한국어
찌낚시조황

- 배너를 클릭하면 해당 출조점의 홈페이지가 열립니다

1일(수요일) 욕지권 자연어초 감성돔 흘림낚시 "고성베이호" (철수)조황입니다.
※ 참돔 68Cm 아지카라인 이벤트, 카고 절대 사절~자연 어초여밭 흘림낚시!!!

3일(금) 06시 출발, 자연어초 감성돔낚시 "예약가능"
(감성돔)1명 자연어초권 중치급들 마릿수 HIT~
추석 연휴 쭉~ 예약 가능 자연어초권 매일 진입합니다~
  • 사용자가 올린 이미지

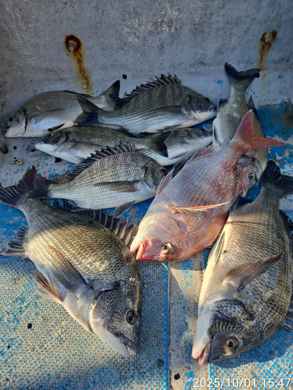
자연 어초 대물 사냥 전문 고성 베이호 입니다.
김문수 프로님과 자연어초권 감성돔 흘림낚시를 위해 진입했고
꾸준히 들어간 밑밥에 따박 따박 중치급들이 반응을 보이며 찐한
손맛 즐길 수 있었습니다 중간중간 대형급의 입질에 두어방 터트리고
중치급 감성돔과 참돔으로 당찬 손맛 즐기고 안전하게 마무리 합니다.
자연어초권 감성돔 무리가 제법 들어와 있는 듯 하니 함께하실 분들
연락주십시오 내일부터 쭉~ 예약 가능합니다.

3일(금요일) 고성출발, 남해권 자연어초 감성돔낚시 직항합니다.
오늘도 고성 베이호와 함께해주신 조사님들 수고 많으셨습니다.

▣ 고성베이호 자연 어초 여밭 흘림낚시 출조 일정 ▣
★10월 3일(금) 4물, 자연어초 대물 감성돔낚시 "예약가능"
★10월 4일(토) 5물, 자연어초 대물 감성돔낚시 "예약가능"
★10월 5일(일) 6물, 자연어초 대물 감성돔낚시 "예약가능"
★10월 6일(월) 7물, 자연어초 대물 감성돔낚시 "예약가능"
※주중, 주말 예약 가능합니다.

■ 고성 베이호 ☎010 4596 1782
■ 출항지 : 고성군 삼산면 두포리177-16 블루웨일 글램핑內
■ 밴드 : https://band.us/@bayho
  • 사용자가 올린 이미지
감성돔 참돔낚시 자연어초 여밭포인트 공략 ▣
1) (출항) 오전 6시 출발, 오후 2시경 (유동적)
2) 출조지역: 사량도(추도권)
원도권역 : 욕지도, 좌사리도, 갈도권
3) 밑밥, 미끼, 도시락 제공
- 커피, 생수,음료 등은 상시 비치되어 있습니다.

▣ 아지카(AJIKA)라인 특별시상 ▣
- 낚시줄회사 아지카(AJIKA)라인에서 감성돔 55Cm이상
최상급라인 "구레스페셜"원줄 증정(배송비 무료)합니다.

■ 고성 베이호 ☎010 4598 1782
■ 출항지 : 고성군 삼산면 두포리177-16 블루웨일 글램핑內
■ 밴드 : https://band.us/@bayho
■블로그 : https://blog.naver.com/bayfishing
  • 사용자가 올린 이미지

