








소수인원 시원시원한 손맛보고 입항합니다
정말 잘 나와줍니다 뒷 줄 살짝 견제하시면 물어주는 패턴입니다 3분 조황입니다
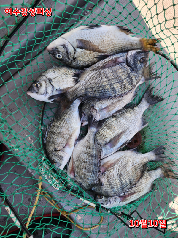
10월10일 가을 마릿수감성돔 조황입니다 수온이 떨어지면서 중치급감성돔과 간혹 대물출현에 버티지도 못하고 목줄 터지는 입질이 들어오는 시기입니다 채비 단단히 하셔서 손맛 보셔야 할때입니다
가을 마릿수감성돔과 돌문어낚시 매일 출조중입니다
참돔 감성돔 ■ 문어 ■쭈꾸미 ■갑오징어 ■ 참돔 ■ 붉바리 농어외■수질)
■선상낚시출조전문 감성피싱입니다.
정원은 선장포함 9명 3톤입니다.
다양한 어종으로 출조하오니 언제든지 문의주세요
※※※ 예약현황 ※※※
10월11일(토)개인예약완료
10월12일(일)5분예약가능
10월13일(월)예약가능
10월14일(화)예약가능
■감성돔준비물: 1호 낚시대 막대찌(원줄2.5호이상) 1.5호막대찌이상
반달멈춤고무 순간수중봉돌 1.5호이상.쿠션고무. 도래.목줄 1.5호. 바늘 3호 좁쌀봉돌(유동적)
■ 출조시간 05시30분~14시30분까지(유동적)
■생활낚시 요금안내][최소 출조인원]
■참돔 : 13만 5인이상
■생활낚시 : 5인이상(문어)
■감성돔:12만(개인인당)
■돌문어낚시 = 8만원(1인)
■쭈꾸미낚시 = 8만원(1인)
■농어 붉바리 외수질 문의
■생활낚시는 인원부족시 출조불가
단: 독배출조가능1~2인(상담)
(출조시간 자율조정)
■선사제공 : 개인 점심도시락(집밥)
커피 음료 생수등
■낚시대대여가능(파손시비용발생)
●예약완료 후 당일 최소 출조인원이다 차지 않는 경우 출항문자 19시 문자드립니다
●참돔(막대찌낚시) = 130,000원
(5인이상)
● 참돔준비물 : 낚시대(1.5이상), 릴(5000번이상), 막대찌(3호이상), 원줄(5호이상), 목줄(3호이상), 낚시바늘(10~12호)
생활낚시독배환영(도다리 쭈꾸미 갑오징 돌문어)독배 상담
[참돔 감성돔 독배 요금 및 안내]
■ 주중 : 4~7명(600,000원) + 1인추가당(50,000)
■ 주말 : 4~7명(650,000원)감성돔
● 독배는 밑밥, 미끼, 식사포함되지 않으며, 별도로 구매가능합니다.
● 생활낚시 또는 감성돔, 참돔으로 구분하여 독배가 가능합니다
[위치안내 및 입금안내]
■ 1~배타는곳
여수시 화정면 화백해안길333(화정면백야리)백야낚시앞
● 2~배타는곳
여수시 화양면 세포당머리길 28-8
(남해수산연구소밑)
● 배타는곳은 주차장 협소로 (전날18시쯤)변동될수 있으니 전날 문자 드립니다
● 신분증 필히 지참부탁드립니다.
●농협(김진우)352-0844-0426-63
[예약문의]
● 선장(김진우)010-5439-4836
(부재시 : 010-9191-1864)
● 선입금하셔야 예약이 완료됩니다.
[취소/환불안내]
●독배예약 후 1일전 취소는 불가~
●독배예약 후 2일전 취소는 50% 환불됩니다.
●독배예약 후 3일전 취소는 전액환불됩니다.
[출조안내]
- 모든 출조 일정은 선장님 결정에 의해 이루어집니다.
- 기상악화시 100% 환불처리 됩니다.
*** 여수 감성피싱 예약 안내 ***
예약문의 : 010-5439-4836

