한국어
(南)남해조황


어부지리바다낚시 내 조황글은 한번만 게시되어야 합니다.
cats_400_80_1.gif

================================================================
================================================================

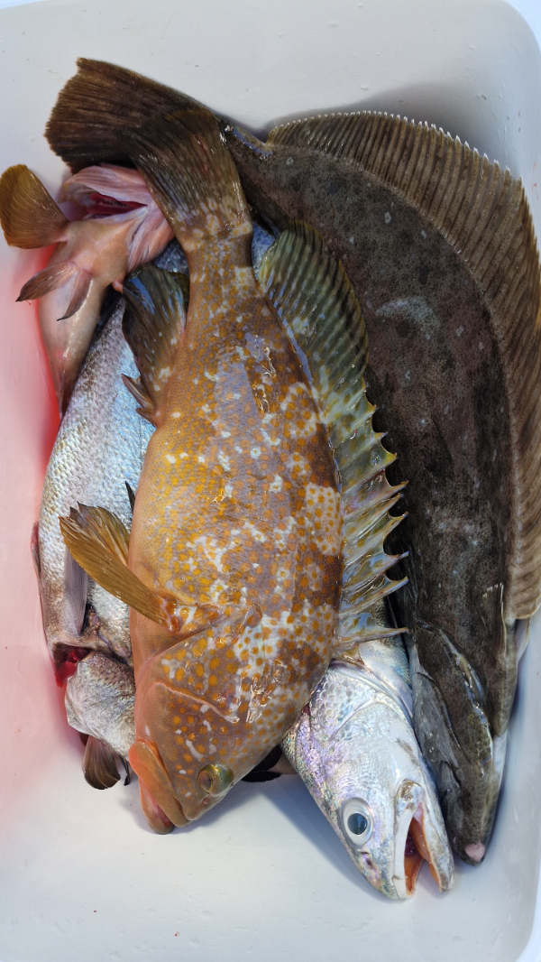
6월29일 붉바리외수질 출조 
출항은했지만 간만의차로
출항도중 2급 저시정 발효 ㅜㅜ
거리제한으로 시간소비했어도
4짜들도 올라와주었네요
물돌이 맞춰서 민어포인트 공략
7짜4짜4짜 민어가 들어와있는걸 확인했습니다
안개 벚어지고 해뜨면? 뜨겁습니다.....
더운날 고생들하셨습니다
#강진붉바리 #강진생활낚시 #외수질낚시 #붉바리외수질 
#따봉호 #골드비너스호
20250629_114233_453_ST.jpg


20250629_114604_129_ST.jpg


20250629_111734_474_ST.jpg


20250629_133546_580_ST.jpg


20250629_152406_866_ST.jpg


20250629_152026_258_ST.jpg


20250629_153732_358_ST.jpg


20250629_152437_524_ST.jpg


20250629_153218_048_ST.jpg


1751189910956.jpg


1751189911078.jpg


1751189911190.jpg


1751189911259.jpg


1751189911336.jpg


1751189911411.jpg
 



*** 강진마량 골드비너스호&따봉호 예약 안내 ***


예약문의 : 010-2221-7411

오시는길 : 전남 강진군 마량면 마량리 983-31 (원형방파제 옆)


