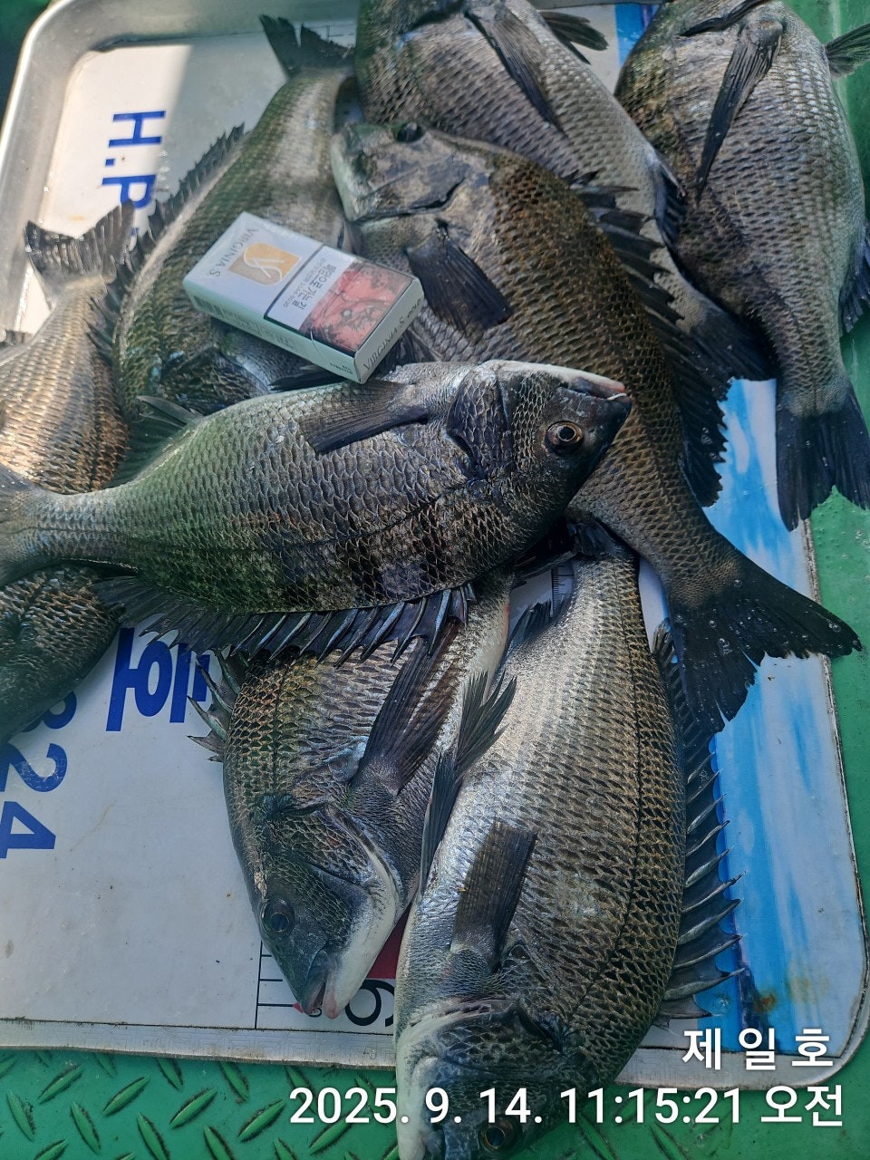
14일(일요일) 거제도 감성돔 선상낚시 청곡항 출발, "제일호" (철수)핫조황입니다.
※ 53Cm이상 감성돔 포획시 AJIKA(아지카)라인에서 사은품 증정!!!
※ 제일호는 확률 높은 오전 타임 전문 출조합니다~

☆ 15일(월요일) 거제권 감성돔 오전낚시 "예약가능"
(감성돔) 여기다~마릿수 구덩이 45~38Cm 타작!!
추석 제수고기 내만권 핫 포인트 직항~!!
  • 사용자가 올린 이미지

청곡항 출발 제일호입니다.
내만권 상당한 개체수의 감성돔들이 진입한 듯 준수한 씨알의
감성돔들로 확률 높은 오전 타임 마릿수 손맛 즐길 수 있었습니다.
38~45Cm까지 가을 치고는 상당히 좋은 씨알들로 마릿수를 채웠고
녀석들의 막강한 파워에 팅팅 터지는 녀석들도 있었습니다.
올해는 초반부터 좋은 씨알의 감성돔들이 비치니 원줄 목줄 튼튼하게
준비하셔야 할 듯 합니다. 내일도 달립니다 연락주십시오~

당분간, 거제도 감성돔낚시는 오전낚시에 대부분, 입질을 받을 수 있는 시기
빠른 진입, 빠른 철수, 효율적인 오전 감성돔낚시를 진행하겠습니다.

