한국어
찌낚시조황

- 배너를 클릭하면 해당 출조점의 홈페이지가 열립니다

자연어초 감성돔 사냥 고고씽~!!
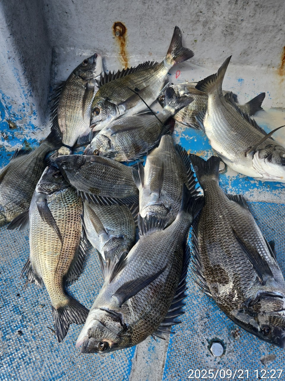
21일(일요일) 욕지권 자연어초 감성돔 흘림낚시 "고성베이호" (철수)조황입니다.
※ 참돔 68Cm 아지카라인 이벤트, 카고 절대 사절~자연 어초여밭 흘림낚시!!!

10월 1일(수) 06시 출발, 자연어초 감성돔낚시 "예약가능"
(흘림) 가을 감성돔 마릿수 진입 확인~굵은 놈들 손맛!!
가을 바다의 주인공 감성돔 시즌이 시작됩니다~!!
  • 사용자가 올린 이미지

자연 어초 대물 사냥 전문 고성 베이호 입니다.
가을 바다의 주인공 감성돔들이 자연어초권으로 본격 진입하며
화끈한 손맛을 선사하고 있습니다. 활발한 먹이 활동을 하는 시기
답게 시원한 입질의 연속이였고, 특유의 꾹~꾹~ 처박는 손맛에
조사님들 손길이 바빠집니다. 제법 많은 개체수가 진입한 듯
꾸준한 입질을 받아낼 수 있었고 터지고 빠지는 녀석들도 있었지만
전원 마릿수 손맛 즐기고 마무리 했습니다.
몇 일간 선박 정비로 출항을 못했고 10월 1일부터 쭉~ 자연어초권
씨알급 감성돔을 대상으로 출조합니다. 예약 가능합니다~

10월 1일(수요일) 고성출발, 남해권 자연어초 감성돔낚시 직항합니다.
오늘도 고성 베이호와 함께해주신 조사님들 수고 많으셨습니다.

▣ 고성베이호 자연 어초 여밭 흘림낚시 출조 일정 ▣
★10월 1일(수) 2물, 자연어초 대물 감성돔낚시 "예약가능"
★10월 2일(목) 3물, 자연어초 대물 감성돔낚시 "예약가능"
★10월 3일(금) 4물, 자연어초 대물 감성돔낚시 "예약가능"
★10월 4일(토) 5물, 자연어초 대물 감성돔낚시 "예약가능"
★10월 5일(일) 6물, 자연어초 대물 감성돔낚시 "예약가능"
★10월 6일(월) 7물, 자연어초 대물 감성돔낚시 "예약가능"
※주중, 주말 예약 가능합니다.

■ 고성 베이호 ☎010 4596 1782
■ 출항지 : 고성군 삼산면 두포리177-16 블루웨일 글램핑內
■ 밴드 : https://band.us/@bayho
  • 사용자가 올린 이미지
  • 사용자가 올린 이미지
  • 사용자가 올린 이미지
(20일 조황 첨부합니다~)
  • 사용자가 올린 이미지
  • 사용자가 올린 이미지
  • 사용자가 올린 이미지
▣감성돔 참돔낚시 자연어초 여밭포인트 공략 ▣
1) (출항) 오전 6시 출발, 오후 2시경 (유동적)
2) 출조지역: 사량도(추도권)
원도권역 : 욕지도, 좌사리도, 갈도권
3) 밑밥, 미끼, 도시락 제공
- 커피, 생수,음료 등은 상시 비치되어 있습니다.

▣ 아지카(AJIKA)라인 특별시상 ▣
- 낚시줄회사 아지카(AJIKA)라인에서 감성돔 55Cm이상
최상급라인 "구레스페셜"원줄 증정(배송비 무료)합니다.

■ 고성 베이호 ☎010 4598 1782
■ 출항지 : 고성군 삼산면 두포리177-16 블루웨일 글램핑內
■ 밴드 : https://band.us/@bayho
■블로그 : https://blog.naver.com/bayfishing
  • 사용자가 올린 이미지