모바일.gif 

blank.png3



List of Articles
번호 제목 글쓴이 날짜 조회 수
239775 한치10만원 먹물폭탄!! 주렁주렁~오늘예약가능 진해고고피싱 2025.06.30 13
239774 - 붉바리 HIT - 계속되는 붉바리 호조황 (내일자리여유) 여수(히트호) 2025.06.30 21
239773 야간백조기 꾸욱꾸욱 짜릿한 손맛~!!(오늘예약가능) file 진해왕낚시 2025.06.30 10
239772 7월 문어 예약중!!//자리여유 있어요 여수홍단호 2025.06.30 12
239771 백조기~ 씨알굿~ 손맛굿~ 오늘 30일(월) 오후 6시 무조건 출항~ 황제낚시 가능~ file 진해나래호 2025.06.30 14
239770 찐한해무속,한치,한치만쿨,반쿨(주중선비이벤트중,화요일부터,출항) 삼덕레저호 2025.06.30 10
239769 주간 외수질, 야간볼락털털이 매일출조! 선비할인중! 더블케이호 2025.06.30 11
239768 6분모시고 출조 ~~~현재까지는 엄청잘나옵니다.~~~내일부터 여유자리 여수그랜드맥스호(여수) 2025.06.30 10
239767 ◇토.일요일 민어/붉바리 조황입니다! 여수찰리호매니저 2025.06.30 20
239766 빅게임 잡으러 갑시다~~~~ 퓨리호 2025.06.30 22
239765 와~야간백조기 씨알급들 손맛 끝내주고~!!(오늘 예약중) file 진해라코피싱 2025.06.30 16
239764 강진 마량 뉴썬더호 외수질 조항 강진마량뉴썬더호 2025.06.30 22
239763 한치 해무속 이만~큼 쿨러콱콱( 오늘예약가능 선비10만원 file 진해골드스타2 2025.06.30 13
239762 삼천포 용궁피싱 6월28일~29일 한치조황 용궁호 2025.06.30 11
239761 6월 29일 한치출조 조황입니다 현대마린왔다호 2025.06.30 14
239760 백조기 실시간!!반응 상당히 좋네요ㅡ내일1일(화)출항확정(4만원) 여수추적자호 2025.06.30 14
239759 신조선뉴고니호 한치 피딩피딩 세자릿수 오늘3자리예약가능 평일선비 10만 뉴고니호 2025.06.30 16
239758 ※※※※백조기출동※※※※ 여수드림낚시 2025.06.30 12
239757 한치시대100수이상~화.목 예약가능10만 진해하나피싱 2025.06.30 16
239756 한치 폭발 흔들면뭅니다 굿굿 피닉스호 2025.06.30 14
239755 붉바리 평일8만 이벤트 돌풍호 2025.06.30 16
239754 먼바다 왕한치 6월30일 월요일 조황 거제탑포인트낚시 2025.06.30 16
239753 29일)참돔 타이라바 조황, 방어, 참돔 다수조황 에코피싱호 2025.06.30 7
239752 [VIP통영하나피싱]한치 초초초대박~쿨러만땅 통영하나피싱 2025.06.30 21
239751 뉴 태진호 전원 세자리 외 장윈200수 초초대박 조황!!!!( 오늘 9자리 예약가능)!!! 갈치전문태진호 2025.06.30 25
239750 한치 미친피딩! 초대박!! 터졌다!! 오늘 예약가능~ 거제히어로피싱 2025.06.30 21
239749 6윌 30일 입항 한치 쿨러 조황입니다 진해윤피싱 2025.06.30 16
239748 거제마리너호)쿨러없이떠나는한치낚시~! 오늘자리여유 뉴마리너호 2025.06.30 12
239747 통영유림2호))굿굿굿~한치로 청기.백기~130수이상~오늘도 예약가능 통영유림피싱 2025.06.30 15
239746 <여수청홍낚시>6월30일 입항 여수 먼바다 한치낚시 조황 소식 입니다.(100수오바 다수/오늘(월)16시 출항 4자리여유!!) 여수생활낚시 2025.06.30 20
239745 오늘도 한치피딩 자리여유 통영용진호 2025.06.30 12
239744 뉴새바다 한치 쿨러조황입니다 오늘 예약가능합니다 거제-새바다호 2025.06.30 19
239743 정남진호 6/28.29일 외수질조황 및 주중 출조정보입니다. 정남진레저 2025.06.30 13
239742 야간백조기 씨알굿마리수굿 손맛 짜릿~!!(예약가능) file 진해왕낚시 2025.06.29 20