15일(월요일) 거제 내만권 감성돔 흘림낚시 오전 출조 예약 가능합니다~
오늘도 거제 제일호와 함께해주신 조사님들 수고 많으셨습니다.

※감성돔 선상 흘림낚시 출조 시간 안내
- 제일호는 가장 확율 높은 오전 타임 출조를 진행하고, 오전(8만원)으로 운영.

제일호 감성돔낚시 일정 ▣ 평수지역 포인트(기상 영향 적은 곳)
☆15일(월요일) 오전낚시 거제 핫포인트 감성돔낚시 "예약가능
☆16일(화요일) 오전낚시 거제 핫포인트 감성돔낚시 "예약가능
☆17일(수요일) 오전낚시 거제 핫포인트 감성돔낚시 "예약가능
☆18일(목요일) 오전낚시 거제 핫포인트 감성돔낚시 "예약가능
☆19일(금요일) 오전낚시 거제 핫포인트 감성돔낚시 "예약가능
☆20일(토요일) 오전낚시 거제 핫포인트 감성돔낚시 "예약가능
※ 기상 변화 시 낚시에도 문제가 없는 거제 내만권 감성돔낚시입니다.

▣ 제일호 ☎ 010-2522-6324
▣ 밴드 : band.us/@jaeilho
(선착장) 거제시 사등면 청곡리 18-6번지 청곡방파제
  • 사용자가 올린 이미지
  • 사용자가 올린 이미지
  • 사용자가 올린 이미지
  • 사용자가 올린 이미지
  • 사용자가 올린 이미지
  • 사용자가 올린 이미지
  • 사용자가 올린 이미지
  • 사용자가 올린 이미지
▩ 감성돔낚시 출조시간 및 선비 안내 ▩
(평일/주말 종일낚시) 05:30 ~ 11시경 철수, 8만원
- 감성돔낚시 독배 예약 문의 (협의 가능).
※ 기상 변화 시 낚시에는 문제가 없는 거제 내만권 감성돔낚시입니다.

<제일호 이용시 유의 사항>
- 신분증은 필히 지참해야 하며, 음주행위는 법으로 금지.- 구명조끼는필수 지참

▣ 제일호 ☎ 010-2522-6324
▣ 밴드 : band.us/@jaeilho
(선착장) 거제시 사등면 청곡리 518-6번지 청곡방파제
- 예약계좌 (수협) 731 62 030701 이성창
  • 사용자가 올린 이미지