List of Articles
번호 제목 글쓴이 날짜 조회 수
공지 (제목에 실시간* 표기된) 조황은 실시간게시판으로 이동 또는 삭제됩니다 secret 어부지리 2020.09.21 189
25863 가조도권!!!감성돔덴마..마릿수!!예약가능 newfile 가조도영웅선외기뎃마 2025.10.02 3
25862 (동영상) 당찬 손맛! 그러나 다 놓친다! new 빅토리정 2025.10.02 1
25861 (감성돔)초대박 1타1피 3명 4짜 3짜 싹쓰리~대양호(2일 예약) new 대양호통영 2025.10.01 11
25860 (감성돔)대물 습격 4방 터주고 4짜 3짜들 HIT~젠틀호(추석 예약 가능) new 거제젠틀호 2025.10.01 5
25859 (감성돔) 가을 시즌 활성도 UP~중치급들 손맛 가고파호(2일 예약) new 거제가고파호 2025.10.01 5
25858 내만권 감성돔 외 학꽁치 쿨러 조황...(덴마) newfile 통영나룻터낚시 2025.10.01 5
25857 (본류)참돔떼 부시리떼 손맛 충전 끝~퍼 붓네요~야호(2일 예약) new 거제야호 2025.10.01 6
25856 (감성돔)2방 팅~1명 자연어초 중치급들 당찬 손맛~베이호(2일 예약) new 고성베이호 2025.10.01 5
25855 (초대박)2명 20방 팅~4짜 전후 참돔 외 부시리~거제대어낚시(2일 예약) new 거제대어낚시 2025.10.01 1
25854 (다대포)대상어 천국~참돔 부시리 타작~돌돔은 덤 용진호(2일 예약) new 부산용진호 2025.10.01 7
25853 내일(목)감성돔출조(예약가능)합니다 new 여수감성피싱 2025.10.01 1
25852 (감성돔)가성비 최고 오전낚시 마릿수 굿굿~제일호(2일 예약) new 거제제일호 2025.10.01 1
25851 (참돔)꾸준한 마릿수 5짜4짜3짜 외 大전갱이 손맛~신성호(2일 출동) new 신성피싱 2025.10.01 2
25850 고성드래곤 감성돔 흘림 출조 목욜 자리여유 newfile 고성드래곤피싱 2025.10.01 1
25849 10월2일 가을감성돔출조합니다 (예약가능) 여수감성피싱 2025.10.01 4
25848 유촌 형만레저 선외기 감성돔 문어 마리수 조황입니다 형만호(형만레저) 2025.09.30 1
25847 내만권 감성돔 조황입니다....(덴마) file 통영나룻터낚시 2025.09.30 3
25846 (선외기)감성돔 마릿수 행진~4방 팅 4짜 4짜급 핫조황~(1일 예약) 거제대어선외기 2025.09.30 6
25845 (감성돔)힘이 장사~4짜 4짜급들 속출~퍽 퍽 하네요 거제대어낚시(1일 예약) 거제대어낚시 2025.09.30 10
25844 (감성돔) HOT포인트 4짜 외 중치급들 입질 폭격~가고파호(1일 예약) 거제가고파호 2025.09.30 3
25843 (감성돔)아침 피딩 4짜급 덩치들 마릿수 HIT~제일호(1일 예약) 거제제일호 2025.09.30 1
25842 (본류 흘림)참돔 4짜 3짜들 외 부시리 줄맛 손맛 대만족~야호(1일 예약) 거제야호 2025.09.30 4
25841 (다대포)대박행진~참돔떼 포인트 장악~쏟아집니다 용진호(1일 예약) 부산용진호 2025.09.30 7
25840 (참돔)해금강권 6짜 5짜 외 중치급들 핫조황~신성호(1일 출동) 신성피싱 2025.09.30 3
25839 고성드래곤 여밭 어장 가을 감시 34외 마릿수 file 고성드래곤피싱 2025.09.30 2
25838 가조도권!!!감성돔덴마..마릿수!!예약가능 file 가조도영웅선외기뎃마 2025.09.30 8
25837 감시흘림 친구랑 아침 잠깐 30수 통영명인낚시 2025.09.30 9
25836 (동영상) 몸살나는 손맛! 부시리.참돔낚시! 이제 시작이다. 빅토리정 2025.09.30 5
25835 (선외기)감성돔 마릿수 행진~4방 팅 4짜 4짜급 핫조황~(1일 예약) 거제대어선외기 2025.09.30 7
25834 (감성돔)힘이 장사~4짜 4짜급들 속출~퍽 퍽 하네요 거제대어낚시(1일 예약) 거제대어낚시 2025.09.30 5
25833 여수감성피싱마릿수감성돔조황입니다 여수감성피싱 2025.09.30 3
» (감성돔)자연어초 씨알급들 진입~찌맛 손맛 대만족~베이호(1일 예약) 고성베이호 2025.09.30 4
25831 (감성돔)끝장 손맛 4방 팅 팅 4짜3짜 이만큼~젠틀호(1일 예약) 거제젠틀호 2025.09.30 3
25830 유촌 형만레저 선외기 감성돔 조황입니다 형만호(형만레저) 2025.09.29 9
25829 (감성돔)당찬 손맛~4짜 외 중치급들 이만큼~가고파호(1일 예약) 거제가고파호 2025.09.29 9
25828 (선외기)감성돔 소식 4방 팅~4짜4짜 외 4짜급들 다수~(30일 예약) 거제대어선외기 2025.09.29 8
25827 (감성돔)어초 여밭 어장 전역 4짜 외 4짜급 속출~거제대어낚시(30일 예약) 거제대어낚시 2025.09.29 10
25826 (초대박)감성돔 터졌다~3명 4짜 3짜 마릿수 폭팔~대양호(29일 예약) 대양호통영 2025.09.29 11
25825 가조도권!!!감성돔덴마..마릿수!!예약가능 file 가조도영웅선외기뎃마 2025.09.29 11
25824 (다대포)대물 진입~참돔 떼 6짜 5짜 4짜 마릿수 끝장~용진호(30일 예약) 부산용진호 2025.09.29 10
목록
Board Pagination Prev 1 2 3 4 5 6 7 8 9 10 ... 647 Next
/ 647