239741 29일 쏨뱅이 언제나 대박이네요 영심이호 2025.06.29 34
239740 와~29일새벽 야간백조기 씨알좋아~전원 손맛~!!(월,화,수 예약중) file 진해라코피싱 2025.06.29 22
239739 7월 1일 생미끼 외수질 붉바리외 다잡아 출조합니다 사천스피드피싱 2025.06.29 20
239738 29일 외수질 조황~! 수온이 갑자기... 19도 ? 삼천포박프로 2025.06.29 25
239737 ㅁㅁㅁㅁ■붉바리 생미끼 외수질낚시 조황입니다[06월29일] ◎ 해마루호가 뜨는이유? 조황때문이죠 ◎ 핵심포인트: 바로진입.. 바로히트.. ▣ 차원이 다른 조황으로 모십니다 고흥바다낚시114 2025.06.29 32
239736 삼천포 마린보이 붉바리 다잡아 외수질 덩치 대박 마릿수 입항했습니다 ^^ 사천마린보이 2025.06.29 22
239735 [왕한치]해무뚫고피딩~!!장원3자리수!!쭉~예약가능합니다/선비이벤트중 진해매일호 2025.06.29 21
239734 [일~목 선비10만원] 한치&오징어 먹물총알~ 쭉쭉 땡겨요!! [월요일부터 예약가능] 010-7660-2435 file 덕성호 2025.06.29 14
239733 풍화리 선외기의 72, 67 참돔 꼬라박기 조황 풍화수양레저 2025.06.29 8
239732 한치~초대박!최고171마리!마릿수폭발!엄청잡아!선비10만원(월,화,수쭉~예약가능) file 여명피싱 2025.06.29 32
» 6월 29일 강진마량 따봉호 붉바리외수질 마량따봉호 2025.06.29 23
239730 [여수뉴킹덤] 6월29일 금어기전 갈치 입항 조황! !!!! 7월부터는 한치로 나갑니다 믿고와주십시요 01023004931 여수킹덤호 2025.06.29 14
239729 참돔꼬라박기 오늘도 변함없이 마릿수 금바다피싱 2025.06.29 13
239728 [여수 젠틀호] #외수질 주말 민어,광어,농어 조황입니다. 젠틀호 2025.06.29 22
239727 한치가90% 버글버글 퍼담고, 평일10만,월,화,수,목,금,토,일,쭉예약가능 file 진해대성낚시 2025.06.29 19
239726 [고흥 바다루호] 6월29일 외수질 조황입니다. 고흥바다루호 2025.06.29 26
239725 주말 민어 굿조황~ 1고흥녹동장보고호1 2025.06.29 28
239724 여수헌터호 내일 월요일 민어 붉바리 선비이벤트 자리남았습니다!! 여수헌터호 2025.06.29 18
239723 25.06.29 날씨야 암만 더워바라 우린 참돔 간다 양으로 승부합니다 대성호캡틴 2025.06.29 11
239722 고성드래곤 감성돔 흘림 마릿수 자리여유 file 고성드래곤피싱 2025.06.29 9
239721 29일 외수질9분조황입니다 판혁 2025.06.29 22
239720 참돔꼬라박기 통영해피레저민박 2025.06.29 6
239719 <여수 청홍낚시>6월29일 주말 여수 내만권 백조기 낚시 조황 소식 입니다.(내일(월)자리여유) 여수생활낚시 2025.06.29 12
239718 27일 생외수질낚시 다녀왔습니다 약산트윈스 2025.06.29 12
239717 [통영 풍화리 선외기 태성레저]참돔65/55/54/54외감성돔43외백조기마릿수조황 태성레저 2025.06.29 11
239716 붉바리&민어 외수질 조황(내일자리약간~) 거금박프로 2025.06.29 28
239715 붉바리외수질 누리호 2025.06.29 19
239714 완도 더킹호 한치 다녀왔습니다. 다음주 평일 자리여유^^♡ 완도더킹피싱 2025.06.29 19
239713 6월29일 붉바리조황입니다 녹동빅원호 2025.06.29 20
239712 [고흥피쉬헌터호] 왕볼락.참돔.농어.붉바리등 다양한 어종 쉼없이 입질 이어져~!! 고흥피쉬헌터호 2025.06.29 24
239711 28일 주말 붉바리ㆍ농어 외수질 조황입니다 태성호 2025.06.29 14
목록
Board Pagination Prev 1 ... 132 133 134 135 136 137 138 139 140 141 ... 3825 Next
/ 3825