List of Articles
번호 제목 글쓴이 날짜 조회 수
공지 (제목에 실시간* 표기된) 조황은 실시간게시판으로 이동 또는 삭제됩니다 secret 어부지리 2020.09.21 189
25678 내만권 감성돔 5짜,4짜 마릿수 조황....(덴마) file 통영나룻터낚시 2025.09.15 21
25677 (흘림)5짜 참돔 외 大전갱이 폭격~와라락 화끈한 입질~신성호(16일 출동) 신성피싱 2025.09.15 20
25676 (다대포)참돔 군단 입성~폭군 부시리까지 난리법석~용진호(16일 예약) 부산용진호 2025.09.15 17
25675 (감성돔)화끈한 찌맛 대물 1방 팅~벵에돔까지~젠틀호(16일 예약) 거제젠틀호 2025.09.15 16
25674 (감성돔)괴물이 산다 4방 총쏘고 4짜 3짜 체포~거제대어낚시(16일 예약) 거제대어낚시 2025.09.15 20
25673 (감성돔)터지고 빠지고 피딩~중치급 마릿수 손맛~대양호(16일 예약) 대양호통영 2025.09.15 15
25672 (오전낚시)감성돔 조황 중치급들 당찬 손맛~가고파호(16일 예약) 거제가고파호 2025.09.15 17
25671 (감성돔)4짜 중반~3짜 후반 평균 씨알 끝내주네요~제일호(16일 예약) 거제제일호 2025.09.15 15
25670 ((경남고성 주인호))주인호 월요일 감성돔 조황~화요일예약가능!! file 주인피싱 2025.09.15 17
25669 고성드래곤 어초 여밭 감시흘림 계속마릿수 자리여유 file 고성드래곤피싱 2025.09.15 18
25668 (감성돔)막 쏟아집니다~4짜3짜 마릿수 타작~대양호(야간 팁런 예약) 대양호통영 2025.09.15 19
25667 유촌 형만레저 선외기 문어 감성돔 흘림 마리수 조황입니다 형만호(형만레저) 2025.09.14 22
25666 (곤리 풍화)궁항레저 문어&무늬오징어&감성돔 조황입니다 궁항레져 2025.09.14 12
25665 선외기(감성돔) 4짜급부터 돌문어들 주렁주렁~대어 선외기(15일 예약) 1 거제대어선외기 2025.09.14 30
25664 감성돔 벵에돔 (어장어초여밭) 불감당 1방 팅~젠틀호(15일 예약) 거제젠틀호 2025.09.14 17
25663 (감성돔)5짜 외 4짜 포인트 점령~굵은 참돔까지~거제대어낚시(15일 예약) 거제대어낚시 2025.09.14 17
25662 (감성돔)4짜3짜 타작~제대로 붙었다 초대박~대양호(주간 감성돔 야간 팁런) 대양호통영 2025.09.14 22
» (감성돔)여기다 38~45Cm까지 씨알 좋고 마릿수 좋고~제일호(15일 예약) 거제제일호 2025.09.14 11
25660 (감성돔)대물터 직항~터지고 빠지고 4짜 오버 속출~가고파호(15일 예약) 거제가고파호 2025.09.14 16
25659 ((경남고성 주인호))주인호 일요일 감성돔 마릿수 조황~월요일예약가능!! file 주인피싱 2025.09.14 16
25658 (다대포)추석 준비는 용진호에서~참돔 부시리 쫙~깔았네요(15일 예약 부산용진호 2025.09.14 14
25657 (해금강권)너울 속 참돔 大전갱이 와라락~화끈한 입질~신성호(15일 출동) 신성피싱 2025.09.14 10
25656 고성드래곤 어초 여밭 감시흘림 계속 마릿수 조황 file 고성드래곤피싱 2025.09.13 24
25655 계속되는 내만권 굵은 감성돔 외 마릿수 조황...(덴마) file 통영나룻터낚시 2025.09.13 21
25654 (감성돔)대물의 습격~5짜4짜 우당탕탕 핫조황~대양호(14일 예약 중) 대양호통영 2025.09.13 25
25653 (감성돔)두 분 4짜 외 씨알급들 마릿수 손맛~대동낚시(14일 감성돔 출동) 대동낚시 2025.09.13 17
25652 대물들 팅~ 힘좋은 감성돔들 손맛!!! 내일 예약중!!! 1 file 거제최강피싱 2025.09.13 26
25651 (감성돔)꾸준한 조황 1명 4짜급 외 3짜 타작완료~제일호(14일 예약) 거제제일호 2025.09.13 21
25650 (감성돔)대물 속출~4짜들 외 마릿수 끝장 손맛~가고파호(15일 예약) 거제가고파호 2025.09.13 14
25649 유촌 형만레저 선외기 문어.시즌시작.감성돔 1인흘림100수~~^^ 월요일부터여유 형만호(형만레저) 2025.09.12 27
25648 (감성돔)터지는 마릿수 대물~중치급까지 다양한 손맛~대어선외기(15일 예약) 거제대어선외기 2025.09.12 20
25647 (감성돔)가을 시즌 돌입 중치급들 당찬 손맛~대양호(14일 출항 확정) 대양호통영 2025.09.12 19
25646 (감성돔)오전 타임 출조 1명 4짜급외 3짜 마릿수 손맛~제일호(14일 예약) 거제제일호 2025.09.12 16
25645 (감성돔)4짜4짜4짜 외 마릿수 손맛 일품~꾸준한 조황 가고파호(15일 예약) 거제가고파호 2025.09.12 13
25644 고성드래곤 어초 감시 흘림 35외 마릿수 토 자리여유 file 고성드래곤피싱 2025.09.12 15
25643 ((경남고성 주인호))주인호 금요일 감성돔 조황~~ file 주인피싱 2025.09.12 14
25642 내만권 감성돔 45 외 마릿수 조황...(덴마) file 통영나룻터낚시 2025.09.12 17
25641 (감성돔)복수전 예약 中~8방 팅 4짜3짜 손맛 거제대어낚시(14일 예약) 거제대어낚시 2025.09.12 19
25640 (감성돔)어제 4방 오늘 6방 대물들 터지고 4짜3짜 핫조황~선외기(12일 예약) 거제대어선외기 2025.09.11 13
25639 ((경남고성 주인호))주인호 목요일 감성돔 마릿수조황~~ file 주인피싱 2025.09.11 18
목록
Board Pagination Prev 1 2 3 4 5 6 7 8 9 10 ... 647 Next
/ 647