List of Articles
번호 제목 글쓴이 날짜 조회 수
공지 (제목에 실시간* 표기된) 조황은 실시간게시판으로 이동 또는 삭제됩니다 secret 어부지리 2020.09.21 189
25891 내만권 감성돔,돌돔,학꽁치 마릿수 조황....(덴마) newfile 통영나룻터낚시 2025.10.06 7
25890 가조도권!!!감성돔덴마..마릿수!!예약가능 newfile 가조도영웅선외기뎃마 2025.10.06 7
25889 10월4일.5일 마릿수감성돔조황입니다 여수감성피싱 2025.10.05 12
25888 가조도권!!!감성돔덴마..마릿수!!예약가능 file 가조도영웅선외기뎃마 2025.10.05 9
25887 [동영상] 손맛의 최고는 oo 낚시가 최고! (내일10/06월) 긴급 출조합니다. 빅토리정 2025.10.05 7
25886 감성돔 좋아요~^^ 1인자 2025.10.04 14
25885 (어초여밭)중치급 참돔떼 외 4대돔 핫조황~야호(5일 예약) 거제야호 2025.10.04 12
25884 (어초여밭)감성돔 45Cm 빅원 외 4짜급들 HIT~거제대어낚시(5일 예약) 거제대어낚시 2025.10.04 10
25883 고성드래곤 감성돔 흘림 조황 자리여유 file 고성드래곤피싱 2025.10.04 7
25882 가조도권!!!감성돔덴마..마릿수!!예약가능 file 가조도영웅선외기뎃마 2025.10.04 5
25881 풍요로운 한가위 도시길 기원합니다 여수어촌호 2025.10.04 5
25880 (다대포)참돔떼 초대박 행진 담고 담고 퍼 담네요~용진호(5일 예약) 부산용진호 2025.10.04 7
25879 (감성돔)쭉 쭉~4짜4짜4짜 외 3짜 3명 타작조황~대양호(5일 예약) 대양호통영 2025.10.04 4
25878 유촌 형만레저 선외기 어제 감성돔 문어 마리수 형만호(형만레저) 2025.10.03 12
25877 내만권 감성돔 마릿수 조황입니다....(덴마) file 통영나룻터낚시 2025.10.03 12
25876 가조도권!!!감성돔덴마..마릿수!!예약가능 file 가조도영웅선외기뎃마 2025.10.03 10
25875 (흘림)쉴 틈 없네요 참돔 부시리 다랑어 난리법석~야호(4일 예약) 거제야호 2025.10.03 9
25874 (감성돔)1명 대물 2방 총쏘고 중치급들 마릿수 손맛~베이호(4일 예약) 고성베이호 2025.10.03 9
25873 (동영상) 쳐 박고! 째고! 터지고! 이것이 손맛이구나! 빅토리정 2025.10.03 14
25872 가조도권!!!감성돔덴마..마릿수!!예약가능 file 가조도영웅선외기뎃마 2025.10.03 10
25871 10월2일가을감성돔마릿수조황입니다 여수감성피싱 2025.10.03 14
25870 (감성돔)어초여밭권 5짜 4짜 HIT~불감당 팅팅~거제대어낚시(4일 예약) 거제대어낚시 2025.10.03 4
25869 (선외기) 키로급 돌문어와 감성돔 굵은놈들 마리수~대어선외기(3일 예약) 거제대어선외기 2025.10.02 7
25868 (흘림)참돔 부시리 다랑어 썩어납니다~1타 1피 타작 야호(3일 예약) 거제야호 2025.10.02 7
25867 (감성돔)5짜 등장 불감당 2방 팅~4짜3짜 합세~거제대어낚시(3일 예약) 거제대어낚시 2025.10.02 7
25866 고성드래곤 어초 감시 흘림 4짜3짜 조황 토욜 자리여유 고성드래곤피싱 2025.10.02 6
25865 (다대포)초대박 참돔떼 전원 타작 쫙 깔았네요~용진호(4일 예약) 부산용진호 2025.10.02 9
» (감성돔)자연어초 불감당 2방 팅~중치급들 확인~베이호(3일 예약) 고성베이호 2025.10.02 8
25863 (참돔)해금강권 물골 씨알급들 외 대전갱이 핫조황 신성호(3일 출동) 신성피싱 2025.10.02 8
25862 가조도권!!!감성돔덴마..마릿수!!예약가능 file 가조도영웅선외기뎃마 2025.10.02 13
25861 (동영상) 당찬 손맛! 그러나 다 놓친다! 빅토리정 2025.10.02 8
25860 (감성돔)초대박 1타1피 3명 4짜 3짜 싹쓰리~대양호(2일 예약) 대양호통영 2025.10.01 15
25859 (감성돔)대물 습격 4방 터주고 4짜 3짜들 HIT~젠틀호(추석 예약 가능) 거제젠틀호 2025.10.01 12
25858 (감성돔) 가을 시즌 활성도 UP~중치급들 손맛 가고파호(2일 예약) 거제가고파호 2025.10.01 9
25857 내만권 감성돔 외 학꽁치 쿨러 조황...(덴마) file 통영나룻터낚시 2025.10.01 17
25856 (본류)참돔떼 부시리떼 손맛 충전 끝~퍼 붓네요~야호(2일 예약) 거제야호 2025.10.01 11
25855 (감성돔)2방 팅~1명 자연어초 중치급들 당찬 손맛~베이호(2일 예약) 고성베이호 2025.10.01 8
25854 (초대박)2명 20방 팅~4짜 전후 참돔 외 부시리~거제대어낚시(2일 예약) 거제대어낚시 2025.10.01 5
25853 (다대포)대상어 천국~참돔 부시리 타작~돌돔은 덤 용진호(2일 예약) 부산용진호 2025.10.01 11
25852 내일(목)감성돔출조(예약가능)합니다 여수감성피싱 2025.10.01 10
목록
Board Pagination Prev 1 2 3 4 5 6 7 8 9 10 ... 648 Next
/ 648